Benvenuto Ospite

Forum Entomologi Italiani

www.entomologiitaliani.net/forum
 
Oggi è 30/11/2025, 12:26

Tutti gli orari sono UTC + 1 ora [ ora legale ]

Filtro località

Filtro località

In questo pannello è possibile effettuare delle ricerche mirate in base alle località inserite nel forum.

Statistiche

Statistiche
In totale ci sono 89681 taxa:
- 85757 taxa con dati completi
- 2732 taxa con dati parziali, riconducibili ad un paese
- 1192 taxa con dati incompleti


escludi dalla ricerca i subforum
Distribuzione in Europa
Distribuzione in Italia
Filtro applicato: SLOVENIA

Pagina 1 di 1 [ 3 messaggi ]

# A B C D E F G H I J K L M N O P Q R S T U V W X Y Z
 Argomenti   Autore   Risposte   Visite    Ultimo messaggio 
Anogcodes rufiventris (Scopoli, 1763) - Oedemeridae
17.VI.2022 - SLOVENIA - EE, Kostanjevica na krki
Allegato(i)
Anogcodes rufiventris (Scopoli, 1763) - Oedemeridae

in Oedemeridae


Dati di raccolta: 17.VI.2022 - SLOVENIA - EE, Kostanjevica na krki

Dicomed

2

618

07/12/2022, 23:49

Dicomed Vedi ultimo messaggio

Chrysanthia viridissima (Linnaeus, 1758) - Oedemeridae
VII.1946 - SLOVENIA - EE, Cracinanova (Elsane)
Allegato(i) Dettagli della specie
Chrysanthia viridissima (Linnaeus, 1758) - Oedemeridae

in Oedemeridae


Dati di raccolta: VII.1946 - SLOVENIA - EE, Cracinanova (Elsane)

marco paglialunga

3

1347

04/11/2012, 11:10

StagBeetle Vedi ultimo messaggio

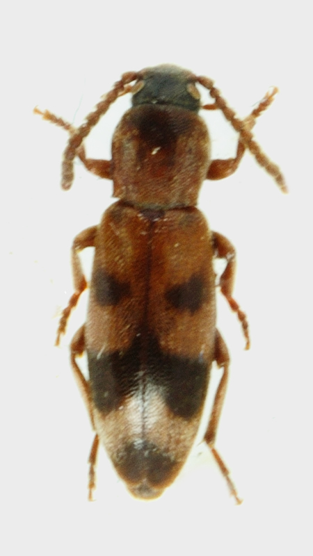
Hypulus bifasciatus (Fabricius, 1792) - Melandryidae
III.2007 - SLOVENIA - EE, Selva di Tarnova
Allegato(i)
Hypulus bifasciatus (Fabricius, 1792) - Melandryidae

in Melandryidae


Dati di raccolta: III.2007 - SLOVENIA - EE, Selva di Tarnova

hpl

5

1618

19/07/2011, 21:48

Enrico Ruzzier Vedi ultimo messaggio


Inserisci un link per questa ricerca

Inserisci un link per questa ricerca URL
BBCode
HTML
Vai a: