Benvenuto Ospite

Forum Entomologi Italiani

www.entomologiitaliani.net/forum
 
Oggi è 25/01/2026, 20:43

Tutti gli orari sono UTC + 1 ora [ ora legale ]

Filtro località

Filtro località

In questo pannello è possibile effettuare delle ricerche mirate in base alle località inserite nel forum.

Statistiche

Statistiche
In totale ci sono 89838 taxa:
- 85896 taxa con dati completi
- 2737 taxa con dati parziali, riconducibili ad un paese
- 1205 taxa con dati incompleti


escludi dalla ricerca i subforum
Distribuzione in Europa
Distribuzione in Italia
Filtro applicato: POLONIA

Pagina 1 di 1 [ 2 messaggi ]

# A B C D E F G H I J K L M N O P Q R S T U V W X Y Z
 Argomenti   Autore   Risposte   Visite    Ultimo messaggio 
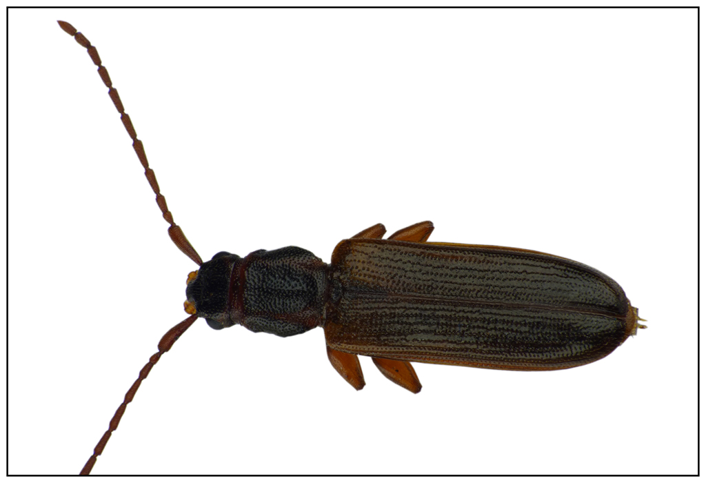
Dendrophagus crenatus (Paykull, 1799) - Silvanidae
1.I.2016 - POLONIA - EE, -
Allegato(i)
Dendrophagus crenatus (Paykull, 1799) - Silvanidae

in Silvanidae


Dati di raccolta: 1.I.2016 - POLONIA - EE, -

GrzegorzG

1

887

06/01/2016, 0:30

Gianfranco Vedi ultimo messaggio

Uleiota planata (Linnaeus, 1761) - Silvanidae
8.VIII.2015 - POLONIA - EE, -
Allegato(i)
Uleiota planata (Linnaeus, 1761) - Silvanidae

in Silvanidae


Dati di raccolta: 8.VIII.2015 - POLONIA - EE, -

GrzegorzG

2

1045

19/12/2015, 0:05

GrzegorzG Vedi ultimo messaggio


Inserisci un link per questa ricerca

Inserisci un link per questa ricerca URL
BBCode
HTML
Vai a: