Benvenuto Ospite

Forum Entomologi Italiani

www.entomologiitaliani.net/forum
 
Oggi è 22/04/2026, 20:47

Tutti gli orari sono UTC + 1 ora [ ora legale ]

Filtro località

Filtro località

In questo pannello è possibile effettuare delle ricerche mirate in base alle località inserite nel forum.

Statistiche

Statistiche
In totale ci sono 90103 taxa:
- 86158 taxa con dati completi
- 2740 taxa con dati parziali, riconducibili ad un paese
- 1205 taxa con dati incompleti


escludi dalla ricerca i subforum
Distribuzione in Europa
Distribuzione in Italia
Filtro applicato: ITALIA - Emilia-Romagna

Pagina 1 di 4 [ 52 messaggi ]

# A B C D E F G H I J K L M N O P Q R S T U V W X Y Z
 Argomenti   Autore   Risposte   Visite    Ultimo messaggio 
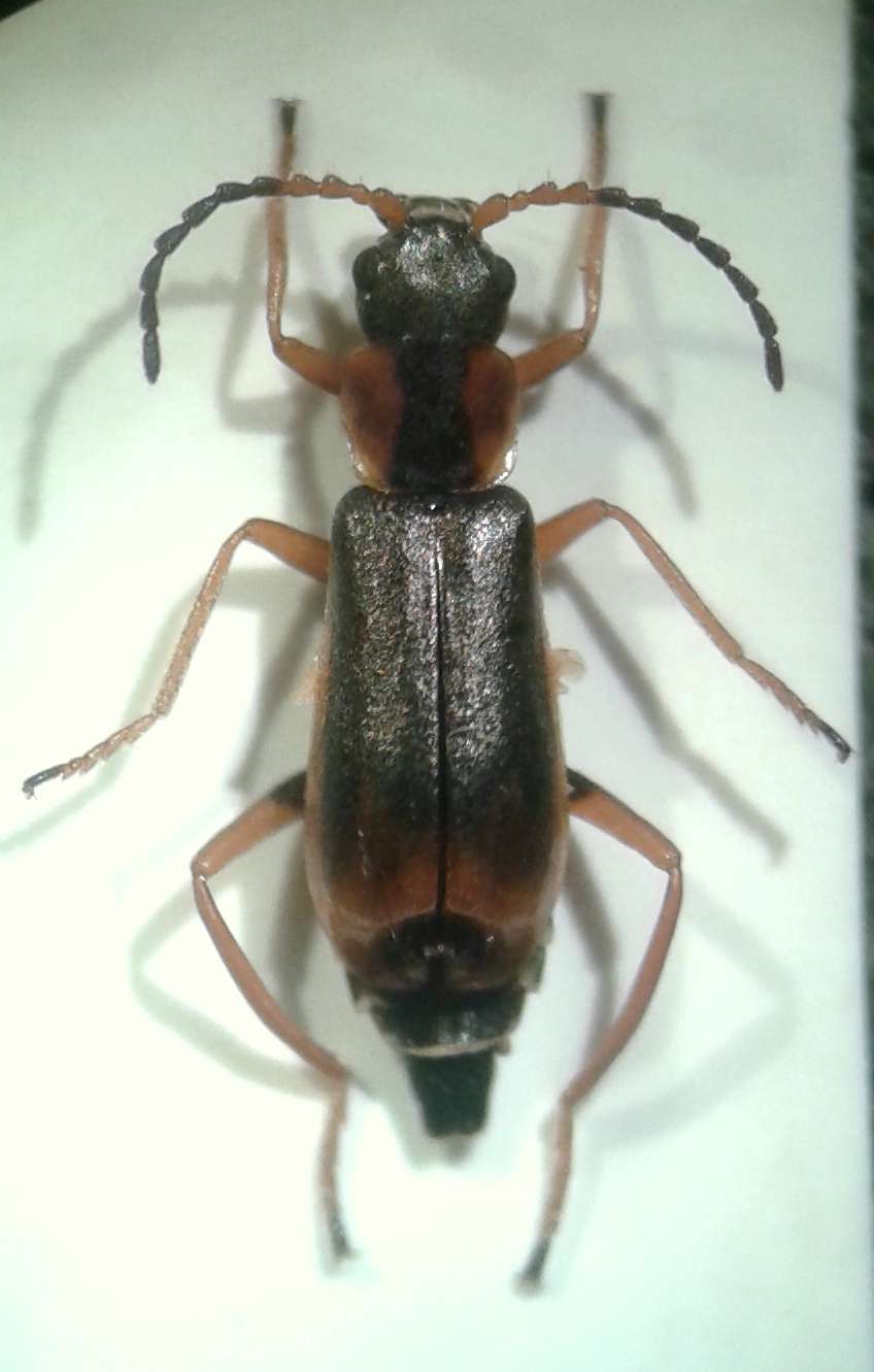
Anthocomus equestris (Fabricius, 1781) - Malachidae
12.III.2011 - ITALIA - Emilia-Romagna - BO, Sasso Marconi - Palazzo Rossi
Allegato(i)
Anthocomus equestris (Fabricius, 1781) - Malachidae

in Malachiidae


Dati di raccolta: 12.III.2011 - ITALIA - Emilia-Romagna - BO, Sasso Marconi - Palazzo Rossi

Loriscola

3

1197

04/01/2015, 21:25

gabrif Vedi ultimo messaggio

Anthocomus rufus (Herbst 1784) - Malachiidae
X.2009 - ITALIA - Emilia-Romagna - BO, Sasso Marconi - Palazzo Rossi
Allegato(i)
Anthocomus rufus (Herbst 1784) - Malachiidae

in Malachiidae


Dati di raccolta: X.2009 - ITALIA - Emilia-Romagna - BO, Sasso Marconi - Palazzo Rossi

Loriscola

7

1821

01/01/2016, 22:34

gabrif Vedi ultimo messaggio

Antholinus minimus (Rossi, 1790) ♀ - Malachiidae
17.IV.2025 - ITALIA - Emilia-Romagna - RA, Villanova di Bagnacavallo
Allegato(i)
Antholinus minimus (Rossi, 1790) ♀ - Malachiidae

in Malachiidae


Dati di raccolta: 17.IV.2025 - ITALIA - Emilia-Romagna - RA, Villanova di Bagnacavallo

Chalybion

5

1041

30/04/2025, 17:09

gabrif Vedi ultimo messaggio

Aplocnemus cribricollis ?
10.VI.2012 - ITALIA - Emilia-Romagna - BO, San Lazzaro di Savena, frazione Idice, Corso del fiume Idice
Allegato(i)
Aplocnemus cribricollis ?

in Dasytidae


Dati di raccolta: 10.VI.2012 - ITALIA - Emilia-Romagna - BO, San Lazzaro di Savena, frazione Idice, Corso del fiume Idice

Olaffio

1

539

24/10/2012, 23:02

Olaffio Vedi ultimo messaggio

Aplocnemus jejunus Kiesenwetter, 1863 - Rhadalidae
24.I.2024 - ITALIA - Emilia-Romagna - RA, dint. di Mezzano
Allegato(i)
Aplocnemus jejunus Kiesenwetter, 1863 - Rhadalidae

in Cleroidea


Dati di raccolta: 24.I.2024 - ITALIA - Emilia-Romagna - RA, dint. di Mezzano

Chalybion

4

1133

12/02/2024, 0:32

Chalybion Vedi ultimo messaggio

Aplocnemus jejunus Kiesenwetter, 1863 (cf.) - Dasytidae
10.III.2011 - ITALIA - Emilia-Romagna - MO, Modena
Allegato(i)
Aplocnemus jejunus Kiesenwetter, 1863 (cf.) - Dasytidae

in Dasytidae


Dati di raccolta: 10.III.2011 - ITALIA - Emilia-Romagna - MO, Modena

conan

4

1197

11/10/2013, 20:48

gabrif Vedi ultimo messaggio

Aplocnemus sp. - Dasytidae
20.IV.1988 - ITALIA - Emilia-Romagna - RN, San Giovanni in Marignano F. Talamelli Leg
Allegato(i)
Aplocnemus sp. - Dasytidae

in Dasytidae


Dati di raccolta: 20.IV.1988 - ITALIA - Emilia-Romagna - RN, San Giovanni in Marignano F. Talamelli Leg

tala

1

1167

10/09/2019, 16:45

gabrif Vedi ultimo messaggio

Attalus (Attalus) nourrichelii (Laporte de Castelnau, 1836) - Malachiidae
12.VIII.2012 - ITALIA - Emilia-Romagna - BO, Ozzano dell'Emilia (BO), Colline
Allegato(i)
Attalus (Attalus) nourrichelii (Laporte de Castelnau, 1836) - Malachiidae

in Malachiidae


Dati di raccolta: 12.VIII.2012 - ITALIA - Emilia-Romagna - BO, Ozzano dell'Emilia (BO), Colline

Olaffio

3

761

19/03/2013, 0:29

Olaffio Vedi ultimo messaggio

Attalus (Attalus) nourrichelii (Laporte de Castelnau, 1836) - Malachiidae
14.VII.2018 - ITALIA - Emilia-Romagna - BO, Castel d'Aiano mt. 700
Allegato(i)
Attalus (Attalus) nourrichelii (Laporte de Castelnau, 1836) - Malachiidae

in Malachiidae


Dati di raccolta: 14.VII.2018 - ITALIA - Emilia-Romagna - BO, Castel d'Aiano mt. 700

Loriscola

2

1345

17/07/2018, 22:04

Loriscola Vedi ultimo messaggio

Attalus minimus (Rossi, 1790) - Malachiidae
25.IV.2018 - ITALIA - Emilia-Romagna - BO, san giovanni in persiceto
Allegato(i)
Attalus minimus (Rossi, 1790) - Malachiidae

in Malachiidae


Dati di raccolta: 25.IV.2018 - ITALIA - Emilia-Romagna - BO, san giovanni in persiceto

emmebix

5

1485

25/04/2018, 22:03

Mattia D'Amato Vedi ultimo messaggio

Axinotarsus (Axinotarsus) ruficollis (Olivier 1790) - Malachiidae
18.VI.2015 - ITALIA - Emilia-Romagna - BO, Pian del Voglio - P. Balestra
Allegato(i)
Axinotarsus (Axinotarsus) ruficollis (Olivier 1790) - Malachiidae

in Malachiidae


Dati di raccolta: 18.VI.2015 - ITALIA - Emilia-Romagna - BO, Pian del Voglio - P. Balestra

gabrif

0

675

08/10/2015, 21:51

gabrif Vedi ultimo messaggio

Byturus ochraceus (Scriba, 1790) (cf.) - Byturidae
23.VI.2019 - ITALIA - Emilia-Romagna - BO, san giovanni in persiceto
Allegato(i)
Byturus ochraceus (Scriba, 1790) (cf.) - Byturidae

in Byturidae


Dati di raccolta: 23.VI.2019 - ITALIA - Emilia-Romagna - BO, san giovanni in persiceto

emmebix

1

1048

21/08/2019, 16:35

Agdistis Vedi ultimo messaggio

Cerapheles lateplagiatus (Fairmaire, 1862) - Malachiidae
18.V.2016 - ITALIA - Emilia-Romagna - BO, Mordano - Bubano
Allegato(i)
Cerapheles lateplagiatus (Fairmaire, 1862) - Malachiidae

in Malachiidae


Dati di raccolta: 18.V.2016 - ITALIA - Emilia-Romagna - BO, Mordano - Bubano

gabrif

1

1199

26/09/2016, 16:08

marco villa Vedi ultimo messaggio

Cerapheles lateplagiatus (Fairmaire, 1862) - Malachiidae
28.IV.2017 - ITALIA - Emilia-Romagna - BO, Mordano - Bubano
Allegato(i)
Cerapheles lateplagiatus (Fairmaire, 1862) - Malachiidae

in Malachiidae


Dati di raccolta: 28.IV.2017 - ITALIA - Emilia-Romagna - BO, Mordano - Bubano

Loriscola

2

2464

06/03/2020, 19:01

gabrif Vedi ultimo messaggio

Cerapheles lateplagiatus (Fairmaire, 1862) ♀ - Malachiidae
1.V.2021 - ITALIA - Emilia-Romagna - RA, Pineta San Vitale (RA) 01.V.2021 A. Degiovanni leg
Allegato(i)
Cerapheles lateplagiatus (Fairmaire, 1862) ♀ - Malachiidae

in Malachiidae


Dati di raccolta: 1.V.2021 - ITALIA - Emilia-Romagna - RA, Pineta San Vitale (RA) 01.V.2021 A. Degiovanni leg

Notoxus59

2

636

10/02/2022, 16:19

Notoxus59 Vedi ultimo messaggio



Inserisci un link per questa ricerca

Inserisci un link per questa ricerca URL
BBCode
HTML
Vai a: