Benvenuto Ospite

Forum Entomologi Italiani

www.entomologiitaliani.net/forum
 
Oggi è 19/11/2025, 4:58

Tutti gli orari sono UTC + 1 ora [ ora legale ]

Filtro località

Filtro località

In questo pannello è possibile effettuare delle ricerche mirate in base alle località inserite nel forum.

Statistiche

Statistiche
In totale ci sono 89638 taxa:
- 85728 taxa con dati completi
- 2730 taxa con dati parziali, riconducibili ad un paese
- 1180 taxa con dati incompleti


escludi dalla ricerca i subforum
Distribuzione in Europa
Distribuzione in Italia
Filtro applicato: COSTA RICA

Pagina 1 di 5 [ 62 messaggi ]

# A B C D E F G H I J K L M N O P Q R S T U V W X Y Z
 Argomenti   Autore   Risposte   Visite    Ultimo messaggio 
Agra sp - Carabidae
9.XI.2014 - COSTA RICA - EE, Costa Rica, Carara
Allegato(i)
Agra sp - Carabidae

in Carabidae indeterminati


Dati di raccolta: 9.XI.2014 - COSTA RICA - EE, Costa Rica, Carara

Lenny

4

1766

10/01/2015, 22:40

Lenny Vedi ultimo messaggio

Agrilus squalus Waterhouse 1889 - Buprestidae - Costa Rica
12.VII.1983 - COSTA RICA - EE, Santa Rosa Park
Allegato(i)
Agrilus squalus Waterhouse 1889 - Buprestidae - Costa Rica

in Buprestoidea


Dati di raccolta: 12.VII.1983 - COSTA RICA - EE, Santa Rosa Park

Julodis

6

2312

03/05/2010, 7:36

Julodis Vedi ultimo messaggio

Agroiconota judaica (Fabricius, 1781) - Chrysomelidae
IV.1999 - COSTA RICA - EE, Provincia di Cartago - Turrialba - Pendici vulcano Turrialba
Allegato(i)
Agroiconota judaica (Fabricius, 1781) - Chrysomelidae

in Chrysomelidae


Dati di raccolta: IV.1999 - COSTA RICA - EE, Provincia di Cartago - Turrialba - Pendici vulcano Turrialba

checcapitipiti

2

1185

03/02/2017, 13:26

checcapitipiti Vedi ultimo messaggio

Agroiconota propinqua (Boheman, 1855) - Chrysomelidae
IV.1999 - COSTA RICA - EE, Provincia di Cartago - Turrialba - Pendici vulcano Turrialba
Allegato(i)
Agroiconota propinqua (Boheman, 1855) - Chrysomelidae

in Chrysomelidae


Dati di raccolta: IV.1999 - COSTA RICA - EE, Provincia di Cartago - Turrialba - Pendici vulcano Turrialba

checcapitipiti

2

1263

21/01/2017, 16:12

checcapitipiti Vedi ultimo messaggio

Artematopus sp. (cf.) - Artematopodidae
20.II.2015 - COSTA RICA - EE, Costa Rica, Carara
Allegato(i)
Artematopus sp. (cf.) - Artematopodidae

in Elateroidea


Dati di raccolta: 20.II.2015 - COSTA RICA - EE, Costa Rica, Carara

Lenny

2

1986

27/04/2015, 18:50

Lenny Vedi ultimo messaggio

Barybas sp. (Cf.) - Melolonthidae
IV.1999 - COSTA RICA - EE, Provincia di Limon - Punta Cocles - Puerto Viejo
Allegato(i)
Barybas sp. (Cf.) - Melolonthidae

in Melolonthidae


Dati di raccolta: IV.1999 - COSTA RICA - EE, Provincia di Limon - Punta Cocles - Puerto Viejo

checcapitipiti

2

1300

05/04/2020, 15:13

checcapitipiti Vedi ultimo messaggio

Callistethus sp. - Rutelidae
IV.1999 - COSTA RICA - EE, Alajuela - La Fortuna - Pendici vulcano Arenal
Allegato(i)
Callistethus sp. - Rutelidae

in Rutelidae


Dati di raccolta: IV.1999 - COSTA RICA - EE, Alajuela - La Fortuna - Pendici vulcano Arenal

checcapitipiti

0

909

24/03/2020, 19:46

checcapitipiti Vedi ultimo messaggio

Canthon sp. - Scarabaeidae
5.XI.2014 - COSTA RICA - EE, Costa Rica, Carara
Allegato(i)
Canthon sp. - Scarabaeidae

in Scarabaeoidea


Dati di raccolta: 5.XI.2014 - COSTA RICA - EE, Costa Rica, Carara

Lenny

2

2265

29/11/2014, 21:49

Lenny Vedi ultimo messaggio

Cephaloleia sp. - Chrysomelidae Hispinae
14.X.2014 - COSTA RICA - EE, Costa Rica, Carara National Park, El Sur de Turrubares
Allegato(i)
Cephaloleia sp. - Chrysomelidae Hispinae

in Chrysomelidae indeterminati


Dati di raccolta: 14.X.2014 - COSTA RICA - EE, Costa Rica, Carara National Park, El Sur de Turrubares

Lenny

2

1067

27/10/2014, 16:58

Lenny Vedi ultimo messaggio

Cephaloleia sp. ? - Chrysomelidae Hispinae
14.X.2014 - COSTA RICA - EE, Costa Rica, Carara National Park, El Sur de Turrubares
Allegato(i)
Cephaloleia sp. ? - Chrysomelidae Hispinae

in Chrysomelidae indeterminati


Dati di raccolta: 14.X.2014 - COSTA RICA - EE, Costa Rica, Carara National Park, El Sur de Turrubares

Lenny

3

1057

27/10/2014, 16:57

Lenny Vedi ultimo messaggio

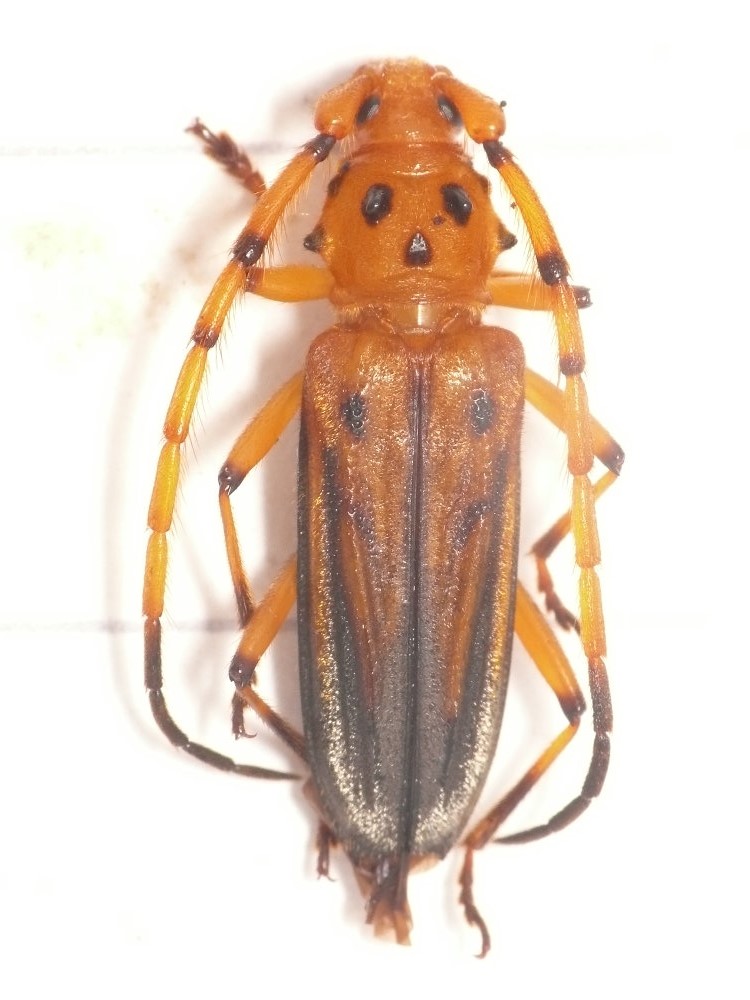
Ceragenia sp. - Cerambycidae
26.I.2015 - COSTA RICA - EE, Costa Rica, Carara
Allegato(i)
Ceragenia sp. - Cerambycidae

in Cerambycidae


Dati di raccolta: 26.I.2015 - COSTA RICA - EE, Costa Rica, Carara

Lenny

2

1133

06/05/2015, 18:34

Lenny Vedi ultimo messaggio

Cerambycidae da identificare
IV.1999 - COSTA RICA - EE, Cartago - Monumento Nacional Guayabo - 9.9716 / -83.6898
Allegato(i)
Cerambycidae da identificare

in Cerambycidae


Dati di raccolta: IV.1999 - COSTA RICA - EE, Cartago - Monumento Nacional Guayabo - 9.9716 / -83.6898

checcapitipiti

0

432

21/02/2021, 17:56

checcapitipiti Vedi ultimo messaggio

Cerambycidae da identificare
IV.1999 - COSTA RICA - EE, Alajuela - La Fortuna - 10.4700 / -84.6317
Allegato(i)
Cerambycidae da identificare

in Cerambycidae


Dati di raccolta: IV.1999 - COSTA RICA - EE, Alajuela - La Fortuna - 10.4700 / -84.6317

checcapitipiti

0

425

21/02/2021, 18:15

checcapitipiti Vedi ultimo messaggio

Cerambycidae Parandrinae Costa Rica
22.XI.2014 - COSTA RICA - EE, Costa Rica, Carara
Allegato(i)
Cerambycidae Parandrinae Costa Rica

in Cerambycidae


Dati di raccolta: 22.XI.2014 - COSTA RICA - EE, Costa Rica, Carara

Lenny

4

1354

20/12/2014, 5:03

Lenny Vedi ultimo messaggio

Cerambycidae sp.
VIII.2000 - COSTA RICA - EE, Provincia di Alajuela - Pendici vulcano Poas - Carrizal
Allegato(i)
Cerambycidae sp.

in Cerambycidae


Dati di raccolta: VIII.2000 - COSTA RICA - EE, Provincia di Alajuela - Pendici vulcano Poas - Carrizal

checcapitipiti

2

1289

04/01/2020, 10:18

checcapitipiti Vedi ultimo messaggio



Inserisci un link per questa ricerca

Inserisci un link per questa ricerca URL
BBCode
HTML
Vai a:  
cron