Benvenuto Ospite

Forum Entomologi Italiani

www.entomologiitaliani.net/forum
 
Oggi è 08/05/2026, 21:45

Tutti gli orari sono UTC + 1 ora [ ora legale ]

Filtro località

Filtro località

In questo pannello è possibile effettuare delle ricerche mirate in base alle località inserite nel forum.

Statistiche

Statistiche
In totale ci sono 90162 taxa:
- 86216 taxa con dati completi
- 2741 taxa con dati parziali, riconducibili ad un paese
- 1205 taxa con dati incompleti


escludi dalla ricerca i subforum
Distribuzione in Europa
Distribuzione in Italia
Filtro applicato: ITALIA - Emilia-Romagna

Pagina 1 di 17 [ 251 messaggi ]

# A B C D E F G H I J K L M N O P Q R S T U V W X Y Z
 Argomenti   Autore   Risposte   Visite    Ultimo messaggio 
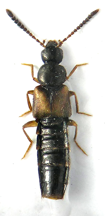
Acidota cf. cruentata (Mannerheim, 1831) - Staphylinidae
10.XI.2011 - ITALIA - Emilia-Romagna - BO, Sasso Marconi
Allegato(i)
Acidota cf. cruentata (Mannerheim, 1831) - Staphylinidae

in Staphylinidae indeterminati


Dati di raccolta: 10.XI.2011 - ITALIA - Emilia-Romagna - BO, Sasso Marconi

Loriscola

0

910

18/11/2011, 22:38

Loriscola Vedi ultimo messaggio

Anthophagus bicornis (Block, 1799) - Staphylinidae - Vidiciatico (BO)
VII.2010 - ITALIA - Emilia-Romagna - BO, Vidiciatico - Lizzano in Belvedere
Allegato(i)
Anthophagus bicornis (Block, 1799) - Staphylinidae - Vidiciatico (BO)

in Staphylinidae


Dati di raccolta: VII.2010 - ITALIA - Emilia-Romagna - BO, Vidiciatico - Lizzano in Belvedere

Loriscola

0

508

12/07/2010, 22:41

Loriscola Vedi ultimo messaggio

Astenus sp. (cf.) - Staphylinidae
26.XII.2011 - ITALIA - Emilia-Romagna - RE, Montecchio Emilia
Allegato(i)
Astenus sp. (cf.) - Staphylinidae

in Staphylinidae indeterminati


Dati di raccolta: 26.XII.2011 - ITALIA - Emilia-Romagna - RE, Montecchio Emilia

Mikiphasmide

3

1239

02/03/2012, 20:41

Mikiphasmide Vedi ultimo messaggio

Astrapaeus ulmi (Rossi 1790) - Staphylinidae
4.V.1989 - ITALIA - Emilia-Romagna - RA, Bagnacavallo
Allegato(i)
Astrapaeus ulmi (Rossi 1790) - Staphylinidae

in Staphylinidae


Dati di raccolta: 4.V.1989 - ITALIA - Emilia-Romagna - RA, Bagnacavallo

Chalybion

2

904

14/11/2016, 21:06

Chalybion Vedi ultimo messaggio

Atheta (Atheta) aeneicollis (Sharp, 1869) - Staphylinidae Aleocharinae
2.XI.2015 - ITALIA - Emilia-Romagna - FE, Bosco di Porporana, D. Maccapani leg.
Allegato(i)
Atheta (Atheta) aeneicollis (Sharp, 1869) - Staphylinidae Aleocharinae

in Staphylinidae


Dati di raccolta: 2.XI.2015 - ITALIA - Emilia-Romagna - FE, Bosco di Porporana, D. Maccapani leg.

Alessio89

2

1036

16/11/2020, 15:25

Alessio89 Vedi ultimo messaggio

Batrisodes (Batrisodes) oculatus (Aubé, 1833) - Staphylinidae Pselaphinae
3.XII.2011 - ITALIA - Emilia-Romagna - BO, Sasso Marconi - Rio Conco
Allegato(i) Dettagli della specie
Batrisodes (Batrisodes) oculatus (Aubé, 1833) - Staphylinidae Pselaphinae

in Staphylinidae Pselaphinae


Dati di raccolta: 3.XII.2011 - ITALIA - Emilia-Romagna - BO, Sasso Marconi - Rio Conco

Loriscola

1

983

08/12/2011, 18:14

Julodis Vedi ultimo messaggio

Batrisodes (Batrisodes) oculatus (Aubé, 1833) - Staphylinidae Pselaphinae
26.II.2013 - ITALIA - Emilia-Romagna - FE, Mesola
Allegato(i) Dettagli della specie
Batrisodes (Batrisodes) oculatus (Aubé, 1833) - Staphylinidae Pselaphinae

in Staphylinidae Pselaphinae


Dati di raccolta: 26.II.2013 - ITALIA - Emilia-Romagna - FE, Mesola

Daniele Maccapani

10

3023

08/03/2013, 13:45

Daniele Maccapani Vedi ultimo messaggio

Batrisodes (Batrisodes) venustus (Reichenbach, 1816) - Staphylinidae Pselaphinae
21.IX.2011 - ITALIA - Emilia-Romagna - BO, Castel San Pietro (Stradelli Guelfi)
Allegato(i) Dettagli della specie
Batrisodes (Batrisodes) venustus (Reichenbach, 1816) - Staphylinidae Pselaphinae

in Staphylinidae Pselaphinae


Dati di raccolta: 21.IX.2011 - ITALIA - Emilia-Romagna - BO, Castel San Pietro (Stradelli Guelfi)

Loriscola

0

912

22/09/2011, 22:46

Loriscola Vedi ultimo messaggio

Batrisodes venustus (Reichenbach, 1816) (cf.) - Staphylinidae Pselaphinae
1.V.2021 - ITALIA - Emilia-Romagna - RA, Pineta San Vitale (RA) 01.V.2021 A. Degiovanni leg
Allegato(i)
Batrisodes venustus (Reichenbach, 1816) (cf.) - Staphylinidae Pselaphinae

in Staphylinidae Pselaphinae


Dati di raccolta: 1.V.2021 - ITALIA - Emilia-Romagna - RA, Pineta San Vitale (RA) 01.V.2021 A. Degiovanni leg

Notoxus59

3

1178

08/05/2021, 20:07

Notoxus59 Vedi ultimo messaggio

Batrisus formicarius Aubé, 1833 - Staphylinidae Pselaphinae
18.XII.2011 - ITALIA - Emilia-Romagna - BO, Castel D'Aiano - mt. 900
Allegato(i) Dettagli della specie
Batrisus formicarius Aubé, 1833 - Staphylinidae Pselaphinae

[ Vai alla pagina: 1, 2 ]

in Staphylinidae Pselaphinae


Dati di raccolta: 18.XII.2011 - ITALIA - Emilia-Romagna - BO, Castel D'Aiano - mt. 900

Loriscola

17

3963

20/12/2011, 16:32

Mimmo011 Vedi ultimo messaggio

Batrisus formicarius Aubé, 1833 - Staphylinidae Pselaphinae
21.VII.2013 - ITALIA - Emilia-Romagna - BO, Castel d'Aiano - M.te Spe
Allegato(i) Dettagli della specie
Batrisus formicarius Aubé, 1833 - Staphylinidae Pselaphinae

in Staphylinidae Pselaphinae


Dati di raccolta: 21.VII.2013 - ITALIA - Emilia-Romagna - BO, Castel d'Aiano - M.te Spe

Loriscola

0

867

28/11/2013, 21:40

Loriscola Vedi ultimo messaggio

Bibloplectus (Bibloplectus) ambiguus (Reichenbach, 1816) - Staphylinidae Pselaphinae
2.II.2013 - ITALIA - Emilia-Romagna - RA, Punta Alberete
Allegato(i) Dettagli della specie
Bibloplectus (Bibloplectus) ambiguus (Reichenbach, 1816) - Staphylinidae Pselaphinae

in Staphylinidae Pselaphinae


Dati di raccolta: 2.II.2013 - ITALIA - Emilia-Romagna - RA, Punta Alberete

Loriscola

1

952

11/02/2013, 8:02

Honza Vedi ultimo messaggio

Bibloplectus (Bibloplectus) obtusus Guillebeau, 1888 - Staphylinidae Pselaphinae
9.X.2011 - ITALIA - Emilia-Romagna - BO, Monteveglio - Ziribega
Allegato(i) Dettagli della specie
Bibloplectus (Bibloplectus) obtusus Guillebeau, 1888 - Staphylinidae Pselaphinae

in Staphylinidae Pselaphinae


Dati di raccolta: 9.X.2011 - ITALIA - Emilia-Romagna - BO, Monteveglio - Ziribega

Loriscola

1

1018

11/12/2011, 16:07

Loriscola Vedi ultimo messaggio

Bibloplectus (Bibloplectus) pusillus (Denny, 1825) - Staphylinidae Pselaphinae
11.XI.2013 - ITALIA - Emilia-Romagna - FE, Porporana - fiume Po
Allegato(i) Dettagli della specie
Bibloplectus (Bibloplectus) pusillus (Denny, 1825) - Staphylinidae Pselaphinae

in Staphylinidae Pselaphinae


Dati di raccolta: 11.XI.2013 - ITALIA - Emilia-Romagna - FE, Porporana - fiume Po

Loriscola

0

850

02/12/2013, 17:05

Loriscola Vedi ultimo messaggio

Bibloplectus (Bibloplectus) tenebrosus (Reitter, 1880) cf. - Staphylinidae Pselaphinae
2.II.2013 - ITALIA - Emilia-Romagna - RA, Punta Alberete
Allegato(i) Dettagli della specie
Bibloplectus (Bibloplectus) tenebrosus (Reitter, 1880) - Staphylinidae Pselaphinae cf.

in Staphylinidae Pselaphinae


Dati di raccolta: 2.II.2013 - ITALIA - Emilia-Romagna - RA, Punta Alberete

Loriscola

6

1579

08/02/2013, 15:24

Loriscola Vedi ultimo messaggio



Inserisci un link per questa ricerca

Inserisci un link per questa ricerca URL
BBCode
HTML
Vai a: