Benvenuto Ospite

Forum Entomologi Italiani

www.entomologiitaliani.net/forum
 
Oggi è 20/04/2026, 5:15

Tutti gli orari sono UTC + 1 ora [ ora legale ]

Filtro località

Filtro località

In questo pannello è possibile effettuare delle ricerche mirate in base alle località inserite nel forum.

Statistiche

Statistiche
In totale ci sono 90090 taxa:
- 86145 taxa con dati completi
- 2740 taxa con dati parziali, riconducibili ad un paese
- 1205 taxa con dati incompleti


escludi dalla ricerca i subforum
Distribuzione in Europa
Distribuzione in Italia
Filtro applicato: ITALIA - Trentino-Alto Adige

Pagina 1 di 1 [ 15 messaggi ]

# A B C D E F G H I J K L M N O P Q R S T U V W X Y Z
 Argomenti   Autore   Risposte   Visite    Ultimo messaggio 
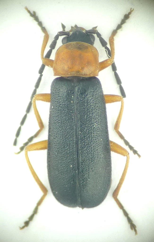
Ancistronycha abdominalis (Fabricius, 1798) (cf.) - Cantharidae
1.VIII.2015 - ITALIA - Trentino-Alto Adige - BZ, Val d'Anna - Ortisei - 1400 mslm
Allegato(i)
Ancistronycha abdominalis (Fabricius, 1798) (cf.) - Cantharidae

in Cantharidae


Dati di raccolta: 1.VIII.2015 - ITALIA - Trentino-Alto Adige - BZ, Val d'Anna - Ortisei - 1400 mslm

Magma

4

1111

20/08/2015, 20:02

Magma Vedi ultimo messaggio

Cantharidae
31.VII.2014 - ITALIA - Trentino-Alto Adige - TN, Val San Nicolò, 2000 m slm circa
Allegato(i)
Cantharidae

in Cantharidae


Dati di raccolta: 31.VII.2014 - ITALIA - Trentino-Alto Adige - TN, Val San Nicolò, 2000 m slm circa

Mikiphasmide

3

821

27/08/2014, 20:46

hutia Vedi ultimo messaggio

Cantharis (Cantharis) fusca Linnaeus 1758 - Cantharidae
30.IV.2019 - ITALIA - Trentino-Alto Adige - TN, Trento - Povo - Colle S. Agata (500 m.ca.)
Allegato(i)
Cantharis (Cantharis) fusca Linnaeus 1758 - Cantharidae

in Cantharidae


Dati di raccolta: 30.IV.2019 - ITALIA - Trentino-Alto Adige - TN, Trento - Povo - Colle S. Agata (500 m.ca.)

Rothari

1

1138

04/02/2020, 20:20

Chalybion Vedi ultimo messaggio

Cantharis (Cantharis) fusca Linnaeus, 1758 (cf.) - Cantharidae
12.V.2020 - ITALIA - Trentino-Alto Adige - TN, Segonzano
Allegato(i)
Cantharis (Cantharis) fusca Linnaeus, 1758 (cf.) - Cantharidae

in Cantharidae


Dati di raccolta: 12.V.2020 - ITALIA - Trentino-Alto Adige - TN, Segonzano

Syrio

1

1271

24/05/2020, 10:38

Alberto Pedrazzi Vedi ultimo messaggio

Cantharis (Cantharis) nigricans (O. F. Müller, 1776) - Cantharidae
27.VII.2014 - ITALIA - Trentino-Alto Adige - TN, Val San Nicolò, 1800 m slm
Allegato(i)
Cantharis (Cantharis) nigricans (O. F. Müller, 1776) - Cantharidae

in Cantharidae


Dati di raccolta: 27.VII.2014 - ITALIA - Trentino-Alto Adige - TN, Val San Nicolò, 1800 m slm

Mikiphasmide

2

827

28/08/2014, 20:05

Mikiphasmide Vedi ultimo messaggio

Cantharis rustica (Fallén, 1807) - Cantharidae
8.V.2021 - ITALIA - Trentino-Alto Adige - TN, Terragnolo
Allegato(i)
Cantharis rustica (Fallén, 1807) - Cantharidae

in Cantharidae


Dati di raccolta: 8.V.2021 - ITALIA - Trentino-Alto Adige - TN, Terragnolo

Syrio

3

652

08/05/2021, 21:33

Syrio Vedi ultimo messaggio

Cantharis sp. - Cantharidae
30.IV.2018 - ITALIA - Trentino-Alto Adige - TN, Segonzano
Allegato(i)
Cantharis sp. - Cantharidae

in Cantharidae


Dati di raccolta: 30.IV.2018 - ITALIA - Trentino-Alto Adige - TN, Segonzano

Syrio

4

1486

20/11/2018, 15:50

Syrio Vedi ultimo messaggio

Cantharis sp. - Cantharidae
3.VI.2018 - ITALIA - Trentino-Alto Adige - TN, Biotopo Foci dell'Avisio
Allegato(i)
Cantharis sp. - Cantharidae

in Cantharidae


Dati di raccolta: 3.VI.2018 - ITALIA - Trentino-Alto Adige - TN, Biotopo Foci dell'Avisio

Syrio

4

1440

20/11/2018, 15:46

Syrio Vedi ultimo messaggio

Cratosilis sp. - Cantharidae
27.VII.2014 - ITALIA - Trentino-Alto Adige - TN, Val San Nicolò, 1800 m slm
Allegato(i)
Cratosilis sp. - Cantharidae

in Cantharidae


Dati di raccolta: 27.VII.2014 - ITALIA - Trentino-Alto Adige - TN, Val San Nicolò, 1800 m slm

Mikiphasmide

3

815

28/08/2014, 20:49

hutia Vedi ultimo messaggio

Larva di Cantharidae sp.
12.I.2015 - ITALIA - Trentino-Alto Adige - TN, Tesero (Tn)
Allegato(i)
Larva di Cantharidae sp.

in Cantharidae


Dati di raccolta: 12.I.2015 - ITALIA - Trentino-Alto Adige - TN, Tesero (Tn)

gigilmozzi

2

686

13/01/2015, 17:42

gigilmozzi Vedi ultimo messaggio

Larva di Cantharidae sp.
16.X.2019 - ITALIA - Trentino-Alto Adige - TN, Segonzano
Allegato(i)
Larva di Cantharidae sp.

in Cantharidae


Dati di raccolta: 16.X.2019 - ITALIA - Trentino-Alto Adige - TN, Segonzano

Syrio

2

1062

20/10/2019, 20:35

Syrio Vedi ultimo messaggio

Malthodes guttifer ? Kiesenwetter, 1852 - Cantharidae
VIII.1995 - ITALIA - Trentino-Alto Adige - BZ, Riva di Tures, Oksenlenke 2500 mt
Allegato(i)
Malthodes guttifer ? Kiesenwetter, 1852 - Cantharidae

in Cantharidae


Dati di raccolta: VIII.1995 - ITALIA - Trentino-Alto Adige - BZ, Riva di Tures, Oksenlenke 2500 mt

marco paglialunga

1

951

17/11/2014, 17:22

hutia Vedi ultimo messaggio

Rhagonycha (Rhagonycha) fulva (Scopoli, 1763) - Cantharidae
22.VII.2014 - ITALIA - Trentino-Alto Adige - TN, Val Averta (Ziano di Fiemme)
Allegato(i)
Rhagonycha (Rhagonycha) fulva (Scopoli, 1763) - Cantharidae

in Cantharidae


Dati di raccolta: 22.VII.2014 - ITALIA - Trentino-Alto Adige - TN, Val Averta (Ziano di Fiemme)

gigilmozzi

2

476

07/02/2015, 21:28

gigilmozzi Vedi ultimo messaggio

Rhagonycha (Rhagonycha) maculicollis Maerkel, 1852 - Cantharidae
1.VIII.2014 - ITALIA - Trentino-Alto Adige - BZ, Giro del Sassopiatto, sentiero 527
Allegato(i)
Rhagonycha (Rhagonycha) maculicollis Maerkel, 1852 - Cantharidae

in Cantharidae


Dati di raccolta: 1.VIII.2014 - ITALIA - Trentino-Alto Adige - BZ, Giro del Sassopiatto, sentiero 527

Mikiphasmide

9

1182

26/08/2014, 21:25

Julodis Vedi ultimo messaggio

Rhagonycha (Rhagonycha) nigripes (W. Redtenbacher, 1842) - Cantharidae
31.VII.2014 - ITALIA - Trentino-Alto Adige - TN, Val San Nicolò, 2000 m slm circa
Allegato(i)
Rhagonycha (Rhagonycha) nigripes (W. Redtenbacher, 1842) - Cantharidae

in Cantharidae


Dati di raccolta: 31.VII.2014 - ITALIA - Trentino-Alto Adige - TN, Val San Nicolò, 2000 m slm circa

Mikiphasmide

2

636

27/08/2014, 20:10

Mikiphasmide Vedi ultimo messaggio


Inserisci un link per questa ricerca

Inserisci un link per questa ricerca URL
BBCode
HTML
Vai a: