Benvenuto Ospite

Forum Entomologi Italiani

www.entomologiitaliani.net/forum
 
Oggi è 20/04/2026, 6:07

Tutti gli orari sono UTC + 1 ora [ ora legale ]

Filtro località

Filtro località

In questo pannello è possibile effettuare delle ricerche mirate in base alle località inserite nel forum.

Statistiche

Statistiche
In totale ci sono 90090 taxa:
- 86145 taxa con dati completi
- 2740 taxa con dati parziali, riconducibili ad un paese
- 1205 taxa con dati incompleti


escludi dalla ricerca i subforum
Distribuzione in Europa
Distribuzione in Italia
Filtro applicato: GERMANIA

Pagina 1 di 1 [ 9 messaggi ]

# A B C D E F G H I J K L M N O P Q R S T U V W X Y Z
 Argomenti   Autore   Risposte   Visite    Ultimo messaggio 
Cantharis (Cantharis) pellucida Fabricius, 1792 - Cantharidae
24.V.2015 - GERMANIA - EE, Northeim
Allegato(i)
Cantharis (Cantharis) pellucida Fabricius, 1792 - Cantharidae

in Cantharidae


Dati di raccolta: 24.V.2015 - GERMANIA - EE, Northeim

gstalker

2

708

05/06/2015, 16:40

gstalker Vedi ultimo messaggio

Cantharis (Cantharis) rustica Fallen, 1807 - Cantharidae
27.V.2013 - GERMANIA - EE, Monaco
Allegato(i)
Cantharis (Cantharis) rustica Fallen, 1807 - Cantharidae

in Cantharidae


Dati di raccolta: 27.V.2013 - GERMANIA - EE, Monaco

Olaffio

5

829

02/11/2013, 18:52

Olaffio Vedi ultimo messaggio

Allegato(i)
Cantharis (s,str.) cf. flavilabris Fallen, 1807 - Cantharidae - Germania, Spreewald

in Cantharidae


Dati di raccolta: 16.VI.2010 - GERMANIA - EE, Berlino, Spreewald

matthew gandy

9

1323

23/12/2010, 11:16

hutia Vedi ultimo messaggio

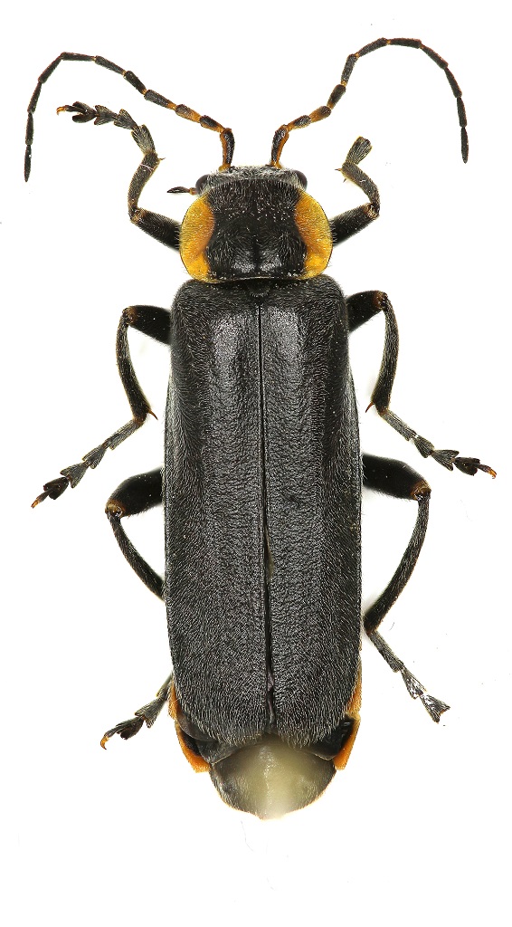
Cantharis fusca Fallén, 1807 - Cantharidae
18.V.2022 - GERMANIA - EE, Goettingen
Allegato(i)
Cantharis fusca Fallén, 1807 - Cantharidae

in Cantharidae


Dati di raccolta: 18.V.2022 - GERMANIA - EE, Goettingen

Marco Ferrante

2

563

21/05/2022, 21:36

Marco Ferrante Vedi ultimo messaggio

Cantharis gr. obscura - Cantharidae
24.V.2015 - GERMANIA - EE, Northeim
Allegato(i)
Cantharis gr. obscura - Cantharidae

in Cantharidae


Dati di raccolta: 24.V.2015 - GERMANIA - EE, Northeim

gstalker

3

799

07/06/2015, 20:03

hutia Vedi ultimo messaggio

Cantharis gr. obscura - Cantharidae
24.V.2015 - GERMANIA - EE, Northeim
Allegato(i)
Cantharis gr. obscura - Cantharidae

in Cantharidae


Dati di raccolta: 24.V.2015 - GERMANIA - EE, Northeim

gstalker

3

1020

07/06/2015, 20:04

hutia Vedi ultimo messaggio

Cantharis sp. - Cantharidae
29.V.2010 - GERMANIA - EE, Spreewald, Berlin
Allegato(i)
Cantharis sp. - Cantharidae

in Cantharidae


Dati di raccolta: 29.V.2010 - GERMANIA - EE, Spreewald, Berlin

matthew gandy

1

546

02/06/2010, 15:41

krep Vedi ultimo messaggio

Malthodes sp. - Cantharidae - Spreewald, Germany
25.IV.2011 - GERMANIA - EE, Spreewald, Brandenburg (south of Berlin)
Allegato(i)
Malthodes sp. - Cantharidae - Spreewald, Germany

in Cantharidae


Dati di raccolta: 25.IV.2011 - GERMANIA - EE, Spreewald, Brandenburg (south of Berlin)

matthew gandy

3

764

26/04/2011, 17:59

giuseppe55 Vedi ultimo messaggio

Podistra (Absidia) sp. - Cantharidae
14.VI.2015 - GERMANIA - EE, Northeim
Allegato(i)
Podistra (Absidia) sp. - Cantharidae

in Cantharidae


Dati di raccolta: 14.VI.2015 - GERMANIA - EE, Northeim

gstalker

5

1247

27/06/2015, 22:12

hutia Vedi ultimo messaggio


Inserisci un link per questa ricerca

Inserisci un link per questa ricerca URL
BBCode
HTML
Vai a: