Benvenuto Ospite

Forum Entomologi Italiani

www.entomologiitaliani.net/forum
 
Oggi è 20/04/2026, 12:53

Tutti gli orari sono UTC + 1 ora [ ora legale ]

Filtro località

Filtro località

In questo pannello è possibile effettuare delle ricerche mirate in base alle località inserite nel forum.

Statistiche

Statistiche
In totale ci sono 90094 taxa:
- 86149 taxa con dati completi
- 2740 taxa con dati parziali, riconducibili ad un paese
- 1205 taxa con dati incompleti


escludi dalla ricerca i subforum
Distribuzione in Europa
Distribuzione in Italia
Filtro applicato: ITALIA - Sardegna

Pagina 1 di 9 [ 127 messaggi ]

# A B C D E F G H I J K L M N O P Q R S T U V W X Y Z
 Argomenti   Autore   Risposte   Visite    Ultimo messaggio 
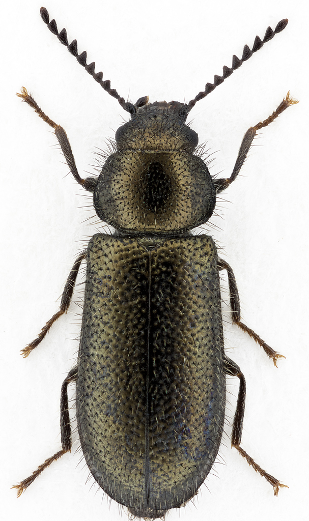
Anthocomus fenestratus Linder, 1864 - Malachiidae - nuovo per l'Italia
4.V.2012 - ITALIA - Sardegna - SS, Monte Rasu m 1000
Allegato(i)
Anthocomus fenestratus Linder, 1864 - Malachiidae - nuovo per l'Italia

in Malachiidae


Dati di raccolta: 4.V.2012 - ITALIA - Sardegna - SS, Monte Rasu m 1000

gabrif

6

1647

15/10/2015, 21:28

Andrea Pergine Vedi ultimo messaggio

Anthomalachius spinosus (Erichson, 1840) - Malachiidae
31.V.2016 - ITALIA - Sardegna - OR, Suni
Allegato(i)
Anthomalachius spinosus (Erichson, 1840) - Malachiidae

in Malachiidae


Dati di raccolta: 31.V.2016 - ITALIA - Sardegna - OR, Suni

gabrif

0

863

02/10/2016, 22:10

gabrif Vedi ultimo messaggio

Aplocnemus (Aplocnemus) cribricollis Mulsant & Rey, 1868 (cf.) - Dasytidae
2.V.2010 - ITALIA - Sardegna - CA, San Gregorio (Sinnai)
Allegato(i)
Aplocnemus (Aplocnemus) cribricollis Mulsant & Rey, 1868 (cf.) - Dasytidae

in Dasytidae


Dati di raccolta: 2.V.2010 - ITALIA - Sardegna - CA, San Gregorio (Sinnai)

Palaemonetes

2

596

07/12/2013, 20:47

Palaemonetes Vedi ultimo messaggio

Aplocnemus (Aplocnemus) pectinatus (Küster, 1849) - Dasytidae
27.IV.2016 - ITALIA - Sardegna - CA, Ussana, Riu Flumineddu
Allegato(i)
Aplocnemus (Aplocnemus) pectinatus (Küster, 1849) - Dasytidae

in Dasytidae


Dati di raccolta: 27.IV.2016 - ITALIA - Sardegna - CA, Ussana, Riu Flumineddu

cesare RBO

2

536

29/04/2016, 18:39

cesare RBO Vedi ultimo messaggio

Aplocnemus (Aplocnemus) pectinatus (Küster, 1849) - Dasytidae
27.IV.2016 - ITALIA - Sardegna - CA, Ussana, Riu Flumineddu
Allegato(i)
Aplocnemus (Aplocnemus) pectinatus (Küster, 1849) - Dasytidae

in Dasytidae


Dati di raccolta: 27.IV.2016 - ITALIA - Sardegna - CA, Ussana, Riu Flumineddu

cesare RBO

2

522

30/04/2016, 16:35

cesare RBO Vedi ultimo messaggio

Aplocnemus (Aplocnemus) pectinatus (Küster, 1849) - Dasytidae
23.IV.2016 - ITALIA - Sardegna - SS, Stintino, presso lungo mare/spiaggia
Allegato(i)
Aplocnemus (Aplocnemus) pectinatus (Küster, 1849) - Dasytidae

in Dasytidae


Dati di raccolta: 23.IV.2016 - ITALIA - Sardegna - SS, Stintino, presso lungo mare/spiaggia

Andrea Pergine

3

1127

16/01/2017, 17:45

Andrea Pergine Vedi ultimo messaggio

Aplocnemus (Aplocnemus) pectinatus (Küster, 1849) (cf.) - Dasytidae
1.III.2014 - ITALIA - Sardegna - CA, Stagno di Santa Gilla, leg. R. Rattu
Allegato(i)
Aplocnemus (Aplocnemus) pectinatus (Küster, 1849) (cf.) - Dasytidae

in Dasytidae


Dati di raccolta: 1.III.2014 - ITALIA - Sardegna - CA, Stagno di Santa Gilla, leg. R. Rattu

Fumea crassiorella

1

468

21/01/2016, 22:47

gabrif Vedi ultimo messaggio

Aplocnemus (Aplocnemus) pectinatus (Kuster, 1850) - Dasytidae
22.V.2019 - ITALIA - Sardegna - OT, Arzachena
Allegato(i)
Aplocnemus (Aplocnemus) pectinatus (Kuster, 1850) - Dasytidae

in Dasytidae


Dati di raccolta: 22.V.2019 - ITALIA - Sardegna - OT, Arzachena

Mauro

2

1134

28/05/2019, 17:05

Mauro Vedi ultimo messaggio

Aplocnemus (Aplocnemus) pectinatus (Kuster, 1850) - Dasytidae Rhadalinae
26.III.2010 - ITALIA - Sardegna - CA, Stagno di Molentargius
Allegato(i)
Aplocnemus (Aplocnemus) pectinatus (Kuster, 1850) - Dasytidae Rhadalinae

in Dasytidae


Dati di raccolta: 26.III.2010 - ITALIA - Sardegna - CA, Stagno di Molentargius

Palaemonetes

4

771

11/06/2014, 22:10

Palaemonetes Vedi ultimo messaggio

Aplocnemus (Aplocnemus) rufomarginatus Perris 1869 - Dasytidae
2.V.2012 - ITALIA - Sardegna - SS, Bono (SS) - M.te Rasu m 1000
Allegato(i)
Aplocnemus (Aplocnemus) rufomarginatus Perris 1869 - Dasytidae

in Dasytidae


Dati di raccolta: 2.V.2012 - ITALIA - Sardegna - SS, Bono (SS) - M.te Rasu m 1000

gabrif

0

480

14/10/2013, 21:10

gabrif Vedi ultimo messaggio

Aplocnemus (Diplambe) duplicatus Kiesenwetter 1871 - Dasytidae
2.V.2012 - ITALIA - Sardegna - SS, Bono (SS) - M.te Rasu m 1000
Allegato(i)
Aplocnemus (Diplambe) duplicatus Kiesenwetter 1871 - Dasytidae

in Dasytidae


Dati di raccolta: 2.V.2012 - ITALIA - Sardegna - SS, Bono (SS) - M.te Rasu m 1000

gabrif

0

550

02/11/2013, 18:33

gabrif Vedi ultimo messaggio

Aplocnemus (Diplambe) duplicatus Kiesenwetter 1871 - Dasytidae
22.IV.2012 - ITALIA - Sardegna - CA, San Gregorio (Sinnai)
Allegato(i)
Aplocnemus (Diplambe) duplicatus Kiesenwetter 1871 - Dasytidae

in Dasytidae


Dati di raccolta: 22.IV.2012 - ITALIA - Sardegna - CA, San Gregorio (Sinnai)

Palaemonetes

2

645

07/12/2013, 12:35

Palaemonetes Vedi ultimo messaggio

Aplocnemus (Diplambe) duplicatus Kiesenwetter, 1871 - Dasytidae
2.IV.2016 - ITALIA - Sardegna - CA, Sìnnai, S. Gregorio, R. Rattu leg.
Allegato(i)
Aplocnemus (Diplambe) duplicatus Kiesenwetter, 1871 - Dasytidae

in Dasytidae


Dati di raccolta: 2.IV.2016 - ITALIA - Sardegna - CA, Sìnnai, S. Gregorio, R. Rattu leg.

Fumea crassiorella

4

785

05/04/2016, 21:57

Fumea crassiorella Vedi ultimo messaggio

Aplocnemus (Diplambe) januaventi Liberti, 2007 - Dasytidae
4.VI.2015 - ITALIA - Sardegna - NU, Fonni - Bruncu Spina m 1500
Allegato(i)
Aplocnemus (Diplambe) januaventi Liberti, 2007 - Dasytidae

in Dasytidae


Dati di raccolta: 4.VI.2015 - ITALIA - Sardegna - NU, Fonni - Bruncu Spina m 1500

gabrif

4

699

25/12/2015, 20:05

gabrif Vedi ultimo messaggio

Aplocnemus jejunus Kiesenwetter, 1863 - Dasytidae
29.I.2017 - ITALIA - Sardegna - CA, Sìnnai, loc. San Gregorio, R. Rattu leg. (da legna di cipresso raccolta a XII.2016)
Allegato(i)
Aplocnemus jejunus Kiesenwetter, 1863 - Dasytidae

in Dasytidae


Dati di raccolta: 29.I.2017 - ITALIA - Sardegna - CA, Sìnnai, loc. San Gregorio, R. Rattu leg. (da legna di cipresso raccolta a XII.2016)

Fumea crassiorella

2

1004

29/01/2017, 23:50

Fumea crassiorella Vedi ultimo messaggio



Inserisci un link per questa ricerca

Inserisci un link per questa ricerca URL
BBCode
HTML
Vai a: