Benvenuto Ospite

Forum Entomologi Italiani

www.entomologiitaliani.net/forum
 
Oggi è 08/05/2026, 23:52

Tutti gli orari sono UTC + 1 ora [ ora legale ]

Staphylinidae indeterminati


[ AFROTROPICALE ] [ ANTARTICO ] [ AUSTRALASIANO ] [ NEARTICO ] [ NEOTROPICALE ] [ ORIENTALE ] [ PALEARTICO ]


nuovo argomento
Pagina 1 di 1 [ 13 argomenti ]
 Argomenti   Ordine   Autore   Risposte   Visite    Ultimo messaggio 
Annunci
Nessun messaggio da leggere
Allegato(i)
Incontri entomologici della Società Entomologica Italiana 2025-2026
 

Velvet Ant

0

57432

17/11/2025, 19:41

Velvet Ant Vedi ultimo messaggio

Nessun messaggio da leggere
Allegato(i)
Incontri entomologici telematici organizzati dalla Società Entomologica Italiana nel 2022 e nel 2023

[ Vai alla paginaVai alla pagina: 1, 2, 3 ]

 

Velvet Ant

44

2084726

03/03/2023, 15:55

Velvet Ant Vedi ultimo messaggio

Nessun messaggio da leggere  
Allegato(i)
Sondaggio sul declino dell'entomofauna in Italia

[ Vai alla paginaVai alla pagina: 1, 2, 3, 4 ]

 

Velvet Ant

52

2764759

22/10/2022, 19:18

Acquarius Vedi ultimo messaggio

Nessun messaggio da leggere  
Allegato(i)
Progetto: Bibliografia ragionata dei lavori entomologici nei quali sono citati reperti apparsi su FEI

[ Vai alla paginaVai alla pagina: 1, 2, 3 ]

 

Velvet Ant

33

1672056

06/07/2023, 18:31

Orotrechus Vedi ultimo messaggio

Nessun messaggio da leggere
Allegato(i)
Mimesi, il primo documentario cinematografico sull’entomologia in Italia: casting
 

mazzeip

1

1149569

28/02/2019, 20:26

mazzeip Vedi ultimo messaggio

Questo argomento è bloccato, non puoi modificare o inviare ulteriori messaggi.
Allegato(i)
ISTRUZIONI PUBBLICAZIONE NUOVI ARGOMENTI E FOTO

 
Altri Ordini di Insetti

Julodis

4

2971349

13/05/2015, 19:37

Julodis Vedi ultimo messaggio

Nessun messaggio da leggere
Allegato(i)
Limitatore giornaliero di messaggi, uno strumento utile e ormai indispensabile

[ Vai alla paginaVai alla pagina: 1 ... 14, 15, 16 ]

 

Velvet Ant

233

14147091

25/09/2014, 14:31

Inachis Vedi ultimo messaggio

Nessun messaggio da leggere  
NORME PER I COLLABORATORI DEL FORUM

 
 

Velvet Ant

0

679928

02/06/2011, 12:05

Velvet Ant Vedi ultimo messaggio

Nessun messaggio da leggere
Allegato(i)
NORME PER GLI UTENTI DEL FORUM

[ Vai alla paginaVai alla pagina: 1, 2, 3 ]



 
 

Velvet Ant

30

3785342

23/09/2014, 23:54

Maurizio Bollino Vedi ultimo messaggio

Nessun messaggio da leggere  
Lista degli utenti del "Forum entomologi italiani" per campi di interesse e specializzazione

 
Altri Ordini di Insetti

Velvet Ant

13

1154106

07/09/2023, 17:14

Roberto-07 Vedi ultimo messaggio

Argomenti
Nessun messaggio da leggere
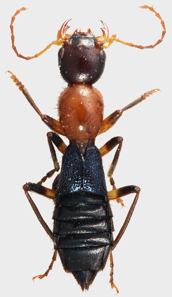
Zyras sp. from Kenya - Staphylinidae
2.II.1999 - KENYA - EE
Allegato(i)
Zyras sp. from Kenya - Staphylinidae

2.II.1999 - KENYA - EE
Coleoptera

scarabaeidae

1

287

16/01/2026, 9:46

Honza Vedi ultimo messaggio

Nessun messaggio da leggere
Staphylinidae Scaphidiinae sp. - Gabon
II.2012 - GABON - EE
Allegato(i)
Staphylinidae Scaphidiinae sp. - Gabon

II.2012 - GABON - EE
Coleoptera

Apoderus

10

1886

23/10/2020, 8:17

Apoderus Vedi ultimo messaggio

Nessun messaggio da leggere
Allegato(i)
sp. 7 - Staphylinidae Paederinae Paederini Cryptobiina - Gabon

XI.2019 - GABON - EE
Coleoptera

Daniele Sechi

2

706

06/10/2020, 14:55

Daniele Sechi Vedi ultimo messaggio

Nessun messaggio da leggere
Staphylinidae Gabon
XI.2017 - GABON - EE
Allegato(i)
Staphylinidae Gabon

XI.2017 - GABON - EE
Coleoptera

Apoderus

2

654

04/10/2020, 18:56

Apoderus Vedi ultimo messaggio

Nessun messaggio da leggere
Staphylinidae Gabon
VI.2016 - GABON - EE
Allegato(i)
Staphylinidae Gabon

VI.2016 - GABON - EE
Coleoptera

Apoderus

2

670

04/10/2020, 18:54

Apoderus Vedi ultimo messaggio

Nessun messaggio da leggere
Allegato(i)
sp. 2 - Staphylinidae Paederinae Paederini Cryptobiina - Gabon

XI.2019 - GABON - EE
Coleoptera

Daniele Sechi

2

745

04/10/2020, 14:36

Honza Vedi ultimo messaggio

Nessun messaggio da leggere
Allegato(i)
sp. 4 - Staphylinidae Lomechusini Myrmedoniina - Gabon

XI.2019 - GABON - EE
Coleoptera

Daniele Sechi

1

575

04/10/2020, 8:29

Honza Vedi ultimo messaggio

Nessun messaggio da leggere
Staphylinidae Paederinae sp. Gabon
XII.2013 - GABON - EE
Allegato(i)
Staphylinidae Paederinae sp. Gabon

XII.2013 - GABON - EE
Coleoptera

Apoderus

5

813

03/10/2020, 18:24

Honza Vedi ultimo messaggio

Nessun messaggio da leggere
Hesperus sp. - Staphylinidae
VI.2016 - GABON - EE
Allegato(i)
Hesperus sp. - Staphylinidae

VI.2016 - GABON - EE
Coleoptera

Apoderus

3

617

03/10/2020, 16:47

Apoderus Vedi ultimo messaggio

Nessun messaggio da leggere
Allegato(i)
sp. 6 - Staphylinidae Paederinae Paederini Cryptobiina - Gabon

XI.2019 - GABON - EE
Coleoptera

Daniele Sechi

1

551

03/10/2020, 14:11

Honza Vedi ultimo messaggio

Nessun messaggio da leggere
Platydracus sp. - Staphylinidae
II.2012 - GABON - EE
Allegato(i)
Platydracus sp. - Staphylinidae

II.2012 - GABON - EE
Coleoptera

Apoderus

3

750

13/02/2014, 8:00

Honza Vedi ultimo messaggio

Nessun messaggio da leggere
Cryptobium sp. - Staphylinidae - Zimbabwe
15.IV.1999 - ZIMBAWE - EE
Allegato(i)
Cryptobium sp. - Staphylinidae - Zimbabwe

15.IV.1999 - ZIMBAWE - EE
Coleoptera

Andrea Pergine

7

2529

13/12/2013, 7:46

Honza Vedi ultimo messaggio

Nessun messaggio da leggere
Allegato(i)
Staphilinidae Paederinae Pinophilini - Gabon

II.2012 - GABON - EE
Coleoptera

Apoderus

7

1015

22/03/2012, 14:52

Thaumatomyrmex Vedi ultimo messaggio

Visualizza ultimi argomenti:  Ordina per  Ordine:  
nuovo argomento
Pagina 1 di 1 [ 13 argomenti ]

Tutti gli orari sono UTC + 1 ora [ ora legale ]


Chi c’è in linea

Visitano il forum: Nessuno e 1 ospite


Legenda
Messaggi da leggere Messaggi da leggere Nessun messaggio da leggere Nessun messaggio da leggere Annuncio Annuncio
 
Specie indeterminata / discussione generica
Messaggi non letti [ Popolari ] Messaggi non letti [ Popolari ] Nessun messaggio da leggere [ Popolare ] Nessun messaggio da leggere [ Popolare ] Importante Importante
 
Specie determinata fino al genere o cf.
Messaggi non letti [ Bloccati ] Messaggi non letti [ Bloccati ] No messaggi non letti [ Bloccati ] No messaggi non letti [ Bloccati ] Argomento spostato Argomento spostato
 
Specie correttamente determinata
Permessi
Non puoi aprire nuovi argomenti
Non puoi rispondere negli argomenti
Non puoi modificare i tuoi messaggi
Non puoi cancellare i tuoi messaggi
Non puoi inviare allegati

Cerca per:
Vai a: