Benvenuto Ospite

Forum Entomologi Italiani

www.entomologiitaliani.net/forum
 
Oggi è 14/04/2026, 11:13

Tutti gli orari sono UTC + 1 ora [ ora legale ]


92% 
2928 taxa correttamente determinati su 3182 presenti in archivio

Cerambycidae


[ AFROTROPICALE ] [ ANTARTICO ] [ AUSTRALASIANO ] [ NEARTICO ] [ NEOTROPICALE ] [ ORIENTALE ] [ PALEARTICO ]


nuovo argomento
Vai alla pagina Precedente  1 ... 18, 19, 20, 21, 22, 23, 24 ... 94  Prossimo
Pagina 21 di 94 [ 4653 argomenti ]
 Argomenti   Ordine   Autore   Risposte   Visite    Ultimo messaggio 
Annunci
Nessun messaggio da leggere
Allegato(i)
Incontri entomologici della Società Entomologica Italiana 2025-2026
 

Velvet Ant

0

46311

17/11/2025, 19:41

Velvet Ant Vedi ultimo messaggio

Nessun messaggio da leggere
Allegato(i)
Incontri entomologici telematici organizzati dalla Società Entomologica Italiana nel 2022 e nel 2023

[ Vai alla paginaVai alla pagina: 1, 2, 3 ]

 

Velvet Ant

44

1996438

03/03/2023, 15:55

Velvet Ant Vedi ultimo messaggio

Nessun messaggio da leggere  
Allegato(i)
Sondaggio sul declino dell'entomofauna in Italia

[ Vai alla paginaVai alla pagina: 1, 2, 3, 4 ]

 

Velvet Ant

52

2667576

22/10/2022, 19:18

Acquarius Vedi ultimo messaggio

Nessun messaggio da leggere  
Allegato(i)
Progetto: Bibliografia ragionata dei lavori entomologici nei quali sono citati reperti apparsi su FEI

[ Vai alla paginaVai alla pagina: 1, 2, 3 ]

 

Velvet Ant

33

1602240

06/07/2023, 18:31

Orotrechus Vedi ultimo messaggio

Nessun messaggio da leggere
Allegato(i)
Mimesi, il primo documentario cinematografico sull’entomologia in Italia: casting
 

mazzeip

1

1136201

28/02/2019, 20:26

mazzeip Vedi ultimo messaggio

Questo argomento è bloccato, non puoi modificare o inviare ulteriori messaggi.
Allegato(i)
ISTRUZIONI PUBBLICAZIONE NUOVI ARGOMENTI E FOTO

 
Altri Ordini di Insetti

Julodis

4

2952878

13/05/2015, 19:37

Julodis Vedi ultimo messaggio

Nessun messaggio da leggere
Allegato(i)
Limitatore giornaliero di messaggi, uno strumento utile e ormai indispensabile

[ Vai alla paginaVai alla pagina: 1 ... 14, 15, 16 ]

 

Velvet Ant

233

13753175

25/09/2014, 14:31

Inachis Vedi ultimo messaggio

Nessun messaggio da leggere  
NORME PER I COLLABORATORI DEL FORUM

 
 

Velvet Ant

0

669276

02/06/2011, 12:05

Velvet Ant Vedi ultimo messaggio

Nessun messaggio da leggere
Allegato(i)
NORME PER GLI UTENTI DEL FORUM

[ Vai alla paginaVai alla pagina: 1, 2, 3 ]



 
 

Velvet Ant

30

3719750

23/09/2014, 23:54

Maurizio Bollino Vedi ultimo messaggio

Questo argomento è bloccato, non puoi modificare o inviare ulteriori messaggi.  
Elenco delle specie italiane di Cerambycidae presenti sul forum
Cerambycidae


 
Coleoptera

Plagionotus

0

6416

22/11/2010, 22:28

Plagionotus Vedi ultimo messaggio

Nessun messaggio da leggere  
Lista degli utenti del "Forum entomologi italiani" per campi di interesse e specializzazione

 
Altri Ordini di Insetti

Velvet Ant

13

1121652

07/09/2023, 17:14

Roberto-07 Vedi ultimo messaggio

Argomenti
Nessun messaggio da leggere
Trichoferus holosericeus (Rossi, 1790) - Cerambycidae
19.VII.2016 - ITALIA - Emilia-Romagna - FE
Allegato(i) Dettagli della specie
Trichoferus holosericeus (Rossi, 1790)
Cerambycidae


19.VII.2016 - ITALIA - Emilia-Romagna - FE
Coleoptera

skapc66

7

2866

14/11/2016, 8:36

skapc66 Vedi ultimo messaggio

Nessun messaggio da leggere
Paracorymbia simplonica (Fairmaire, 1885) - Cerambycidae
15.VI.2014 - ITALIA - Lombardia - SO
Allegato(i) Dettagli della specie
Paracorymbia simplonica (Fairmaire, 1885)
Cerambycidae

[ Vai alla paginaVai alla pagina: 1, 2 ]



15.VI.2014 - ITALIA - Lombardia - SO
Coleoptera

skip

16

4848

13/11/2016, 10:10

Julodis Vedi ultimo messaggio

Nessun messaggio da leggere
Tetropium castaneum (Linnaeus, 1758) - Cerambycidae
28.VII.2016 - ITALIA - Trentino-Alto Adige - TN
Allegato(i) Dettagli della specie
Tetropium castaneum (Linnaeus, 1758)
Cerambycidae


28.VII.2016 - ITALIA - Trentino-Alto Adige - TN
Coleoptera

skip

6

1900

11/11/2016, 16:21

skip Vedi ultimo messaggio

Nessun messaggio da leggere
Parmena unifasciata (Rossi, 1790) - Cerambycidae
25.VI.2016 - ITALIA - Marche - MC
Allegato(i) Dettagli della specie
Parmena unifasciata (Rossi, 1790)
Cerambycidae


25.VI.2016 - ITALIA - Marche - MC
Coleoptera

Andream

2

1103

07/11/2016, 20:21

Andream Vedi ultimo messaggio

Nessun messaggio da leggere
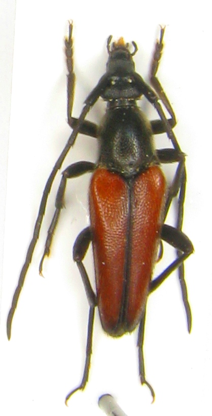
Niphona picticornis Mulsant, 1839 - Cerambycidae
17.VIII.2013 - ITALIA - Lazio - LT
Allegato(i) Dettagli della specie
Niphona picticornis Mulsant, 1839
Cerambycidae


17.VIII.2013 - ITALIA - Lazio - LT
Coleoptera

zefi

2

1033

06/11/2016, 15:37

zefi Vedi ultimo messaggio

Nessun messaggio da leggere
Allegato(i) Dettagli della specie
Plagionotus detritus detritus (Linnaeus, 1758)
Cerambycidae


28.V.2016 - ITALIA - Veneto - PD
Coleoptera

skapc66

2

1254

05/11/2016, 19:16

Lucanus tetraodon Vedi ultimo messaggio

Nessun messaggio da leggere
Allegato(i)
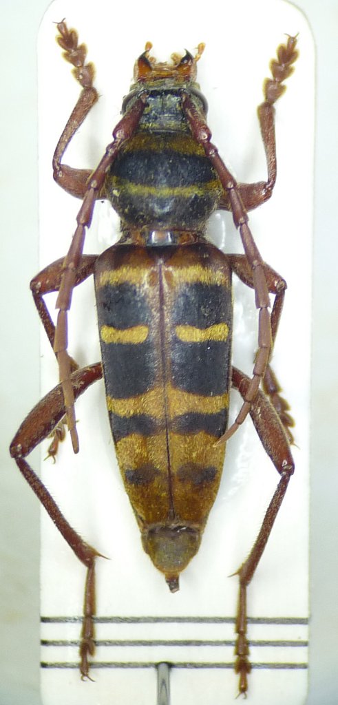
Phytoecia (Phytoecia) erythrocnema Lucas, 1849 - Cerambycidae
Cerambycidae


30.V.2016 - MAROCCO - EE
Coleoptera

Il Baratelli

9

2182

04/11/2016, 21:53

Xylosteus Vedi ultimo messaggio

Nessun messaggio da leggere
Allegato(i) Dettagli della specie
Oberea (Amaurostoma) erythrocephala erythrocephala (Schrank, 1776)
Cerambycidae


15.V.2005 - AZERBAIJAN - EE
Coleoptera

Dominique

7

2354

25/10/2016, 21:02

Plagionotus Vedi ultimo messaggio

Nessun messaggio da leggere
Allegato(i) Dettagli della specie
Pseudosphegesthes cinerea (Laporte & Gory, 1836)
Cerambycidae


1.VIII.2015 - ITALIA - Umbria - PG
Coleoptera

MARIO LUNA

4

1690

25/10/2016, 18:32

MARIO LUNA Vedi ultimo messaggio

Nessun messaggio da leggere
Allegato(i)
Stictoleptura scutellata ssp. miroshnikovi Danilevsky, 2012 - Cerambycidae

15.V.2005 - AZERBAIJAN - EE
Coleoptera

Dominique

6

2125

24/10/2016, 23:19

Entomarci Vedi ultimo messaggio

Nessun messaggio da leggere
Asemum striatum (Linnaeus, 1758) - Cerambycidae
22.VI.2016 - ITALIA - Umbria - PG
Allegato(i) Dettagli della specie
Asemum striatum (Linnaeus, 1758)
Cerambycidae


22.VI.2016 - ITALIA - Umbria - PG
Coleoptera

MARIO LUNA

3

1575

24/10/2016, 14:50

Julodis Vedi ultimo messaggio

Nessun messaggio da leggere
Allegato(i) Dettagli della specie
Agapanthia (Agapanthia) maculicornis davidi Sláma, 1986
Cerambycidae


4.VI.2016 - ITALIA - Sicilia - PA
Coleoptera

Caliddo

4

1993

20/10/2016, 22:10

Lucanus tetraodon Vedi ultimo messaggio

Nessun messaggio da leggere
Trichoferus sp.
15.IX.2016 - GRECIA - EE
Allegato(i)
Trichoferus sp.
Cerambycidae


15.IX.2016 - GRECIA - EE
Coleoptera

Honza

4

1471

20/10/2016, 19:19

Honza Vedi ultimo messaggio

Nessun messaggio da leggere
Hylotrupes bajulus (Linnaeus, 1758) - Cerambycidae
7.VIII.2016 - ITALIA - Marche - MC
Allegato(i) Dettagli della specie
Hylotrupes bajulus (Linnaeus, 1758)
Cerambycidae


7.VIII.2016 - ITALIA - Marche - MC
Coleoptera

StagBeetle

2

1149

17/10/2016, 20:59

StagBeetle Vedi ultimo messaggio

Nessun messaggio da leggere
Allegato(i) Dettagli della specie
Rhamnusium bicolor bicolor (Schrank, 1781)
Cerambycidae


POLONIA - EE
Coleoptera

Uncle Adam

12

3129

16/10/2016, 15:53

Entomarci Vedi ultimo messaggio

Nessun messaggio da leggere
Arhopalus ferus (Mulsant, 1839) - Cerambycidae
23.IX.2016 - ITALIA - Molise - IS
Allegato(i) Dettagli della specie
Arhopalus ferus (Mulsant, 1839)
Cerambycidae


23.IX.2016 - ITALIA - Molise - IS
Coleoptera

Franco ROSSI

7

1886

16/10/2016, 11:11

Plagionotus Vedi ultimo messaggio

Nessun messaggio da leggere
Allegato(i)
Stenurella bifasciata intermedia Holzschuh, 2006 - Cerambycidae
Cerambycidae


VI.2012 - GRECIA - EE
Coleoptera

claudio sola

2

1252

10/10/2016, 9:26

Plagionotus Vedi ultimo messaggio

Nessun messaggio da leggere
Plagionotus detritus detritus (Linnaeus, 1758) - Cerambycidae
30.VII.2005 - ITALIA - Veneto - TV
Allegato(i) Dettagli della specie
Plagionotus detritus detritus (Linnaeus, 1758)
Cerambycidae

[ Vai alla paginaVai alla pagina: 1, 2, 3 ]



30.VII.2005 - ITALIA - Veneto - TV
Coleoptera

andreafabbri

32

9748

09/10/2016, 21:35

Julodis Vedi ultimo messaggio

Nessun messaggio da leggere
Allegato(i) Dettagli della specie
Agapanthia (Agapanthia) cardui (Linnaeus, 1767)
Cerambycidae


20.VI.2016 - ITALIA - Toscana - PI
Coleoptera

Stefano79

3

1560

08/10/2016, 12:23

Stefano79 Vedi ultimo messaggio

Nessun messaggio da leggere
Allegato(i)
Stenurella bifasciata intermedia Holzschuh, 2006 - Cerambycidae
Cerambycidae


VI.2012 - GRECIA - EE
Coleoptera

claudio sola

11

2562

07/10/2016, 18:51

f.izzillo Vedi ultimo messaggio

Nessun messaggio da leggere  
Allegato(i) Dettagli della specie
Mesosa curculionoides (Linnaeus, 1760)
Cerambycidae


3.X.2016 - ITALIA - Campania - NA
Coleoptera

pako

2

1013

03/10/2016, 15:28

f.izzillo Vedi ultimo messaggio

Nessun messaggio da leggere
Allegato(i) Dettagli della specie
Dorcadion (Pedestredorcadion) arenarium marsicanum Fracassi, 1905
Cerambycidae


21.VI.2016 - ITALIA - Marche - AP
Coleoptera

skapc66

4

1609

03/10/2016, 9:32

Plagionotus Vedi ultimo messaggio

Nessun messaggio da leggere
Nothorhina muricata (Dalman, 1817) - Cerambycidae
7.VII.1989 - REPUBBLICA CECA - EE
Allegato(i) Dettagli della specie
Nothorhina muricata (Dalman, 1817)
Cerambycidae


7.VII.1989 - REPUBBLICA CECA - EE
Coleoptera

StagBeetle

0

1128

02/10/2016, 21:26

StagBeetle Vedi ultimo messaggio

Nessun messaggio da leggere
Aromia moschata ambrosiaca (Steven, 1809) - Cerambycidae
4.VI.2016 - IRAN, REPUBBLICA ISLAMICA DELL' - EE
Allegato(i) Dettagli della specie
Aromia moschata ambrosiaca (Steven, 1809)
Cerambycidae


4.VI.2016 - IRAN, REPUBBLICA ISLAMICA DELL' - EE
Coleoptera

StagBeetle

3

1824

30/09/2016, 16:42

Julodis Vedi ultimo messaggio

Nessun messaggio da leggere
Allegato(i) Dettagli della specie
Purpuricenus (Purpuricenus) kaehleri kaehleri (Linnaeus, 1758)
Cerambycidae


VIII.2016 - ITALIA - Lazio - FR
Coleoptera

Julodis

4

2085

26/09/2016, 23:20

Julodis Vedi ultimo messaggio

Nessun messaggio da leggere
Allegato(i) Dettagli della specie
Xylotrechus (Xylotrechus) stebbingi Gahan, 1906
Cerambycidae


24.VIII.2016 - GRECIA - EE
Coleoptera

mazzeip

9

3033

25/09/2016, 14:25

gomphus Vedi ultimo messaggio

Nessun messaggio da leggere
Anastrangalia sanguinolenta (Linnaeus, 1760) - Cerambycidae
29.VI.2015 - ITALIA - Lombardia - SO
Allegato(i) Dettagli della specie
Anastrangalia sanguinolenta (Linnaeus, 1760)
Cerambycidae


29.VI.2015 - ITALIA - Lombardia - SO
Coleoptera

skip

9

2661

23/09/2016, 7:49

skip Vedi ultimo messaggio

Nessun messaggio da leggere
Allegato(i)
Carinatodorcadion fulvum erythropteron Fischer von Waldheim, 1823 - Cerambycidae

20.V.2012 - SERBIA - EE
Coleoptera

ruzzpa

10

2601

21/09/2016, 9:42

Plagionotus Vedi ultimo messaggio

Nessun messaggio da leggere
Pidonia (Pidonia) lurida (Fabricius, 1792) - Cerambycidae
27.VI.2014 - ITALIA - Lombardia - SO
Allegato(i) Dettagli della specie
Pidonia (Pidonia) lurida (Fabricius, 1792)
Cerambycidae


27.VI.2014 - ITALIA - Lombardia - SO
Coleoptera

skip

7

1960

18/09/2016, 23:25

skip Vedi ultimo messaggio

Nessun messaggio da leggere
Rutpela maculata maculata (Poda, 1761) - Cerambycidae
3.IX.2016 - ITALIA - Lombardia - BS
Allegato(i) Dettagli della specie
Rutpela maculata maculata (Poda, 1761)
Cerambycidae


3.IX.2016 - ITALIA - Lombardia - BS
Coleoptera

Rothari

6

2154

17/09/2016, 20:59

skip Vedi ultimo messaggio

Nessun messaggio da leggere
Monochamus sartor (Fabricius, 1787) - Cerambycidae
12.IX.2016 - ITALIA - Trentino-Alto Adige - TN
Allegato(i) Dettagli della specie
Monochamus sartor (Fabricius, 1787)
Cerambycidae


12.IX.2016 - ITALIA - Trentino-Alto Adige - TN
Coleoptera

gigilmozzi

3

1618

13/09/2016, 18:09

gigilmozzi Vedi ultimo messaggio

Nessun messaggio da leggere
Allegato(i) Dettagli della specie
Stenurella bifasciata bifasciata (O. F. Müller, 1776)
Cerambycidae


3.VII.2016 - ITALIA - Lazio - RI
Coleoptera

wgliinsetti

1

1235

11/09/2016, 17:09

marco villa Vedi ultimo messaggio

Nessun messaggio da leggere
Evodinus clathratus (Fabricius, 1792) - Cerambycidae
1.VIII.2016 - ITALIA - Lombardia - BS
Allegato(i) Dettagli della specie
Evodinus clathratus (Fabricius, 1792)
Cerambycidae


1.VIII.2016 - ITALIA - Lombardia - BS
Coleoptera

Magma

2

1452

10/09/2016, 20:32

Magma Vedi ultimo messaggio

Nessun messaggio da leggere
Monochamus galloprovincialis (Olivier, 1795) - Cerambycidae
6.IX.2016 - ITALIA - Piemonte - NO
Allegato(i) Dettagli della specie
Monochamus galloprovincialis (Olivier, 1795)
Cerambycidae


6.IX.2016 - ITALIA - Piemonte - NO
Coleoptera

Magma

4

1874

09/09/2016, 20:24

Magma Vedi ultimo messaggio

Nessun messaggio da leggere
Stenopterus ater (Linnaeus, 1767) - Cerambycidae
6.VII.2016 - ITALIA - Sardegna - OG
Allegato(i) Dettagli della specie
Stenopterus ater (Linnaeus, 1767)
Cerambycidae


6.VII.2016 - ITALIA - Sardegna - OG
Coleoptera

Magma

2

1528

09/09/2016, 20:20

Magma Vedi ultimo messaggio

Nessun messaggio da leggere
Rhagium (Megarhagium) mordax (De Geer, 1775) - Cerambycidae
18.VIII.2016 - ITALIA - Trentino-Alto Adige - TN
Allegato(i) Dettagli della specie
Rhagium (Megarhagium) mordax (De Geer, 1775)
Cerambycidae


18.VIII.2016 - ITALIA - Trentino-Alto Adige - TN
Coleoptera

gigilmozzi

2

1201

09/09/2016, 19:26

gigilmozzi Vedi ultimo messaggio

Nessun messaggio da leggere
Morimus asper asper (Sulzer, 1776) - Cerambycidae
15.VI.2016 - ITALIA - Piemonte - AL
Allegato(i) Dettagli della specie
Morimus asper asper (Sulzer, 1776)
Cerambycidae


15.VI.2016 - ITALIA - Piemonte - AL
Coleoptera

Nuriger

3

1398

09/09/2016, 14:09

Nuriger Vedi ultimo messaggio

Nessun messaggio da leggere
Vesperus luridus (Rossi, 1794) - Cerambycidae
5.IX.2016 - ITALIA - Molise - IS
Allegato(i) Dettagli della specie
Vesperus luridus (Rossi, 1794)
Cerambycidae


5.IX.2016 - ITALIA - Molise - IS
Coleoptera

Franco ROSSI

6

2401

08/09/2016, 21:57

Entomarci Vedi ultimo messaggio

Nessun messaggio da leggere
Mesosa curculionoides (Linnaeus, 1760) - Cerambycidae
17.IV.2016 - ITALIA - Calabria - CS
Allegato(i) Dettagli della specie
Mesosa curculionoides (Linnaeus, 1760)
Cerambycidae


17.IV.2016 - ITALIA - Calabria - CS
Coleoptera

aiello antonio

3

1455

08/09/2016, 9:46

aiello antonio Vedi ultimo messaggio

Nessun messaggio da leggere
Saperda punctata (Linnaeus, 1767) - Cerambycidae
31.V.2016 - ITALIA - Emilia-Romagna
Allegato(i) Dettagli della specie
Saperda punctata (Linnaeus, 1767)
Cerambycidae


31.V.2016 - ITALIA - Emilia-Romagna
Coleoptera

Lucanuscervus

3

1462

07/09/2016, 8:25

Lucanuscervus Vedi ultimo messaggio

Nessun messaggio da leggere
Obrium cantharinum (Linnaeus, 1767) - Cerambycidae
2.VII.2016 - ITALIA - Marche - AN
Allegato(i) Dettagli della specie
Obrium cantharinum (Linnaeus, 1767)
Cerambycidae


2.VII.2016 - ITALIA - Marche - AN
Coleoptera

StagBeetle

1

1104

06/09/2016, 20:21

marco villa Vedi ultimo messaggio

Nessun messaggio da leggere
Allegato(i) Dettagli della specie
Neodorcadion bilineatum (Germar, 1824)
Cerambycidae


23.V.2016 - ALBANIA - EE
Coleoptera

togaspain

4

1931

05/09/2016, 19:28

togaspain Vedi ultimo messaggio

Nessun messaggio da leggere
Morimus asper asper (Sulzer, 1776) - Cerambycidae
6.IV.2016 - ITALIA - Calabria - CS
Allegato(i) Dettagli della specie
Morimus asper asper (Sulzer, 1776)
Cerambycidae


6.IV.2016 - ITALIA - Calabria - CS
Coleoptera

aiello antonio

13

2664

03/09/2016, 16:13

Julodis Vedi ultimo messaggio

Nessun messaggio da leggere
Allegato(i) Dettagli della specie
Stictoleptura cordigera cordigera (Fuessly, 1775)
Cerambycidae


3.VII.2016 - ITALIA - Lazio - RI
Coleoptera

wgliinsetti

1

1044

02/09/2016, 16:34

Tenebrio Vedi ultimo messaggio

Nessun messaggio da leggere
Aromia moschata moschata (Linnaeus, 1758) - Cerambycidae
19.VIII.2016 - ITALIA - Piemonte - TO
Allegato(i) Dettagli della specie
Aromia moschata moschata (Linnaeus, 1758)
Cerambycidae

[ Vai alla paginaVai alla pagina: 1, 2 ]



19.VIII.2016 - ITALIA - Piemonte - TO
Coleoptera

Falena*

27

6538

29/08/2016, 19:41

Falena* Vedi ultimo messaggio

Nessun messaggio da leggere
Rhamnusium bicolor bicolor (Schrank, 1781) - Cerambycidae
15.VI.2001 - REPUBBLICA CECA - EE
Allegato(i) Dettagli della specie
Rhamnusium bicolor bicolor (Schrank, 1781)
Cerambycidae


15.VI.2001 - REPUBBLICA CECA - EE
Coleoptera

StagBeetle

0

936

28/08/2016, 21:58

StagBeetle Vedi ultimo messaggio

Nessun messaggio da leggere
Allegato(i) Dettagli della specie
Stenocorus (Stenocorus) meridianus (Linnaeus, 1758)
Cerambycidae


25.VI.2011 - ITALIA - Piemonte - TO
Coleoptera

StagBeetle

0

831

28/08/2016, 21:53

StagBeetle Vedi ultimo messaggio

Nessun messaggio da leggere
Lepturobosca virens (Linnaeus, 1758) - Cerambycidae
12.VIII.2016 - ITALIA - Trentino-Alto Adige - TN
Allegato(i) Dettagli della specie
Lepturobosca virens (Linnaeus, 1758)
Cerambycidae


12.VIII.2016 - ITALIA - Trentino-Alto Adige - TN
Coleoptera

Sleepy Moose

3

1262

28/08/2016, 17:43

Plagionotus Vedi ultimo messaggio

Nessun messaggio da leggere
Vesperus luridus (Rossi, 1794) - Cerambycidae
10.VIII.2016 - ITALIA - Toscana - SI
Allegato(i) Dettagli della specie
Vesperus luridus (Rossi, 1794)
Cerambycidae


10.VIII.2016 - ITALIA - Toscana - SI
Coleoptera

Formelli

2

1451

25/08/2016, 16:47

Formelli Vedi ultimo messaggio

Nessun messaggio da leggere
Allegato(i) Dettagli della specie
Trichoferus fasciculatus fasciculatus (Faldermann, 1837)
Cerambycidae


24.VIII.2016 - ITALIA - Toscana - GR
Coleoptera

skip

5

1699

25/08/2016, 13:49

skip Vedi ultimo messaggio

Visualizza ultimi argomenti:  Ordina per  Ordine:  
nuovo argomento
Vai alla pagina Precedente  1 ... 18, 19, 20, 21, 22, 23, 24 ... 94  Prossimo
Pagina 21 di 94 [ 4653 argomenti ]

Tutti gli orari sono UTC + 1 ora [ ora legale ]


Chi c’è in linea

Visitano il forum: Nessuno e 4 ospiti


Legenda
Messaggi da leggere Messaggi da leggere Nessun messaggio da leggere Nessun messaggio da leggere Annuncio Annuncio
 
Specie indeterminata / discussione generica
Messaggi non letti [ Popolari ] Messaggi non letti [ Popolari ] Nessun messaggio da leggere [ Popolare ] Nessun messaggio da leggere [ Popolare ] Importante Importante
 
Specie determinata fino al genere o cf.
Messaggi non letti [ Bloccati ] Messaggi non letti [ Bloccati ] No messaggi non letti [ Bloccati ] No messaggi non letti [ Bloccati ] Argomento spostato Argomento spostato
 
Specie correttamente determinata
Permessi
Non puoi aprire nuovi argomenti
Non puoi rispondere negli argomenti
Non puoi modificare i tuoi messaggi
Non puoi cancellare i tuoi messaggi
Non puoi inviare allegati

Cerca per:
Vai a: