Benvenuto Ospite

Forum Entomologi Italiani

www.entomologiitaliani.net/forum
 
Oggi è 28/04/2026, 17:15

Tutti gli orari sono UTC + 1 ora [ ora legale ]

Filtro località

Filtro località

In questo pannello è possibile effettuare delle ricerche mirate in base alle località inserite nel forum.

Statistiche

Statistiche
In totale ci sono 90121 taxa:
- 86176 taxa con dati completi
- 2740 taxa con dati parziali, riconducibili ad un paese
- 1205 taxa con dati incompleti


escludi dalla ricerca i subforum
Distribuzione in Europa
Distribuzione in Italia
Filtro applicato: GERMANIA

Pagina 1 di 1 [ 12 messaggi ]

# A B C D E F G H I J K L M N O P Q R S T U V W X Y Z
 Argomenti   Autore   Risposte   Visite    Ultimo messaggio 
Agelastica alni (Linnaeus, 1758) - Chrysomelidae
25.IV.2011 - GERMANIA - EE, Spreewald, Brandenburg (south of Berlin)
Allegato(i)
Agelastica alni (Linnaeus, 1758) - Chrysomelidae

in Chrysomelidae


Dati di raccolta: 25.IV.2011 - GERMANIA - EE, Spreewald, Brandenburg (south of Berlin)

matthew gandy

4

1298

29/04/2011, 20:43

Maw89 Vedi ultimo messaggio

Cassida (Cassida) nebulosa Linnaeus, 1758
13.VI.2011 - GERMANIA - EE, Spreewald, Brandenburg (south of Berlin)
Allegato(i)
Cassida (Cassida) nebulosa Linnaeus, 1758

in Chrysomelidae


Dati di raccolta: 13.VI.2011 - GERMANIA - EE, Spreewald, Brandenburg (south of Berlin)

matthew gandy

3

1096

20/06/2011, 17:18

Lech Borowiec Vedi ultimo messaggio

Chrysolina (Erythrochrysa) polita (Linnaeus, 1758) - Chrysomelidae - Germany
29.V.2010 - GERMANIA - EE, Spreewald, near Berlin
Allegato(i)
Chrysolina (Erythrochrysa) polita (Linnaeus, 1758) - Chrysomelidae - Germany

in Chrysomelidae


Dati di raccolta: 29.V.2010 - GERMANIA - EE, Spreewald, near Berlin

matthew gandy

4

1513

07/06/2010, 23:06

matthew gandy Vedi ultimo messaggio

Allegato(i)
Chrysolina (Euchrysolina) graminis (Linnaeus, 1758) (cf.) - Chrysomelidae

in Chrysomelidae


Dati di raccolta: 11.VII.2014 - GERMANIA - EE, Northeim

gstalker

1

913

15/08/2016, 19:28

gstalker Vedi ultimo messaggio

Allegato(i) Dettagli della specie
Chrysolina (Fastuolina) fastuosa fastuosa (Scopoli, 1763) - Chrysomelidae

in Chrysomelidae


Dati di raccolta: 11.VII.2014 - GERMANIA - EE, Northeim

gstalker

2

1176

05/03/2016, 14:36

Glaphyrus Vedi ultimo messaggio

Crepidodera aurata (Marsham, 1802) - Chrysomelidae
17.VI.2010 - GERMANIA - EE, Spreewald
Allegato(i) Dettagli della specie
Crepidodera aurata (Marsham, 1802) - Chrysomelidae

in Chrysomelidae


Dati di raccolta: 17.VI.2010 - GERMANIA - EE, Spreewald

matthew gandy

4

1806

21/12/2010, 22:18

Lech Borowiec Vedi ultimo messaggio

Crepidodera aurea (Geoffroy, 1785) - Chrysomelidae
24.V.2015 - GERMANIA - EE, Northeim
Allegato(i) Dettagli della specie
Crepidodera aurea (Geoffroy, 1785) - Chrysomelidae

in Chrysomelidae


Dati di raccolta: 24.V.2015 - GERMANIA - EE, Northeim

gstalker

2

942

02/11/2015, 19:22

gstalker Vedi ultimo messaggio

Allegato(i) Dettagli della specie
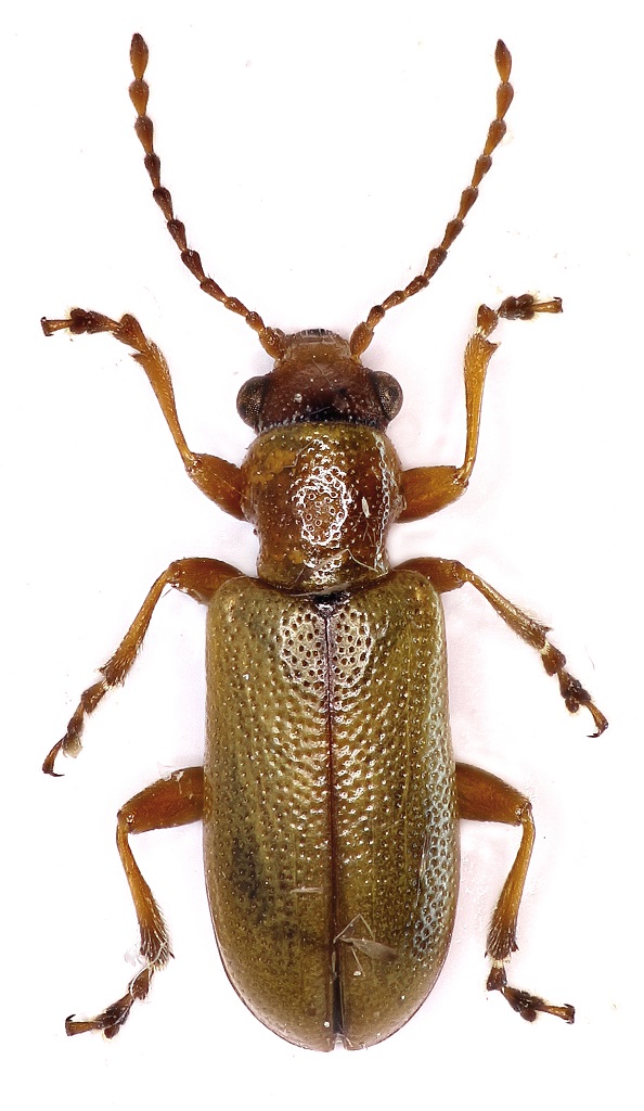
Cryptocephalus (Cryptocephalus) sericeus intrusus Weise, 1882 - Chrysomelidae cf.

in Chrysomelidae indeterminati


Dati di raccolta: 4.VII.2015 - GERMANIA - EE, Northeim

gstalker

5

1696

21/06/2016, 15:56

enneaccatre Vedi ultimo messaggio

Donacia (Donaciomima) aquatica (Linnaeus, 1758) ? - Chrysomelidae
V.1997 - GERMANIA - EE, Mittelfranken, Fischbach Waldrevier, Weiherrand
Allegato(i)
Donacia (Donaciomima) aquatica (Linnaeus, 1758) ? - Chrysomelidae

in Chrysomelidae


Dati di raccolta: V.1997 - GERMANIA - EE, Mittelfranken, Fischbach Waldrevier, Weiherrand

Julodis

6

1782

26/12/2016, 10:15

Julodis Vedi ultimo messaggio

Linaeidea aenea (Linnaeus, 1758) - Chrysomelidae
25.IV.2011 - GERMANIA - EE, Spreewald, Brandenburg (south of Berlin)
Allegato(i)
Linaeidea aenea (Linnaeus, 1758) - Chrysomelidae

in Chrysomelidae


Dati di raccolta: 25.IV.2011 - GERMANIA - EE, Spreewald, Brandenburg (south of Berlin)

matthew gandy

2

952

28/04/2011, 20:56

matthew gandy Vedi ultimo messaggio

Orsodacne cerasi (Linneaus, 1758) - Chrysomelidae Orsodacninae
8.VI.2013 - GERMANIA - EE, Northeim
Allegato(i)
Orsodacne cerasi (Linneaus, 1758) - Chrysomelidae Orsodacninae

in Chrysomelidae


Dati di raccolta: 8.VI.2013 - GERMANIA - EE, Northeim

gstalker

2

1303

08/10/2016, 11:54

Maurizio Bollino Vedi ultimo messaggio

Plateumaris sericea (Linnaeus, 1758) - Chrysomelidae
18.V.2014 - GERMANIA - EE, Bad Gandersheim
Allegato(i) Dettagli della specie
Plateumaris sericea (Linnaeus, 1758) - Chrysomelidae

in Chrysomelidae


Dati di raccolta: 18.V.2014 - GERMANIA - EE, Bad Gandersheim

gstalker

2

1254

09/04/2016, 23:07

gstalker Vedi ultimo messaggio


Inserisci un link per questa ricerca

Inserisci un link per questa ricerca URL
BBCode
HTML
Vai a: