Benvenuto Ospite

Forum Entomologi Italiani

www.entomologiitaliani.net/forum
 
Oggi è 26/04/2026, 13:46

Tutti gli orari sono UTC + 1 ora [ ora legale ]

Filtro località

Filtro località

In questo pannello è possibile effettuare delle ricerche mirate in base alle località inserite nel forum.

Statistiche

Statistiche
In totale ci sono 90111 taxa:
- 86166 taxa con dati completi
- 2740 taxa con dati parziali, riconducibili ad un paese
- 1205 taxa con dati incompleti


escludi dalla ricerca i subforum
Distribuzione in Europa
Distribuzione in Italia
Filtro applicato: ITALIA - Veneto

Pagina 1 di 1 [ 2 messaggi ]

# A B C D E F G H I J K L M N O P Q R S T U V W X Y Z
 Argomenti   Autore   Risposte   Visite    Ultimo messaggio 
Cynipidae
2009 - ITALIA - Veneto - BL, Feltre, Faè
Allegato(i)
Cynipidae

in Cynipoidea


Dati di raccolta: 2009 - ITALIA - Veneto - BL, Feltre, Faè

Maw89

3

1602

14/01/2010, 17:09

Maw89 Vedi ultimo messaggio

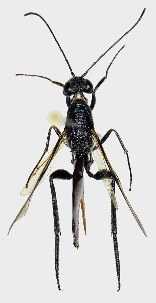
Ibalia (Ibalia) leucospoides (Hochenwarth, 1785) - Ibaliidae
19.VIII.2019 - ITALIA - Veneto - BL, Mareson, Laghetto delle Fertaze, 1300-1500m, leg. Marco Selis
Allegato(i)
Ibalia (Ibalia) leucospoides (Hochenwarth, 1785) - Ibaliidae

in Cynipoidea


Dati di raccolta: 19.VIII.2019 - ITALIA - Veneto - BL, Mareson, Laghetto delle Fertaze, 1300-1500m, leg. Marco Selis

Andricus

0

1550

30/08/2019, 22:55

Andricus Vedi ultimo messaggio


Inserisci un link per questa ricerca

Inserisci un link per questa ricerca URL
BBCode
HTML
Vai a: