Benvenuto Ospite

Forum Entomologi Italiani

www.entomologiitaliani.net/forum
 
Oggi è 28/04/2026, 4:21

Tutti gli orari sono UTC + 1 ora [ ora legale ]

Filtro località

Filtro località

In questo pannello è possibile effettuare delle ricerche mirate in base alle località inserite nel forum.

Statistiche

Statistiche
In totale ci sono 90115 taxa:
- 86170 taxa con dati completi
- 2740 taxa con dati parziali, riconducibili ad un paese
- 1205 taxa con dati incompleti


escludi dalla ricerca i subforum
Distribuzione in Europa
Distribuzione in Italia
Filtro applicato: TURCHIA

Pagina 1 di 7 [ 97 messaggi ]

# A B C D E F G H I J K L M N O P Q R S T U V W X Y Z
 Argomenti   Autore   Risposte   Visite    Ultimo messaggio 
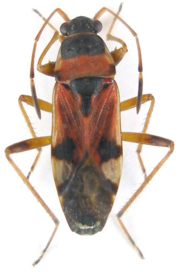
Adelphocoris insignis Horvath, 1898 - Miridae
18.VII.2016 - TURCHIA - EE, Karaman
Allegato(i)
Adelphocoris insignis Horvath, 1898 - Miridae

in Miridae


Dati di raccolta: 18.VII.2016 - TURCHIA - EE, Karaman

Baris99

3

1506

01/06/2017, 20:55

Baris99 Vedi ultimo messaggio

Adelphocoris sp. - Miridae
25.IV.2015 - TURCHIA - EE, Esenyurt
Allegato(i)
Adelphocoris sp. - Miridae

in Miridae


Dati di raccolta: 25.IV.2015 - TURCHIA - EE, Esenyurt

Baris99

1

525

28/04/2015, 16:43

Baris99 Vedi ultimo messaggio

Agatharcus linea (Klug, 1845) - Pentatomidae
1.VI.2013 - TURCHIA - EE, Karaman
Allegato(i)
Agatharcus linea (Klug, 1845) - Pentatomidae

in Pentatomidae


Dati di raccolta: 1.VI.2013 - TURCHIA - EE, Karaman

ozgur70

2

906

28/11/2013, 23:14

ozgur70 Vedi ultimo messaggio

Alloeotomus sp. - Miridae
2.IX.2014 - TURCHIA - EE, Izmir, Urla
Allegato(i)
Alloeotomus sp. - Miridae

in Miridae


Dati di raccolta: 2.IX.2014 - TURCHIA - EE, Izmir, Urla

Baris99

5

960

15/07/2015, 17:03

Baris99 Vedi ultimo messaggio

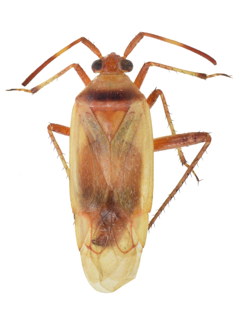
Apodiphus amygdali (Germar, 1817) - Pentatomidae - Turchia
25.V.2011 - TURCHIA - EE, Pamukkale (Denizli) - (Roberto Rattu leg.)
Allegato(i)
Apodiphus amygdali (Germar, 1817) - Pentatomidae - Turchia

in Pentatomidae


Dati di raccolta: 25.V.2011 - TURCHIA - EE, Pamukkale (Denizli) - (Roberto Rattu leg.)

Palaemonetes

4

1626

28/02/2016, 18:57

Baris99 Vedi ultimo messaggio

Beosus quadripunctatus (Muller, 1766) - Lygaeidae
10.V.2011 - TURCHIA - EE, Passo Nord Pülümür (Tunceli) 1800 m
Allegato(i)
Beosus quadripunctatus (Muller, 1766) - Lygaeidae

in Lygaeidae


Dati di raccolta: 10.V.2011 - TURCHIA - EE, Passo Nord Pülümür (Tunceli) 1800 m

Isotomus

10

1883

28/07/2011, 8:52

marco paglialunga Vedi ultimo messaggio

Brachynema germarii (Kolenati, 1846) - Pentatomidae
1.VI.2012 - TURCHIA - EE, Karaman
Allegato(i)
Brachynema germarii (Kolenati, 1846) - Pentatomidae

in Pentatomidae


Dati di raccolta: 1.VI.2012 - TURCHIA - EE, Karaman

ozgur70

3

947

11/12/2013, 0:00

ozgur70 Vedi ultimo messaggio

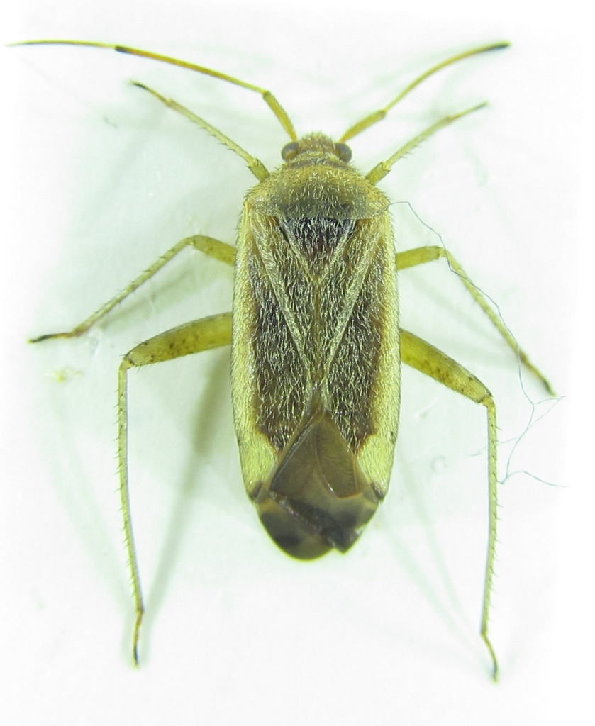
Brachynotocoris sp. - Miridae
2.IX.2014 - TURCHIA - EE, Izmir, Urla
Allegato(i)
Brachynotocoris sp. - Miridae

in Miridae


Dati di raccolta: 2.IX.2014 - TURCHIA - EE, Izmir, Urla

Baris99

2

1096

17/11/2014, 15:07

eremicus Vedi ultimo messaggio

Brachyocoleus decolor Reuter, 1887 - Miridae
1.VI.2013 - TURCHIA - EE, Karaman
Allegato(i)
Brachyocoleus decolor Reuter, 1887 - Miridae

in Miridae


Dati di raccolta: 1.VI.2013 - TURCHIA - EE, Karaman

ozgur70

1

771

23/09/2015, 13:46

Baris99 Vedi ultimo messaggio

Byrsinus sp. - Cydnidae
17.VI.2012 - TURCHIA - EE, Bodrum
Allegato(i)
Byrsinus sp. - Cydnidae

in Cydnidae


Dati di raccolta: 17.VI.2012 - TURCHIA - EE, Bodrum

Baris99

2

1878

01/11/2014, 14:58

Baris99 Vedi ultimo messaggio

Allegato(i)
Calocoris roseomaculatus angularis (Fieber, 1864) - Miridae + Amblytylus sp. - Miridae

in Miridae


Dati di raccolta: 26.VI.2011 - TURCHIA - EE, Ankara

Baris99

3

1034

10/11/2014, 18:59

Baris99 Vedi ultimo messaggio

Camptocera glaberrima (Walker, 1872) - Rhyparochromidae
21.VI.2016 - TURCHIA - EE, Karaman
Allegato(i)
Camptocera glaberrima (Walker, 1872) - Rhyparochromidae

in Altre famiglie


Dati di raccolta: 21.VI.2016 - TURCHIA - EE, Karaman

Baris99

2

2189

01/06/2017, 20:49

Baris99 Vedi ultimo messaggio

Camptopus lateralis (Germar 1817) - Alydidae
1.VI.2013 - TURCHIA - EE, Karaman
Allegato(i)
Camptopus lateralis (Germar 1817) - Alydidae

in Alydidae


Dati di raccolta: 1.VI.2013 - TURCHIA - EE, Karaman

ozgur70

2

2573

17/12/2013, 22:05

ozgur70 Vedi ultimo messaggio

Campylomma sp. - Miridae
2.IX.2014 - TURCHIA - EE, Izmir, Urla
Allegato(i)
Campylomma sp. - Miridae

in Miridae


Dati di raccolta: 2.IX.2014 - TURCHIA - EE, Izmir, Urla

Baris99

1

508

14/10/2014, 10:50

eremicus Vedi ultimo messaggio

Allegato(i)
Carpocoris (Carpocoris) fuscispinus (Boheman, 1850) - Pentatomidae

in Pentatomidae


Dati di raccolta: 1.VII.2013 - TURCHIA - EE, Karaman

ozgur70

2

988

12/03/2014, 0:24

Dioli Vedi ultimo messaggio



Inserisci un link per questa ricerca

Inserisci un link per questa ricerca URL
BBCode
HTML
Vai a: