Benvenuto Ospite

Forum Entomologi Italiani

www.entomologiitaliani.net/forum
 
Oggi è 18/04/2026, 8:38

Tutti gli orari sono UTC + 1 ora [ ora legale ]

Filtro località

Filtro località

In questo pannello è possibile effettuare delle ricerche mirate in base alle località inserite nel forum.

Statistiche

Statistiche
In totale ci sono 90084 taxa:
- 86139 taxa con dati completi
- 2740 taxa con dati parziali, riconducibili ad un paese
- 1205 taxa con dati incompleti


escludi dalla ricerca i subforum
Distribuzione in Europa
Distribuzione in Italia
Filtro applicato: ITALIA - Toscana

Pagina 1 di 2 [ 30 messaggi ]

# A B C D E F G H I J K L M N O P Q R S T U V W X Y Z
 Argomenti   Autore   Risposte   Visite    Ultimo messaggio 
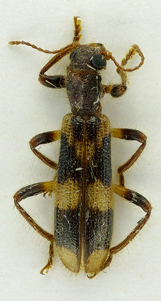
Cleridae - larva
ITALIA - Toscana - SI, Asciano
Allegato(i)
Cleridae - larva

in Cleridae


Dati di raccolta: ITALIA - Toscana - SI, Asciano

Anillus

5

1768

28/06/2010, 23:57

Anillus Vedi ultimo messaggio

Clerus mutillarius Fabricius, 1775 - Cleridae
VI.2021 - ITALIA - Toscana - AR, Castelfranco-Piandiscò
Allegato(i)
Clerus mutillarius Fabricius, 1775 - Cleridae

in Cleridae


Dati di raccolta: VI.2021 - ITALIA - Toscana - AR, Castelfranco-Piandiscò

giovanni alamanni

2

1015

06/12/2021, 16:44

giovanni alamanni Vedi ultimo messaggio

Denops albofasciatus (Charpentier, 1825) - Cleridae
1.I.2012 - ITALIA - Toscana - LI, Portoferraio (LI) - Loc. Enfola - In ramo secco di Pistacia lentiscus
Allegato(i) Dettagli della specie
Denops albofasciatus (Charpentier, 1825) - Cleridae

in Cleridae


Dati di raccolta: 1.I.2012 - ITALIA - Toscana - LI, Portoferraio (LI) - Loc. Enfola - In ramo secco di Pistacia lentiscus

FORBIX

5

1725

13/01/2012, 10:29

Julodis Vedi ultimo messaggio

Denops albofasciatus (Charpentier, 1825) - Cleridae
20.IV.2012 - ITALIA - Toscana - PI, Boschi di Lari, Lari
Allegato(i) Dettagli della specie
Denops albofasciatus (Charpentier, 1825) - Cleridae

in Cleridae


Dati di raccolta: 20.IV.2012 - ITALIA - Toscana - PI, Boschi di Lari, Lari

Stefano79

2

1259

04/05/2012, 21:44

krep Vedi ultimo messaggio

Denops albofasciatus (Charpentier, 1825) - Cleridae
25.V.2019 - ITALIA - Toscana - FI, Firenze Castello - Villa Reale
Allegato(i) Dettagli della specie
Denops albofasciatus (Charpentier, 1825) - Cleridae

[ Vai alla pagina: 1, 2 ]

in Cleridae


Dati di raccolta: 25.V.2019 - ITALIA - Toscana - FI, Firenze Castello - Villa Reale

Arfem

20

5034

03/06/2019, 15:46

f.izzillo Vedi ultimo messaggio

Korynetes pusillus (Klug, 1842) - Cleridae
29.VIII.2012 - ITALIA - Toscana - LI, Marciana (LI) - M.te Capanne 700m
Allegato(i) Dettagli della specie
Korynetes pusillus (Klug, 1842) - Cleridae

in Cleridae


Dati di raccolta: 29.VIII.2012 - ITALIA - Toscana - LI, Marciana (LI) - M.te Capanne 700m

FORBIX

3

1323

13/09/2012, 10:03

aug Vedi ultimo messaggio

Necrobia ruficollis (Fabricius, 1775) - Cleridae
VII.2018 - ITALIA - Toscana - PI, Casale Marittimo
Allegato(i) Dettagli della specie
Necrobia ruficollis (Fabricius, 1775) - Cleridae

in Cleridae


Dati di raccolta: VII.2018 - ITALIA - Toscana - PI, Casale Marittimo

Stefano79

3

1499

28/08/2018, 12:40

Stefano79 Vedi ultimo messaggio

Necrobia rufipes (DeGeer, 1775) - Cleridae
30.VIII.2012 - ITALIA - Toscana - LU, Viareggio
Allegato(i) Dettagli della specie
Necrobia rufipes (DeGeer, 1775) - Cleridae

in Cleridae


Dati di raccolta: 30.VIII.2012 - ITALIA - Toscana - LU, Viareggio

Marchino

3

1893

03/09/2012, 12:20

Mauro Vedi ultimo messaggio

Necrobia rufipes (DeGeer, 1775) - Cleridae
15.X.2020 - ITALIA - Toscana - LI, Cecina
Allegato(i) Dettagli della specie
Necrobia rufipes (DeGeer, 1775) - Cleridae

in Cleridae


Dati di raccolta: 15.X.2020 - ITALIA - Toscana - LI, Cecina

Stefano79

2

1007

30/10/2020, 16:50

Stefano79 Vedi ultimo messaggio

Opilo domesticus (Sturm, 1837) - Cleridae
10.VIII.2010 - ITALIA - Toscana - PI, Casale Marittimo
Allegato(i) Dettagli della specie
Opilo domesticus (Sturm, 1837) - Cleridae

in Cleridae


Dati di raccolta: 10.VIII.2010 - ITALIA - Toscana - PI, Casale Marittimo

Stefano79

5

1957

19/10/2011, 14:17

Stefano79 Vedi ultimo messaggio

Opilo domesticus (Sturm, 1837) - Cleridae
25.VI.1987 - ITALIA - Toscana - FI, Passo Carnevale, m 700
Allegato(i) Dettagli della specie
Opilo domesticus (Sturm, 1837) - Cleridae

in Cleridae


Dati di raccolta: 25.VI.1987 - ITALIA - Toscana - FI, Passo Carnevale, m 700

Chalybion

0

674

08/12/2021, 20:52

Chalybion Vedi ultimo messaggio

Opilo mollis (Linnaeus, 1758) - Cleridae
26.VII.2010 - ITALIA - Toscana - FI, San Godenzo - loc. Le Croci. m.753
Allegato(i) Dettagli della specie
Opilo mollis (Linnaeus, 1758) - Cleridae

in Cleridae


Dati di raccolta: 26.VII.2010 - ITALIA - Toscana - FI, San Godenzo - loc. Le Croci. m.753

Sleepy Moose

3

1796

11/04/2011, 17:27

Sleepy Moose Vedi ultimo messaggio

Opilo mollis (Linnaeus, 1758) - Cleridae
10.VI.2012 - ITALIA - Toscana - LI, Campo nell'Elba (LI) - M.te Perone
Allegato(i) Dettagli della specie
Opilo mollis (Linnaeus, 1758) - Cleridae

in Cleridae


Dati di raccolta: 10.VI.2012 - ITALIA - Toscana - LI, Campo nell'Elba (LI) - M.te Perone

FORBIX

6

2026

17/06/2012, 14:52

Enoplium Vedi ultimo messaggio

Opilo mollis (Linnaeus, 1758) - Cleridae
VII.2010 - ITALIA - Toscana - FI, Rincine
Allegato(i) Dettagli della specie
Opilo mollis (Linnaeus, 1758) - Cleridae

in Cleridae


Dati di raccolta: VII.2010 - ITALIA - Toscana - FI, Rincine

Bracco

1

1081

18/01/2013, 18:18

Enoplium Vedi ultimo messaggio

Opilo mollis (Linnaeus, 1758) - Cleridae
4.II.2014 - ITALIA - Toscana - AR, Pratomagno , Montrago 1350m
Allegato(i) Dettagli della specie
Opilo mollis (Linnaeus, 1758) - Cleridae

in Cleridae


Dati di raccolta: 4.II.2014 - ITALIA - Toscana - AR, Pratomagno , Montrago 1350m

Federico A.

2

1275

10/02/2014, 21:18

Federico A. Vedi ultimo messaggio



Inserisci un link per questa ricerca

Inserisci un link per questa ricerca URL
BBCode
HTML
Vai a: