Benvenuto Ospite

Forum Entomologi Italiani

www.entomologiitaliani.net/forum
 
Oggi è 26/04/2026, 22:36

Tutti gli orari sono UTC + 1 ora [ ora legale ]

Filtro località

Filtro località

In questo pannello è possibile effettuare delle ricerche mirate in base alle località inserite nel forum.

Statistiche

Statistiche
In totale ci sono 90111 taxa:
- 86166 taxa con dati completi
- 2740 taxa con dati parziali, riconducibili ad un paese
- 1205 taxa con dati incompleti


escludi dalla ricerca i subforum
Distribuzione in Europa
Distribuzione in Italia
Filtro applicato: ITALIA - Veneto

Pagina 1 di 1 [ 10 messaggi ]

# A B C D E F G H I J K L M N O P Q R S T U V W X Y Z
 Argomenti   Autore   Risposte   Visite    Ultimo messaggio 
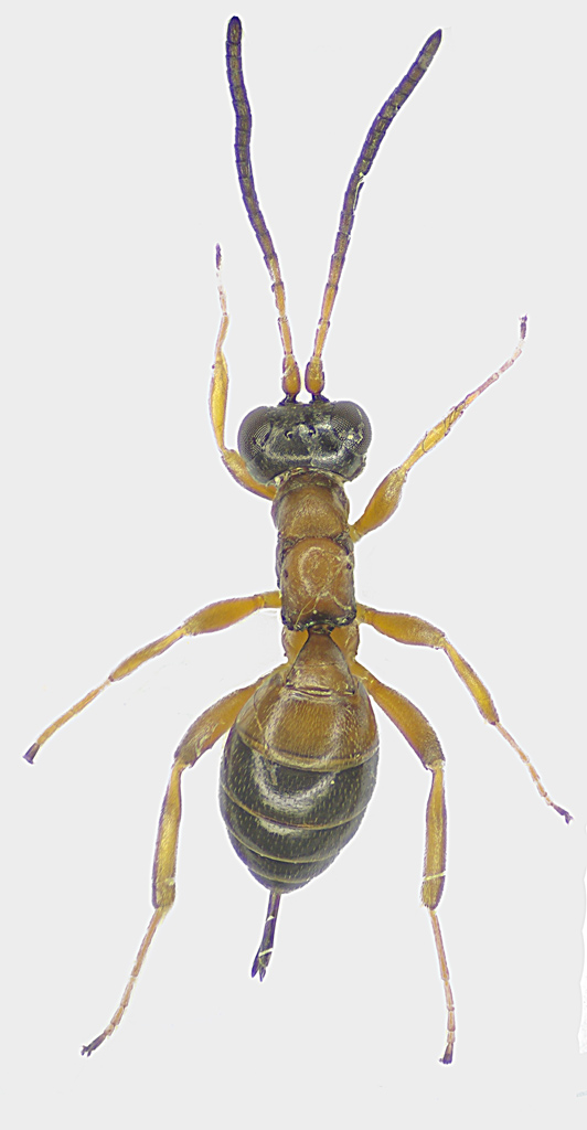
Banchus sp. - Ichneumonidae Banchinae
IX.2016 - ITALIA - Veneto - PD, Colli Euganei, Monte Madonna
Allegato(i)
Banchus sp. - Ichneumonidae Banchinae

in Ichneumonidae indeterminati


Dati di raccolta: IX.2016 - ITALIA - Veneto - PD, Colli Euganei, Monte Madonna

Glaphyrus

3

1370

22/12/2016, 17:37

Glaphyrus Vedi ultimo messaggio

Ichneumonidae Anomaloninae
20.XI.2015 - ITALIA - Veneto - VE, Lido di Venezia
Allegato(i)
Ichneumonidae Anomaloninae

in Ichneumonidae indeterminati


Dati di raccolta: 20.XI.2015 - ITALIA - Veneto - VE, Lido di Venezia

ghebo

2

923

30/11/2015, 18:52

ghebo Vedi ultimo messaggio

Ichneumonidae Campopleginae sp.
6.V.2019 - ITALIA - Veneto - VE, Lido di Venezia
Allegato(i)
Ichneumonidae Campopleginae sp.

in Ichneumonidae indeterminati


Dati di raccolta: 6.V.2019 - ITALIA - Veneto - VE, Lido di Venezia

ghebo

2

1176

25/05/2019, 9:52

ghebo Vedi ultimo messaggio

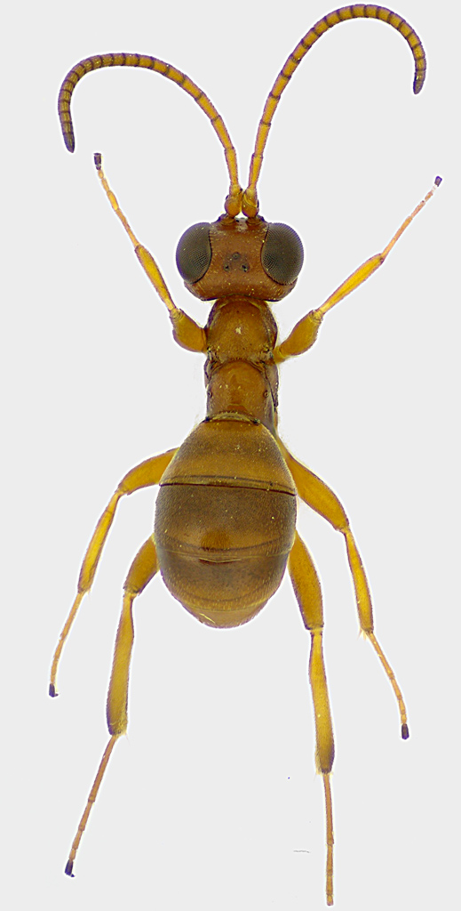
Ichneumonidae Cryptinae
25.II.2011 - ITALIA - Veneto - BL, Feltre: Foen Loc. Fornace 46° 2'35"N 11°55'3"E
Allegato(i)
Ichneumonidae Cryptinae

in Ichneumonidae indeterminati


Dati di raccolta: 25.II.2011 - ITALIA - Veneto - BL, Feltre: Foen Loc. Fornace 46° 2'35"N 11°55'3"E

Maw89

8

1774

28/02/2011, 14:50

D & JP Balmer Vedi ultimo messaggio

Ichneumonidae Cryptinae aff. Gelis
25.II.2011 - ITALIA - Veneto - BL, Feltre: Foen Loc. Fornace 46° 2'35"N 11°55'3"E
Allegato(i)
Ichneumonidae Cryptinae aff. Gelis

in Ichneumonidae indeterminati


Dati di raccolta: 25.II.2011 - ITALIA - Veneto - BL, Feltre: Foen Loc. Fornace 46° 2'35"N 11°55'3"E

Maw89

2

1155

27/02/2011, 14:25

Maw89 Vedi ultimo messaggio

Ichneumonidae Ichneumoninae ♀
30.X.2011 - ITALIA - Veneto - RO, dintorni
Allegato(i)
Ichneumonidae Ichneumoninae ♀

in Ichneumonidae indeterminati


Dati di raccolta: 30.X.2011 - ITALIA - Veneto - RO, dintorni

Umbro

3

1103

15/11/2011, 19:32

Umbro Vedi ultimo messaggio

Ichneumonidae Pimplinae
5.X.2015 - ITALIA - Veneto - VE, Lido di Venezia
Allegato(i)
Ichneumonidae Pimplinae

in Ichneumonidae indeterminati


Dati di raccolta: 5.X.2015 - ITALIA - Veneto - VE, Lido di Venezia

ghebo

2

1096

10/10/2015, 17:21

ghebo Vedi ultimo messaggio

Ichneumonidae, Campopleginae sp.
2.X.2018 - ITALIA - Veneto - VE, Lido di Venezia
Allegato(i)
Ichneumonidae, Campopleginae sp.

in Ichneumonidae indeterminati


Dati di raccolta: 2.X.2018 - ITALIA - Veneto - VE, Lido di Venezia

ghebo

2

1317

11/10/2018, 14:11

ghebo Vedi ultimo messaggio

Icneumonidae Campopleginae
2.IX.2015 - ITALIA - Veneto - VE, Lido di Venezia
Allegato(i)
Icneumonidae Campopleginae

in Ichneumonidae indeterminati


Dati di raccolta: 2.IX.2015 - ITALIA - Veneto - VE, Lido di Venezia

ghebo

2

932

02/10/2015, 17:15

ghebo Vedi ultimo messaggio

Icneumonidae sp.
25.VIII.2019 - ITALIA - Veneto - VI, Marano Vicentino
Allegato(i)
Icneumonidae sp.

in Ichneumonidae indeterminati


Dati di raccolta: 25.VIII.2019 - ITALIA - Veneto - VI, Marano Vicentino

DarthJackius

2

1184

05/09/2019, 23:58

D & JP Balmer Vedi ultimo messaggio


Inserisci un link per questa ricerca

Inserisci un link per questa ricerca URL
BBCode
HTML
Vai a: