Benvenuto Ospite

Forum Entomologi Italiani

www.entomologiitaliani.net/forum
 
Oggi è 27/05/2026, 15:47

Tutti gli orari sono UTC + 1 ora [ ora legale ]

Filtro località

Filtro località

In questo pannello è possibile effettuare delle ricerche mirate in base alle località inserite nel forum.

Statistiche

Statistiche
In totale ci sono 90212 taxa:
- 86266 taxa con dati completi
- 2741 taxa con dati parziali, riconducibili ad un paese
- 1205 taxa con dati incompleti


escludi dalla ricerca i subforum
Distribuzione in Europa
Distribuzione in Italia
Filtro applicato: ITALIA - Lazio

Pagina 1 di 1 [ 4 messaggi ]

# A B C D E F G H I J K L M N O P Q R S T U V W X Y Z
 Argomenti   Autore   Risposte   Visite    Ultimo messaggio 
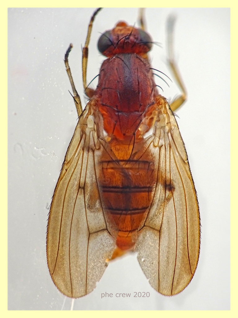
Suillia affinis (Meigen, 1830) (cf.) - Heleomyzidae
IX.2020 - ITALIA - Lazio - FR, Posta Fibreno
Allegato(i)
Suillia affinis (Meigen, 1830) (cf.) - Heleomyzidae

in Heleomyzidae


Dati di raccolta: IX.2020 - ITALIA - Lazio - FR, Posta Fibreno

soken

10

2039

27/12/2020, 13:31

soken Vedi ultimo messaggio

Suillia sp. - Heleomyzidae
22.IV.2012 - ITALIA - Lazio - RM, Riserva di Tor Caldara
Allegato(i)
Suillia sp. - Heleomyzidae

in Heleomyzidae


Dati di raccolta: 22.IV.2012 - ITALIA - Lazio - RM, Riserva di Tor Caldara

soken

1

1310

25/05/2014, 18:55

Carlo Monari Vedi ultimo messaggio

Suillia sp. - Heleomyzidæ Suilliinæ Suilliini
13.V.2016 - ITALIA - Lazio - RM, Roma
Allegato(i)
Suillia sp. - Heleomyzidæ Suilliinæ Suilliini

in Heleomyzidae


Dati di raccolta: 13.V.2016 - ITALIA - Lazio - RM, Roma

Elena Regina

8

3049

06/06/2016, 6:58

Pietro Niolu Vedi ultimo messaggio

Suillia variegata (Loew, 1862) - Heleomyzidae
1.IV.2025 - ITALIA - Lazio - RM, Anzio
Allegato(i)
Suillia variegata (Loew, 1862) - Heleomyzidae

in Heleomyzidae


Dati di raccolta: 1.IV.2025 - ITALIA - Lazio - RM, Anzio

soken

1

1246

13/04/2025, 7:38

Carlo Monari Vedi ultimo messaggio


Inserisci un link per questa ricerca

Inserisci un link per questa ricerca URL
BBCode
HTML
Vai a: