Benvenuto Ospite

Forum Entomologi Italiani

www.entomologiitaliani.net/forum
 
Oggi è 24/01/2026, 1:58

Tutti gli orari sono UTC + 1 ora [ ora legale ]

Filtro località

Filtro località

In questo pannello è possibile effettuare delle ricerche mirate in base alle località inserite nel forum.

Statistiche

Statistiche
In totale ci sono 89834 taxa:
- 85892 taxa con dati completi
- 2737 taxa con dati parziali, riconducibili ad un paese
- 1205 taxa con dati incompleti


escludi dalla ricerca i subforum
Distribuzione in Europa
Distribuzione in Italia
Filtro applicato: GERMANIA

Pagina 1 di 3 [ 35 messaggi ]

# A B C D E F G H I J K L M N O P Q R S T U V W X Y Z
 Argomenti   Autore   Risposte   Visite    Ultimo messaggio 
Bibio johannis (Linnaeus 1767) ♀ - Bibionidae
4.V.2015 - GERMANIA - EE, Northeim
Allegato(i)
Bibio johannis (Linnaeus 1767) ♀ - Bibionidae

in Bibionidae


Dati di raccolta: 4.V.2015 - GERMANIA - EE, Northeim

gstalker

1

990

26/12/2015, 12:23

gstalker Vedi ultimo messaggio

Caliprobola speciosa (Rossi, 1790) - Syrphidae
13.VII.2015 - GERMANIA - EE, Northeim
Allegato(i)
Caliprobola speciosa (Rossi, 1790) - Syrphidae

in Syrphidae


Dati di raccolta: 13.VII.2015 - GERMANIA - EE, Northeim

gstalker

1

423

10/04/2016, 1:48

Andream Vedi ultimo messaggio

Calliphora vicina Robineau-Desvoidy, 1830 - Calliphoridae
22.V.2015 - GERMANIA - EE, Northeim
Allegato(i)
Calliphora vicina Robineau-Desvoidy, 1830 - Calliphoridae

in Calliphoridae


Dati di raccolta: 22.V.2015 - GERMANIA - EE, Northeim

gstalker

1

811

21/12/2015, 9:12

Carlo Monari Vedi ultimo messaggio

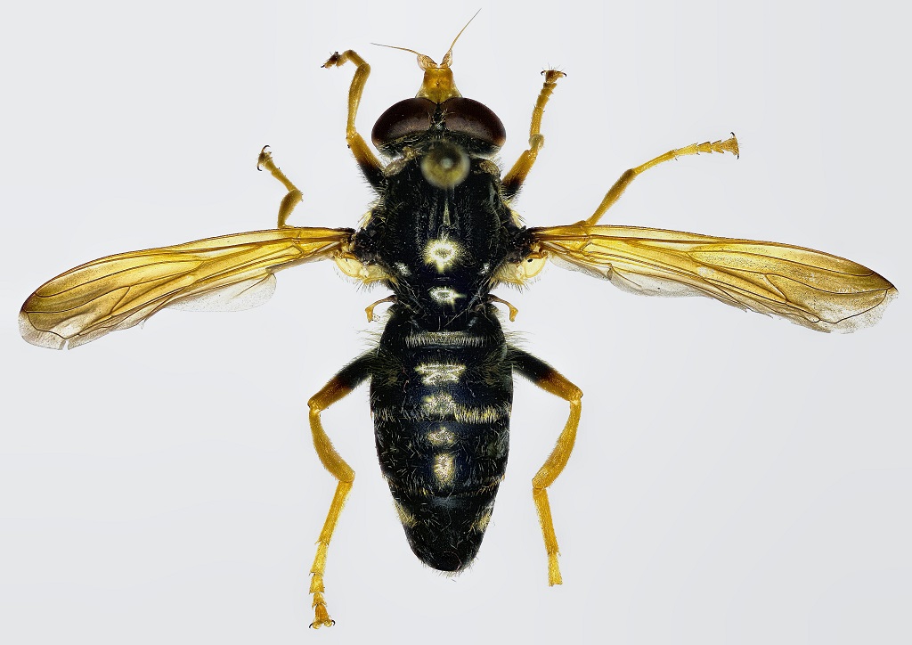
Chrysolipus cristatus (Fabricius, 1775) - Rhagiomidae
11.VI.2022 - GERMANIA - EE, Spreewald, Brandenburg
Allegato(i)
Chrysolipus cristatus (Fabricius, 1775) - Rhagiomidae

in Rhagionidae


Dati di raccolta: 11.VI.2022 - GERMANIA - EE, Spreewald, Brandenburg

matthew gandy

3

568

13/06/2022, 6:49

Carlo Monari Vedi ultimo messaggio

Chrysops sp. - Tabanidae Crysopsinae
26.VII.2014 - GERMANIA - EE, Spreewald, Brandenburg
Allegato(i)
Chrysops sp. - Tabanidae Crysopsinae

in Tabanidae


Dati di raccolta: 26.VII.2014 - GERMANIA - EE, Spreewald, Brandenburg

matthew gandy

2

957

03/08/2014, 16:24

matthew gandy Vedi ultimo messaggio

Chrysotoxum bicinctum (Linnaeus, 1758) - Syrphidae
1.VII.2013 - GERMANIA - EE, Brandenburg
Allegato(i)
Chrysotoxum bicinctum (Linnaeus, 1758) - Syrphidae

in Syrphidae


Dati di raccolta: 1.VII.2013 - GERMANIA - EE, Brandenburg

matthew gandy

2

877

03/07/2013, 16:37

matthew gandy Vedi ultimo messaggio

Chrysotoxum bicinctum (Linnaeus, 1758) - Syrphidae
13.VII.2021 - GERMANIA - EE, Brandenburg
Allegato(i)
Chrysotoxum bicinctum (Linnaeus, 1758) - Syrphidae

in Syrphidae


Dati di raccolta: 13.VII.2021 - GERMANIA - EE, Brandenburg

matthew gandy

2

456

13/07/2021, 19:44

matthew gandy Vedi ultimo messaggio

Chrysotoxum verralli Collin, 1940 - Syrphidae
24.VII.2016 - GERMANIA - EE, Northeim
Allegato(i)
Chrysotoxum verralli Collin, 1940 - Syrphidae

in Syrphidae


Dati di raccolta: 24.VII.2016 - GERMANIA - EE, Northeim

gstalker

2

743

29/08/2016, 19:09

gstalker Vedi ultimo messaggio

Conopidae sp.
22.VI.2022 - GERMANIA - EE, Rosshausen
Allegato(i)
Conopidae sp.

in Conopidae


Dati di raccolta: 22.VI.2022 - GERMANIA - EE, Rosshausen

Marco Ferrante

4

661

27/06/2022, 17:04

Marco Ferrante Vedi ultimo messaggio

Conopidae sp.
16.VII.2022 - GERMANIA - EE, Deppoldhausen
Allegato(i)
Conopidae sp.

in Conopidae


Dati di raccolta: 16.VII.2022 - GERMANIA - EE, Deppoldhausen

Marco Ferrante

0

400

18/07/2022, 5:57

Marco Ferrante Vedi ultimo messaggio

Ctenophora (Ctenophora) flaveolata (Fabricius 1794) (cf.) - Tipulidae - Spreewald, Germany
25.IV.2011 - GERMANIA - EE, Spreewald, Brandenburg (south of Berlin)
Allegato(i)
Ctenophora (Ctenophora) flaveolata (Fabricius 1794) (cf.) - Tipulidae - Spreewald, Germany

in Tipulidae


Dati di raccolta: 25.IV.2011 - GERMANIA - EE, Spreewald, Brandenburg (south of Berlin)

matthew gandy

2

1524

27/04/2011, 15:34

matthew gandy Vedi ultimo messaggio

Delia radicum (Linnaeus, 1758) (cf.) - Anthomyiidae
18.V.2022 - GERMANIA - EE, Goettingen
Allegato(i)
Delia radicum (Linnaeus, 1758) (cf.) - Anthomyiidae

in Anthomyiidae


Dati di raccolta: 18.V.2022 - GERMANIA - EE, Goettingen

Marco Ferrante

0

470

19/05/2022, 19:17

Marco Ferrante Vedi ultimo messaggio

Ectophasia sp. - Tachinidae
22.VI.2022 - GERMANIA - EE, Rosshausen
Allegato(i)
Ectophasia sp. - Tachinidae

in Tachinidae


Dati di raccolta: 22.VI.2022 - GERMANIA - EE, Rosshausen

Marco Ferrante

4

483

27/06/2022, 7:04

Marco Ferrante Vedi ultimo messaggio

Episyrphus balteatus (De Geer 1776) - Syrphidae
15.V.2014 - GERMANIA - EE, Frankfurt
Allegato(i)
Episyrphus balteatus (De Geer 1776) - Syrphidae

in Syrphidae


Dati di raccolta: 15.V.2014 - GERMANIA - EE, Frankfurt

matthew gandy

2

649

17/05/2014, 9:25

matthew gandy Vedi ultimo messaggio

Eristalis tenax (Linnaeus 1758) ♀ - Syrphidae
15.VIII.2015 - GERMANIA - EE, Northeim
Allegato(i)
Eristalis tenax (Linnaeus 1758) ♀ - Syrphidae

in Syrphidae


Dati di raccolta: 15.VIII.2015 - GERMANIA - EE, Northeim

gstalker

2

872

19/09/2015, 17:51

gstalker Vedi ultimo messaggio



Inserisci un link per questa ricerca

Inserisci un link per questa ricerca URL
BBCode
HTML
Vai a:  
cron