Benvenuto Ospite

Forum Entomologi Italiani

www.entomologiitaliani.net/forum
 
Oggi è 08/05/2026, 18:34

Tutti gli orari sono UTC + 1 ora [ ora legale ]

Filtro località

Filtro località

In questo pannello è possibile effettuare delle ricerche mirate in base alle località inserite nel forum.

Statistiche

Statistiche
In totale ci sono 90160 taxa:
- 86214 taxa con dati completi
- 2741 taxa con dati parziali, riconducibili ad un paese
- 1205 taxa con dati incompleti


escludi dalla ricerca i subforum
Distribuzione in Europa
Distribuzione in Italia
Filtro applicato: GERMANIA

Pagina 1 di 2 [ 27 messaggi ]

# A B C D E F G H I J K L M N O P Q R S T U V W X Y Z
 Argomenti   Autore   Risposte   Visite    Ultimo messaggio 
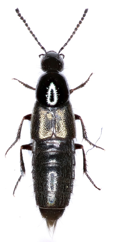
Bolitochara sp. - Staphylinidae
18.V.2007 - GERMANIA - EE, Scheidenhardt
Allegato(i)
Bolitochara sp. - Staphylinidae

in Staphylinidae indeterminati


Dati di raccolta: 18.V.2007 - GERMANIA - EE, Scheidenhardt

scarabaeidae

3

1138

28/12/2020, 3:15

AetherisIgnis Vedi ultimo messaggio

Gabrius osseticus (Kolenati, 1846) - Staphylinidae
5.IX.2012 - GERMANIA - EE, mar Baltico, Isola Hiddensee
Allegato(i)
Gabrius osseticus (Kolenati, 1846) - Staphylinidae

in Staphylinidae


Dati di raccolta: 5.IX.2012 - GERMANIA - EE, mar Baltico, Isola Hiddensee

Lenny

3

709

06/12/2012, 20:58

Lenny Vedi ultimo messaggio

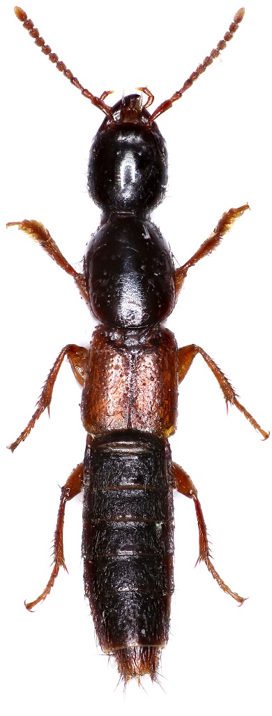
ID ? - Stenus sp. from Germany
10.IV.2020 - GERMANIA - EE, Wachtberg
Allegato(i)
ID ? - Stenus sp. from Germany

in Staphylinidae indeterminati


Dati di raccolta: 10.IV.2020 - GERMANIA - EE, Wachtberg

scarabaeidae

0

817

28/05/2020, 11:55

scarabaeidae Vedi ultimo messaggio

Leptacinus batychrus (Gyllenhal, 1827) (cf.) - Staphylinidae
5.IX.2012 - GERMANIA - EE, mar Baltico, Isola Hiddensee
Allegato(i)
Leptacinus batychrus (Gyllenhal, 1827) (cf.) - Staphylinidae

in Staphylinidae


Dati di raccolta: 5.IX.2012 - GERMANIA - EE, mar Baltico, Isola Hiddensee

Lenny

3

597

11/03/2013, 22:38

Lenny Vedi ultimo messaggio

Ocypus (Matidus) nitens (Schrank, 1781) - Staphylinidae
8.VII.2011 - GERMANIA - EE, Northeim
Allegato(i)
Ocypus (Matidus) nitens (Schrank, 1781) - Staphylinidae

in Staphylinidae


Dati di raccolta: 8.VII.2011 - GERMANIA - EE, Northeim

gstalker

3

768

03/01/2016, 23:30

Honza Vedi ultimo messaggio

Othius punctulatus (Goeze, 1777) - Staphylinidae
17.VII.2011 - GERMANIA - EE, Northeim
Allegato(i)
Othius punctulatus (Goeze, 1777) - Staphylinidae

in Staphylinidae


Dati di raccolta: 17.VII.2011 - GERMANIA - EE, Northeim

gstalker

1

1051

25/07/2023, 0:19

Lorenzo Locati Vedi ultimo messaggio

Othius punctulatus (Goeze, 1777) - Staphylinidae
19.IV.2020 - GERMANIA - EE, Wachtberg
Allegato(i)
Othius punctulatus (Goeze, 1777) - Staphylinidae

in Staphylinidae


Dati di raccolta: 19.IV.2020 - GERMANIA - EE, Wachtberg

scarabaeidae

1

1021

28/05/2020, 22:09

AetherisIgnis Vedi ultimo messaggio

Othius punctulatus (Goeze, 1777) - Staphylinide
1.VII.2013 - GERMANIA - EE, Northeim
Allegato(i)
Othius punctulatus (Goeze, 1777) - Staphylinide

in Staphylinidae


Dati di raccolta: 1.VII.2013 - GERMANIA - EE, Northeim

gstalker

3

795

03/01/2016, 22:56

gstalker Vedi ultimo messaggio

Paederus sp. - Staphylinidae - Germany
10.VI.2011 - GERMANIA - EE, Spreewald, Brandenburg (south of Berlin)
Allegato(i)
Paederus sp. - Staphylinidae - Germany

in Staphylinidae indeterminati


Dati di raccolta: 10.VI.2011 - GERMANIA - EE, Spreewald, Brandenburg (south of Berlin)

matthew gandy

2

616

17/06/2011, 23:02

matthew gandy Vedi ultimo messaggio

Philonthus (Philonthus) tenuicornis Mulsant & Rey 1853 - Staphylinidae (???)
21.VI.2011 - GERMANIA - EE, Mecklenburg-West Pomerania, Anklam
Allegato(i)
Philonthus (Philonthus) tenuicornis Mulsant & Rey 1853 - Staphylinidae (???)

in Staphylinidae indeterminati


Dati di raccolta: 21.VI.2011 - GERMANIA - EE, Mecklenburg-West Pomerania, Anklam

Lenny

0

650

09/11/2011, 0:12

Lenny Vedi ultimo messaggio

Philonthus sp
23.III.2014 - GERMANIA - EE, Northeim
Allegato(i)
Philonthus sp

in Staphylinidae indeterminati


Dati di raccolta: 23.III.2014 - GERMANIA - EE, Northeim

gstalker

0

409

22/01/2016, 22:47

gstalker Vedi ultimo messaggio

Philonthus sp.
16.VII.2014 - GERMANIA - EE, Northeim
Allegato(i)
Philonthus sp.

in Staphylinidae indeterminati


Dati di raccolta: 16.VII.2014 - GERMANIA - EE, Northeim

gstalker

1

606

21/09/2020, 23:40

AetherisIgnis Vedi ultimo messaggio

Philonthus sp. - Staphylinidae
16.X.2015 - GERMANIA - EE, Northeim
Allegato(i)
Philonthus sp. - Staphylinidae

in Staphylinidae indeterminati


Dati di raccolta: 16.X.2015 - GERMANIA - EE, Northeim

gstalker

2

565

26/10/2015, 15:06

mascalzonepadano Vedi ultimo messaggio

Philonthus sp. - Staphylinidae
28.IV.2013 - GERMANIA - EE, Northeim
Allegato(i)
Philonthus sp. - Staphylinidae

in Staphylinidae indeterminati


Dati di raccolta: 28.IV.2013 - GERMANIA - EE, Northeim

gstalker

0

785

09/01/2016, 22:23

gstalker Vedi ultimo messaggio

Philonthus sp. - Staphylinidae
8.VI.2013 - GERMANIA - EE, Northeim
Allegato(i)
Philonthus sp. - Staphylinidae

in Staphylinidae indeterminati


Dati di raccolta: 8.VI.2013 - GERMANIA - EE, Northeim

gstalker

1

682

10/01/2016, 20:38

AetherisIgnis Vedi ultimo messaggio



Inserisci un link per questa ricerca

Inserisci un link per questa ricerca URL
BBCode
HTML
Vai a: