Benvenuto Ospite

Forum Entomologi Italiani

www.entomologiitaliani.net/forum
 
Oggi è 30/11/2025, 16:05

Tutti gli orari sono UTC + 1 ora [ ora legale ]

Filtro località

Filtro località

In questo pannello è possibile effettuare delle ricerche mirate in base alle località inserite nel forum.

Statistiche

Statistiche
In totale ci sono 89681 taxa:
- 85757 taxa con dati completi
- 2732 taxa con dati parziali, riconducibili ad un paese
- 1192 taxa con dati incompleti


escludi dalla ricerca i subforum
Distribuzione in Europa
Distribuzione in Italia
Filtro applicato: PERU

Pagina 1 di 1 [ 4 messaggi ]

# A B C D E F G H I J K L M N O P Q R S T U V W X Y Z
 Argomenti   Autore   Risposte   Visite    Ultimo messaggio 
Ceratogonys sp. - Eucnemidae
IV.2012 - PERU - EE, Peru: Junin: Satipo
Allegato(i)
Ceratogonys sp. - Eucnemidae

in Eucnemidae


Dati di raccolta: IV.2012 - PERU - EE, Peru: Junin: Satipo

cosmln

4

1645

24/10/2012, 21:13

gabrif Vedi ultimo messaggio

Chauliognathus sp. - Cantharidae - Peru
17.XI.2016 - PERU - EE, Peru, Junin dept., Satipo prov., near Rio Venado, h=1000 - 1100 m.
Allegato(i)
Chauliognathus sp. - Cantharidae - Peru

in Cantharidae


Dati di raccolta: 17.XI.2016 - PERU - EE, Peru, Junin dept., Satipo prov., near Rio Venado, h=1000 - 1100 m.

Maxim Smirnov

2

1021

09/07/2020, 21:26

Maxim Smirnov Vedi ultimo messaggio

Lampyridae - Perù
III.2012 - PERU - EE, Junin, Satipo,
Allegato(i)
Lampyridae - Perù

in Lampyridae


Dati di raccolta: III.2012 - PERU - EE, Junin, Satipo,

Julodis

4

1028

10/01/2016, 20:25

aguaplano Vedi ultimo messaggio

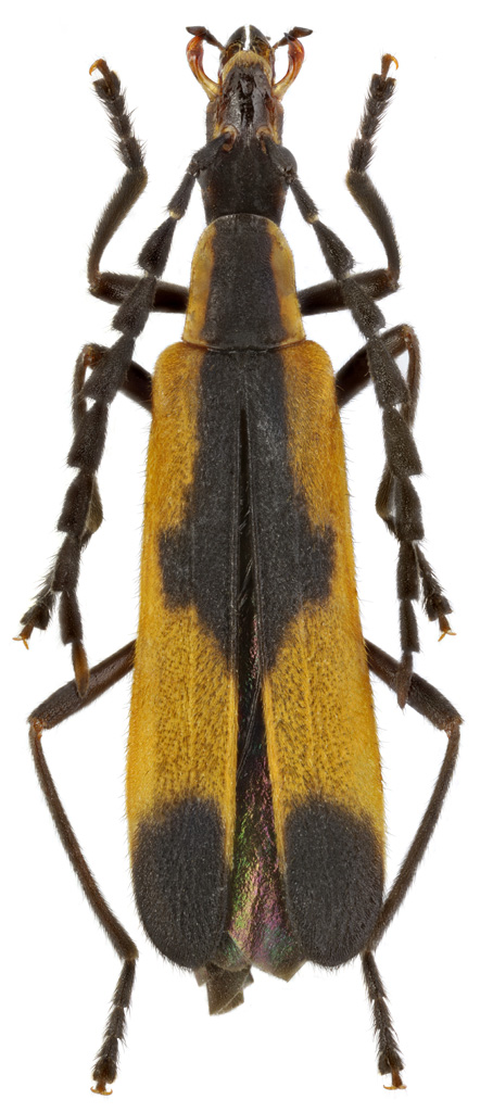
Semiotus furcatus (Fabricius, 1792) (cf.) - Elateridae
23.VIII.2013 - PERU - EE, foresta di Tambopata, madre de dios, peru/bolivia
Allegato(i)
Semiotus furcatus (Fabricius, 1792) (cf.) - Elateridae

in Elateridae


Dati di raccolta: 23.VIII.2013 - PERU - EE, foresta di Tambopata, madre de dios, peru/bolivia

venturini

1

578

13/11/2013, 20:23

Andricus Vedi ultimo messaggio


Inserisci un link per questa ricerca

Inserisci un link per questa ricerca URL
BBCode
HTML
Vai a: