Benvenuto Ospite

Forum Entomologi Italiani

www.entomologiitaliani.net/forum
 
Oggi è 22/05/2026, 7:18

Tutti gli orari sono UTC + 1 ora [ ora legale ]


 
nessun taxon determinato correttamente in questo archivio

Cleridae


[ AFROTROPICALE ] [ ANTARTICO ] [ AUSTRALASIANO ] [ NEARTICO ] [ NEOTROPICALE ] [ ORIENTALE ] [ PALEARTICO ]


nuovo argomento
Pagina 1 di 1 [ 13 argomenti ]
 Argomenti   Ordine   Autore   Risposte   Visite    Ultimo messaggio 
Annunci
Nessun messaggio da leggere
Allegato(i)
Incontri entomologici della Società Entomologica Italiana 2025-2026
 

Velvet Ant

0

64716

17/11/2025, 19:41

Velvet Ant Vedi ultimo messaggio

Nessun messaggio da leggere
Allegato(i)
Incontri entomologici telematici organizzati dalla Società Entomologica Italiana nel 2022 e nel 2023

[ Vai alla paginaVai alla pagina: 1, 2, 3 ]

 

Velvet Ant

44

2142022

03/03/2023, 15:55

Velvet Ant Vedi ultimo messaggio

Nessun messaggio da leggere  
Allegato(i)
Sondaggio sul declino dell'entomofauna in Italia

[ Vai alla paginaVai alla pagina: 1, 2, 3, 4 ]

 

Velvet Ant

52

2828164

22/10/2022, 19:18

Acquarius Vedi ultimo messaggio

Nessun messaggio da leggere  
Allegato(i)
Progetto: Bibliografia ragionata dei lavori entomologici nei quali sono citati reperti apparsi su FEI

[ Vai alla paginaVai alla pagina: 1, 2, 3 ]

 

Velvet Ant

33

1718369

06/07/2023, 18:31

Orotrechus Vedi ultimo messaggio

Nessun messaggio da leggere
Allegato(i)
Mimesi, il primo documentario cinematografico sull’entomologia in Italia: casting
 

mazzeip

1

1159195

28/02/2019, 20:26

mazzeip Vedi ultimo messaggio

Questo argomento è bloccato, non puoi modificare o inviare ulteriori messaggi.
Allegato(i)
ISTRUZIONI PUBBLICAZIONE NUOVI ARGOMENTI E FOTO

 
Altri Ordini di Insetti

Julodis

4

2984930

13/05/2015, 19:37

Julodis Vedi ultimo messaggio

Nessun messaggio da leggere
Allegato(i)
Limitatore giornaliero di messaggi, uno strumento utile e ormai indispensabile

[ Vai alla paginaVai alla pagina: 1 ... 14, 15, 16 ]

 

Velvet Ant

233

14339382

25/09/2014, 14:31

Inachis Vedi ultimo messaggio

Nessun messaggio da leggere  
NORME PER I COLLABORATORI DEL FORUM

 
 

Velvet Ant

0

688224

02/06/2011, 12:05

Velvet Ant Vedi ultimo messaggio

Nessun messaggio da leggere
Allegato(i)
NORME PER GLI UTENTI DEL FORUM

[ Vai alla paginaVai alla pagina: 1, 2, 3 ]



 
 

Velvet Ant

30

3831913

23/09/2014, 23:54

Maurizio Bollino Vedi ultimo messaggio

Nessun messaggio da leggere  
Lista degli utenti del "Forum entomologi italiani" per campi di interesse e specializzazione

 
Altri Ordini di Insetti

Velvet Ant

13

1175566

07/09/2023, 17:14

Roberto-07 Vedi ultimo messaggio

Argomenti
Nessun messaggio da leggere
Allegato(i)
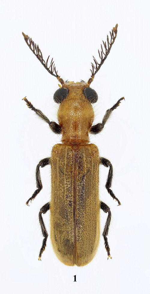
Paradoxocerus massaronei Zappi, 2018 - Cleridae - Holotypus (con descrizione)

[ Vai alla paginaVai alla pagina: 1, 2 ]



XII.2013 - GABON - EE
Coleoptera

Enoplium

16

4489

09/06/2018, 1:32

Enoplium Vedi ultimo messaggio

Nessun messaggio da leggere
Stigmatium sp. - Cleridae.
31.X.2017 - GHANA - EE
Allegato(i)
Stigmatium sp. - Cleridae.

31.X.2017 - GHANA - EE
Coleoptera

Jonalexander

3

1677

08/12/2017, 20:10

Enoplium Vedi ultimo messaggio

Nessun messaggio da leggere
Cardiostichus sp. - Cleridae
31.X.2017 - GHANA - EE
Allegato(i)
Cardiostichus sp. - Cleridae

31.X.2017 - GHANA - EE
Coleoptera

Jonalexander

2

1400

01/12/2017, 23:32

Enoplium Vedi ultimo messaggio

Nessun messaggio da leggere
Stigmatium sp. - Cleridae
VI.2016 - GABON - EE
Allegato(i)
Stigmatium sp. - Cleridae

VI.2016 - GABON - EE
Coleoptera

Apoderus

3

1092

13/07/2016, 14:27

Apoderus Vedi ultimo messaggio

Nessun messaggio da leggere
Thanasimodes sp. - Cleridae
7.I.1991 - TANZANIA, REPUBBLICA UNITA DI - EE
Allegato(i)
Thanasimodes sp. - Cleridae

7.I.1991 - TANZANIA, REPUBBLICA UNITA DI - EE
Coleoptera

Chalybion

2

1428

14/04/2014, 21:18

Chalybion Vedi ultimo messaggio

Nessun messaggio da leggere
Allegato(i)
Thanasimodes metallicus Murray, 1867 cf. - Cleridae

10.I.2013 - CAMERUN - EE
Coleoptera

Notoxus59

11

2886

16/03/2013, 0:39

Enoplium Vedi ultimo messaggio

Nessun messaggio da leggere
Erymanthus sp. - Cleridae
10.I.2013 - CAMERUN - EE
Allegato(i)
Erymanthus sp. - Cleridae

10.I.2013 - CAMERUN - EE
Coleoptera

Notoxus59

10

2793

15/03/2013, 20:46

f.izzillo Vedi ultimo messaggio

Nessun messaggio da leggere
Cleridae Clerinae - Madagascar
18.XII.2003 - MADAGASCAR - EE
Allegato(i)
Cleridae Clerinae - Madagascar

18.XII.2003 - MADAGASCAR - EE
Coleoptera

Apoderus

4

1654

28/09/2012, 16:06

Enoplium Vedi ultimo messaggio

Nessun messaggio da leggere
Cardiostichus sp. - Cleridae - Gabon
26.II.2012 - GABON - EE
Allegato(i)
Cardiostichus sp. - Cleridae - Gabon

26.II.2012 - GABON - EE
Coleoptera

Pippistrello

5

2050

26/03/2012, 21:45

Enoplium Vedi ultimo messaggio

Nessun messaggio da leggere
Strotocera sp. - Cleridae Tillinae
X.2008 - SUD AFRICA - EE
Allegato(i)
Strotocera sp. - Cleridae Tillinae

X.2008 - SUD AFRICA - EE
Coleoptera

marco paglialunga

2

1067

23/03/2011, 22:46

marco paglialunga Vedi ultimo messaggio

Nessun messaggio da leggere
Allegato(i)
Necrobia rufipes (De Geer, 1775) - Cleridae Korynetinae - Gabon

II.2011 - GABON - EE
Coleoptera

Maurizio Bollino

7

1606

22/03/2011, 18:56

Enoplium Vedi ultimo messaggio

Nessun messaggio da leggere
Allegato(i)
Tenerus lineatocollis (Castelnau, 1836) - Cleridae

14.XII.2008 - ZAMBIA - EE
Coleoptera

Isotomus

7

1880

19/03/2011, 13:11

pedux Vedi ultimo messaggio

Nessun messaggio da leggere
Cleridae Korynetinae - Zambia
XII.2008 - ZAMBIA - EE
Allegato(i)
Cleridae Korynetinae - Zambia

XII.2008 - ZAMBIA - EE
Coleoptera

Isotomus

4

1423

26/02/2011, 20:56

Isotomus Vedi ultimo messaggio

Visualizza ultimi argomenti:  Ordina per  Ordine:  
nuovo argomento
Pagina 1 di 1 [ 13 argomenti ]

Tutti gli orari sono UTC + 1 ora [ ora legale ]


Chi c’è in linea

Visitano il forum: Nessuno e 1 ospite


Legenda
Messaggi da leggere Messaggi da leggere Nessun messaggio da leggere Nessun messaggio da leggere Annuncio Annuncio
 
Specie indeterminata / discussione generica
Messaggi non letti [ Popolari ] Messaggi non letti [ Popolari ] Nessun messaggio da leggere [ Popolare ] Nessun messaggio da leggere [ Popolare ] Importante Importante
 
Specie determinata fino al genere o cf.
Messaggi non letti [ Bloccati ] Messaggi non letti [ Bloccati ] No messaggi non letti [ Bloccati ] No messaggi non letti [ Bloccati ] Argomento spostato Argomento spostato
 
Specie correttamente determinata
Permessi
Non puoi aprire nuovi argomenti
Non puoi rispondere negli argomenti
Non puoi modificare i tuoi messaggi
Non puoi cancellare i tuoi messaggi
Non puoi inviare allegati

Cerca per:
Vai a: