Benvenuto Ospite

Forum Entomologi Italiani

www.entomologiitaliani.net/forum
 
Oggi è 28/05/2026, 15:48

Tutti gli orari sono UTC + 1 ora [ ora legale ]


 
nessun taxon determinato correttamente in questo archivio

Cerambycidae


[ AFROTROPICALE ] [ ANTARTICO ] [ AUSTRALASIANO ] [ NEARTICO ] [ NEOTROPICALE ] [ ORIENTALE ] [ PALEARTICO ]


nuovo argomento
Vai alla pagina Precedente  1, 2
Pagina 2 di 2 [ 94 argomenti ]
 Argomenti   Ordine   Autore   Risposte   Visite    Ultimo messaggio 
Annunci
Nessun messaggio da leggere
Allegato(i)
Incontri entomologici della Società Entomologica Italiana 2025-2026
 

Velvet Ant

0

68058

17/11/2025, 19:41

Velvet Ant Vedi ultimo messaggio

Nessun messaggio da leggere
Allegato(i)
Incontri entomologici telematici organizzati dalla Società Entomologica Italiana nel 2022 e nel 2023

[ Vai alla paginaVai alla pagina: 1, 2, 3 ]

 

Velvet Ant

44

2180476

03/03/2023, 15:55

Velvet Ant Vedi ultimo messaggio

Nessun messaggio da leggere  
Allegato(i)
Sondaggio sul declino dell'entomofauna in Italia

[ Vai alla paginaVai alla pagina: 1, 2, 3, 4 ]

 

Velvet Ant

52

2869861

22/10/2022, 19:18

Acquarius Vedi ultimo messaggio

Nessun messaggio da leggere  
Allegato(i)
Progetto: Bibliografia ragionata dei lavori entomologici nei quali sono citati reperti apparsi su FEI

[ Vai alla paginaVai alla pagina: 1, 2, 3 ]

 

Velvet Ant

33

1747727

06/07/2023, 18:31

Orotrechus Vedi ultimo messaggio

Nessun messaggio da leggere
Allegato(i)
Mimesi, il primo documentario cinematografico sull’entomologia in Italia: casting
 

mazzeip

1

1163899

28/02/2019, 20:26

mazzeip Vedi ultimo messaggio

Questo argomento è bloccato, non puoi modificare o inviare ulteriori messaggi.
Allegato(i)
ISTRUZIONI PUBBLICAZIONE NUOVI ARGOMENTI E FOTO

 
Altri Ordini di Insetti

Julodis

4

2991620

13/05/2015, 19:37

Julodis Vedi ultimo messaggio

Nessun messaggio da leggere
Allegato(i)
Limitatore giornaliero di messaggi, uno strumento utile e ormai indispensabile

[ Vai alla paginaVai alla pagina: 1 ... 14, 15, 16 ]

 

Velvet Ant

233

14518373

25/09/2014, 14:31

Inachis Vedi ultimo messaggio

Nessun messaggio da leggere  
NORME PER I COLLABORATORI DEL FORUM

 
 

Velvet Ant

0

691826

02/06/2011, 12:05

Velvet Ant Vedi ultimo messaggio

Nessun messaggio da leggere
Allegato(i)
NORME PER GLI UTENTI DEL FORUM

[ Vai alla paginaVai alla pagina: 1, 2, 3 ]



 
 

Velvet Ant

30

3862800

23/09/2014, 23:54

Maurizio Bollino Vedi ultimo messaggio

Questo argomento è bloccato, non puoi modificare o inviare ulteriori messaggi.  
Elenco delle specie italiane di Cerambycidae presenti sul forum
Cerambycidae


 
Coleoptera

Plagionotus

0

6519

22/11/2010, 22:28

Plagionotus Vedi ultimo messaggio

Nessun messaggio da leggere  
Lista degli utenti del "Forum entomologi italiani" per campi di interesse e specializzazione

 
Altri Ordini di Insetti

Velvet Ant

13

1186572

07/09/2023, 17:14

Roberto-07 Vedi ultimo messaggio

Argomenti
Nessun messaggio da leggere
Allegato(i)
Glenea (Glenea) funerula (Thomson, 1857) - Cerambycidae Lamiinae
Cerambycidae


VIII.2015 - INDONESIA - OVEST - EE
Coleoptera

Andricus

1

1169

24/06/2017, 16:59

Julodis Vedi ultimo messaggio

Nessun messaggio da leggere
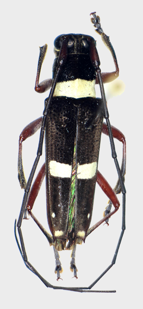
Glenea (Glenea) subviridescens Breuning, 1963 (cf.) - Cerambycidae Lamiinae
VI.2011 - POPOLARE DEL LAOS, REPUBBLICA - EE
Allegato(i)
Glenea (Glenea) subviridescens Breuning, 1963 (cf.) - Cerambycidae Lamiinae
Cerambycidae


VI.2011 - POPOLARE DEL LAOS, REPUBBLICA - EE
Coleoptera

Andricus

3

1686

24/06/2017, 12:35

Andricus Vedi ultimo messaggio

Nessun messaggio da leggere
Glenea (Glenea) virens Aurivillius, 1925 - Cerambycidae Lamiinae
V.2011 - POPOLARE DEL LAOS, REPUBBLICA - EE
Allegato(i)
Glenea (Glenea) virens Aurivillius, 1925 - Cerambycidae Lamiinae
Cerambycidae


V.2011 - POPOLARE DEL LAOS, REPUBBLICA - EE
Coleoptera

Andricus

0

1024

23/06/2017, 16:48

Andricus Vedi ultimo messaggio

Nessun messaggio da leggere
Glenea (Glenea) viridescens Pic, 1927 (cf.) - Cerambycidae Lamiinae
V.2014 - POPOLARE DEL LAOS, REPUBBLICA - EE
Allegato(i)
Glenea (Glenea) viridescens Pic, 1927 (cf.) - Cerambycidae Lamiinae
Cerambycidae


V.2014 - POPOLARE DEL LAOS, REPUBBLICA - EE
Coleoptera

Andricus

0

786

22/06/2017, 16:48

Andricus Vedi ultimo messaggio

Nessun messaggio da leggere
Glenea x-nigrum Aurivillius, 1913 (cf.) - Cerambycidae
XII.2009 - INDONESIA - OVEST - EE
Allegato(i)
Glenea x-nigrum Aurivillius, 1913 (cf.) - Cerambycidae
Cerambycidae


XII.2009 - INDONESIA - OVEST - EE
Coleoptera

Andricus

0

773

22/06/2017, 16:48

Andricus Vedi ultimo messaggio

Nessun messaggio da leggere
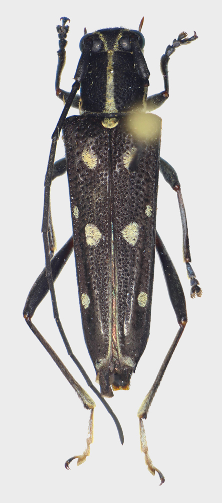
Glenea sp. - Cerambycidae
IV.2007 - INDONESIA - OVEST - EE
Allegato(i)
Glenea sp. - Cerambycidae
Cerambycidae


IV.2007 - INDONESIA - OVEST - EE
Coleoptera

Andricus

3

1401

21/06/2017, 6:41

Julodis Vedi ultimo messaggio

Nessun messaggio da leggere
Glenea sp. - Cerambycidae
VI.2012 - INDONESIA - OVEST - EE
Allegato(i)
Glenea sp. - Cerambycidae
Cerambycidae


VI.2012 - INDONESIA - OVEST - EE
Coleoptera

Andricus

0

887

20/06/2017, 16:48

Andricus Vedi ultimo messaggio

Nessun messaggio da leggere
Glenea sp. - Cerambycidae
I.2007 - INDONESIA - OVEST - EE
Allegato(i)
Glenea sp. - Cerambycidae
Cerambycidae


I.2007 - INDONESIA - OVEST - EE
Coleoptera

Andricus

0

862

19/06/2017, 16:48

Andricus Vedi ultimo messaggio

Nessun messaggio da leggere
Glenea sp. - Cerambycidae
IV.2007 - INDONESIA - OVEST - EE
Allegato(i)
Glenea sp. - Cerambycidae
Cerambycidae


IV.2007 - INDONESIA - OVEST - EE
Coleoptera

Andricus

3

1547

18/06/2017, 21:40

Andricus Vedi ultimo messaggio

Nessun messaggio da leggere
Neocerambyx gigas J. Thomson - Cerambicidae
2012 - THAILANDIA - EE
Allegato(i)
Neocerambyx gigas J. Thomson - Cerambicidae

2012 - THAILANDIA - EE
Coleoptera

Agdistis

2

1335

30/10/2016, 22:07

Agdistis Vedi ultimo messaggio

Nessun messaggio da leggere
Allegato(i)
Laosaphrodisium superbum (Pic, 1923) - Cerambycidae
Cerambycidae


VII.1988 - THAILANDIA - EE
Coleoptera

Malpertuis

6

2785

08/10/2016, 16:50

Daniele Sechi Vedi ultimo messaggio

Nessun messaggio da leggere
Allegato(i)
Glenea (Glenea) indiana (Thomson, 1857) - Cerambycidae - Tailandia
Cerambycidae


9.VII.1991 - THAILANDIA - EE
Coleoptera

marco paglialunga

5

1762

28/03/2016, 19:06

Julodis Vedi ultimo messaggio

Nessun messaggio da leggere
Batocera malletti Schmitt, 2000
XII.1988 - THAILANDIA - EE
Allegato(i)
Batocera malletti Schmitt, 2000
Cerambycidae


XII.1988 - THAILANDIA - EE
Coleoptera

Carlo A.

4

1577

12/02/2016, 21:02

TheWings Vedi ultimo messaggio

Nessun messaggio da leggere
Pseudomeges varioti Le Moult, 1946 - Cerambycidae
V.2011 - POPOLARE DEL LAOS, REPUBBLICA - EE
Allegato(i)
Pseudomeges varioti Le Moult, 1946 - Cerambycidae
Cerambycidae


V.2011 - POPOLARE DEL LAOS, REPUBBLICA - EE
Coleoptera

Anillus

7

1964

13/12/2015, 12:35

Velvet Ant Vedi ultimo messaggio

Nessun messaggio da leggere
Allegato(i)
Stratioceros princeps Lacordaire, 1869 - Cerambycidae
Cerambycidae


3.XII.2014 - INDIA - EE
Coleoptera

maurizio.vi

1

950

27/02/2015, 19:14

Enrico Ruzzier Vedi ultimo messaggio

Nessun messaggio da leggere
Allegato(i)
Cereopsius quaestor (Newman, 1842) - Cerambycidae
Cerambycidae


IV.2014 - FILIPPINE - EE
Coleoptera

Julodis

0

823

23/12/2014, 0:30

Julodis Vedi ultimo messaggio

Nessun messaggio da leggere
Allegato(i)
Batocera lineolata - Cerambycidae
Cerambycidae


THAILANDIA - EE
Coleoptera

Chalybion

4

1743

16/12/2014, 22:01

Chalybion Vedi ultimo messaggio

Nessun messaggio da leggere
Allegato(i)
Euryarthrum carinatum Pascoe, 1866 - Cerambycidae - Malesia

VII.2006 - MALESIA - EE
Coleoptera

alexaandru

5

1693

20/08/2014, 20:07

Phytoecia Vedi ultimo messaggio

Nessun messaggio da leggere
Allegato(i)
Aristobia approximator (Thomson, 1865) - Cerambycidae

THAILANDIA - EE
Coleoptera

Palaemonetes

3

1202

30/06/2014, 18:59

Enzo.C Vedi ultimo messaggio

Nessun messaggio da leggere
Epipedocera sp. - Cerambycidae
V.2011 - POPOLARE DEL LAOS, REPUBBLICA - EE
Allegato(i)
Epipedocera sp. - Cerambycidae
Cerambycidae


V.2011 - POPOLARE DEL LAOS, REPUBBLICA - EE
Coleoptera

Cassida

3

1665

11/05/2014, 0:32

Phytoecia Vedi ultimo messaggio

Nessun messaggio da leggere
Epepeotes sp. (cf.) - Cerambycidae
IV.1984 - FILIPPINE - EE
Allegato(i)
Epepeotes sp. (cf.) - Cerambycidae

IV.1984 - FILIPPINE - EE
Coleoptera

Agdistis

3

1187

13/03/2014, 22:00

Agdistis Vedi ultimo messaggio

Nessun messaggio da leggere
Allegato(i)
Pterolophia (Pterolophia) instabilis Aurivillius,1922 (cf.) - Cerambycidae
Cerambycidae


12.X.2007 - SEYCHELLES - EE
Coleoptera

mazzeip

3

1464

17/02/2014, 23:11

mazzeip Vedi ultimo messaggio

Nessun messaggio da leggere
Batocera rubus Linneo, 1758 cf. - Cerambycidae
10.IX.1987 - THAILANDIA - EE
Allegato(i)
Batocera rubus Linneo, 1758 cf. - Cerambycidae
Cerambycidae


10.IX.1987 - THAILANDIA - EE
Coleoptera

ruzzpa

5

1903

10/02/2014, 22:50

Carlo A. Vedi ultimo messaggio

Nessun messaggio da leggere
Allegato(i)
Olenecamptus bilobus (Fabricius, 1801) - Cerambycidae
Cerambycidae


1.X.2007 - SEYCHELLES - EE
Coleoptera

mazzeip

4

1876

01/02/2014, 21:31

mazzeip Vedi ultimo messaggio

Nessun messaggio da leggere
Allegato(i)
Apriona germari ssp. parvigranula Thomson, 1878 - Cerambycidae - Vietnam

16.VII.1987 - VIETNAM - EE
Coleoptera

Junger

6

2460

08/04/2013, 16:08

Junger Vedi ultimo messaggio

Nessun messaggio da leggere
Pachyteria javana Bates, 1879 - Cerambycidae
X.2011 - INDONESIA - OVEST - EE
Allegato(i)
Pachyteria javana Bates, 1879 - Cerambycidae
Cerambycidae


X.2011 - INDONESIA - OVEST - EE
Coleoptera

Julodis

3

1365

18/03/2013, 20:54

Honza Vedi ultimo messaggio

Nessun messaggio da leggere
Allegato(i)
Aphrodisium semiignitum (Chevrolat, 1841) - Cerambycidae
Cerambycidae


III.2012 - FILIPPINE - EE
Coleoptera

Andricus

3

1262

13/03/2013, 21:10

Andricus Vedi ultimo messaggio

Nessun messaggio da leggere
Allegato(i)
Epepeotes ambigenus ambigenus (Chevrolat, 1841) - Cerambycidae
Cerambycidae


VIII.2010 - FILIPPINE - EE
Coleoptera

Andricus

6

1757

15/12/2012, 16:21

Andricus Vedi ultimo messaggio

Nessun messaggio da leggere
Allegato(i)
Aristobia approximator (Thomson, 1865) - Cerambycidae

15.V.2007 - THAILANDIA - EE
Coleoptera

Umbro

2

1097

16/04/2012, 21:59

Lucanus tetraodon Vedi ultimo messaggio

Nessun messaggio da leggere
Eutaenia corbetti Gahan, 1893 - Cerambycidae
VI.1995 - THAILANDIA - EE
Allegato(i)
Eutaenia corbetti Gahan, 1893 - Cerambycidae

VI.1995 - THAILANDIA - EE
Coleoptera

Mikiphasmide

0

863

08/03/2012, 21:40

Mikiphasmide Vedi ultimo messaggio

Nessun messaggio da leggere
Allegato(i)
Batocera numitor ferruginea Thomson, 1858- Cerambycidae

THAILANDIA - EE
Coleoptera

Fabio Turchetti

2

2000

24/09/2011, 0:21

Fabio Turchetti Vedi ultimo messaggio

Nessun messaggio da leggere
Allegato(i)
Gerania bosci (Fabricius, 1801) cf. ♂ - Cerambycidae Lamiinae Agniini

26.X.1986 - THAILANDIA - EE
Coleoptera

ruzzpa

5

2135

22/09/2011, 22:21

Entomarci Vedi ultimo messaggio

Nessun messaggio da leggere
Allegato(i)
Dorysthenes walkeri Waterhouse, 1840 - Cerambycidae Prioninae Prioniini

VI.2001 - THAILANDIA - EE
Coleoptera

Maw89

9

2818

28/08/2011, 10:16

Maw89 Vedi ultimo messaggio

Nessun messaggio da leggere
High sea
XI.1989 - THAILANDIA - EE
Allegato(i)
High sea
Cerambycidae


XI.1989 - THAILANDIA - EE
Coleoptera

marco paglialunga

0

730

06/12/2010, 22:46

marco paglialunga Vedi ultimo messaggio

Nessun messaggio da leggere
Allegato(i)
Anamera densemaculata Breuning 1940 - Cerambycidae Lamiinae Lamiini

30.VI.1989 - THAILANDIA - EE
Coleoptera

marco paglialunga

0

1070

06/12/2010, 22:43

marco paglialunga Vedi ultimo messaggio

Nessun messaggio da leggere
Allegato(i)
Eutaenia trifasciella (Whitew, 1850) - Cerambycidae

THAILANDIA - EE
Coleoptera

marco paglialunga

0

785

06/12/2010, 22:39

marco paglialunga Vedi ultimo messaggio

Nessun messaggio da leggere
Cerambycidae sp.
VII.1989 - THAILANDIA - EE
Allegato(i)
Cerambycidae sp.

VII.1989 - THAILANDIA - EE
Coleoptera

marco paglialunga

0

798

27/11/2010, 17:43

marco paglialunga Vedi ultimo messaggio

Nessun messaggio da leggere
Allegato(i)
Anubis subobtusus (Pic, 1932) - Cerambycidae Cerambycinae Callichromatini - Thailandia

VI.1988 - THAILANDIA - EE
Coleoptera

Velvet Ant

3

4335

26/11/2010, 16:56

Isotomus Vedi ultimo messaggio

Nessun messaggio da leggere
Allegato(i)
Diastocera wallichii (Hope, 1831) - Cerambycidae Lamiinae Ceroplesini – Malaysia

MALESIA - EE
Coleoptera

ruzzpa

3

1630

20/11/2010, 18:57

Julodis Vedi ultimo messaggio

Nessun messaggio da leggere
Allegato(i)
Rhytidodera simulans (White, 1853) ? - Cerambycidae Cerambycini - Tailandia

15.VII.1992 - THAILANDIA - EE
Coleoptera

marco paglialunga

0

790

07/11/2010, 19:11

marco paglialunga Vedi ultimo messaggio

Nessun messaggio da leggere
Allegato(i)
Blepephaeus succinctor succinctor Chevrolat, 1852 - Cerambycidae Lamiinae Lamiini - Thailand Wiang Pa Pao

13.V.1993 - THAILANDIA - EE
Coleoptera

marco paglialunga

0

916

07/11/2010, 2:35

marco paglialunga Vedi ultimo messaggio

Nessun messaggio da leggere
Allegato(i)
Stratioceros princeps Lacordaire, 1869 - Cerambycidae

17.V.1993 - THAILANDIA - EE
Coleoptera

marco paglialunga

3

1240

26/10/2010, 18:59

marco paglialunga Vedi ultimo messaggio

Nessun messaggio da leggere
Allegato(i)
Calothyrza margaritifera Westwood, 1848 - Cerambycidae - Thailand, Mae Tha, Lamphun

VII.2002 - THAILANDIA - EE
Coleoptera

marco paglialunga

0

1064

24/10/2010, 16:54

marco paglialunga Vedi ultimo messaggio

Visualizza ultimi argomenti:  Ordina per  Ordine:  
nuovo argomento
Vai alla pagina Precedente  1, 2
Pagina 2 di 2 [ 94 argomenti ]

Tutti gli orari sono UTC + 1 ora [ ora legale ]


Chi c’è in linea

Visitano il forum: Google [Bot] e 3 ospiti


Legenda
Messaggi da leggere Messaggi da leggere Nessun messaggio da leggere Nessun messaggio da leggere Annuncio Annuncio
 
Specie indeterminata / discussione generica
Messaggi non letti [ Popolari ] Messaggi non letti [ Popolari ] Nessun messaggio da leggere [ Popolare ] Nessun messaggio da leggere [ Popolare ] Importante Importante
 
Specie determinata fino al genere o cf.
Messaggi non letti [ Bloccati ] Messaggi non letti [ Bloccati ] No messaggi non letti [ Bloccati ] No messaggi non letti [ Bloccati ] Argomento spostato Argomento spostato
 
Specie correttamente determinata
Permessi
Non puoi aprire nuovi argomenti
Non puoi rispondere negli argomenti
Non puoi modificare i tuoi messaggi
Non puoi cancellare i tuoi messaggi
Non puoi inviare allegati

Cerca per:
Vai a: