Benvenuto Ospite

Forum Entomologi Italiani

www.entomologiitaliani.net/forum
 
Oggi è 23/05/2026, 1:32

Tutti gli orari sono UTC + 1 ora [ ora legale ]

 Forum   Argomenti   Messaggi   Ultimo messaggio 
Nessun messaggio da leggere
Filtro località
Carabidae indeterminati

907

4122

11/04/2026, 20:46

phalops Vedi ultimo messaggio




28% 
1534 taxa correttamente determinati su 5471 presenti in archivio

Carabidae


[ AFROTROPICALE ] [ ANTARTICO ] [ AUSTRALASIANO ] [ NEARTICO ] [ NEOTROPICALE ] [ ORIENTALE ] [ PALEARTICO ]


nuovo argomento
Vai alla pagina Precedente  1 ... 78, 79, 80, 81, 82, 83, 84 ... 146  Prossimo
Pagina 81 di 146 [ 7255 argomenti ]
 Argomenti   Ordine   Autore   Risposte   Visite    Ultimo messaggio 
Annunci
Nessun messaggio da leggere
Allegato(i)
Incontri entomologici della Società Entomologica Italiana 2025-2026
 

Velvet Ant

0

65002

17/11/2025, 19:41

Velvet Ant Vedi ultimo messaggio

Nessun messaggio da leggere
Allegato(i)
Incontri entomologici telematici organizzati dalla Società Entomologica Italiana nel 2022 e nel 2023

[ Vai alla paginaVai alla pagina: 1, 2, 3 ]

 

Velvet Ant

44

2146804

03/03/2023, 15:55

Velvet Ant Vedi ultimo messaggio

Nessun messaggio da leggere  
Allegato(i)
Sondaggio sul declino dell'entomofauna in Italia

[ Vai alla paginaVai alla pagina: 1, 2, 3, 4 ]

 

Velvet Ant

52

2834001

22/10/2022, 19:18

Acquarius Vedi ultimo messaggio

Nessun messaggio da leggere  
Allegato(i)
Progetto: Bibliografia ragionata dei lavori entomologici nei quali sono citati reperti apparsi su FEI

[ Vai alla paginaVai alla pagina: 1, 2, 3 ]

 

Velvet Ant

33

1722669

06/07/2023, 18:31

Orotrechus Vedi ultimo messaggio

Nessun messaggio da leggere
Allegato(i)
Mimesi, il primo documentario cinematografico sull’entomologia in Italia: casting
 

mazzeip

1

1159796

28/02/2019, 20:26

mazzeip Vedi ultimo messaggio

Questo argomento è bloccato, non puoi modificare o inviare ulteriori messaggi.
Allegato(i)
ISTRUZIONI PUBBLICAZIONE NUOVI ARGOMENTI E FOTO

 
Altri Ordini di Insetti

Julodis

4

2985716

13/05/2015, 19:37

Julodis Vedi ultimo messaggio

Nessun messaggio da leggere
Allegato(i)
Limitatore giornaliero di messaggi, uno strumento utile e ormai indispensabile

[ Vai alla paginaVai alla pagina: 1 ... 14, 15, 16 ]

 

Velvet Ant

233

14358005

25/09/2014, 14:31

Inachis Vedi ultimo messaggio

Nessun messaggio da leggere  
NORME PER I COLLABORATORI DEL FORUM

 
 

Velvet Ant

0

688655

02/06/2011, 12:05

Velvet Ant Vedi ultimo messaggio

Nessun messaggio da leggere
Allegato(i)
NORME PER GLI UTENTI DEL FORUM

[ Vai alla paginaVai alla pagina: 1, 2, 3 ]



 
 

Velvet Ant

30

3836236

23/09/2014, 23:54

Maurizio Bollino Vedi ultimo messaggio

Nessun messaggio da leggere  
Lista degli utenti del "Forum entomologi italiani" per campi di interesse e specializzazione

 
Altri Ordini di Insetti

Velvet Ant

13

1176705

07/09/2023, 17:14

Roberto-07 Vedi ultimo messaggio

Argomenti
Nessun messaggio da leggere
Limodromus assimilis Paykull, 1790 - Carabidae
22.VI.2012 - ITALIA - Trentino-Alto Adige - TN
Allegato(i)
Limodromus assimilis Paykull, 1790 - Carabidae

22.VI.2012 - ITALIA - Trentino-Alto Adige - TN
Coleoptera

Lymnastis

2

597

07/08/2013, 23:12

Lymnastis Vedi ultimo messaggio

Nessun messaggio da leggere
Trechus (Trechus) bergamascus Jeannel, 1927 - Carabidae
2.VIII.2013 - ITALIA - Trentino-Alto Adige - TN
Allegato(i) Dettagli della specie
Trechus (Trechus) bergamascus Jeannel, 1927
Carabidae


2.VIII.2013 - ITALIA - Trentino-Alto Adige - TN
Coleoptera

Lymnastis

2

758

06/08/2013, 15:32

Lymnastis Vedi ultimo messaggio

Nessun messaggio da leggere
Duvalius (Duvalius) baldensis tombeanus (Ganglbauer, 1904) - Carabidae
2.VIII.2013 - ITALIA - Trentino-Alto Adige - TN
Allegato(i) Dettagli della specie
Duvalius (Duvalius) baldensis tombeanus (Ganglbauer, 1904)
Carabidae


2.VIII.2013 - ITALIA - Trentino-Alto Adige - TN
Coleoptera

Lymnastis

3

956

06/08/2013, 15:30

Lymnastis Vedi ultimo messaggio

Nessun messaggio da leggere
Allegato(i)
Pterostichus (Feronidius) melas italicus (Dejean, 1828) (cf.) - Carabidae

23.V.2013 - ITALIA - Basilicata - PZ
Coleoptera

neurottero

10

1186

05/08/2013, 19:19

eurinomio Vedi ultimo messaggio

Nessun messaggio da leggere
Poecilus (Poecilus) cupreus (Linnaeus, 1758) - Carabidae
23.V.2013 - ITALIA - Basilicata - PZ
Allegato(i)
Poecilus (Poecilus) cupreus (Linnaeus, 1758) - Carabidae

23.V.2013 - ITALIA - Basilicata - PZ
Coleoptera

neurottero

2

576

04/08/2013, 18:21

Tenebrio Vedi ultimo messaggio

Nessun messaggio da leggere
Allegato(i)
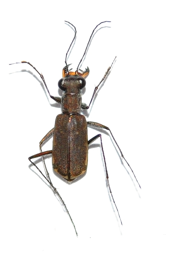
Cicindela (Cicindela) campestris atlantis Mandl, 1944 - Carabidae

1.VI.2013 - MAROCCO - EE
Coleoptera

zdeno

4

752

04/08/2013, 17:58

Tenebrio Vedi ultimo messaggio

Nessun messaggio da leggere
Leistus (Leistus) nitidus (Duftschmid, 1812) - Carabidae
28.VII.2013 - ITALIA - Trentino-Alto Adige - BZ
Allegato(i) Dettagli della specie
Leistus (Leistus) nitidus (Duftschmid, 1812)
Carabidae


28.VII.2013 - ITALIA - Trentino-Alto Adige - BZ
Coleoptera

magosti

10

1248

01/08/2013, 22:09

gomphus Vedi ultimo messaggio

Nessun messaggio da leggere
Calomera lugens lugens (Dejean, 1831) - Carabidae
30.VII.2013 - ITALIA - Sicilia - PA
Allegato(i)
Calomera lugens lugens (Dejean, 1831) - Carabidae

30.VII.2013 - ITALIA - Sicilia - PA
Coleoptera

Caliddo

6

850

30/07/2013, 20:56

Tc70 Vedi ultimo messaggio

Nessun messaggio da leggere
Epomis circumscriptus (Duftschmid, 1812) - Carabidae
25.VII.2013 - ITALIA - Sardegna - OT
Allegato(i)
Epomis circumscriptus (Duftschmid, 1812) - Carabidae

25.VII.2013 - ITALIA - Sardegna - OT
Coleoptera

elleelle

7

1148

30/07/2013, 20:51

Tc70 Vedi ultimo messaggio

Nessun messaggio da leggere
Ibrido Platycarabus depressus X Platycarabus cychroides?
6.VII.2013 - ITALIA - Piemonte - TO
Allegato(i)
Ibrido Platycarabus depressus X Platycarabus cychroides?

6.VII.2013 - ITALIA - Piemonte - TO
Coleoptera

checcapitipiti

5

1082

29/07/2013, 18:06

checcapitipiti Vedi ultimo messaggio

Nessun messaggio da leggere
Allegato(i) Dettagli della specie
Percus (Percus) grandicollis (Audinet-Serville, 1821)
Carabidae


18.IV.2013 - FRANCIA - EE
Coleoptera

ruzzpa

0

544

29/07/2013, 10:20

ruzzpa Vedi ultimo messaggio

Nessun messaggio da leggere
Carabus creutzeri ssp. kircheri Germar, 1824 - Carabidae
19.VII.2013 - ITALIA - Friuli-Venezia Giulia - UD
Allegato(i)
Carabus creutzeri ssp. kircheri Germar, 1824 - Carabidae

19.VII.2013 - ITALIA - Friuli-Venezia Giulia - UD
Coleoptera

Jacopo

7

1423

26/07/2013, 14:40

eurinomio Vedi ultimo messaggio

Nessun messaggio da leggere
Carabus (Orinocarabus) concolor Fabricius, 1792 - Carabidae
7.VII.1976 - ITALIA - Piemonte - BI
Allegato(i)
Carabus (Orinocarabus) concolor Fabricius, 1792 - Carabidae

[ Vai alla paginaVai alla pagina: 1, 2 ]



7.VII.1976 - ITALIA - Piemonte - BI
Coleoptera

StagBeetle

19

4136

23/07/2013, 11:53

Tc70 Vedi ultimo messaggio

Nessun messaggio da leggere
Allegato(i)
Carabus (Cathoplius) stenocephalus susicus Antoine, 1941 - Carabidae

23.III.1997 - MAROCCO - EE
Coleoptera

Julodis

4

1264

23/07/2013, 11:28

Tenebrio Vedi ultimo messaggio

Nessun messaggio da leggere
Carabus (Pachystus) hortensis hortensis (Linnaeus, 1758) - Carabidae
19.VII.2013 - ITALIA - Friuli-Venezia Giulia - UD
Allegato(i)
Carabus (Pachystus) hortensis hortensis (Linnaeus, 1758) - Carabidae
Carabidae


19.VII.2013 - ITALIA - Friuli-Venezia Giulia - UD
Coleoptera

Jacopo

2

825

22/07/2013, 17:36

Jacopo Vedi ultimo messaggio

Nessun messaggio da leggere
Allegato(i)
Cicindela (Cicindela) sachalinensis A.Morawitz, 1862 - Carabidae Cicindelinae

19.V.2012 - GIAPPONE - EE
Coleoptera

ruzzpa

7

1463

22/07/2013, 16:45

eurinomio Vedi ultimo messaggio

Nessun messaggio da leggere
Carabus (Orinocarabus) concolor Fabricius, 1792 - Carabidae
VIII.1948 - ITALIA - Valle d'Aosta - AO
Allegato(i)
Carabus (Orinocarabus) concolor Fabricius, 1792 - Carabidae

VIII.1948 - ITALIA - Valle d'Aosta - AO
Coleoptera

StagBeetle

3

977

21/07/2013, 20:26

StagBeetle Vedi ultimo messaggio

Nessun messaggio da leggere
Allegato(i)
Cicindela japana Motschulsky, 1858 (cf.) - Carabidae

13.V.2012 - GIAPPONE - EE
Coleoptera

ruzzpa

2

733

21/07/2013, 19:49

ruzzpa Vedi ultimo messaggio

Nessun messaggio da leggere
Calosoma sycophanta (Linnaeus, 1758) - Carabidae
6.VII.2013 - ITALIA - Toscana - LI
Allegato(i)
Calosoma sycophanta (Linnaeus, 1758) - Carabidae

6.VII.2013 - ITALIA - Toscana - LI
Coleoptera

sapri

2

604

20/07/2013, 22:51

sapri Vedi ultimo messaggio

Nessun messaggio da leggere
Percus (Percus) reichei Kraatz 1858 - Carabidae
18.IV.2013 - FRANCIA - EE
Allegato(i)
Percus (Percus) reichei Kraatz 1858 - Carabidae

18.IV.2013 - FRANCIA - EE
Coleoptera

ruzzpa

1

521

20/07/2013, 22:19

Tenebrio Vedi ultimo messaggio

Nessun messaggio da leggere
Ocydromus (Peryphanes) latinus (Netolitzky, 1911) - Carabidae
26.VII.2012 - ITALIA - Toscana - PI
Allegato(i)
Ocydromus (Peryphanes) latinus (Netolitzky, 1911) - Carabidae

26.VII.2012 - ITALIA - Toscana - PI
Coleoptera

Stefano79

1

541

20/07/2013, 19:31

Stefano79 Vedi ultimo messaggio

Nessun messaggio da leggere
Parophonus maculicornis (Duftschmid, 1812) - Carabidae
30.V.2012 - ITALIA - Toscana - PI
Allegato(i)
Parophonus maculicornis (Duftschmid, 1812) - Carabidae

30.V.2012 - ITALIA - Toscana - PI
Coleoptera

Stefano79

2

609

20/07/2013, 19:28

Stefano79 Vedi ultimo messaggio

Nessun messaggio da leggere
Dyschiriodes (Dyschiriodes) aeneus (Dejean, 1825) - Carabidae
26.VII.2012 - ITALIA - Toscana - PI
Allegato(i)
Dyschiriodes (Dyschiriodes) aeneus (Dejean, 1825) - Carabidae

26.VII.2012 - ITALIA - Toscana - PI
Coleoptera

Stefano79

3

771

20/07/2013, 19:26

Stefano79 Vedi ultimo messaggio

Nessun messaggio da leggere
Acupalpus notatus Mulsant & Rey, 1861 - Carabidae
30.VI.2012 - ITALIA - Toscana - PI
Allegato(i)
Acupalpus notatus Mulsant & Rey, 1861 - Carabidae

30.VI.2012 - ITALIA - Toscana - PI
Coleoptera

Stefano79

3

1259

20/07/2013, 19:12

Stefano79 Vedi ultimo messaggio

Nessun messaggio da leggere
Acupalpus paludicola Reitter, 1884 - Carabidae
26.VII.2012 - ITALIA - Toscana - PI
Allegato(i)
Acupalpus paludicola Reitter, 1884 - Carabidae

26.VII.2012 - ITALIA - Toscana - PI
Coleoptera

Stefano79

4

1350

20/07/2013, 19:10

Stefano79 Vedi ultimo messaggio

Nessun messaggio da leggere
Acupalpus notatus Mulsant & Rey, 1861 - Carabidae
20.VI.2012 - ITALIA - Toscana - PI
Allegato(i)
Acupalpus notatus Mulsant & Rey, 1861 - Carabidae

20.VI.2012 - ITALIA - Toscana - PI
Coleoptera

Stefano79

1

974

20/07/2013, 19:07

Stefano79 Vedi ultimo messaggio

Nessun messaggio da leggere
Microlestes fissuralis (Reitter, 1900) - Carabidae
13.V.2012 - ITALIA - Toscana - PI
Allegato(i)
Microlestes fissuralis (Reitter, 1900) - Carabidae

13.V.2012 - ITALIA - Toscana - PI
Coleoptera

Stefano79

1

630

20/07/2013, 19:01

Stefano79 Vedi ultimo messaggio

Nessun messaggio da leggere
Harpalus (Harpalus) attenuatus Stephens, 1828 - Carabidae
7.IX.2012 - ITALIA - Toscana - PI
Allegato(i)
Harpalus (Harpalus) attenuatus Stephens, 1828 - Carabidae

7.IX.2012 - ITALIA - Toscana - PI
Coleoptera

Stefano79

1

557

20/07/2013, 18:52

Stefano79 Vedi ultimo messaggio

Nessun messaggio da leggere
Asaphidion stierlini (Heyden, 1880) - Carabidae
5.VII.2012 - ITALIA - Toscana - PI
Allegato(i)
Asaphidion stierlini (Heyden, 1880) - Carabidae

5.VII.2012 - ITALIA - Toscana - PI
Coleoptera

Stefano79

5

932

20/07/2013, 18:24

Stefano79 Vedi ultimo messaggio

Nessun messaggio da leggere
Amblystomus niger (Heer, 1841) - Carabidae
27.VI.2012 - ITALIA - Toscana - PI
Allegato(i)
Amblystomus niger (Heer, 1841) - Carabidae

27.VI.2012 - ITALIA - Toscana - PI
Coleoptera

Stefano79

3

845

20/07/2013, 18:16

Stefano79 Vedi ultimo messaggio

Nessun messaggio da leggere
Acupalpus maculatus Schaum, 1860 - Carabidae
27.VI.2012 - ITALIA - Toscana - PI
Allegato(i)
Acupalpus maculatus Schaum, 1860 - Carabidae

27.VI.2012 - ITALIA - Toscana - PI
Coleoptera

Stefano79

1

898

20/07/2013, 18:07

Stefano79 Vedi ultimo messaggio

Nessun messaggio da leggere
Acupalpus paludicola Reitter, 1884 - Carabidae
27.VI.2012 - ITALIA - Toscana - PI
Allegato(i)
Acupalpus paludicola Reitter, 1884 - Carabidae

27.VI.2012 - ITALIA - Toscana - PI
Coleoptera

Stefano79

1

710

20/07/2013, 18:03

Stefano79 Vedi ultimo messaggio

Nessun messaggio da leggere
Acupalpus notatus Mulsant & Rey, 1861 - Carabidae
12.V.2012 - ITALIA - Toscana - PI
Allegato(i)
Acupalpus notatus Mulsant & Rey, 1861 - Carabidae

12.V.2012 - ITALIA - Toscana - PI
Coleoptera

Stefano79

2

1012

20/07/2013, 17:42

Stefano79 Vedi ultimo messaggio

Nessun messaggio da leggere
Allegato(i) Dettagli della specie
Dicheirotrichus (Dicheirotrichus) pallidus (Dejean, 1829)
Carabidae


24.IX.2012 - ITALIA - Toscana - PI
Coleoptera

Stefano79

9

1598

20/07/2013, 17:31

Stefano79 Vedi ultimo messaggio

Nessun messaggio da leggere
Odacantha (Odacantha) melanura (Linnaeus, 1767) - Carabidae
25.IV.2013 - ITALIA - Emilia-Romagna - FE
Allegato(i)
Odacantha (Odacantha) melanura (Linnaeus, 1767) - Carabidae

25.IV.2013 - ITALIA - Emilia-Romagna - FE
Coleoptera

Loriscola

4

991

18/07/2013, 8:16

Loriscola Vedi ultimo messaggio

Nessun messaggio da leggere
Porotachys bisulcatus (Nicolai, 1822) -Carabidae
14.VII.2013 - ITALIA - Marche - PU
Allegato(i)
Porotachys bisulcatus (Nicolai, 1822) -Carabidae

14.VII.2013 - ITALIA - Marche - PU
Coleoptera

marco paglialunga

0

439

17/07/2013, 0:53

marco paglialunga Vedi ultimo messaggio

Nessun messaggio da leggere
Molops striolatus (Fabricius, 1801) (cf.) - Carabidae
23.VI.2013 - ITALIA - Veneto - BL
Allegato(i)
Molops striolatus (Fabricius, 1801) (cf.) - Carabidae

23.VI.2013 - ITALIA - Veneto - BL
Coleoptera

Loriscola

1

673

16/07/2013, 21:45

Andrea Pergine Vedi ultimo messaggio

Nessun messaggio da leggere
Allegato(i) Dettagli della specie
Carabus (Archicarabus) alysidotus alysidotus Illiger, 1798
Carabidae


28.VI.2013 - ITALIA - Lazio - RM
Coleoptera

Julodis

0

715

14/07/2013, 22:49

Julodis Vedi ultimo messaggio

Nessun messaggio da leggere
Princidium (Testedium) bipunctatum (Linnaeus, 1761) - Carabidae
21.VI.2013 - ITALIA - Trentino-Alto Adige - BZ
Allegato(i)
Princidium (Testedium) bipunctatum (Linnaeus, 1761) - Carabidae

21.VI.2013 - ITALIA - Trentino-Alto Adige - BZ
Coleoptera

Loriscola

2

675

14/07/2013, 20:12

gomphus Vedi ultimo messaggio

Nessun messaggio da leggere
Allegato(i)
Carabus (Pachystus) glabratus Paykull, 1790 - Carabidae
Carabidae


14.VII.2013 - SVIZZERA - EE
Coleoptera

gio

5

1350

14/07/2013, 19:40

gio Vedi ultimo messaggio

Nessun messaggio da leggere
Elaphrus (Neoelaphrus) cupreus Duftschmid, 1812 - Carabidae
21.VI.2013 - ITALIA - Trentino-Alto Adige - BZ
Allegato(i) Dettagli della specie
Elaphrus (Neoelaphrus) cupreus Duftschmid, 1812
Carabidae


21.VI.2013 - ITALIA - Trentino-Alto Adige - BZ
Coleoptera

Loriscola

4

1032

14/07/2013, 18:37

eurinomio Vedi ultimo messaggio

Nessun messaggio da leggere
Allegato(i)
Pterostichus (Feronidius) melas italicus (Dejean, 1828) (cf.) - Carabidae

1.VII.2013 - ITALIA - Basilicata - PZ
Coleoptera

neurottero

2

788

13/07/2013, 16:36

neurottero Vedi ultimo messaggio

Nessun messaggio da leggere
Trepanes (Trepanes) articulatus (Panzer, 1796) - Carabidae
18.V.2013 - ITALIA - Marche - AN
Allegato(i)
Trepanes (Trepanes) articulatus (Panzer, 1796) - Carabidae

18.V.2013 - ITALIA - Marche - AN
Coleoptera

StagBeetle

1

630

12/07/2013, 20:15

magosti Vedi ultimo messaggio

Nessun messaggio da leggere
Allegato(i)
Pterostichus (Pterostichus) micans Heer, 1841 - Carabidae

9.VII.2013 - SVIZZERA - EE
Coleoptera

gio

9

1237

11/07/2013, 19:27

gio Vedi ultimo messaggio

Nessun messaggio da leggere
Allegato(i)
Carabus (Archicarabus) rossii Dejean 1826 - Carabidae

ITALIA - Lazio - VT
Coleoptera

fagus

9

1361

11/07/2013, 19:16

fagus Vedi ultimo messaggio

Nessun messaggio da leggere
Omophron limbatum (Fabricius, 1777) - Carabidae
30.IV.2013 - ITALIA - Marche - AN
Allegato(i) Dettagli della specie
Omophron limbatum (Fabricius, 1777)
Carabidae


30.IV.2013 - ITALIA - Marche - AN
Coleoptera

StagBeetle

4

808

10/07/2013, 12:25

Mikiphasmide Vedi ultimo messaggio

Nessun messaggio da leggere
Allegato(i)
Pterostichus (Pseudomaseus) nigrita (Paykull, 1790) - Carabidae

7.IX.2011 - ITALIA - Toscana - LU
Coleoptera

Michael

10

1306

07/07/2013, 14:55

gomphus Vedi ultimo messaggio

Nessun messaggio da leggere
Amara (Amara) lucida (Duftschmid, 1812) - Carabidae
18.IV.2013 - ITALIA - Marche - AN
Allegato(i)
Amara (Amara) lucida (Duftschmid, 1812) - Carabidae

18.IV.2013 - ITALIA - Marche - AN
Coleoptera

StagBeetle

1

713

07/07/2013, 11:26

Notoxus59 Vedi ultimo messaggio

Nessun messaggio da leggere
Amara (Amara) similata (Gyllenhal, 1810) - Carabidae
18.IV.2013 - ITALIA - Marche - AN
Allegato(i)
Amara (Amara) similata (Gyllenhal, 1810) - Carabidae

18.IV.2013 - ITALIA - Marche - AN
Coleoptera

StagBeetle

1

643

07/07/2013, 11:23

Notoxus59 Vedi ultimo messaggio

Nessun messaggio da leggere
Allegato(i)
Anisodactylus (Anisodactylus) binotatus (Fabricius, 1787) - Carabidae

24.III.2013 - ITALIA - Toscana - LU
Coleoptera

Michael

2

714

05/07/2013, 13:46

Michael Vedi ultimo messaggio

Visualizza ultimi argomenti:  Ordina per  Ordine:  
nuovo argomento
Vai alla pagina Precedente  1 ... 78, 79, 80, 81, 82, 83, 84 ... 146  Prossimo
Pagina 81 di 146 [ 7255 argomenti ]

Tutti gli orari sono UTC + 1 ora [ ora legale ]


Chi c’è in linea

Visitano il forum: Nessuno e 2 ospiti


Legenda
Messaggi da leggere Messaggi da leggere Nessun messaggio da leggere Nessun messaggio da leggere Annuncio Annuncio
 
Specie indeterminata / discussione generica
Messaggi non letti [ Popolari ] Messaggi non letti [ Popolari ] Nessun messaggio da leggere [ Popolare ] Nessun messaggio da leggere [ Popolare ] Importante Importante
 
Specie determinata fino al genere o cf.
Messaggi non letti [ Bloccati ] Messaggi non letti [ Bloccati ] No messaggi non letti [ Bloccati ] No messaggi non letti [ Bloccati ] Argomento spostato Argomento spostato
 
Specie correttamente determinata
Permessi
Non puoi aprire nuovi argomenti
Non puoi rispondere negli argomenti
Non puoi modificare i tuoi messaggi
Non puoi cancellare i tuoi messaggi
Non puoi inviare allegati

Cerca per:
Vai a: