Benvenuto Ospite

Forum Entomologi Italiani

www.entomologiitaliani.net/forum
 
Oggi è 22/03/2026, 13:24

Tutti gli orari sono UTC + 1 ora [ ora legale ]

Filtro località

Filtro località

In questo pannello è possibile effettuare delle ricerche mirate in base alle località inserite nel forum.

Statistiche

Statistiche
In totale ci sono 90006 taxa:
- 86063 taxa con dati completi
- 2738 taxa con dati parziali, riconducibili ad un paese
- 1205 taxa con dati incompleti


escludi dalla ricerca i subforum
Distribuzione in Europa
Distribuzione in Italia
Filtro applicato: ITALIA - Piemonte

Pagina 1 di 5 [ 65 messaggi ]

# A B C D E F G H I J K L M N O P Q R S T U V W X Y Z
 Argomenti   Autore   Risposte   Visite    Ultimo messaggio 
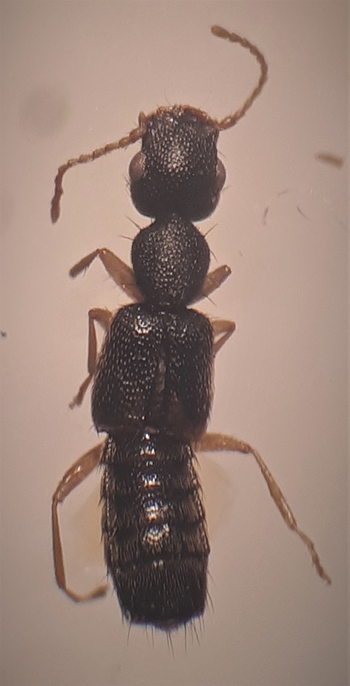
Aleochara (s.str.) curtula (Goeze, 1777) - Staphylinidae, Aleocharinae
10.IX.2012 - ITALIA - Piemonte - CN, Langhe, Pezzolo, Valle Uzzone, 321 m, E. Gallo leg.
Allegato(i)
Aleochara (s.str.) curtula (Goeze, 1777) - Staphylinidae, Aleocharinae

in Staphylinidae


Dati di raccolta: 10.IX.2012 - ITALIA - Piemonte - CN, Langhe, Pezzolo, Valle Uzzone, 321 m, E. Gallo leg.

Alessio89

2

1142

26/04/2016, 21:53

Alessio89 Vedi ultimo messaggio

Aloconota (Aloconota) insecta (Thomson e CG 1856) - Staphylinide Aleocharinae
10.VII.2020 - ITALIA - Piemonte - TO, Moncalieri - presso il torrente Chisola
Allegato(i)
Aloconota (Aloconota) insecta (Thomson e CG 1856) - Staphylinide Aleocharinae

in Staphylinidae


Dati di raccolta: 10.VII.2020 - ITALIA - Piemonte - TO, Moncalieri - presso il torrente Chisola

37formichine

5

731

25/11/2020, 16:30

37formichine Vedi ultimo messaggio

Anotylus mutator (Lohse, 1963) - Staphylinidae
15.VI.2020 - ITALIA - Piemonte - TO, Coazze - Borgata Botta (900 mt. ca.) - pitfall trap ai piedi di un castagno
Allegato(i)
Anotylus mutator (Lohse, 1963) - Staphylinidae

in Staphylinidae


Dati di raccolta: 15.VI.2020 - ITALIA - Piemonte - TO, Coazze - Borgata Botta (900 mt. ca.) - pitfall trap ai piedi di un castagno

37formichine

6

1416

01/07/2020, 15:51

37formichine Vedi ultimo messaggio

Astenus (Astenus) immaculatus Stephens, 1833 - Staphylinidae
30.IV.2019 - ITALIA - Piemonte - TO, Avigliana est
Allegato(i)
Astenus (Astenus) immaculatus Stephens, 1833 - Staphylinidae

in Staphylinidae


Dati di raccolta: 30.IV.2019 - ITALIA - Piemonte - TO, Avigliana est

DTVD

2

590

05/05/2019, 22:33

DTVD Vedi ultimo messaggio

Astenus (Astenus) immaculatus Stephens, 1833 - Staphylinidae
15.I.2021 - ITALIA - Piemonte - TO, Pressi di Torino - castello di Stupinigi
Allegato(i)
Astenus (Astenus) immaculatus Stephens, 1833 - Staphylinidae

in Staphylinidae


Dati di raccolta: 15.I.2021 - ITALIA - Piemonte - TO, Pressi di Torino - castello di Stupinigi

37formichine

3

731

31/01/2021, 10:21

37formichine Vedi ultimo messaggio

Atheta (Mocyta) fungi (Gravenhorst, 1806) cf. - Staphylinide
21.VII.2020 - ITALIA - Piemonte - TO, Coazze - Borgata Mattonera (1100 mt. ca.) - pit-fall trap (aceto)
Allegato(i)
Atheta (Mocyta) fungi (Gravenhorst, 1806) cf. - Staphylinide

in Staphylinidae


Dati di raccolta: 21.VII.2020 - ITALIA - Piemonte - TO, Coazze - Borgata Mattonera (1100 mt. ca.) - pit-fall trap (aceto)

37formichine

6

768

24/11/2020, 10:45

37formichine Vedi ultimo messaggio

Atrecus affinis (Paykull, 1789)
10.IX.2020 - ITALIA - Piemonte - TO, Pressi di Ronco Canavese (950 m. ca.) - vaglio di sottobosco misto
Allegato(i)
Atrecus affinis (Paykull, 1789)

in Staphylinidae


Dati di raccolta: 10.IX.2020 - ITALIA - Piemonte - TO, Pressi di Ronco Canavese (950 m. ca.) - vaglio di sottobosco misto

37formichine

1

640

22/06/2021, 22:26

37formichine Vedi ultimo messaggio

Atrecus affinis (Paykull, 1789) - Staphylinide
10.IX.2020 - ITALIA - Piemonte - TO, Pressi di Ronco Canavese (950 m. ca.) - vaglio di sottobosco misto
Allegato(i)
Atrecus affinis (Paykull, 1789) - Staphylinide

in Staphylinidae


Dati di raccolta: 10.IX.2020 - ITALIA - Piemonte - TO, Pressi di Ronco Canavese (950 m. ca.) - vaglio di sottobosco misto

37formichine

4

638

15/09/2020, 20:49

37formichine Vedi ultimo messaggio

Autalia longicornis Scheerpeltz, 1947 - Staphylinidae Aleocharinae Autaliini
23.III.2018 - ITALIA - Piemonte - TO, Parco naturale di Avigliana
Allegato(i)
Autalia longicornis Scheerpeltz, 1947 - Staphylinidae Aleocharinae Autaliini

in Staphylinidae


Dati di raccolta: 23.III.2018 - ITALIA - Piemonte - TO, Parco naturale di Avigliana

DTVD

4

1238

28/03/2018, 1:34

DTVD Vedi ultimo messaggio

Bledius sp. - Staphylinidae
10.VII.2020 - ITALIA - Piemonte - TO, Moncalieri - presso il torrente Chisola
Allegato(i)
Bledius sp. - Staphylinidae

in Staphylinidae indeterminati


Dati di raccolta: 10.VII.2020 - ITALIA - Piemonte - TO, Moncalieri - presso il torrente Chisola

37formichine

2

541

12/11/2020, 19:01

37formichine Vedi ultimo messaggio

Allegato(i)
Blepharhymenus (Blepharrymorphus) mirandus Fauvel, 1899 - Staphylinidae Aleocharinae Oxypodini Blepharhymenina

in Staphylinidae


Dati di raccolta: 1.X.2003 - ITALIA - Piemonte - CN, Sotterranei Forte Vernante

hypotyphlus

9

1860

18/06/2011, 15:06

Honza Vedi ultimo messaggio

Bolitobius castaneus (Stephens, 1832) - Staphylinidae
13.III.2020 - ITALIA - Piemonte - AT, Vaglio Serra
Allegato(i)
Bolitobius castaneus (Stephens, 1832) - Staphylinidae

in Staphylinidae


Dati di raccolta: 13.III.2020 - ITALIA - Piemonte - AT, Vaglio Serra

edolis

5

2538

15/03/2020, 12:22

Honza Vedi ultimo messaggio

Bolitochara obliqua Erichson, 1837 - Staphylinidae
29.XI.2020 - ITALIA - Piemonte - TO, Pressi di Torino - Boschi castello di Stupinigi
Allegato(i)
Bolitochara obliqua Erichson, 1837 - Staphylinidae

in Staphylinidae


Dati di raccolta: 29.XI.2020 - ITALIA - Piemonte - TO, Pressi di Torino - Boschi castello di Stupinigi

37formichine

2

511

05/12/2020, 22:24

37formichine Vedi ultimo messaggio

Bryaxis collaris (Baudi, 1859) - Staphylinidae Pselaphinae
22.VII.2003 - ITALIA - Piemonte - TO, Soano Ronco Can. (mt. 960) leg. Angelini
Allegato(i) Dettagli della specie
Bryaxis collaris (Baudi, 1859) - Staphylinidae Pselaphinae

in Staphylinidae Pselaphinae


Dati di raccolta: 22.VII.2003 - ITALIA - Piemonte - TO, Soano Ronco Can. (mt. 960) leg. Angelini

Loriscola

0

819

11/02/2012, 17:56

Loriscola Vedi ultimo messaggio

Bryaxis sp. (cf-) - Staphylinidae Pselaphinae
10.XI.2015 - ITALIA - Piemonte - TO, Avigliana, 350 m
Allegato(i)
Bryaxis sp. (cf-) - Staphylinidae Pselaphinae

in Staphylinidae Pselaphinae


Dati di raccolta: 10.XI.2015 - ITALIA - Piemonte - TO, Avigliana, 350 m

Chalybion

2

662

08/01/2025, 21:32

Chalybion Vedi ultimo messaggio



Inserisci un link per questa ricerca

Inserisci un link per questa ricerca URL
BBCode
HTML
Vai a: