Benvenuto Ospite

Forum Entomologi Italiani

www.entomologiitaliani.net/forum
 
Oggi è 20/04/2026, 11:13

Tutti gli orari sono UTC + 1 ora [ ora legale ]

Filtro località

Filtro località

In questo pannello è possibile effettuare delle ricerche mirate in base alle località inserite nel forum.

Statistiche

Statistiche
In totale ci sono 90093 taxa:
- 86148 taxa con dati completi
- 2740 taxa con dati parziali, riconducibili ad un paese
- 1205 taxa con dati incompleti


escludi dalla ricerca i subforum
Distribuzione in Europa
Distribuzione in Italia
Filtro applicato: TURCHIA

Pagina 1 di 4 [ 47 messaggi ]

# A B C D E F G H I J K L M N O P Q R S T U V W X Y Z
 Argomenti   Autore   Risposte   Visite    Ultimo messaggio 
Adrastus montanus (Scopoli) (cf.) - Elateridae
12.VI.2015 - TURCHIA - EE, Esenyurt
Allegato(i)
Adrastus montanus (Scopoli) (cf.) - Elateridae

in Elateridae


Dati di raccolta: 12.VI.2015 - TURCHIA - EE, Esenyurt

Baris99

4

655

22/06/2015, 11:41

Anostirus Vedi ultimo messaggio

Adrastus rachifer (Geoffroy) (cf.) - Elateridae
24.V.2015 - TURCHIA - EE, Esenyurt
Allegato(i)
Adrastus rachifer (Geoffroy) (cf.) - Elateridae

in Elateridae


Dati di raccolta: 24.V.2015 - TURCHIA - EE, Esenyurt

Baris99

6

766

22/06/2015, 11:42

Anostirus Vedi ultimo messaggio

Aeoloderma crucifer (Rossi 1790) - Elateridae
27.VI.2017 - TURCHIA - EE, karaman
Allegato(i)
Aeoloderma crucifer (Rossi 1790) - Elateridae

in Elateridae


Dati di raccolta: 27.VI.2017 - TURCHIA - EE, karaman

ozgur70

2

1006

14/08/2017, 23:06

ozgur70 Vedi ultimo messaggio

Agriotes gp. nuceus - Elateridae
20.V.2011 - TURCHIA - EE, 1 km N Okurcalar 36.66471 N, 31.69393 E, leg. R. Rattu
Allegato(i)
Agriotes gp. nuceus - Elateridae

in Elateridae


Dati di raccolta: 20.V.2011 - TURCHIA - EE, 1 km N Okurcalar 36.66471 N, 31.69393 E, leg. R. Rattu

Fumea crassiorella

1

526

23/08/2011, 23:16

Joro Vedi ultimo messaggio

Agriotes sp. - Elateridae
10.VI.2021 - TURCHIA - EE, Kastamonu
Allegato(i)
Agriotes sp. - Elateridae

in Elateridae


Dati di raccolta: 10.VI.2021 - TURCHIA - EE, Kastamonu

hsn6a

1

457

28/11/2022, 18:08

Anostirus Vedi ultimo messaggio

Ampedus (Ampedus) sanguinolentus (Schrank, 1776) - Elateridae
20.VI.2016 - TURCHIA - EE, Karaman Yesildere
Allegato(i)
Ampedus (Ampedus) sanguinolentus (Schrank, 1776) - Elateridae

in Elateridae


Dati di raccolta: 20.VI.2016 - TURCHIA - EE, Karaman Yesildere

ozgur70

1

498

28/07/2016, 14:25

Anostirus Vedi ultimo messaggio

Ampedus sanguinolentus (Schrank, 1776) - Elateridae
25.VI.2015 - TURCHIA - EE, Karaman
Allegato(i)
Ampedus sanguinolentus (Schrank, 1776) - Elateridae

in Elateridae


Dati di raccolta: 25.VI.2015 - TURCHIA - EE, Karaman

ozgur70

2

549

26/10/2015, 16:19

ozgur70 Vedi ultimo messaggio

Ampedus sp. - Elateridae
15.VI.2016 - TURCHIA - EE, Karaman Derekoy
Allegato(i)
Ampedus sp. - Elateridae

in Elateridae


Dati di raccolta: 15.VI.2016 - TURCHIA - EE, Karaman Derekoy

ozgur70

3

749

29/07/2016, 13:44

ozgur70 Vedi ultimo messaggio

Ampedus sp. - Elateridae
8.VI.2019 - TURCHIA - EE, Bitlis (East Turkey)
Allegato(i)
Ampedus sp. - Elateridae

in Elateridae


Dati di raccolta: 8.VI.2019 - TURCHIA - EE, Bitlis (East Turkey)

Baris99

2

889

06/05/2020, 14:32

Baris99 Vedi ultimo messaggio

Ancistronycha erichsonii erichsonii (Bach, 1852) - Cantharidae
16.VII.2007 - TURCHIA - EE, dintorni di Pazarcik
Allegato(i)
Ancistronycha erichsonii erichsonii (Bach, 1852) - Cantharidae

[ Vai alla pagina: 1, 2 ]

in Cantharidae


Dati di raccolta: 16.VII.2007 - TURCHIA - EE, dintorni di Pazarcik

Julodis

18

2833

14/02/2016, 8:28

hutia Vedi ultimo messaggio

Athous sp. - Elateridae
3.VI.2022 - TURCHIA - EE, Kastamonu
Allegato(i)
Athous sp. - Elateridae

in Elateridae


Dati di raccolta: 3.VI.2022 - TURCHIA - EE, Kastamonu

hsn6a

2

444

11/01/2023, 13:34

hsn6a Vedi ultimo messaggio

Calais parreysii (Steven, 1829) - Elateridae
15.V.1994 - TURCHIA - EE, Incekum (Antalya)
Allegato(i)
Calais parreysii (Steven, 1829) - Elateridae

[ Vai alla pagina: 1, 2 ]

in Elateridae


Dati di raccolta: 15.V.1994 - TURCHIA - EE, Incekum (Antalya)

Tenebrio

19

2363

26/07/2012, 8:29

Glaphyrus Vedi ultimo messaggio

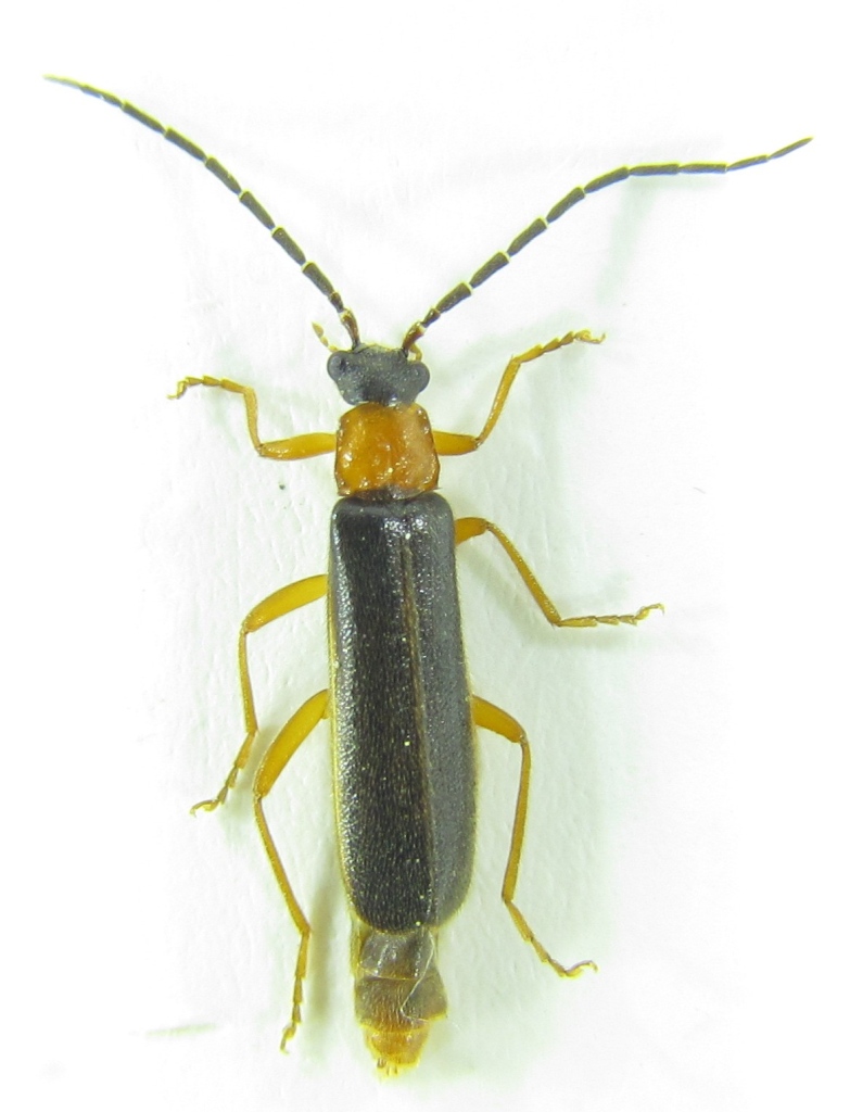
Cantharidae sp.
19.VI.2014 - TURCHIA - EE, Kızılcahamam, Ankara
Allegato(i)
Cantharidae sp.

in Cantharidae


Dati di raccolta: 19.VI.2014 - TURCHIA - EE, Kızılcahamam, Ankara

Baris99

8

1451

21/09/2015, 15:42

hutia Vedi ultimo messaggio

Cantharidae sp.
21.IV.2016 - TURCHIA - EE, Istanbul
Allegato(i)
Cantharidae sp.

in Cantharidae


Dati di raccolta: 21.IV.2016 - TURCHIA - EE, Istanbul

Baris99

2

1150

26/04/2018, 8:00

Baris99 Vedi ultimo messaggio

 
Cantharidae sp.

in Cantharidae


Dati di raccolta: 14.VI.2016 - TURCHIA - EE, Sinop

Baris99

0

1250

12/11/2016, 11:40

Baris99 Vedi ultimo messaggio



Inserisci un link per questa ricerca

Inserisci un link per questa ricerca URL
BBCode
HTML
Vai a: