Benvenuto Ospite

Forum Entomologi Italiani

www.entomologiitaliani.net/forum
 
Oggi è 27/05/2026, 16:24

Tutti gli orari sono UTC + 1 ora [ ora legale ]

Filtro località

Filtro località

In questo pannello è possibile effettuare delle ricerche mirate in base alle località inserite nel forum.

Statistiche

Statistiche
In totale ci sono 90213 taxa:
- 86267 taxa con dati completi
- 2741 taxa con dati parziali, riconducibili ad un paese
- 1205 taxa con dati incompleti


escludi dalla ricerca i subforum
Distribuzione in Europa
Distribuzione in Italia
Filtro applicato: PAKISTAN

Pagina 1 di 5 [ 75 messaggi ]

# A B C D E F G H I J K L M N O P Q R S T U V W X Y Z
 Argomenti   Autore   Risposte   Visite    Ultimo messaggio 
Acmaeodera (Paracmaeodera) aurifera Laporte & Gory, 1835
13.VIII.2013 - PAKISTAN - EE, ...
Allegato(i)
Acmaeodera (Paracmaeodera) aurifera Laporte & Gory, 1835

in Buprestoidea


Dati di raccolta: 13.VIII.2013 - PAKISTAN - EE, ...

Julodis

10

3073

16/08/2013, 7:28

Julodis Vedi ultimo messaggio

Allegato(i)
Afromorgus granulatus Herbst, 1783 (cf.) - Trogidae - Pakistan (+ altra specie da determinare)

in Trogidae


Dati di raccolta: 10.VI.2008 - PAKISTAN - EE, Sawat

Guido Sabatinelli

3

1709

08/09/2011, 6:50

Honza Vedi ultimo messaggio

Anatona stillata Newman, 1838 (cf.) - Cetoniidae (Pakistan)
31.VIII.2007 - PAKISTAN - EE, Dintorni di Manshera (NE Pakistan)
Allegato(i)
Anatona stillata Newman, 1838 (cf.) - Cetoniidae (Pakistan)

in Cetoniidae


Dati di raccolta: 31.VIII.2007 - PAKISTAN - EE, Dintorni di Manshera (NE Pakistan)

Guido Sabatinelli

11

2170

30/10/2011, 17:39

Guido Sabatinelli Vedi ultimo messaggio

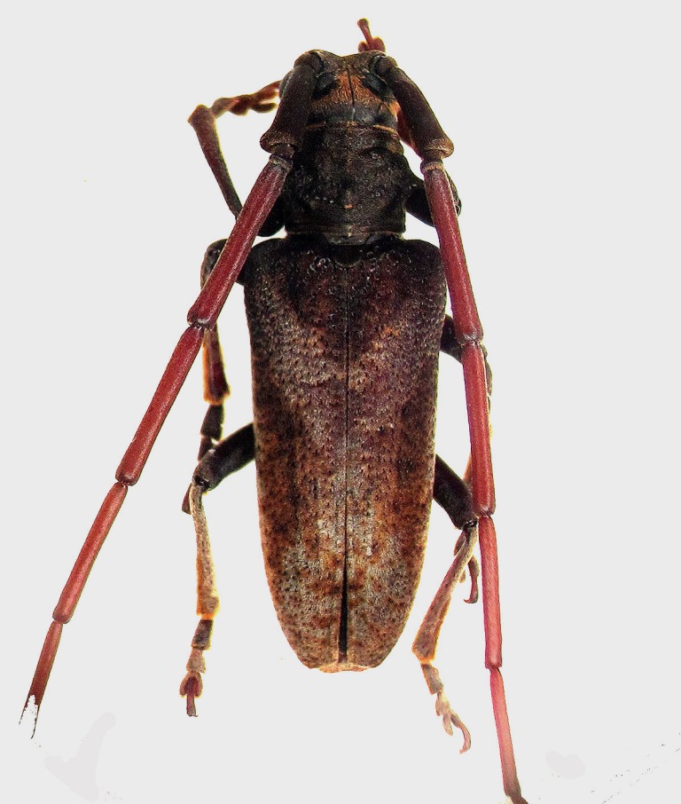
Anomophysis plagiata (Waterhouse, 1884) - Pakistan
7.VII.2012 - PAKISTAN - EE, A.J. Kashmir, Muzzafarabad, leg. Guido Sabatinelli
Allegato(i)
Anomophysis plagiata (Waterhouse, 1884) - Pakistan

in Cerambycidae


Dati di raccolta: 7.VII.2012 - PAKISTAN - EE, A.J. Kashmir, Muzzafarabad, leg. Guido Sabatinelli

Guido Sabatinelli

1

1337

21/09/2014, 8:26

Xylosteus Vedi ultimo messaggio

Arhopalus tibetanus Sharp, 1905 - Cerambycidae
15.VIII.2012 - PAKISTAN - EE, Muzaffarabad, leg. G.Sabatinelli
Allegato(i)
Arhopalus tibetanus Sharp, 1905 - Cerambycidae

in Cerambycidae


Dati di raccolta: 15.VIII.2012 - PAKISTAN - EE, Muzaffarabad, leg. G.Sabatinelli

Guido Sabatinelli

3

1572

27/09/2014, 7:22

Guido Sabatinelli Vedi ultimo messaggio

Basitropis nitidicutis nitidicutis Jekel, 1855 cf. - Anthribidae
31.VIII.2011 - PAKISTAN - EE, Islamabad
Allegato(i)
Basitropis nitidicutis nitidicutis Jekel, 1855 cf. - Anthribidae

in Anthribidae


Dati di raccolta: 31.VIII.2011 - PAKISTAN - EE, Islamabad

Guido Sabatinelli

3

1371

31/10/2012, 15:15

Umbro Vedi ultimo messaggio

Bioramix sp. - Tenebrionidae Platyscelini
15.VII.2012 - PAKISTAN - EE, Kaghan Valley, Naran
Allegato(i)
Bioramix sp. - Tenebrionidae Platyscelini

in Tenebrionidae indeterminati


Dati di raccolta: 15.VII.2012 - PAKISTAN - EE, Kaghan Valley, Naran

Guido Sabatinelli

3

1086

11/10/2014, 14:21

Clickie Vedi ultimo messaggio

Buprestis (Akiyamaia) costipennis (Fairmaire, 1891) - Buprestidae
VII.2008 - PAKISTAN - EE, NW/FP, Abatabad, Changla Gali, 2560 m
Allegato(i)
Buprestis (Akiyamaia) costipennis (Fairmaire, 1891) - Buprestidae

in Buprestoidea


Dati di raccolta: VII.2008 - PAKISTAN - EE, NW/FP, Abatabad, Changla Gali, 2560 m

Julodis

4

1707

25/12/2012, 0:07

Maurizio Bollino Vedi ultimo messaggio

Calomera chloris Hope, 1831 - Carabidae
VI.2017 - PAKISTAN - EE, Swat - Miandam 1848m
Allegato(i)
Calomera chloris Hope, 1831 - Carabidae

in Carabidae


Dati di raccolta: VI.2017 - PAKISTAN - EE, Swat - Miandam 1848m

Agdistis

2

1446

19/05/2019, 12:38

Agdistis Vedi ultimo messaggio

Calosoma (Ctenosta) orientale Hope, 1833 - Carabidae
11.VI.2011 - PAKISTAN - EE, Islamabad, leg. G.Sabatinelli
Allegato(i)
Calosoma (Ctenosta) orientale Hope, 1833 - Carabidae

in Carabidae


Dati di raccolta: 11.VI.2011 - PAKISTAN - EE, Islamabad, leg. G.Sabatinelli

Guido Sabatinelli

6

1852

30/09/2014, 12:47

Guido Sabatinelli Vedi ultimo messaggio

Capnodis indica Thomson, 1879 - Buprestidae
22.V.2008 - PAKISTAN - EE, Swat valley
Allegato(i)
Capnodis indica Thomson, 1879 - Buprestidae

in Buprestoidea


Dati di raccolta: 22.V.2008 - PAKISTAN - EE, Swat valley

Julodis

1

1427

15/02/2018, 12:47

Acmaeodera Vedi ultimo messaggio

Carabidi del Pakistan e miscellanea
VIII.2011 - PAKISTAN - EE, Islamabad
Allegato(i)
Carabidi del Pakistan e miscellanea

in Carabidae indeterminati


Dati di raccolta: VIII.2011 - PAKISTAN - EE, Islamabad

Guido Sabatinelli

5

2005

30/08/2011, 17:32

Honza Vedi ultimo messaggio

Carabus (Imaibius) cashmirensis cashmirensis Redtenbacher, 1842 e Carabus (Imaibius) stoliczkanus stoliczkanus Bates, 1878
16.VII.2011 - PAKISTAN - EE, K.P., Abbottabad (Bin Laden house...) district, Nathia Gali, 2400m
Allegato(i)
Carabus (Imaibius) cashmirensis cashmirensis Redtenbacher, 1842 e Carabus (Imaibius) stoliczkanus stoliczkanus Bates, 1878

in Carabidae


Dati di raccolta: 16.VII.2011 - PAKISTAN - EE, K.P., Abbottabad (Bin Laden house...) district, Nathia Gali, 2400m

Guido Sabatinelli

11

3446

24/07/2011, 11:18

Giorgarz Vedi ultimo messaggio

Allegato(i)
Carabus (Imaibius) wittmerorum Heinertz, 1978 - Carabidae Carabinae Carabini

in Carabidae


Dati di raccolta: 24.VII.2000 - PAKISTAN - EE, Malam Jabba

kolibrik

0

866

07/11/2015, 9:24

kolibrik Vedi ultimo messaggio

Cerambicidae - Pakistan
15.VII.2012 - PAKISTAN - EE, Islamabad, leg. G.Sabatinelli
Allegato(i)
Cerambicidae - Pakistan

in Cerambycidae


Dati di raccolta: 15.VII.2012 - PAKISTAN - EE, Islamabad, leg. G.Sabatinelli

Guido Sabatinelli

1

1004

06/10/2014, 6:51

Guido Sabatinelli Vedi ultimo messaggio



Inserisci un link per questa ricerca

Inserisci un link per questa ricerca URL
BBCode
HTML
Vai a: