Benvenuto Ospite

Forum Entomologi Italiani

www.entomologiitaliani.net/forum
 
Oggi è 17/04/2026, 4:44

Tutti gli orari sono UTC + 1 ora [ ora legale ]

Filtro località

Filtro località

In questo pannello è possibile effettuare delle ricerche mirate in base alle località inserite nel forum.

Statistiche

Statistiche
In totale ci sono 90083 taxa:
- 86138 taxa con dati completi
- 2740 taxa con dati parziali, riconducibili ad un paese
- 1205 taxa con dati incompleti


escludi dalla ricerca i subforum
Distribuzione in Europa
Distribuzione in Italia
Filtro applicato: ITALIA - Sardegna

Pagina 1 di 2 [ 23 messaggi ]

# A B C D E F G H I J K L M N O P Q R S T U V W X Y Z
 Argomenti   Autore   Risposte   Visite    Ultimo messaggio 
Cleridae larva nel vassoio arnia
9.I.2011 - ITALIA - Sardegna - CA, loc. Mela Murgia Quartucciu
Allegato(i)
Cleridae larva nel vassoio arnia

in Cleridae


Dati di raccolta: 9.I.2011 - ITALIA - Sardegna - CA, loc. Mela Murgia Quartucciu

PierFrancescoMurgia

2

1095

12/01/2011, 15:33

PierFrancescoMurgia Vedi ultimo messaggio

Clerus mutillarius mutillarius Fabricius, 1775 - Cleridae
4.VI.2011 - ITALIA - Sardegna - NU, Ollolai (periferia del paese), leg. R. Rattu
Allegato(i) Dettagli della specie
Clerus mutillarius mutillarius Fabricius, 1775 - Cleridae

in Cleridae


Dati di raccolta: 4.VI.2011 - ITALIA - Sardegna - NU, Ollolai (periferia del paese), leg. R. Rattu

Fumea crassiorella

2

1599

22/09/2011, 15:43

Enoplium Vedi ultimo messaggio

Allegato(i) Dettagli della specie
Clerus mutillarius mutillarius Fabricius, 1775 - Cleridae

in Cleridae


Dati di raccolta: 10.VII.2008 - ITALIA - Sardegna

Daniele Sechi

4

1193

20/12/2020, 20:59

Daniele Sechi Vedi ultimo messaggio

Denops albofasciatus (Charpentier, 1825) - Cleridae
27.IX.2011 - ITALIA - Sardegna - CA, San Gregorio (Sinnai), leg. R. Rattu
Allegato(i) Dettagli della specie
Denops albofasciatus (Charpentier, 1825) - Cleridae

in Cleridae


Dati di raccolta: 27.IX.2011 - ITALIA - Sardegna - CA, San Gregorio (Sinnai), leg. R. Rattu

Fumea crassiorella

0

1045

28/09/2011, 21:23

Fumea crassiorella Vedi ultimo messaggio

Denops albofasciatus (Charpentier, 1825) - Cleridae
27.IX.2011 - ITALIA - Sardegna - CA, San Gregorio (Sinnai), leg. R. Rattu
Allegato(i) Dettagli della specie
Denops albofasciatus (Charpentier, 1825) - Cleridae

in Cleridae


Dati di raccolta: 27.IX.2011 - ITALIA - Sardegna - CA, San Gregorio (Sinnai), leg. R. Rattu

Fumea crassiorella

11

2450

11/01/2012, 0:02

Fumea crassiorella Vedi ultimo messaggio

Denops albofasciatus (Charpentier, 1825) - Cleridae
9.IX.2012 - ITALIA - Sardegna - CA, San Gregorio (Sìnnai), leg. R. Rattu
Allegato(i) Dettagli della specie
Denops albofasciatus (Charpentier, 1825) - Cleridae

in Cleridae


Dati di raccolta: 9.IX.2012 - ITALIA - Sardegna - CA, San Gregorio (Sìnnai), leg. R. Rattu

Fumea crassiorella

8

2141

10/09/2012, 14:14

Fumea crassiorella Vedi ultimo messaggio

Necrobia ruficollis (Fabricius, 1775) - Cleridae
17.XI.2013 - ITALIA - Sardegna - SS, Olmedo, Pulpazos
Allegato(i) Dettagli della specie
Necrobia ruficollis (Fabricius, 1775) - Cleridae

in Cleridae


Dati di raccolta: 17.XI.2013 - ITALIA - Sardegna - SS, Olmedo, Pulpazos

Hemerobius

12

3153

25/05/2014, 19:30

Hemerobius Vedi ultimo messaggio

Necrobia rufipes (DeGeer, 1775) - Cleridae
14.VIII.2009 - ITALIA - Sardegna - NU, Alghero
Allegato(i) Dettagli della specie
Necrobia rufipes (DeGeer, 1775) - Cleridae

in Cleridae


Dati di raccolta: 14.VIII.2009 - ITALIA - Sardegna - NU, Alghero

Hemerobius

1

1242

18/08/2009, 21:02

StagBeetle Vedi ultimo messaggio

Necrobia violacea (Linnaeus, 1758) - Cleridae
29.III.1993 - ITALIA - Sardegna - SS, Sorso
Allegato(i) Dettagli della specie
Necrobia violacea (Linnaeus, 1758) - Cleridae

in Cleridae


Dati di raccolta: 29.III.1993 - ITALIA - Sardegna - SS, Sorso

Hemerobius

3

1645

16/12/2009, 13:08

Enoplium Vedi ultimo messaggio

Opilo domesticus (Sturm, 1837) - Cleridae
10.IX.2010 - ITALIA - Sardegna - CA, Domus de Maria, P.ta Su Pisu 30mt
Allegato(i) Dettagli della specie
Opilo domesticus (Sturm, 1837) - Cleridae

in Cleridae


Dati di raccolta: 10.IX.2010 - ITALIA - Sardegna - CA, Domus de Maria, P.ta Su Pisu 30mt

ruzzpa

6

1997

11/09/2010, 19:42

eurinomio Vedi ultimo messaggio

Opilo domesticus (Sturm, 1837) - Cleridae
23.VI.2011 - ITALIA - Sardegna - CA, Capo S. Elia (Cagliari)
Allegato(i) Dettagli della specie
Opilo domesticus (Sturm, 1837) - Cleridae

in Cleridae


Dati di raccolta: 23.VI.2011 - ITALIA - Sardegna - CA, Capo S. Elia (Cagliari)

Fumea crassiorella

2

1632

25/06/2011, 23:09

Fumea crassiorella Vedi ultimo messaggio

Opilo orocastaneus Zappi & Pantaleoni, 2010 - Cleridae
1.I.2007 - ITALIA - Sardegna - NU, Fonni
Allegato(i) Dettagli della specie
Opilo orocastaneus Zappi & Pantaleoni, 2010 - Cleridae

[ Vai alla pagina: 1, 2 ]

in Cleridae


Dati di raccolta: 1.I.2007 - ITALIA - Sardegna - NU, Fonni

Hemerobius

23

5928

29/11/2010, 23:19

aug Vedi ultimo messaggio

Opilo orocastaneus Zappi & Pantaleoni, 2010 - Cleridae
VI.1910 - ITALIA - Sardegna - NU, Aritzo
Allegato(i) Dettagli della specie
Opilo orocastaneus Zappi & Pantaleoni, 2010 - Cleridae

[ Vai alla pagina: 1, 2 ]

in Cleridae


Dati di raccolta: VI.1910 - ITALIA - Sardegna - NU, Aritzo

Enoplium

28

7804

02/12/2010, 12:21

marco paglialunga Vedi ultimo messaggio

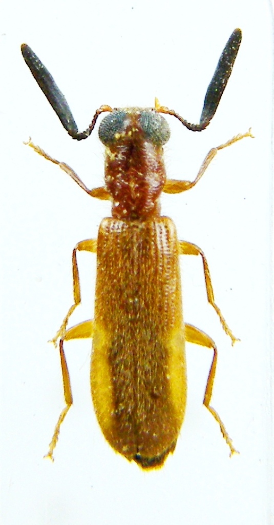
Teloclerus compressicornis (Klug, 1842) - Cleridae
20.VII.1997 - ITALIA - Sardegna - CA, Geremeas
Allegato(i) Dettagli della specie
Teloclerus compressicornis (Klug, 1842) - Cleridae

in Cleridae


Dati di raccolta: 20.VII.1997 - ITALIA - Sardegna - CA, Geremeas

f.izzillo

0

1384

17/02/2010, 9:22

f.izzillo Vedi ultimo messaggio

Teloclerus compressicornis (Klug, 1842) - Cleridae
23.VI.2012 - ITALIA - Sardegna - CA, Domus de Maria – P.ta su Pisu – m 30 - G.Ruzzante leg.
Allegato(i) Dettagli della specie
Teloclerus compressicornis (Klug, 1842) - Cleridae

in Cleridae


Dati di raccolta: 23.VI.2012 - ITALIA - Sardegna - CA, Domus de Maria – P.ta su Pisu – m 30 - G.Ruzzante leg.

ruzzpa

6

2497

24/06/2012, 11:34

f.izzillo Vedi ultimo messaggio



Inserisci un link per questa ricerca

Inserisci un link per questa ricerca URL
BBCode
HTML
Vai a: