Benvenuto Ospite

Forum Entomologi Italiani

www.entomologiitaliani.net/forum
 
Oggi è 15/01/2026, 5:27

Tutti gli orari sono UTC + 1 ora [ ora legale ]

Filtro località

Filtro località

In questo pannello è possibile effettuare delle ricerche mirate in base alle località inserite nel forum.

Statistiche

Statistiche
In totale ci sono 89814 taxa:
- 85872 taxa con dati completi
- 2737 taxa con dati parziali, riconducibili ad un paese
- 1205 taxa con dati incompleti


escludi dalla ricerca i subforum
Distribuzione in Europa
Distribuzione in Italia
Filtro applicato: ITALIA - Umbria

Pagina 1 di 1 [ 12 messaggi ]

# A B C D E F G H I J K L M N O P Q R S T U V W X Y Z
 Argomenti   Autore   Risposte   Visite    Ultimo messaggio 
Cantharis (Cantharis) cf. rustica Fallen, 1807 - Cantharidae
10.V.2009 - ITALIA - Umbria - PG, Spoleto, Borgo Cerreto, fiume Nera
Allegato(i)
Cantharis (Cantharis) cf. rustica Fallen, 1807 - Cantharidae

in Cantharidae


Dati di raccolta: 10.V.2009 - ITALIA - Umbria - PG, Spoleto, Borgo Cerreto, fiume Nera

silvio1953

2

696

23/01/2010, 13:09

silvio1953 Vedi ultimo messaggio

Cantharis (Cantharis) figurata Mannerheim, 1843 - Cantharidae
25.V.2012 - ITALIA - Umbria - PG, Scheggia e Pascelupo - Loc. Il Marchigiano
Allegato(i)
Cantharis (Cantharis) figurata Mannerheim, 1843 - Cantharidae

in Cantharidae


Dati di raccolta: 25.V.2012 - ITALIA - Umbria - PG, Scheggia e Pascelupo - Loc. Il Marchigiano

Maura

1

587

27/10/2013, 15:25

hutia Vedi ultimo messaggio

Cantharis (Cantharis) fusca Linnaeus 1758 - Cantharidae
25.V.2008 - ITALIA - Umbria - PG, Cerreto di Spoleto, Borgo Cerreto, Fiume Nera
Allegato(i)
Cantharis (Cantharis) fusca Linnaeus 1758 - Cantharidae

in Cantharidae


Dati di raccolta: 25.V.2008 - ITALIA - Umbria - PG, Cerreto di Spoleto, Borgo Cerreto, Fiume Nera

silvio1953

3

936

15/10/2009, 8:16

pedux Vedi ultimo messaggio

Cantharis (Cantharis) livida Linnaeus 1758 - Cantharidae
24.IV.2011 - ITALIA - Umbria - PG, Magione circa 560 m slm
Allegato(i)
Cantharis (Cantharis) livida Linnaeus 1758 - Cantharidae

in Cantharidae


Dati di raccolta: 24.IV.2011 - ITALIA - Umbria - PG, Magione circa 560 m slm

ilio

1

422

27/04/2011, 19:54

hutia Vedi ultimo messaggio

Cantharis rustica (Fallén 1807) - Cantharidae - Umbria
24.X.2010 - ITALIA - Umbria - PG, Spoleto, Borgo Cerreto
Allegato(i)
Cantharis rustica (Fallén 1807) - Cantharidae - Umbria

in Cantharidae


Dati di raccolta: 24.X.2010 - ITALIA - Umbria - PG, Spoleto, Borgo Cerreto

silvio1953

6

1242

29/04/2010, 23:16

Maw89 Vedi ultimo messaggio

Cantharis rustica Fallén, 1807 - Cantharidae
21.IV.2011 - ITALIA - Umbria - PG, Magione circa 560 m slm
Allegato(i)
Cantharis rustica Fallén, 1807 - Cantharidae

in Cantharidae


Dati di raccolta: 21.IV.2011 - ITALIA - Umbria - PG, Magione circa 560 m slm

ilio

4

921

26/04/2014, 22:19

Dioli Vedi ultimo messaggio

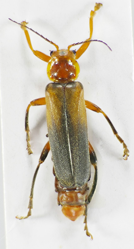
Cratosilis sp. - Cantharidae
12.V.2012 - ITALIA - Umbria - PG, Scheggia e Pascelupo - Loc. Il Marchigiano
Allegato(i)
Cratosilis sp. - Cantharidae

in Cantharidae


Dati di raccolta: 12.V.2012 - ITALIA - Umbria - PG, Scheggia e Pascelupo - Loc. Il Marchigiano

Maura

7

1062

21/06/2014, 7:29

hutia Vedi ultimo messaggio

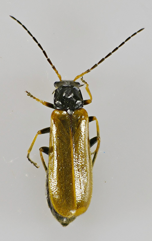
Metacantharis clypeata (Illiger, 1798) (cf.) - Cantharidae
25.IV.2012 - ITALIA - Umbria - PG, Scheggia e Pascelupo - Loc. Casacce
Allegato(i)
Metacantharis clypeata (Illiger, 1798) (cf.) - Cantharidae

in Cantharidae


Dati di raccolta: 25.IV.2012 - ITALIA - Umbria - PG, Scheggia e Pascelupo - Loc. Casacce

Maura

7

864

28/04/2012, 12:51

hutia Vedi ultimo messaggio

Rhagonycha (Rhagonycha) fulva (Scopoli, 1763) - Cantharidae
4.VI.2008 - ITALIA - Umbria - PG, Spoleto
Allegato(i)
Rhagonycha (Rhagonycha) fulva (Scopoli, 1763) - Cantharidae

in Cantharidae


Dati di raccolta: 4.VI.2008 - ITALIA - Umbria - PG, Spoleto

silvio1953

4

705

22/01/2010, 19:27

pedux Vedi ultimo messaggio

Rhagonycha (Rhagonycha) lignosa (O.F. Müller, 1764) - Cantharidae
12.V.2012 - ITALIA - Umbria - PG, Scheggia e Pascelupo - Loc. Il Marchigiano
Allegato(i)
Rhagonycha (Rhagonycha) lignosa (O.F. Müller, 1764) - Cantharidae

in Cantharidae


Dati di raccolta: 12.V.2012 - ITALIA - Umbria - PG, Scheggia e Pascelupo - Loc. Il Marchigiano

Maura

2

570

22/05/2012, 14:38

Maura Vedi ultimo messaggio

Rhagonycha femoralis (Brullé 1832) cf. - Cantharidae
26.IV.2011 - ITALIA - Umbria - PG, Magione circa 560 m slm
Allegato(i)
Rhagonycha femoralis (Brullé 1832) cf. - Cantharidae

in Cantharidae


Dati di raccolta: 26.IV.2011 - ITALIA - Umbria - PG, Magione circa 560 m slm

ilio

0

383

30/04/2011, 19:53

ilio Vedi ultimo messaggio

Rhagonycha sp. - Cantharidae
5.V.2011 - ITALIA - Umbria - PG, Magione circa 560 m slm
Allegato(i)
Rhagonycha sp. - Cantharidae

in Cantharidae


Dati di raccolta: 5.V.2011 - ITALIA - Umbria - PG, Magione circa 560 m slm

ilio

2

498

09/05/2011, 8:44

Herzog Vedi ultimo messaggio


Inserisci un link per questa ricerca

Inserisci un link per questa ricerca URL
BBCode
HTML
Vai a:  
cron