Benvenuto Ospite

Forum Entomologi Italiani

www.entomologiitaliani.net/forum
 
Oggi è 27/03/2026, 16:59

Tutti gli orari sono UTC + 1 ora [ ora legale ]

Filtro località

Filtro località

In questo pannello è possibile effettuare delle ricerche mirate in base alle località inserite nel forum.

Statistiche

Statistiche
In totale ci sono 90022 taxa:
- 86079 taxa con dati completi
- 2738 taxa con dati parziali, riconducibili ad un paese
- 1205 taxa con dati incompleti


escludi dalla ricerca i subforum
Distribuzione in Europa
Distribuzione in Italia
Filtro applicato: CROAZIA

Pagina 1 di 15 [ 220 messaggi ]

# A B C D E F G H I J K L M N O P Q R S T U V W X Y Z
 Argomenti   Autore   Risposte   Visite    Ultimo messaggio 
Acanthocinus henschi henschi Reitter, 1900 - Cerambycidae
V.2010 - CROAZIA - EE, dintorni Jadranovo
Allegato(i) Dettagli della specie
Acanthocinus henschi henschi Reitter, 1900 - Cerambycidae

in Cerambycidae


Dati di raccolta: V.2010 - CROAZIA - EE, dintorni Jadranovo

Drymochares

0

1417

05/05/2010, 13:53

Drymochares Vedi ultimo messaggio

Adalia decempunctata ? e Coccinella magnifica ? - Coccinellidae
6.II.2010 - CROAZIA - EE, Paklenica, Velebit Mountains
Allegato(i)
Adalia decempunctata ? e Coccinella magnifica ? - Coccinellidae

[ Vai alla pagina: 1, 2 ]

in Coccinellidae


Dati di raccolta: 6.II.2010 - CROAZIA - EE, Paklenica, Velebit Mountains

superhik

17

5114

06/07/2013, 12:09

Ocean Vedi ultimo messaggio

Adscita sp. (cf.) - Zygaenidae
1.VII.2017 - CROAZIA - EE, Vrataruša
Allegato(i)
Adscita sp. (cf.) - Zygaenidae

in Zygaenidae


Dati di raccolta: 1.VII.2017 - CROAZIA - EE, Vrataruša

gstalker

1

1512

03/09/2017, 9:47

gstalker Vedi ultimo messaggio

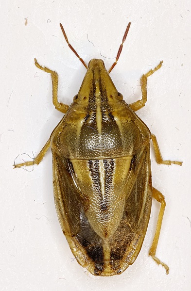
Aelia rostrata Boheman, 1852 - Pentatomidae
4.VI.2017 - CROAZIA - EE, Krivi Put 53271
Allegato(i)
Aelia rostrata Boheman, 1852 - Pentatomidae

in Pentatomidae


Dati di raccolta: 4.VI.2017 - CROAZIA - EE, Krivi Put 53271

gstalker

4

1588

12/08/2017, 19:03

gstalker Vedi ultimo messaggio

Agriotes (Agriotes) modestus Kiesenwetter, 1858 - Elateridae
18.IV.2021 - CROAZIA - EE, Trogir, Pantana
Allegato(i)
Agriotes (Agriotes) modestus Kiesenwetter, 1858 - Elateridae

in Elateridae


Dati di raccolta: 18.IV.2021 - CROAZIA - EE, Trogir, Pantana

Antonjo

2

692

19/04/2021, 17:53

Antonjo Vedi ultimo messaggio

Allegato(i)
Agrius convolvuli (Linnaeus, 1758) - Sphingidae Sphinginae

in Sphingidae


Dati di raccolta: 1.IX.2010 - CROAZIA - EE

Franco ROSSI

3

1340

18/01/2011, 10:28

Franco ROSSI Vedi ultimo messaggio

Anaglyptus gibbosus (Fabricius, 1787) - Cerambycidae
V.2009 - CROAZIA - EE, Near town Umag
Allegato(i) Dettagli della specie
Anaglyptus gibbosus (Fabricius, 1787) - Cerambycidae

in Cerambycidae


Dati di raccolta: V.2009 - CROAZIA - EE, Near town Umag

Trichoferus

4

2058

26/12/2010, 19:03

Plagionotus Vedi ultimo messaggio

Ancistrocerus parietum (Linnaeus, 1758) - Vespidae
2.VIII.1999 - CROAZIA - EE, Ivine vodice, Velebit mountain (1250 m asl)
Allegato(i) Dettagli della specie
Ancistrocerus parietum (Linnaeus, 1758) - Vespidae

in Vespidae


Dati di raccolta: 2.VIII.1999 - CROAZIA - EE, Ivine vodice, Velebit mountain (1250 m asl)

opolasek

0

1117

19/01/2018, 18:55

opolasek Vedi ultimo messaggio

Anisorhynchus barbatus (Rossi, 1792) - Curculionidae Molytinae
28.IV.2011 - CROAZIA - EE, Baska (Krk Is.)
Allegato(i)
Anisorhynchus barbatus (Rossi, 1792) - Curculionidae Molytinae

in Curculionidae


Dati di raccolta: 28.IV.2011 - CROAZIA - EE, Baska (Krk Is.)

Milosz A. Mazur

2

1294

16/09/2014, 9:03

Milosz A. Mazur Vedi ultimo messaggio

Anisorhynchus monachus (Germar, 1817) - Curculionidae Molytinae
28.IV.2011 - CROAZIA - EE, Baska (Krk Is.)
Allegato(i)
Anisorhynchus monachus (Germar, 1817) - Curculionidae Molytinae

in Curculionidae


Dati di raccolta: 28.IV.2011 - CROAZIA - EE, Baska (Krk Is.)

Milosz A. Mazur

2

1204

16/09/2014, 9:04

Milosz A. Mazur Vedi ultimo messaggio

Anodorhynchus monachus (Germar, 1817) - Curculionidae
26.VII.2002 - CROAZIA - EE, Krk is., Malinska
Allegato(i)
Anodorhynchus monachus (Germar, 1817) - Curculionidae

in Curculionidae


Dati di raccolta: 26.VII.2002 - CROAZIA - EE, Krk is., Malinska

Frantisek

2

850

15/04/2015, 11:10

Frantisek Vedi ultimo messaggio

Allegato(i)
Anoxia (Mesanoxia) matutinalis matutinalis Laporte de Castelnau, 1823 - Melolonthidae

in Melolonthidae


Dati di raccolta: 1.VII.2016 - CROAZIA - EE, Susanj

scarabaeidae

5

1797

13/08/2018, 20:07

scarabaeidae Vedi ultimo messaggio

Allegato(i)
Anthaxia (Anthaxia nitidula) (Linnaeus, 1758) - Buprestidae

in Buprestoidea


Dati di raccolta: VI.1999 - CROAZIA - EE, Merag

Giuseppe

0

462

01/07/2025, 9:01

Giuseppe Vedi ultimo messaggio

Anthaxia (Anthaxia) fulgurans (Schrank, 1789) - Buprestidae
4.VI.2017 - CROAZIA - EE, Krivi Put 53271
Allegato(i) Dettagli della specie
Anthaxia (Anthaxia) fulgurans (Schrank, 1789) - Buprestidae

in Buprestoidea


Dati di raccolta: 4.VI.2017 - CROAZIA - EE, Krivi Put 53271

gstalker

6

2170

06/08/2017, 18:41

Julodis Vedi ultimo messaggio

Allegato(i) Dettagli della specie
Anthaxia (Anthaxia) hackeri Frivaldszky, 1884 - Buprestidae

in Buprestoidea


Dati di raccolta: CROAZIA - EE

Julodis

4

2052

09/03/2010, 19:17

Julodis Vedi ultimo messaggio



Inserisci un link per questa ricerca

Inserisci un link per questa ricerca URL
BBCode
HTML
Vai a: