Benvenuto Ospite

Forum Entomologi Italiani

www.entomologiitaliani.net/forum
 
Oggi è 23/01/2026, 18:19

Tutti gli orari sono UTC + 1 ora [ ora legale ]

Filtro località

Filtro località

In questo pannello è possibile effettuare delle ricerche mirate in base alle località inserite nel forum.

Statistiche

Statistiche
In totale ci sono 89833 taxa:
- 85891 taxa con dati completi
- 2737 taxa con dati parziali, riconducibili ad un paese
- 1205 taxa con dati incompleti


escludi dalla ricerca i subforum
Distribuzione in Europa
Distribuzione in Italia
Filtro applicato: EGITTO

Pagina 1 di 1 [ 3 messaggi ]

# A B C D E F G H I J K L M N O P Q R S T U V W X Y Z
 Argomenti   Autore   Risposte   Visite    Ultimo messaggio 
Allegato(i)
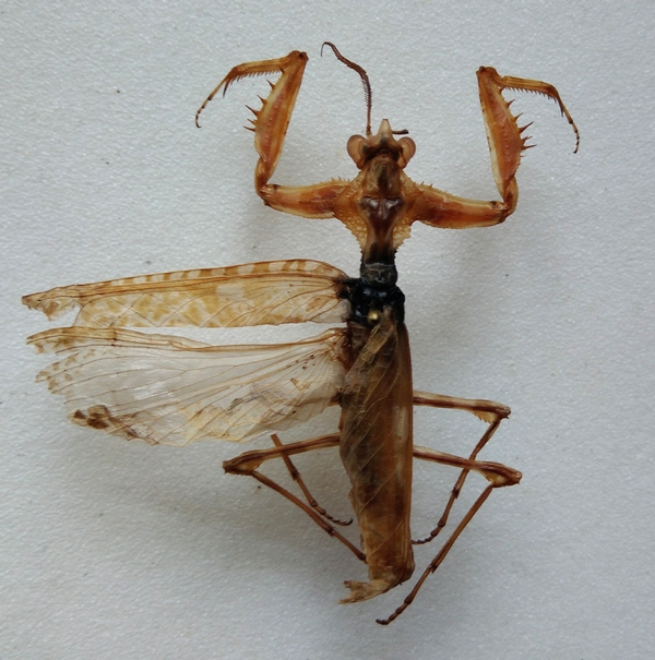
Blepharopsis mendica (Fabricius, 1775) - Empusidae - Egitto, Sinai

in Mantodea


Dati di raccolta: 2010 - EGITTO - EE, Sinai

carlos

0

1111

04/11/2010, 17:04

carlos Vedi ultimo messaggio

Allegato(i)
Blepharopsis mendica nuda (Giglio-Tos, 1917) - Empusidae

in Mantodea


Dati di raccolta: 2016 - EGITTO - EE

alexaandru

6

2210

07/11/2017, 23:56

alexaandru Vedi ultimo messaggio

Eremiaphila sp. - Eremiaphilidae - Egitto, Sinai
2010 - EGITTO - EE, Sinai
Allegato(i)
Eremiaphila sp. - Eremiaphilidae - Egitto, Sinai

in Mantodea


Dati di raccolta: 2010 - EGITTO - EE, Sinai

carlos

0

803

04/11/2010, 17:06

carlos Vedi ultimo messaggio


Inserisci un link per questa ricerca

Inserisci un link per questa ricerca URL
BBCode
HTML
Vai a: