Benvenuto Ospite

Forum Entomologi Italiani

www.entomologiitaliani.net/forum
 
Oggi è 22/03/2026, 22:55

Tutti gli orari sono UTC + 1 ora [ ora legale ]

Filtro località

Filtro località

In questo pannello è possibile effettuare delle ricerche mirate in base alle località inserite nel forum.

Statistiche

Statistiche
In totale ci sono 90008 taxa:
- 86065 taxa con dati completi
- 2738 taxa con dati parziali, riconducibili ad un paese
- 1205 taxa con dati incompleti


escludi dalla ricerca i subforum
Distribuzione in Europa
Distribuzione in Italia
Filtro applicato: ITALIA - Umbria

Pagina 1 di 2 [ 20 messaggi ]

# A B C D E F G H I J K L M N O P Q R S T U V W X Y Z
 Argomenti   Autore   Risposte   Visite    Ultimo messaggio 
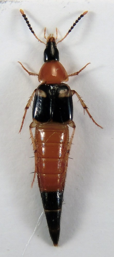
Bryaxis pedator (Reitter, 1881) - Staphylinidae Pselaphinae
17.III.2013 - ITALIA - Umbria - PG, Scheggia e Pascelupo
Allegato(i) Dettagli della specie
Bryaxis pedator (Reitter, 1881) - Staphylinidae Pselaphinae

in Staphylinidae Pselaphinae


Dati di raccolta: 17.III.2013 - ITALIA - Umbria - PG, Scheggia e Pascelupo

Maura

2

1142

15/04/2013, 14:46

Maura Vedi ultimo messaggio

Bryaxis pedator (Reitter, 1881) - Staphylinidae Pselaphinae
18.X.2014 - ITALIA - Umbria - TR, Castelgiorgio
Allegato(i) Dettagli della specie
Bryaxis pedator (Reitter, 1881) - Staphylinidae Pselaphinae

in Staphylinidae Pselaphinae


Dati di raccolta: 18.X.2014 - ITALIA - Umbria - TR, Castelgiorgio

FORBIX

1

1323

24/10/2014, 21:12

FORBIX Vedi ultimo messaggio

Bryaxis sp. - Staphylinidae Pselaphinae
17.III.2013 - ITALIA - Umbria - PG, Scheggia e Pascelupo
Allegato(i)
Bryaxis sp. - Staphylinidae Pselaphinae

in Staphylinidae Pselaphinae


Dati di raccolta: 17.III.2013 - ITALIA - Umbria - PG, Scheggia e Pascelupo

Maura

1

816

02/04/2013, 21:00

Julodis Vedi ultimo messaggio

Deleaster dichrous (Gravenhorst, 1802) - Staphylinidae Oxytelinae
19.V.2013 - ITALIA - Umbria - PG, Monte Cucco (Sigillo)
Allegato(i)
Deleaster dichrous (Gravenhorst, 1802) - Staphylinidae Oxytelinae

in Staphylinidae


Dati di raccolta: 19.V.2013 - ITALIA - Umbria - PG, Monte Cucco (Sigillo)

StagBeetle

2

878

19/05/2013, 21:52

StagBeetle Vedi ultimo messaggio

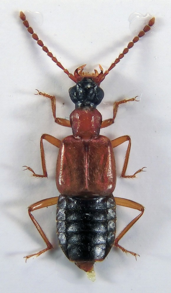
Dinothenarus (Dinothenarus) flavocephalus (Goeze, 1777) - Staphylinidae
25.III.2012 - ITALIA - Umbria - PG, Scheggia e Pascelupo - Loc. Coldipeccio
Allegato(i)
Dinothenarus (Dinothenarus) flavocephalus (Goeze, 1777) - Staphylinidae

in Staphylinidae


Dati di raccolta: 25.III.2012 - ITALIA - Umbria - PG, Scheggia e Pascelupo - Loc. Coldipeccio

Maura

14

1526

18/04/2012, 14:50

mascalzonepadano Vedi ultimo messaggio

Gauropterus fulgidus (Fabricius, 1787) - Staphylinidae Xantholinini
IV.1993 - ITALIA - Umbria - PG, Massiano
Allegato(i)
Gauropterus fulgidus (Fabricius, 1787) - Staphylinidae Xantholinini

in Staphylinidae


Dati di raccolta: IV.1993 - ITALIA - Umbria - PG, Massiano

marco paglialunga

1

584

22/01/2010, 22:06

pierone950 Vedi ultimo messaggio

Lordithon (Bolitobus) lunulatus (Linnaeus, 1760) - Staphylinidae
19.V.2013 - ITALIA - Umbria - PG, Monte Cucco (Sigillo)
Allegato(i)
Lordithon (Bolitobus) lunulatus (Linnaeus, 1760) - Staphylinidae

in Staphylinidae


Dati di raccolta: 19.V.2013 - ITALIA - Umbria - PG, Monte Cucco (Sigillo)

StagBeetle

8

1228

10/11/2013, 18:37

Honza Vedi ultimo messaggio

Ocypus (Matidus) nitens (Schrank 1781) - Staphylinidae
V.1995 - ITALIA - Umbria - PG, Massiano
Allegato(i)
Ocypus (Matidus) nitens (Schrank 1781) - Staphylinidae

in Staphylinidae


Dati di raccolta: V.1995 - ITALIA - Umbria - PG, Massiano

marco paglialunga

1

530

04/01/2011, 16:37

mascalzonepadano Vedi ultimo messaggio

Ocypus italicus (Aragona, 1830) - Staphylinidae
12.V.2012 - ITALIA - Umbria - PG, Scheggia e Pascelupo - Loc. Ca' Tiego
Allegato(i)
Ocypus italicus (Aragona, 1830) - Staphylinidae

in Staphylinidae


Dati di raccolta: 12.V.2012 - ITALIA - Umbria - PG, Scheggia e Pascelupo - Loc. Ca' Tiego

Maura

4

875

15/05/2012, 16:20

Maura Vedi ultimo messaggio

Ocypus Olens (O. Muller 1764) - Staphylinidae
15.V.2011 - ITALIA - Umbria - PG, Magione circa 560 m slm
Allegato(i)
Ocypus Olens (O. Muller 1764) - Staphylinidae

in Staphylinidae


Dati di raccolta: 15.V.2011 - ITALIA - Umbria - PG, Magione circa 560 m slm

ilio

2

902

03/09/2011, 12:30

ilio Vedi ultimo messaggio

Ontholestes murinus (Linnaeus, 1758) - Staphylinidae
25.IV.2012 - ITALIA - Umbria - PG, Scheggia e Pascelupo - Loc. Il Marchigiano
Allegato(i)
Ontholestes murinus (Linnaeus, 1758) - Staphylinidae

in Staphylinidae


Dati di raccolta: 25.IV.2012 - ITALIA - Umbria - PG, Scheggia e Pascelupo - Loc. Il Marchigiano

Maura

3

629

26/04/2012, 10:35

Maura Vedi ultimo messaggio

Paederidus rubrothoracicus (Goeze, 1777) - Staphylinidae Paederinae Paederini Paederina
15.X.2011 - ITALIA - Umbria - TR, Orvieto Scalo (TR) - Sublapidicolo - Sponde del Fiume Paglia
Allegato(i)
Paederidus rubrothoracicus (Goeze, 1777) - Staphylinidae Paederinae Paederini Paederina

in Staphylinidae


Dati di raccolta: 15.X.2011 - ITALIA - Umbria - TR, Orvieto Scalo (TR) - Sublapidicolo - Sponde del Fiume Paglia

FORBIX

6

1134

10/05/2012, 10:16

Daniele Sechi Vedi ultimo messaggio

Paederus sp- - Staphylinidae
9.VI.2011 - ITALIA - Umbria - PG, Scheggia e Pascelupo - Loc. Il Marchigiano
Allegato(i)
Paederus sp- - Staphylinidae

in Staphylinidae indeterminati


Dati di raccolta: 9.VI.2011 - ITALIA - Umbria - PG, Scheggia e Pascelupo - Loc. Il Marchigiano

Maura

5

923

12/04/2012, 7:53

Julodis Vedi ultimo messaggio

Philonthus (Philonthus) cf. cognatus (Stephens, 1832) - Staphylinidae Staphylininae Philonthini Philonthina
13.III.2011 - ITALIA - Umbria - PG, Magione N 43°11'51,6'' E 12°13'16,19''
Allegato(i)
Philonthus (Philonthus) cf. cognatus (Stephens, 1832) - Staphylinidae Staphylininae Philonthini Philonthina

in Staphylinidae


Dati di raccolta: 13.III.2011 - ITALIA - Umbria - PG, Magione N 43°11'51,6'' E 12°13'16,19''

ilio

2

633

17/03/2011, 14:02

ilio Vedi ultimo messaggio

Quedius sp. - Staphylinidae
X.1995 - ITALIA - Umbria - PG, Isola Polvese, Lago Trasimeno
Allegato(i)
Quedius sp. - Staphylinidae

in Staphylinidae indeterminati


Dati di raccolta: X.1995 - ITALIA - Umbria - PG, Isola Polvese, Lago Trasimeno

marco paglialunga

4

805

06/03/2010, 23:56

Liptaster Vedi ultimo messaggio



Inserisci un link per questa ricerca

Inserisci un link per questa ricerca URL
BBCode
HTML
Vai a: