Benvenuto Ospite

Forum Entomologi Italiani

www.entomologiitaliani.net/forum
 
Oggi è 04/02/2026, 14:48

Tutti gli orari sono UTC + 1 ora [ ora legale ]

Filtro località

Filtro località

In questo pannello è possibile effettuare delle ricerche mirate in base alle località inserite nel forum.

Statistiche

Statistiche
In totale ci sono 89861 taxa:
- 85919 taxa con dati completi
- 2737 taxa con dati parziali, riconducibili ad un paese
- 1205 taxa con dati incompleti


escludi dalla ricerca i subforum
Distribuzione in Europa
Distribuzione in Italia
Filtro applicato: MAROCCO

Pagina 1 di 1 [ 7 messaggi ]

# A B C D E F G H I J K L M N O P Q R S T U V W X Y Z
 Argomenti   Autore   Risposte   Visite    Ultimo messaggio 
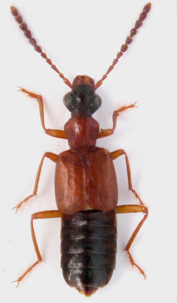
Deleaster dichrous Gravenhorst, 1802 - Staphylinidae
28.VI.2019 - MAROCCO - EE, Fès-Meknès, 10 km a S-E da Aïn Leuh, R. Rattu leg.
Allegato(i)
Deleaster dichrous Gravenhorst, 1802 - Staphylinidae

in Staphylinidae


Dati di raccolta: 28.VI.2019 - MAROCCO - EE, Fès-Meknès, 10 km a S-E da Aïn Leuh, R. Rattu leg.

Fumea crassiorella

2

809

05/08/2019, 22:01

Fumea crassiorella Vedi ultimo messaggio

Ocypus (Ocypus) ophtalmicus (Scopoli, 1763) (cf.) - Staphylinidae
V.2010 - MAROCCO - EE, Marrakech prov., M. Oukaimeden, 2.080 - 2.400 m
Allegato(i)
Ocypus (Ocypus) ophtalmicus (Scopoli, 1763) (cf.) - Staphylinidae

in Staphylinidae


Dati di raccolta: V.2010 - MAROCCO - EE, Marrakech prov., M. Oukaimeden, 2.080 - 2.400 m

Valerio

2

494

19/11/2012, 20:07

Valerio Vedi ultimo messaggio

Ocypus (Ocypus) ophthalmicus atrocyaneus Fairmaire, 1860 - Staphylinidae
21.VI.2023 - MAROCCO - EE, Medio Atlante centrale, Azrou 5 km a S-E di Azrou, R. Rattu leg.
Allegato(i)
Ocypus (Ocypus) ophthalmicus atrocyaneus Fairmaire, 1860 - Staphylinidae

in Staphylinidae


Dati di raccolta: 21.VI.2023 - MAROCCO - EE, Medio Atlante centrale, Azrou 5 km a S-E di Azrou, R. Rattu leg.

Fumea crassiorella

5

804

03/08/2023, 14:43

mascalzonepadano Vedi ultimo messaggio

Ocypus (Pseudocypus ) sp. - Staphylinidae
11.V.2010 - MAROCCO - EE, Marrakech prov., M. Oukaimeden, 2.200 m
Allegato(i)
Ocypus (Pseudocypus ) sp. - Staphylinidae

in Staphylinidae


Dati di raccolta: 11.V.2010 - MAROCCO - EE, Marrakech prov., M. Oukaimeden, 2.200 m

Valerio

5

540

26/11/2012, 21:07

Valerio Vedi ultimo messaggio

Paederidus sp. - Staphylinidae
20.V.2017 - MAROCCO - EE, MEKNES-TAFILALT – Pressi Col du Zad, R. Rattu leg.
Allegato(i)
Paederidus sp. - Staphylinidae

in Staphylinidae indeterminati


Dati di raccolta: 20.V.2017 - MAROCCO - EE, MEKNES-TAFILALT – Pressi Col du Zad, R. Rattu leg.

Fumea crassiorella

0

741

11/09/2017, 13:43

Fumea crassiorella Vedi ultimo messaggio

Stenus (Hemistenus) cordatus Gravenhorst, 1802 - Staphylinidae Steninae
11.V.2017 - MAROCCO - EE, MEKNES-TAFILALT – Route touristique des Cedres – 10.2 Km a 65° da Aïn Leuh, R. Rattu leg.
Allegato(i)
Stenus (Hemistenus) cordatus Gravenhorst, 1802 - Staphylinidae Steninae

in Staphylinidae


Dati di raccolta: 11.V.2017 - MAROCCO - EE, MEKNES-TAFILALT – Route touristique des Cedres – 10.2 Km a 65° da Aïn Leuh, R. Rattu leg.

Fumea crassiorella

3

903

25/12/2017, 14:04

Fumea crassiorella Vedi ultimo messaggio

Tachyporus hypnorum Fabricius, 1775 - Staphylinidae
11.V.2010 - MAROCCO - EE, Marrakech prov., M. Oukaimeden, 2.080 m
Allegato(i)
Tachyporus hypnorum Fabricius, 1775 - Staphylinidae

in Staphylinidae


Dati di raccolta: 11.V.2010 - MAROCCO - EE, Marrakech prov., M. Oukaimeden, 2.080 m

Valerio

4

639

13/11/2016, 21:27

Valerio Vedi ultimo messaggio


Inserisci un link per questa ricerca

Inserisci un link per questa ricerca URL
BBCode
HTML
Vai a:  
cron