Benvenuto Ospite

Forum Entomologi Italiani

www.entomologiitaliani.net/forum
 
Oggi è 20/04/2026, 21:52

Tutti gli orari sono UTC + 1 ora [ ora legale ]

Filtro località

Filtro località

In questo pannello è possibile effettuare delle ricerche mirate in base alle località inserite nel forum.

Statistiche

Statistiche
In totale ci sono 90096 taxa:
- 86151 taxa con dati completi
- 2740 taxa con dati parziali, riconducibili ad un paese
- 1205 taxa con dati incompleti


escludi dalla ricerca i subforum
Distribuzione in Europa
Distribuzione in Italia
Filtro applicato: STATI UNITI

Pagina 1 di 1 [ 6 messaggi ]

# A B C D E F G H I J K L M N O P Q R S T U V W X Y Z
 Argomenti   Autore   Risposte   Visite    Ultimo messaggio 
Chauliognathus deceptus (Fender, 1951) - Cantharidae
5.IX.2014 - STATI UNITI - EE, Colorado Springs, Colorado, USA
Allegato(i)
Chauliognathus deceptus (Fender, 1951) - Cantharidae

in Cantharidae


Dati di raccolta: 5.IX.2014 - STATI UNITI - EE, Colorado Springs, Colorado, USA

giovanni alamanni

3

928

30/11/2020, 1:17

giovanni alamanni Vedi ultimo messaggio

Chauliognathus sp. - Cantharidae
26.V.1998 - STATI UNITI - EE, Nord Carolina,Cherokee
Allegato(i)
Chauliognathus sp. - Cantharidae

in Cantharidae


Dati di raccolta: 26.V.1998 - STATI UNITI - EE, Nord Carolina,Cherokee

Honza

4

814

20/02/2024, 11:55

Honza Vedi ultimo messaggio

Lampyridae USA
4.VII.2015 - STATI UNITI - EE, Frederick
Allegato(i)
Lampyridae USA

in Lampyridae


Dati di raccolta: 4.VII.2015 - STATI UNITI - EE, Frederick

StagBeetle

2

977

24/10/2015, 10:40

hutia Vedi ultimo messaggio

Lucidota atra (G. Olivier, 1790) (cf.) - Lampyridae
3.VII.2015 - STATI UNITI - EE, Frederick (Maryalnd)
Allegato(i)
Lucidota atra (G. Olivier, 1790) (cf.) - Lampyridae

in Lampyridae


Dati di raccolta: 3.VII.2015 - STATI UNITI - EE, Frederick (Maryalnd)

StagBeetle

2

993

24/09/2015, 7:40

Julodis Vedi ultimo messaggio

Phengodes plumosa (Olivier, 1790) (cf.) - Phengodidae
VI.2012 - STATI UNITI - EE, Indiana, Hoosier NATIONAL FOREST - Perry County - raccoglitore locale
Allegato(i)
Phengodes plumosa (Olivier, 1790) (cf.) - Phengodidae

in Elateroidea


Dati di raccolta: VI.2012 - STATI UNITI - EE, Indiana, Hoosier NATIONAL FOREST - Perry County - raccoglitore locale

Fumea crassiorella

9

3398

17/01/2013, 12:45

hutia Vedi ultimo messaggio

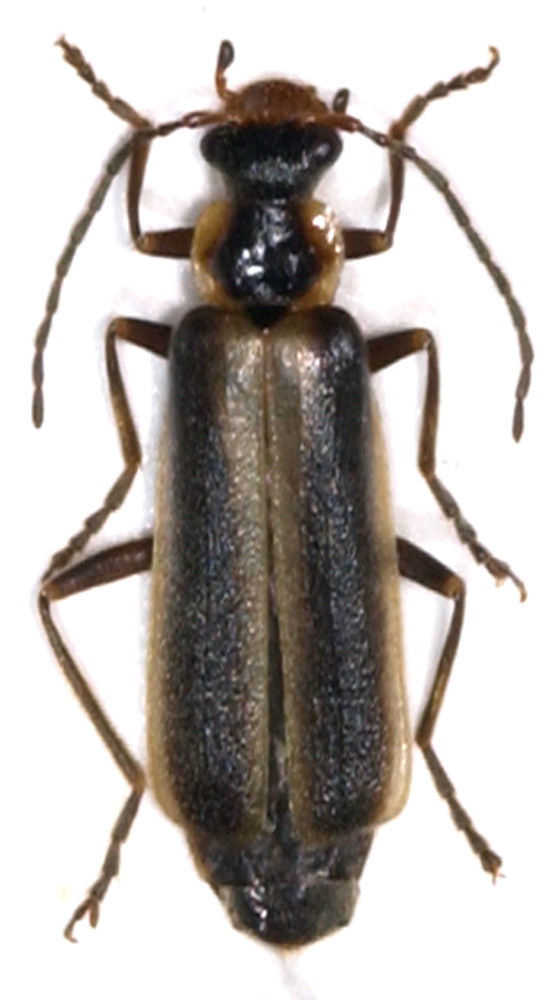
Podabrus sp. - Cantharidae
14.VI.2023 - STATI UNITI - EE, Tompkins County, New York
Allegato(i)
Podabrus sp. - Cantharidae

in Cantharidae


Dati di raccolta: 14.VI.2023 - STATI UNITI - EE, Tompkins County, New York

Batocerino

2

559

09/01/2024, 20:06

Batocerino Vedi ultimo messaggio


Inserisci un link per questa ricerca

Inserisci un link per questa ricerca URL
BBCode
HTML
Vai a:  
cron