Benvenuto Ospite

Forum Entomologi Italiani

www.entomologiitaliani.net/forum
 
Oggi è 23/04/2026, 19:27

Tutti gli orari sono UTC + 1 ora [ ora legale ]

Filtro località

Filtro località

In questo pannello è possibile effettuare delle ricerche mirate in base alle località inserite nel forum.

Statistiche

Statistiche
In totale ci sono 90105 taxa:
- 86160 taxa con dati completi
- 2740 taxa con dati parziali, riconducibili ad un paese
- 1205 taxa con dati incompleti


escludi dalla ricerca i subforum
Distribuzione in Europa
Distribuzione in Italia
Filtro applicato: ITALIA - Puglia

Pagina 1 di 2 [ 29 messaggi ]

# A B C D E F G H I J K L M N O P Q R S T U V W X Y Z
 Argomenti   Autore   Risposte   Visite    Ultimo messaggio 
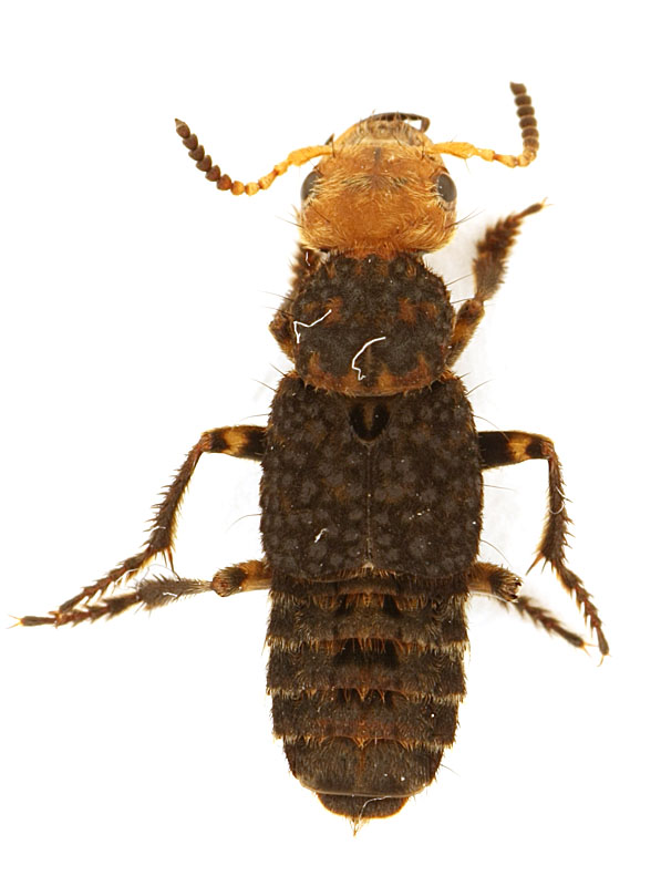
Anotylus inustus (Gravenhorst, 1806) (cf.) - Staphylinidae, Oxytelinae
10.IV.2015 - ITALIA - Puglia - TA, Bosco delle Pianelle, tra Martina Franca e Massafra, F. Izzillo leg.
Allegato(i)
Anotylus inustus (Gravenhorst, 1806) (cf.) - Staphylinidae, Oxytelinae

in Staphylinidae


Dati di raccolta: 10.IV.2015 - ITALIA - Puglia - TA, Bosco delle Pianelle, tra Martina Franca e Massafra, F. Izzillo leg.

Alessio89

3

1258

25/01/2016, 20:41

Honza Vedi ultimo messaggio

Anotylus nitidulus (Gravenhorst, 1802) (cf.) - Staphylinidae Oxytelinae
11.IV.2015 - ITALIA - Puglia - BA, Abbazia Madonna della Scala, Noci, F. Izzillo leg.
Allegato(i)
Anotylus nitidulus (Gravenhorst, 1802) (cf.) - Staphylinidae Oxytelinae

in Staphylinidae


Dati di raccolta: 11.IV.2015 - ITALIA - Puglia - BA, Abbazia Madonna della Scala, Noci, F. Izzillo leg.

Alessio89

0

611

10/09/2015, 18:51

Alessio89 Vedi ultimo messaggio

Bledius sp. (cf.) - Staphylinidae
17.VI.2009 - ITALIA - Puglia - LE, Le Cesine
Allegato(i)
Bledius sp. (cf.) - Staphylinidae

in Staphylinidae indeterminati


Dati di raccolta: 17.VI.2009 - ITALIA - Puglia - LE, Le Cesine

Valerio

0

1326

16/11/2016, 21:22

Valerio Vedi ultimo messaggio

Bledius sp. (cf.) - Staphylinidae
17.VI.2009 - ITALIA - Puglia - LE, Le Cesine
Allegato(i)
Bledius sp. (cf.) - Staphylinidae

in Staphylinidae indeterminati


Dati di raccolta: 17.VI.2009 - ITALIA - Puglia - LE, Le Cesine

Valerio

0

1326

17/11/2016, 21:10

Valerio Vedi ultimo messaggio

Dinothenarus flavocephalus (Goeze, 1777) - Staphylinidae
26.X.2011 - ITALIA - Puglia - BA, Gravina
Allegato(i)
Dinothenarus flavocephalus (Goeze, 1777) - Staphylinidae

[ Vai alla pagina: 1, 2 ]

in Staphylinidae


Dati di raccolta: 26.X.2011 - ITALIA - Puglia - BA, Gravina

Mimmo011

15

2888

09/11/2011, 12:50

Mimmo011 Vedi ultimo messaggio

Allegato(i)
Geomitopsis cf. beieri Scheerpeltz, 1931 - Staphylinidae Osoriinae Thoracophorini

[ Vai alla pagina: 1, 2 ]

in Staphylinidae


Dati di raccolta: 3.V.2018 - ITALIA - Puglia - FG, Manfredonia

marco paglialunga

25

4882

30/03/2023, 10:51

Abete bianco Vedi ultimo messaggio

Larva di Staphylinidae Pselaphinae sp.
28.XII.2016 - ITALIA - Puglia - FG, Manfredonia
Allegato(i)
Larva di Staphylinidae Pselaphinae sp.

in Staphylinidae Pselaphinae


Dati di raccolta: 28.XII.2016 - ITALIA - Puglia - FG, Manfredonia

marco paglialunga

10

3699

26/01/2017, 17:57

Alessio89 Vedi ultimo messaggio

Leiodidae Leiodinae ?
3.I.2012 - ITALIA - Puglia - BA, Gravina
Allegato(i)
Leiodidae Leiodinae ?

in Leiodidae


Dati di raccolta: 3.I.2012 - ITALIA - Puglia - BA, Gravina

Mimmo011

7

1314

04/01/2012, 10:44

FORBIX Vedi ultimo messaggio

Leptomastax sp. - Staphylinidae Scydmaeninae
3.V.2018 - ITALIA - Puglia - FG, Manfredonia
Allegato(i)
Leptomastax sp. - Staphylinidae Scydmaeninae

in Staphylinidae Scydmaeninae


Dati di raccolta: 3.V.2018 - ITALIA - Puglia - FG, Manfredonia

marco paglialunga

11

3370

26/05/2018, 8:53

marco paglialunga Vedi ultimo messaggio

Liogluta longiuscula (Gravenhorst, 1802) - Staphylinidae, Aleocharinae
10.IV.2015 - ITALIA - Puglia - TA, Bosco delle Pianelle, tra Martina Franca e Massafra, F. Izzillo leg.
Allegato(i)
Liogluta longiuscula (Gravenhorst, 1802) - Staphylinidae, Aleocharinae

in Staphylinidae


Dati di raccolta: 10.IV.2015 - ITALIA - Puglia - TA, Bosco delle Pianelle, tra Martina Franca e Massafra, F. Izzillo leg.

Alessio89

3

1344

27/05/2018, 20:08

Honza Vedi ultimo messaggio

Ocypus (Matidus) italicus (Aragona, 1830) - Staphylinidae
23.IV.2014 - ITALIA - Puglia - FG, Gargano, Foresta Umbra, Riserva nat. Falascone, 740 m, S. Biondi leg.
Allegato(i)
Ocypus (Matidus) italicus (Aragona, 1830) - Staphylinidae

in Staphylinidae


Dati di raccolta: 23.IV.2014 - ITALIA - Puglia - FG, Gargano, Foresta Umbra, Riserva nat. Falascone, 740 m, S. Biondi leg.

Apoderus

2

727

05/05/2014, 18:47

Apoderus Vedi ultimo messaggio

Ocypus (Matidus) italicus (Aragona, 1830) - Staphylinidae
18.IV.2014 - ITALIA - Puglia - FG, pressi caserma Forestale lungo la strada Vico del Gargano - Mte S. Angelo
Allegato(i)
Ocypus (Matidus) italicus (Aragona, 1830) - Staphylinidae

in Staphylinidae


Dati di raccolta: 18.IV.2014 - ITALIA - Puglia - FG, pressi caserma Forestale lungo la strada Vico del Gargano - Mte S. Angelo

Broc

2

640

08/01/2015, 20:28

Broc Vedi ultimo messaggio

Allegato(i)
Ocypus (Ocypus) ophtalmicus (Scopoli, 1763) - Staphylinidae Staphylininae Staphylinini

in Staphylinidae


Dati di raccolta: 15.VIII.2016 - ITALIA - Puglia - FG, Foce Varano

StagBeetle

1

618

26/10/2016, 9:15

mascalzonepadano Vedi ultimo messaggio

Ocypus (Pseudocypus ) fortunatarum Wollaston, 1871 - Staphylinidae
4.VI.2011 - ITALIA - Puglia - BA, Gravina
Allegato(i)
Ocypus (Pseudocypus ) fortunatarum Wollaston, 1871 - Staphylinidae

in Staphylinidae


Dati di raccolta: 4.VI.2011 - ITALIA - Puglia - BA, Gravina

Mimmo011

4

1065

04/06/2011, 21:11

Mimmo011 Vedi ultimo messaggio

Ocypus olens (O. Muller, 1764) - Staphylinidae - Puglia (Isole Tremiti)
10.V.2010 - ITALIA - Puglia - FG, isola di San Domino (Tremiti)
Allegato(i)
Ocypus olens (O. Muller, 1764) - Staphylinidae - Puglia (Isole Tremiti)

in Staphylinidae


Dati di raccolta: 10.V.2010 - ITALIA - Puglia - FG, isola di San Domino (Tremiti)

Mugy

4

840

19/10/2010, 9:58

Mugy Vedi ultimo messaggio



Inserisci un link per questa ricerca

Inserisci un link per questa ricerca URL
BBCode
HTML
Vai a:  
cron