Benvenuto Ospite

Forum Entomologi Italiani

www.entomologiitaliani.net/forum
 
Oggi è 26/04/2026, 15:43

Tutti gli orari sono UTC + 1 ora [ ora legale ]

Filtro località

Filtro località

In questo pannello è possibile effettuare delle ricerche mirate in base alle località inserite nel forum.

Statistiche

Statistiche
In totale ci sono 90111 taxa:
- 86166 taxa con dati completi
- 2740 taxa con dati parziali, riconducibili ad un paese
- 1205 taxa con dati incompleti


escludi dalla ricerca i subforum
Distribuzione in Europa
Distribuzione in Italia
Filtro applicato: PORTOGALLO

Pagina 1 di 1 [ 4 messaggi ]

# A B C D E F G H I J K L M N O P Q R S T U V W X Y Z
 Argomenti   Autore   Risposte   Visite    Ultimo messaggio 
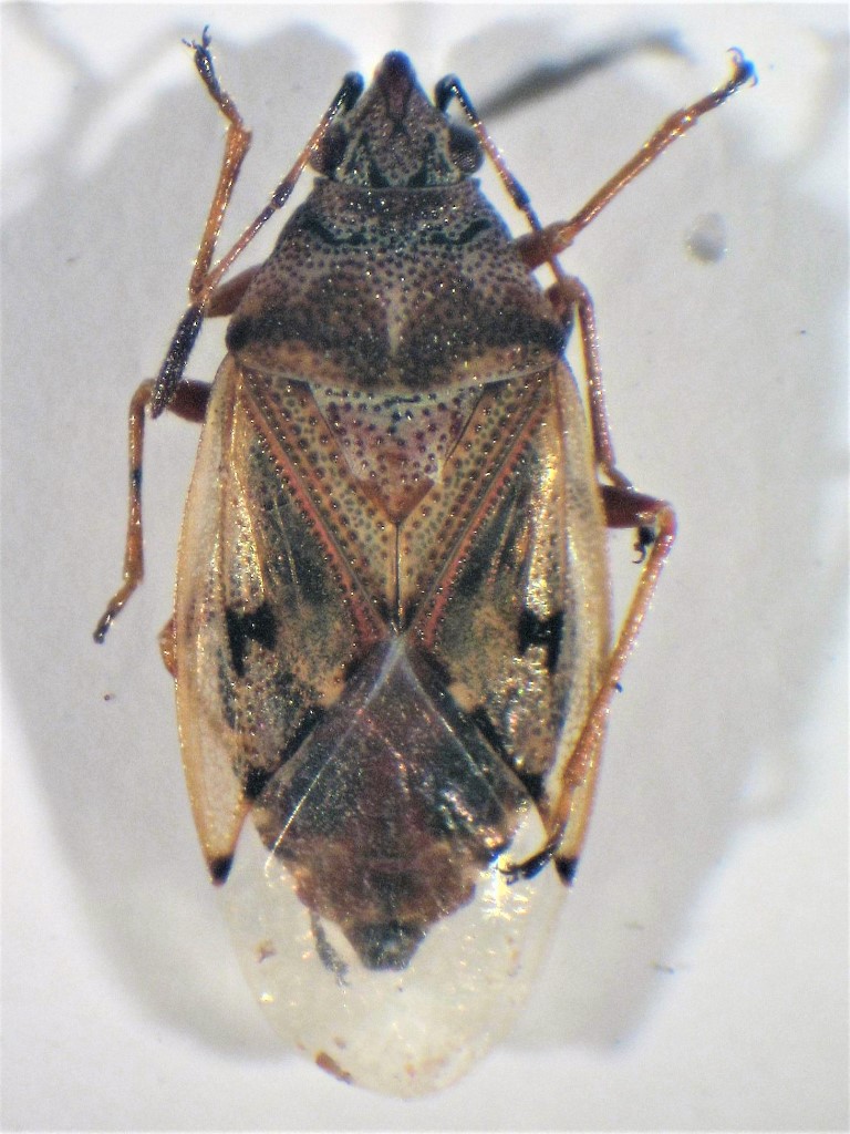
Byrsinus cf. flavicornis (F., 1794) Cydnidae Portogallo
25.VII.1996 - PORTOGALLO - EE, Portogallo (Estremadura) Sintra, Spiaggia di Guincho
Allegato(i)
Byrsinus cf. flavicornis (F., 1794) Cydnidae Portogallo

in Cydnidae


Dati di raccolta: 25.VII.1996 - PORTOGALLO - EE, Portogallo (Estremadura) Sintra, Spiaggia di Guincho

Daniele Sechi

0

1007

11/02/2009, 17:18

Daniele Sechi Vedi ultimo messaggio

Kleidocerys ericae (Horváth, 1908) (cf.) - Lygaeidae
1.XI.2019 - PORTOGALLO - EE, Azzorre - São Miguel - Furnas
Allegato(i)
Kleidocerys ericae (Horváth, 1908) (cf.) - Lygaeidae

in Lygaeidae


Dati di raccolta: 1.XI.2019 - PORTOGALLO - EE, Azzorre - São Miguel - Furnas

ruzzpa

2

1361

18/11/2019, 11:14

ruzzpa Vedi ultimo messaggio

Kleidocerys ericae (Horváth, 1908) (cf.) - Lygaeidae
30.X.2019 - PORTOGALLO - EE, Azzorre - São Miguel - Ribeira Grande
Allegato(i)
Kleidocerys ericae (Horváth, 1908) (cf.) - Lygaeidae

in Lygaeidae


Dati di raccolta: 30.X.2019 - PORTOGALLO - EE, Azzorre - São Miguel - Ribeira Grande

ruzzpa

1

1175

18/11/2019, 0:13

marsal Vedi ultimo messaggio

Strongylocoris seabrai Schmidt, 1939 - Miridae
15.VI.2011 - PORTOGALLO - EE, Guarda
Allegato(i)
Strongylocoris seabrai Schmidt, 1939 - Miridae

in Miridae


Dati di raccolta: 15.VI.2011 - PORTOGALLO - EE, Guarda

sarahpogue

1

708

25/06/2012, 22:37

Dioli Vedi ultimo messaggio


Inserisci un link per questa ricerca

Inserisci un link per questa ricerca URL
BBCode
HTML
Vai a: