Benvenuto Ospite

Forum Entomologi Italiani

www.entomologiitaliani.net/forum
 
Oggi è 22/03/2026, 13:21

Tutti gli orari sono UTC + 1 ora [ ora legale ]

Filtro località

Filtro località

In questo pannello è possibile effettuare delle ricerche mirate in base alle località inserite nel forum.

Statistiche

Statistiche
In totale ci sono 90006 taxa:
- 86063 taxa con dati completi
- 2738 taxa con dati parziali, riconducibili ad un paese
- 1205 taxa con dati incompleti


escludi dalla ricerca i subforum
Distribuzione in Europa
Distribuzione in Italia
Filtro applicato: ITALIA - Friuli-Venezia Giulia

Pagina 1 di 8 [ 106 messaggi ]

# A B C D E F G H I J K L M N O P Q R S T U V W X Y Z
 Argomenti   Autore   Risposte   Visite    Ultimo messaggio 
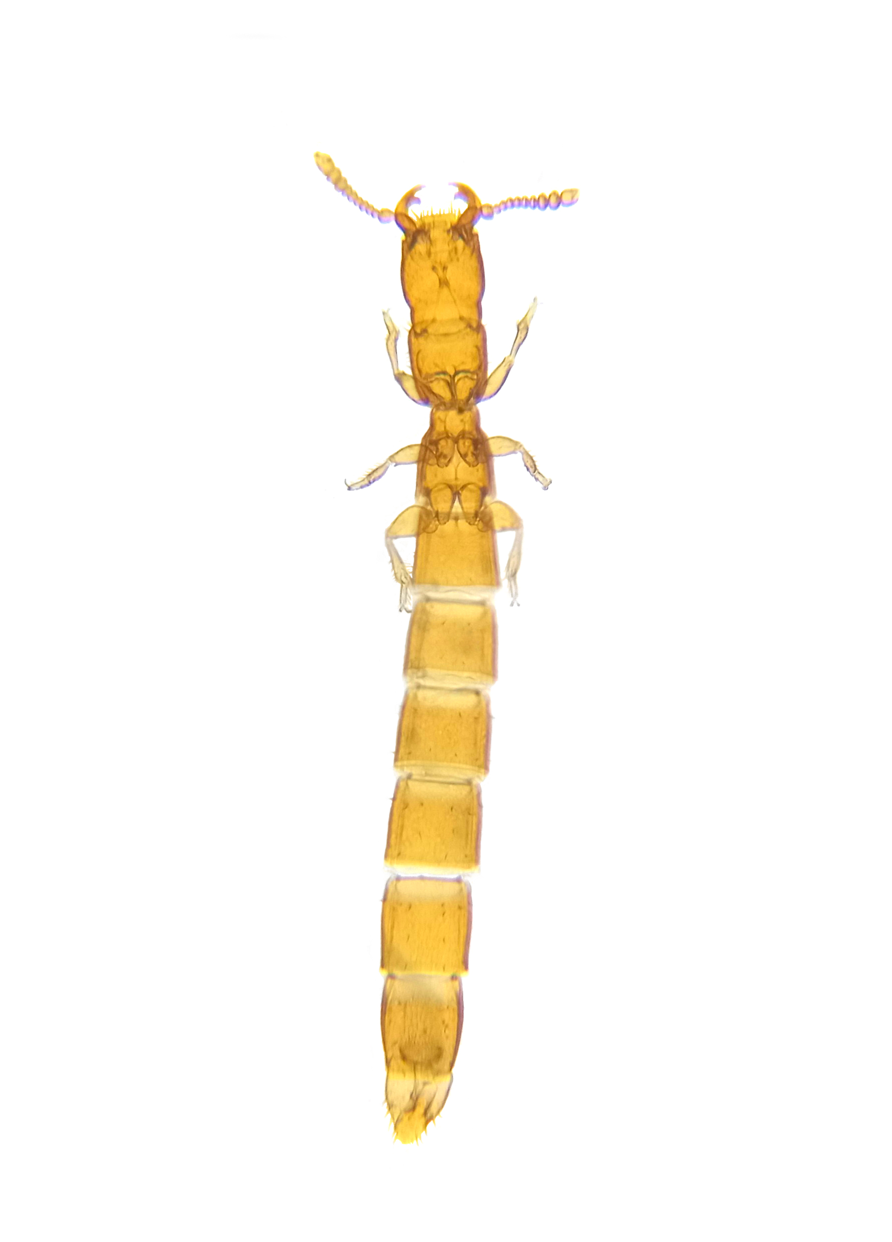
Abemus chloropterus (Creutzer, 1796) - Staphylinidae
12.V.2022 - ITALIA - Friuli-Venezia Giulia - GO, Gorizia - Mt. Calvario
Allegato(i)
Abemus chloropterus (Creutzer, 1796) - Staphylinidae

in Staphylinidae


Dati di raccolta: 12.V.2022 - ITALIA - Friuli-Venezia Giulia - GO, Gorizia - Mt. Calvario

Agdistis

6

1082

13/05/2022, 16:28

mascalzonepadano Vedi ultimo messaggio

Achenium sp. - Staphylinidae Paederinae Paederini Lathrobiina
29.VII.2011 - ITALIA - Friuli-Venezia Giulia - GO, Monfalcone Palude del Lisert
Allegato(i)
Achenium sp. - Staphylinidae Paederinae Paederini Lathrobiina

in Staphylinidae indeterminati


Dati di raccolta: 29.VII.2011 - ITALIA - Friuli-Venezia Giulia - GO, Monfalcone Palude del Lisert

Agdistis

5

1774

11/08/2011, 22:12

Liptaster Vedi ultimo messaggio

Aleochara curtula (Goeze, 1777) - Staphlinidae
IX.2023 - ITALIA - Friuli-Venezia Giulia - PN, Risorgive del Venchiaruzzo, Cordenons, PN
Allegato(i)
Aleochara curtula (Goeze, 1777) - Staphlinidae

in Staphylinidae


Dati di raccolta: IX.2023 - ITALIA - Friuli-Venezia Giulia - PN, Risorgive del Venchiaruzzo, Cordenons, PN

Gabriele

2

591

12/11/2023, 23:35

Gabriele Vedi ultimo messaggio

Amauronyx maerkeli (Aubé, 1844) - Staphylinidae Pselaphinae
23.X.2011 - ITALIA - Friuli-Venezia Giulia - GO, Farra d'Isonzo - leg. L. Morin
Allegato(i) Dettagli della specie
Amauronyx maerkeli (Aubé, 1844) - Staphylinidae Pselaphinae

in Staphylinidae Pselaphinae


Dati di raccolta: 23.X.2011 - ITALIA - Friuli-Venezia Giulia - GO, Farra d'Isonzo - leg. L. Morin

Loriscola

3

1655

10/11/2011, 19:16

Anillus Vedi ultimo messaggio

Allegato(i)
Anthobium (Anthobium) atrocephalum atrocephalum (Gyllenhal, 1827) - Staphylinidae Omaliinae Anthophagini

in Staphylinidae


Dati di raccolta: 23.I.2011 - ITALIA - Friuli-Venezia Giulia - GO, Mt. Calvario

Agdistis

4

841

19/06/2011, 11:33

Agdistis Vedi ultimo messaggio

Apheliotyphlus nobilis (Pace, 1976) - Staphylinidae Leptotyphlinae Neotyphlini
17.VIII.2022 - ITALIA - Friuli-Venezia Giulia - PN, Gerchia
Allegato(i)
Apheliotyphlus nobilis (Pace, 1976) - Staphylinidae Leptotyphlinae Neotyphlini

in Staphylinidae


Dati di raccolta: 17.VIII.2022 - ITALIA - Friuli-Venezia Giulia - PN, Gerchia

marco villa

7

1028

05/12/2023, 17:04

marco villa Vedi ultimo messaggio

Astrapaeus ulmi (Rossi, 1790) - Staphylinidae
18.V.2013 - ITALIA - Friuli-Venezia Giulia - GO, Ronchi dei Legionari
Allegato(i)
Astrapaeus ulmi (Rossi, 1790) - Staphylinidae

in Staphylinidae


Dati di raccolta: 18.V.2013 - ITALIA - Friuli-Venezia Giulia - GO, Ronchi dei Legionari

Agdistis

2

803

20/05/2013, 21:59

Agdistis Vedi ultimo messaggio

Batrisodes (Batrisodes) oculatus (Aubé, 1833) - Staphylinidae Pselaphinae
17.III.2011 - ITALIA - Friuli-Venezia Giulia - GO, San Pier d'Isonzo loc: S. Zanut
Allegato(i) Dettagli della specie
Batrisodes (Batrisodes) oculatus (Aubé, 1833) - Staphylinidae Pselaphinae

in Staphylinidae Pselaphinae


Dati di raccolta: 17.III.2011 - ITALIA - Friuli-Venezia Giulia - GO, San Pier d'Isonzo loc: S. Zanut

Agdistis

4

1385

22/03/2011, 23:47

Agdistis Vedi ultimo messaggio

Batrisodes (Batrisodes) oculatus (Aubé, 1833) - Staphylinidae Pselaphinae
23.X.2011 - ITALIA - Friuli-Venezia Giulia - GO, Farra d'Isonzo
Allegato(i) Dettagli della specie
Batrisodes (Batrisodes) oculatus (Aubé, 1833) - Staphylinidae Pselaphinae

in Staphylinidae Pselaphinae


Dati di raccolta: 23.X.2011 - ITALIA - Friuli-Venezia Giulia - GO, Farra d'Isonzo

Agdistis

3

1258

08/11/2011, 10:46

Loriscola Vedi ultimo messaggio

Batrisodes (Batrisodes) venustus (Reichenbach, 1816) - Staphylinidae Pselaphinae
7.V.2020 - ITALIA - Friuli-Venezia Giulia - GO, Mt. Calvario 120m
Allegato(i) Dettagli della specie
Batrisodes (Batrisodes) venustus (Reichenbach, 1816) - Staphylinidae Pselaphinae

in Staphylinidae Pselaphinae


Dati di raccolta: 7.V.2020 - ITALIA - Friuli-Venezia Giulia - GO, Mt. Calvario 120m

Agdistis

6

2448

11/03/2021, 20:02

Agdistis Vedi ultimo messaggio

Bibloplectus sp. - Staphylinidae Pselaphinae
25.II.2012 - ITALIA - Friuli-Venezia Giulia - GO, Ronchi dei Legionari - Laghetti delle Mucille
Allegato(i)
Bibloplectus sp. - Staphylinidae Pselaphinae

in Staphylinidae Pselaphinae


Dati di raccolta: 25.II.2012 - ITALIA - Friuli-Venezia Giulia - GO, Ronchi dei Legionari - Laghetti delle Mucille

Agdistis

3

1023

02/03/2012, 19:41

Agdistis Vedi ultimo messaggio

Bledius sp. - Staphylinidae
29.VII.2011 - ITALIA - Friuli-Venezia Giulia - GO, Monfalcone Palude del Lisert
Allegato(i)
Bledius sp. - Staphylinidae

in Staphylinidae indeterminati


Dati di raccolta: 29.VII.2011 - ITALIA - Friuli-Venezia Giulia - GO, Monfalcone Palude del Lisert

Agdistis

4

788

30/07/2011, 9:20

Agdistis Vedi ultimo messaggio

Bledius sp. - Staphylinidae
9.V.2020 - ITALIA - Friuli-Venezia Giulia - UD, gemona
Allegato(i)
Bledius sp. - Staphylinidae

in Staphylinidae indeterminati


Dati di raccolta: 9.V.2020 - ITALIA - Friuli-Venezia Giulia - UD, gemona

burn

6

1585

10/05/2020, 19:42

f.izzillo Vedi ultimo messaggio

Bledius sp. - Staphylinidae Oxytelinae
7.VIII.2023 - ITALIA - Friuli-Venezia Giulia - PN, Risorgive del Venchiaruzzo, Cordenons, PN
Allegato(i)
Bledius sp. - Staphylinidae Oxytelinae

in Staphylinidae indeterminati


Dati di raccolta: 7.VIII.2023 - ITALIA - Friuli-Venezia Giulia - PN, Risorgive del Venchiaruzzo, Cordenons, PN

Gabriele

2

521

01/12/2023, 20:19

Gabriele Vedi ultimo messaggio

Brachygluta (Brachygluta) abrupta Dodero, 1919 - Staphylinidae Pselaphinae
4.VI.2011 - ITALIA - Friuli-Venezia Giulia - GO, Lago Doberdò
Allegato(i) Dettagli della specie
Brachygluta (Brachygluta) abrupta Dodero, 1919 - Staphylinidae Pselaphinae

in Staphylinidae Pselaphinae


Dati di raccolta: 4.VI.2011 - ITALIA - Friuli-Venezia Giulia - GO, Lago Doberdò

Loriscola

1

902

16/03/2013, 14:51

Honza Vedi ultimo messaggio



Inserisci un link per questa ricerca

Inserisci un link per questa ricerca URL
BBCode
HTML
Vai a: