Benvenuto Ospite

Forum Entomologi Italiani

www.entomologiitaliani.net/forum
 
Oggi è 18/11/2025, 7:34

Tutti gli orari sono UTC + 1 ora [ ora legale ]

Filtro località

Filtro località

In questo pannello è possibile effettuare delle ricerche mirate in base alle località inserite nel forum.

Statistiche

Statistiche
In totale ci sono 89631 taxa:
- 85721 taxa con dati completi
- 2730 taxa con dati parziali, riconducibili ad un paese
- 1180 taxa con dati incompleti


escludi dalla ricerca i subforum
Distribuzione in Europa
Distribuzione in Italia
Filtro applicato: FEDERAZIONE RUSSA

Pagina 1 di 1 [ 4 messaggi ]

# A B C D E F G H I J K L M N O P Q R S T U V W X Y Z
 Argomenti   Autore   Risposte   Visite    Ultimo messaggio 
Afropselaphus pentagonus (Saulcy, 1878) - Staphylinidae Pselaphinae
VI.1969 - FEDERAZIONE RUSSA - EE, Agrba env. Rous R. lgt.
Allegato(i)
Afropselaphus pentagonus (Saulcy, 1878) - Staphylinidae Pselaphinae

in Staphylinidae Pselaphinae


Dati di raccolta: VI.1969 - FEDERAZIONE RUSSA - EE, Agrba env. Rous R. lgt.

Honza

6

2315

08/05/2017, 18:10

Honza Vedi ultimo messaggio

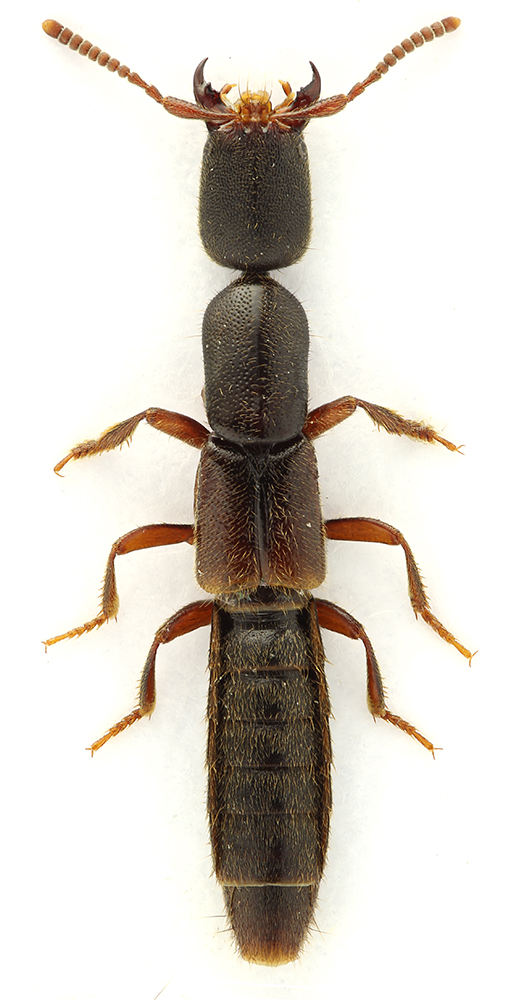
Hadropinus fossor Sharp, 1889 - Staphylinidae
18.VII.2009 - FEDERAZIONE RUSSA - EE, Far Est Russia,Kurilian Islands - Kunashir Is.
Allegato(i)
Hadropinus fossor Sharp, 1889 - Staphylinidae

in Staphylinidae


Dati di raccolta: 18.VII.2009 - FEDERAZIONE RUSSA - EE, Far Est Russia,Kurilian Islands - Kunashir Is.

Honza

2

471

07/01/2011, 7:19

Honza Vedi ultimo messaggio

Seracamaurops komarovi Hlavac, Kod. et Kov. 1999 - Staphylinidae Pselaphinae
2.IX.2009 - FEDERAZIONE RUSSA - EE, NW Caucaso - Sochi; Mt. Alek - Baribana Cave
Allegato(i)
Seracamaurops komarovi Hlavac, Kod. et Kov. 1999 - Staphylinidae Pselaphinae

in Staphylinidae Pselaphinae


Dati di raccolta: 2.IX.2009 - FEDERAZIONE RUSSA - EE, NW Caucaso - Sochi; Mt. Alek - Baribana Cave

Loriscola

8

1282

16/04/2014, 8:51

Loriscola Vedi ultimo messaggio

Staphylinidae sp.
1.V.2013 - FEDERAZIONE RUSSA - EE, Saratov prov.
Allegato(i)
Staphylinidae sp.

in Staphylinidae indeterminati


Dati di raccolta: 1.V.2013 - FEDERAZIONE RUSSA - EE, Saratov prov.

Mantispid

2

668

10/10/2014, 19:11

Mantispid Vedi ultimo messaggio


Inserisci un link per questa ricerca

Inserisci un link per questa ricerca URL
BBCode
HTML
Vai a:  
cron