Benvenuto Ospite

Forum Entomologi Italiani

www.entomologiitaliani.net/forum
 
Oggi è 14/01/2026, 21:04

Tutti gli orari sono UTC + 1 ora [ ora legale ]

Filtro località

Filtro località

In questo pannello è possibile effettuare delle ricerche mirate in base alle località inserite nel forum.

Statistiche

Statistiche
In totale ci sono 89814 taxa:
- 85872 taxa con dati completi
- 2737 taxa con dati parziali, riconducibili ad un paese
- 1205 taxa con dati incompleti


escludi dalla ricerca i subforum
Distribuzione in Europa
Distribuzione in Italia
Filtro applicato: INDONESIA - OVEST

Pagina 1 di 1 [ 15 messaggi ]

# A B C D E F G H I J K L M N O P Q R S T U V W X Y Z
 Argomenti   Autore   Risposte   Visite    Ultimo messaggio 
Apriona cylindrica (Thomson, 1857) (cf.) - Cerambycidae
VII.2019 - INDONESIA - OVEST - EE, Sukabumi village, West Java
Allegato(i)
Apriona cylindrica (Thomson, 1857) (cf.) - Cerambycidae

in Cerambycidae


Dati di raccolta: VII.2019 - INDONESIA - OVEST - EE, Sukabumi village, West Java

Batocerino

2

1045

10/12/2020, 2:39

Batocerino Vedi ultimo messaggio

Aspidimorpha (Aspidimorpha) deusta (Fabricius, 1775) - Chrysomelidae
11.VII.2015 - INDONESIA - OVEST - EE, INDONESIA, East Java prov., Ketapang, Watu Dodol, 8°05'23"S 114°24'57"E, 2 m, I. Zappi leg.
Allegato(i)
Aspidimorpha (Aspidimorpha) deusta (Fabricius, 1775) - Chrysomelidae

in Chrysomelidae


Dati di raccolta: 11.VII.2015 - INDONESIA - OVEST - EE, INDONESIA, East Java prov., Ketapang, Watu Dodol, 8°05'23"S 114°24'57"E, 2 m, I. Zappi leg.

Enoplium

2

1414

19/02/2019, 13:34

Enoplium Vedi ultimo messaggio

Aspidimorpha (Aspidimorpha) miliaris (Fabricius, 1775) - Chrysomelidae
20.II.2005 - INDONESIA - OVEST - EE, Sumatra, Pekanbaru
Allegato(i)
Aspidimorpha (Aspidimorpha) miliaris (Fabricius, 1775) - Chrysomelidae

in Chrysomelidae


Dati di raccolta: 20.II.2005 - INDONESIA - OVEST - EE, Sumatra, Pekanbaru

Loriscola

10

2960

19/02/2012, 19:13

Chema Vedi ultimo messaggio

Batocera celebiana Thomson, 1858 - Cerambycidae
IV.1994 - INDONESIA - OVEST - EE, Greater Sunda Islands, Sumatra
Allegato(i)
Batocera celebiana Thomson, 1858 - Cerambycidae

in Cerambycidae


Dati di raccolta: IV.1994 - INDONESIA - OVEST - EE, Greater Sunda Islands, Sumatra

Batocerino

3

1496

15/04/2020, 23:02

Carlo A. Vedi ultimo messaggio

 
Cerambycidae Lamiinae

in Chrysomeloidea


Dati di raccolta: INDONESIA - OVEST - EE, Pendici del Djieng plateau Jawa centrale

Falena

6

4622

24/03/2013, 22:41

Carlo A. Vedi ultimo messaggio

Glenea (Glenea) funerula (Thomson, 1857) - Cerambycidae Lamiinae
VIII.2015 - INDONESIA - OVEST - EE, Sumatra, Mt. Sanggul, Landai, 1200-1900m, leg. St. Jakl
Allegato(i)
Glenea (Glenea) funerula (Thomson, 1857) - Cerambycidae Lamiinae

in Cerambycidae


Dati di raccolta: VIII.2015 - INDONESIA - OVEST - EE, Sumatra, Mt. Sanggul, Landai, 1200-1900m, leg. St. Jakl

Andricus

1

1001

24/06/2017, 16:59

Julodis Vedi ultimo messaggio

Glenea sp. - Cerambycidae
IV.2007 - INDONESIA - OVEST - EE, Sumatra, Mt. Sanggul, N. Payakumbuh 1200m, leg. St. Jakl
Allegato(i)
Glenea sp. - Cerambycidae

in Cerambycidae


Dati di raccolta: IV.2007 - INDONESIA - OVEST - EE, Sumatra, Mt. Sanggul, N. Payakumbuh 1200m, leg. St. Jakl

Andricus

3

1353

18/06/2017, 21:40

Andricus Vedi ultimo messaggio

Glenea sp. - Cerambycidae
I.2007 - INDONESIA - OVEST - EE, Sumatra, Riau, , Dumai, Duri, leg. St. Jakl
Allegato(i)
Glenea sp. - Cerambycidae

in Cerambycidae


Dati di raccolta: I.2007 - INDONESIA - OVEST - EE, Sumatra, Riau, , Dumai, Duri, leg. St. Jakl

Andricus

0

739

19/06/2017, 16:48

Andricus Vedi ultimo messaggio

Glenea sp. - Cerambycidae
IV.2007 - INDONESIA - OVEST - EE, Sumatra, Mt. Sanggul, N. Payakumbuh 1200m, leg. St. Jakl
Allegato(i)
Glenea sp. - Cerambycidae

in Cerambycidae


Dati di raccolta: IV.2007 - INDONESIA - OVEST - EE, Sumatra, Mt. Sanggul, N. Payakumbuh 1200m, leg. St. Jakl

Andricus

3

1189

21/06/2017, 6:41

Julodis Vedi ultimo messaggio

Glenea sp. - Cerambycidae
VI.2012 - INDONESIA - OVEST - EE, Sumatra, Mt. Sanggul, Landai, 1250m, leg. St. Jakl
Allegato(i)
Glenea sp. - Cerambycidae

in Cerambycidae


Dati di raccolta: VI.2012 - INDONESIA - OVEST - EE, Sumatra, Mt. Sanggul, Landai, 1250m, leg. St. Jakl

Andricus

0

749

20/06/2017, 16:48

Andricus Vedi ultimo messaggio

Glenea x-nigrum Aurivillius, 1913 (cf.) - Cerambycidae
XII.2009 - INDONESIA - OVEST - EE, Bali, leg. raccoglitore locale
Allegato(i)
Glenea x-nigrum Aurivillius, 1913 (cf.) - Cerambycidae

in Cerambycidae


Dati di raccolta: XII.2009 - INDONESIA - OVEST - EE, Bali, leg. raccoglitore locale

Andricus

0

662

22/06/2017, 16:48

Andricus Vedi ultimo messaggio

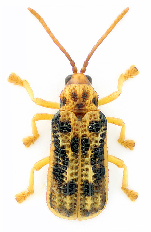
Gonophora sp. - Chrysomelidae Hispinae
1.IV.2016 - INDONESIA - OVEST - EE, Bali is., Gunung Batur Mount
Allegato(i)
Gonophora sp. - Chrysomelidae Hispinae

in Chrysomelidae indeterminati


Dati di raccolta: 1.IV.2016 - INDONESIA - OVEST - EE, Bali is., Gunung Batur Mount

Mantispid

1

598

29/07/2016, 14:23

Lech Borowiec Vedi ultimo messaggio

Pachyteria javana Bates, 1879 - Cerambycidae
X.2011 - INDONESIA - OVEST - EE, East Java, Mount Argopuro
Allegato(i)
Pachyteria javana Bates, 1879 - Cerambycidae

in Cerambycidae


Dati di raccolta: X.2011 - INDONESIA - OVEST - EE, East Java, Mount Argopuro

Julodis

3

1193

18/03/2013, 20:54

Honza Vedi ultimo messaggio

Prionispa sp. - Chrysomelidae Hispinae
1.IV.2016 - INDONESIA - OVEST - EE, Bali is., Gunung Batur Mount
Allegato(i)
Prionispa sp. - Chrysomelidae Hispinae

in Chrysomelidae indeterminati


Dati di raccolta: 1.IV.2016 - INDONESIA - OVEST - EE, Bali is., Gunung Batur Mount

Mantispid

2

694

29/07/2016, 14:47

Mantispid Vedi ultimo messaggio

Allegato(i)
Sagra sp. (femoralis/laticollis) - Chrysomelidae Sagrinae

in Chrysomelidae indeterminati


Dati di raccolta: INDONESIA - OVEST - EE, Java

uzhosnah

0

605

11/02/2015, 11:59

uzhosnah Vedi ultimo messaggio


Inserisci un link per questa ricerca

Inserisci un link per questa ricerca URL
BBCode
HTML
Vai a: