Benvenuto Ospite

Forum Entomologi Italiani

www.entomologiitaliani.net/forum
 
Oggi è 20/04/2026, 14:47

Tutti gli orari sono UTC + 1 ora [ ora legale ]

Filtro località

Filtro località

In questo pannello è possibile effettuare delle ricerche mirate in base alle località inserite nel forum.

Statistiche

Statistiche
In totale ci sono 90094 taxa:
- 86149 taxa con dati completi
- 2740 taxa con dati parziali, riconducibili ad un paese
- 1205 taxa con dati incompleti


escludi dalla ricerca i subforum
Distribuzione in Europa
Distribuzione in Italia
Filtro applicato: MADAGASCAR

Pagina 1 di 1 [ 9 messaggi ]

# A B C D E F G H I J K L M N O P Q R S T U V W X Y Z
 Argomenti   Autore   Risposte   Visite    Ultimo messaggio 
Carabidae sp.
30.III.2008 - MADAGASCAR - EE, near Ranohira, 815 m, Isalo Lodge
Allegato(i)
Carabidae sp.

in Carabidae indeterminati


Dati di raccolta: 30.III.2008 - MADAGASCAR - EE, near Ranohira, 815 m, Isalo Lodge

Chalybion

0

702

23/01/2015, 16:06

Chalybion Vedi ultimo messaggio

Dineutus sp. - Gyrinidae
MADAGASCAR - EE
Allegato(i)
Dineutus sp. - Gyrinidae

in Gyrinidae


Dati di raccolta: MADAGASCAR - EE

Julodis

5

2479

27/09/2012, 16:49

AleP Vedi ultimo messaggio

Drypta (Nesiodrypta) purpurascens (Jeannel, 1949) (cf.) - Carabidae
VI.1986 - MADAGASCAR - EE, NW Madagascar: Ambilobe, VI.1986
Allegato(i)
Drypta (Nesiodrypta) purpurascens (Jeannel, 1949) (cf.) - Carabidae

in Carabidae


Dati di raccolta: VI.1986 - MADAGASCAR - EE, NW Madagascar: Ambilobe, VI.1986

Notoxus59

3

728

01/01/2016, 18:39

Notoxus59 Vedi ultimo messaggio

Allegato(i)
Eucamptognathus (Eucamptognathus) lafertei Chevrolat, 1839 - Carabidae

in Carabidae


Dati di raccolta: 21.XI.1978 - MADAGASCAR - EE, Anosibe

Daniele Sechi

4

1067

14/02/2021, 23:44

gomphus Vedi ultimo messaggio

Allegato(i)
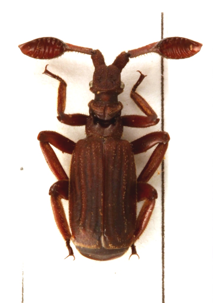
Hipparidium equestre Dejean, 1826 - Cicindelidae

in Carabidae


Dati di raccolta: MADAGASCAR - EE

Thaumatomyrmex

7

899

05/12/2011, 23:20

gomphus Vedi ultimo messaggio

Lebia (Metalebia) omoxantha Alluaud, 1936 (cf.) - Carabidae
21.XII.2003 - MADAGASCAR - EE, Ambalavao, Tsaranoro Mount., Camp Catta, 1000m, S. Biondi leg.
Allegato(i)
Lebia (Metalebia) omoxantha Alluaud, 1936 (cf.) - Carabidae

in Carabidae


Dati di raccolta: 21.XII.2003 - MADAGASCAR - EE, Ambalavao, Tsaranoro Mount., Camp Catta, 1000m, S. Biondi leg.

Apoderus

10

1144

20/02/2014, 23:27

ricdoc57 Vedi ultimo messaggio

Paussus (Anapaussus) howa Dohrn, 1881 - Carabidae Paussinae - Madagascar
30.XII.2003 - MADAGASCAR - EE, W Madagascar, Morondava distr., Kirindy Res., S. Biondi leg.
Allegato(i)
Paussus (Anapaussus) howa Dohrn, 1881 - Carabidae Paussinae - Madagascar

in Carabidae


Dati di raccolta: 30.XII.2003 - MADAGASCAR - EE, W Madagascar, Morondava distr., Kirindy Res., S. Biondi leg.

Apoderus

11

3296

18/01/2017, 19:46

Apoderus Vedi ultimo messaggio

Allegato(i)
Pheropsophus (Aptinomorphus) acutecostatus Fairmaire, 1892 - Carabidae Brachininae. Madagascar

in Carabidae


Dati di raccolta: I.2002 - MADAGASCAR - EE, Park de la Montagne d'Ambre

Apoderus

5

1003

12/05/2010, 13:17

Apoderus Vedi ultimo messaggio

Allegato(i)
Sphaerostylus cf. goryi (Laporte de Castelnau, 1834) - Carabidae Paussinae Ozaenini. Madagascar

in Carabidae


Dati di raccolta: 16.XII.2003 - MADAGASCAR - EE, Ranomafana N. Park

Apoderus

5

1488

10/05/2010, 11:42

ricdoc57 Vedi ultimo messaggio


Inserisci un link per questa ricerca

Inserisci un link per questa ricerca URL
BBCode
HTML
Vai a: