Benvenuto Ospite

Forum Entomologi Italiani

www.entomologiitaliani.net/forum
 
Oggi è 23/04/2026, 3:07

Tutti gli orari sono UTC + 1 ora [ ora legale ]


92% 
2928 taxa correttamente determinati su 3182 presenti in archivio

Cerambycidae


[ AFROTROPICALE ] [ ANTARTICO ] [ AUSTRALASIANO ] [ NEARTICO ] [ NEOTROPICALE ] [ ORIENTALE ] [ PALEARTICO ]


nuovo argomento
Vai alla pagina Precedente  1 ... 24, 25, 26, 27, 28, 29, 30 ... 94  Prossimo
Pagina 27 di 94 [ 4653 argomenti ]
 Argomenti   Ordine   Autore   Risposte   Visite    Ultimo messaggio 
Annunci
Nessun messaggio da leggere
Allegato(i)
Incontri entomologici della Società Entomologica Italiana 2025-2026
 

Velvet Ant

0

50361

17/11/2025, 19:41

Velvet Ant Vedi ultimo messaggio

Nessun messaggio da leggere
Allegato(i)
Incontri entomologici telematici organizzati dalla Società Entomologica Italiana nel 2022 e nel 2023

[ Vai alla paginaVai alla pagina: 1, 2, 3 ]

 

Velvet Ant

44

2013491

03/03/2023, 15:55

Velvet Ant Vedi ultimo messaggio

Nessun messaggio da leggere  
Allegato(i)
Sondaggio sul declino dell'entomofauna in Italia

[ Vai alla paginaVai alla pagina: 1, 2, 3, 4 ]

 

Velvet Ant

52

2686285

22/10/2022, 19:18

Acquarius Vedi ultimo messaggio

Nessun messaggio da leggere  
Allegato(i)
Progetto: Bibliografia ragionata dei lavori entomologici nei quali sono citati reperti apparsi su FEI

[ Vai alla paginaVai alla pagina: 1, 2, 3 ]

 

Velvet Ant

33

1615410

06/07/2023, 18:31

Orotrechus Vedi ultimo messaggio

Nessun messaggio da leggere
Allegato(i)
Mimesi, il primo documentario cinematografico sull’entomologia in Italia: casting
 

mazzeip

1

1138826

28/02/2019, 20:26

mazzeip Vedi ultimo messaggio

Questo argomento è bloccato, non puoi modificare o inviare ulteriori messaggi.
Allegato(i)
ISTRUZIONI PUBBLICAZIONE NUOVI ARGOMENTI E FOTO

 
Altri Ordini di Insetti

Julodis

4

2956502

13/05/2015, 19:37

Julodis Vedi ultimo messaggio

Nessun messaggio da leggere
Allegato(i)
Limitatore giornaliero di messaggi, uno strumento utile e ormai indispensabile

[ Vai alla paginaVai alla pagina: 1 ... 14, 15, 16 ]

 

Velvet Ant

233

13813657

25/09/2014, 14:31

Inachis Vedi ultimo messaggio

Nessun messaggio da leggere  
NORME PER I COLLABORATORI DEL FORUM

 
 

Velvet Ant

0

671487

02/06/2011, 12:05

Velvet Ant Vedi ultimo messaggio

Nessun messaggio da leggere
Allegato(i)
NORME PER GLI UTENTI DEL FORUM

[ Vai alla paginaVai alla pagina: 1, 2, 3 ]



 
 

Velvet Ant

30

3730561

23/09/2014, 23:54

Maurizio Bollino Vedi ultimo messaggio

Questo argomento è bloccato, non puoi modificare o inviare ulteriori messaggi.  
Elenco delle specie italiane di Cerambycidae presenti sul forum
Cerambycidae


 
Coleoptera

Plagionotus

0

6422

22/11/2010, 22:28

Plagionotus Vedi ultimo messaggio

Nessun messaggio da leggere  
Lista degli utenti del "Forum entomologi italiani" per campi di interesse e specializzazione

 
Altri Ordini di Insetti

Velvet Ant

13

1127927

07/09/2023, 17:14

Roberto-07 Vedi ultimo messaggio

Argomenti
Nessun messaggio da leggere
Allegato(i) Dettagli della specie
Ropalopus (Ropalopus) insubricus insubricus (Germar, 1824)
Cerambycidae

[ Vai alla paginaVai alla pagina: 1, 2 ]



VIII.2014 - ITALIA - Veneto - TV
Coleoptera

marco villa

20

4586

26/07/2015, 20:27

marco villa Vedi ultimo messaggio

Nessun messaggio da leggere
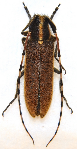
Arhopalus rusticus (Linnaeus, 1758) - Cerambycidae
24.VII.2015 - ITALIA - Trentino-Alto Adige - TN
Allegato(i) Dettagli della specie
Arhopalus rusticus (Linnaeus, 1758)
Cerambycidae


24.VII.2015 - ITALIA - Trentino-Alto Adige - TN
Coleoptera

gigilmozzi

4

1529

26/07/2015, 19:30

gigilmozzi Vedi ultimo messaggio

Nessun messaggio da leggere
Allegato(i)
Rhagium (Megarhagium) pruinosum Pesarini et Sabbadini, 2011

26.V.2015 - GRECIA - EE
Coleoptera

Uncle Adam

2

1794

26/07/2015, 15:41

Entomarci Vedi ultimo messaggio

Nessun messaggio da leggere
Allegato(i) Dettagli della specie
Cerambyx scopolii scopolii Fuessly, 1775
Cerambycidae


V.2015 - ITALIA - Veneto - VR
Coleoptera

maudoc59

2

1116

26/07/2015, 6:48

maudoc59 Vedi ultimo messaggio

Nessun messaggio da leggere
Cortodera sp. - Cerambycidae
10.VI.2014 - ARMENIA - EE
Allegato(i)
Cortodera sp. - Cerambycidae

10.VI.2014 - ARMENIA - EE
Coleoptera

Stehof

0

818

25/07/2015, 15:07

Stehof Vedi ultimo messaggio

Nessun messaggio da leggere
Allegato(i)
Lampropterus femoratus (Germar, 1824) - Cerambycidae - Turchia

6.VII.2015 - TURCHIA - EE
Coleoptera

Baris99

1

1007

25/07/2015, 14:32

Xylosteus Vedi ultimo messaggio

Nessun messaggio da leggere
Leptura quadrifasciata quadrifasciata Linnaeus, 1758 - Cerambycidae
24.VII.2015 - ITALIA - Trentino-Alto Adige - TN
Allegato(i) Dettagli della specie
Leptura quadrifasciata quadrifasciata Linnaeus, 1758
Cerambycidae


24.VII.2015 - ITALIA - Trentino-Alto Adige - TN
Coleoptera

gigilmozzi

1

1336

25/07/2015, 10:47

aug Vedi ultimo messaggio

Nessun messaggio da leggere
Semanotus russicus (Fabricius, 1777) - Cerambycidae
16.VI.2014 - ITALIA - Emilia-Romagna - RA
Allegato(i) Dettagli della specie
Semanotus russicus (Fabricius, 1777)
Cerambycidae


16.VI.2014 - ITALIA - Emilia-Romagna - RA
Coleoptera

marco villa

2

1457

24/07/2015, 20:48

marco villa Vedi ultimo messaggio

Nessun messaggio da leggere
Allegato(i)
Agapanthia asphodeli (Latreille, 1804) - Cerambycidae

4.IV.2015 - GRECIA - EE
Coleoptera

zdeno

3

1465

24/07/2015, 20:41

zdeno Vedi ultimo messaggio

Nessun messaggio da leggere
Acanthocinus griseus (Fabricius, 1792) - Cerambycidae
23.VII.2015 - ITALIA - Trentino-Alto Adige - TN
Allegato(i) Dettagli della specie
Acanthocinus griseus (Fabricius, 1792)
Cerambycidae


23.VII.2015 - ITALIA - Trentino-Alto Adige - TN
Coleoptera

gigilmozzi

0

1319

23/07/2015, 19:51

gigilmozzi Vedi ultimo messaggio

Nessun messaggio da leggere
Paracorymbia fulva (De Geer, 1775) - Cerambycidae
20.V.2015 - ITALIA - Lombardia - MB
Allegato(i) Dettagli della specie
Paracorymbia fulva (De Geer, 1775)
Cerambycidae


20.V.2015 - ITALIA - Lombardia - MB
Coleoptera

sgarra87

1

1286

23/07/2015, 18:56

marco villa Vedi ultimo messaggio

Nessun messaggio da leggere
Cerambyx nodulosus Germar, 1817 - Cerambycidae
17.VII.2015 - ITALIA - Marche - AN
Allegato(i) Dettagli della specie
Cerambyx nodulosus Germar, 1817
Cerambycidae

[ Vai alla paginaVai alla pagina: 1, 2 ]



17.VII.2015 - ITALIA - Marche - AN
Coleoptera

StagBeetle

20

4809

23/07/2015, 18:23

alebisca Vedi ultimo messaggio

Nessun messaggio da leggere
Prionus coriarius (Linnaeus, 1758) - Cerambycidae
20.VII.2014 - ITALIA - Liguria - SV
Allegato(i) Dettagli della specie
Prionus coriarius (Linnaeus, 1758)
Cerambycidae


20.VII.2014 - ITALIA - Liguria - SV
Coleoptera

fabio.aste

6

2210

22/07/2015, 14:24

fabio.aste Vedi ultimo messaggio

Nessun messaggio da leggere
Callidium coriaceum Paykull, 1800 - Cerambycidae
18.VII.2015 - ITALIA - Trentino-Alto Adige - TN
Allegato(i) Dettagli della specie
Callidium coriaceum Paykull, 1800
Cerambycidae


18.VII.2015 - ITALIA - Trentino-Alto Adige - TN
Coleoptera

gigilmozzi

1

1302

20/07/2015, 18:39

Lamia Vedi ultimo messaggio

Nessun messaggio da leggere
Aegomorphus clavipes (Schrank, 1781) - Cerambycidae
19.VII.2015 - ITALIA - Trentino-Alto Adige - TN
Allegato(i) Dettagli della specie
Aegomorphus clavipes (Schrank, 1781)
Cerambycidae


19.VII.2015 - ITALIA - Trentino-Alto Adige - TN
Coleoptera

gigilmozzi

3

1810

19/07/2015, 22:27

Plagionotus Vedi ultimo messaggio

Nessun messaggio da leggere
Aegosoma scabricorne (Scopoli, 1763) - Cerambycidae
19.VII.2015 - ITALIA - Veneto - VI
Allegato(i) Dettagli della specie
Aegosoma scabricorne (Scopoli, 1763)
Cerambycidae


19.VII.2015 - ITALIA - Veneto - VI
Coleoptera

ADRIANO.90

4

1977

19/07/2015, 15:04

marco villa Vedi ultimo messaggio

Nessun messaggio da leggere
Allegato(i)
Plagionotus floralis (Pallas, 1773) e Chlorophorus sartor (O. F. Müller, 1766) - Cerambycidae

7.VII.2015 - ITALIA - Basilicata - PZ
Coleoptera

gigilmozzi

3

1298

17/07/2015, 20:11

gigilmozzi Vedi ultimo messaggio

Nessun messaggio da leggere
Allegato(i) Dettagli della specie
Purpuricenus (Purpuricenus) globulicollis Dejean, 1839
Cerambycidae


22.VII.2005 - BULGARIA - EE
Coleoptera

Joro

3

1451

17/07/2015, 10:25

Joro Vedi ultimo messaggio

Nessun messaggio da leggere
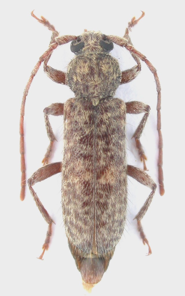
Herophila tristis tristis (Linnaeus, 1767) cf. - Cerambycidae
7.VII.2015 - ITALIA - Basilicata - PZ
Allegato(i) Dettagli della specie
Herophila tristis tristis (Linnaeus, 1767) cf.
Cerambycidae


7.VII.2015 - ITALIA - Basilicata - PZ
Coleoptera

gigilmozzi

9

2166

16/07/2015, 20:11

gigilmozzi Vedi ultimo messaggio

Nessun messaggio da leggere
Allegato(i)
Hypoeschrus (Tibestia) dallonii (Peyerimhoff, 1936) - Cerambycidae
Cerambycidae


20.VI.2015 - MAROCCO - EE
Coleoptera

Daniele Sechi

4

1483

16/07/2015, 20:05

aphodius Vedi ultimo messaggio

Nessun messaggio da leggere
Allegato(i) Dettagli della specie
Dorcadion (Pedestredorcadion) arenarium marsicanum Fracassi, 1905
Cerambycidae


21.VI.2015 - ITALIA - Marche - AP
Coleoptera

Andream

2

1114

16/07/2015, 13:46

Andream Vedi ultimo messaggio

Nessun messaggio da leggere
Prionus coriarius (Linnaeus, 1758) - Cerambycidae
16.VII.2015 - ITALIA - Emilia-Romagna - FC
Allegato(i) Dettagli della specie
Prionus coriarius (Linnaeus, 1758)
Cerambycidae


16.VII.2015 - ITALIA - Emilia-Romagna - FC
Coleoptera

giuseppe cataldo

2

1245

16/07/2015, 10:10

giuseppe cataldo Vedi ultimo messaggio

Nessun messaggio da leggere
Allegato(i) Dettagli della specie
Purpuricenus (Purpuricenus) kaehleri kaehleri (Linnaeus, 1758)
Cerambycidae


7.VII.2015 - ITALIA - Basilicata - PZ
Coleoptera

gigilmozzi

6

1801

15/07/2015, 19:39

gigilmozzi Vedi ultimo messaggio

Nessun messaggio da leggere
Purpuricenus renyvonae renyvonae
11.VII.2015 - BULGARIA - EE
Allegato(i)
Purpuricenus renyvonae renyvonae

11.VII.2015 - BULGARIA - EE
Coleoptera

Joro

3

1627

15/07/2015, 10:58

Joro Vedi ultimo messaggio

Nessun messaggio da leggere
Trichoferus holosericeus (Rossi, 1790) - Cerambycidae
11.VII.2015 - ITALIA - Sicilia - CT
Allegato(i) Dettagli della specie
Trichoferus holosericeus (Rossi, 1790)
Cerambycidae


11.VII.2015 - ITALIA - Sicilia - CT
Coleoptera

Lucanus tetraodon

2

1642

14/07/2015, 22:48

Lucanus tetraodon Vedi ultimo messaggio

Nessun messaggio da leggere
Agapanthia (Epoptes) cynarae (Germar, 1817) - Cerambycidae
7.VII.2015 - ITALIA - Basilicata - PZ
Allegato(i) Dettagli della specie
Agapanthia (Epoptes) cynarae (Germar, 1817)
Cerambycidae


7.VII.2015 - ITALIA - Basilicata - PZ
Coleoptera

gigilmozzi

2

1639

14/07/2015, 19:20

gigilmozzi Vedi ultimo messaggio

Nessun messaggio da leggere
Allegato(i) Dettagli della specie
Trichoferus fasciculatus fasciculatus (Faldermann, 1837)
Cerambycidae


11.VII.2015 - MALTA - EE
Coleoptera

Fumea crassiorella

0

951

14/07/2015, 11:01

Fumea crassiorella Vedi ultimo messaggio

Nessun messaggio da leggere
Allegato(i) Dettagli della specie
Purpuricenus (Purpuricenus) kaehleri kaehleri (Linnaeus, 1758)
Cerambycidae


10.VII.2015 - ITALIA - Veneto - PD
Coleoptera

Entoluca

7

2132

14/07/2015, 9:21

Plagionotus Vedi ultimo messaggio

Nessun messaggio da leggere
Plagionotus detritus detritus (Linnaeus, 1758) - Cerambycidae
10.VII.2015 - ITALIA - Veneto - PD
Allegato(i) Dettagli della specie
Plagionotus detritus detritus (Linnaeus, 1758)
Cerambycidae

[ Vai alla paginaVai alla pagina: 1, 2 ]



10.VII.2015 - ITALIA - Veneto - PD
Coleoptera

Entoluca

23

5749

13/07/2015, 22:02

Pippistrello Vedi ultimo messaggio

Nessun messaggio da leggere
Trichoferus pallidus (Olivier, 1790) - Cerambycidae
10.VII.2015 - ITALIA - Veneto - PD
Allegato(i) Dettagli della specie
Trichoferus pallidus (Olivier, 1790)
Cerambycidae


10.VII.2015 - ITALIA - Veneto - PD
Coleoptera

Entoluca

7

2174

13/07/2015, 9:39

Plagionotus Vedi ultimo messaggio

Nessun messaggio da leggere
Anastrangalia dubia dubia (Scopoli, 1763) - Cerambycidae
10.VII.2015 - ITALIA - Trentino-Alto Adige - TN
Allegato(i) Dettagli della specie
Anastrangalia dubia dubia (Scopoli, 1763)
Cerambycidae


10.VII.2015 - ITALIA - Trentino-Alto Adige - TN
Coleoptera

gigilmozzi

3

1365

12/07/2015, 18:27

gigilmozzi Vedi ultimo messaggio

Nessun messaggio da leggere
Tetropium fuscum (Fabricius, 1787) - Cerambycidae
1.VII.2015 - ITALIA - Trentino-Alto Adige - TN
Allegato(i) Dettagli della specie
Tetropium fuscum (Fabricius, 1787)
Cerambycidae


1.VII.2015 - ITALIA - Trentino-Alto Adige - TN
Coleoptera

gigilmozzi

3

1483

11/07/2015, 19:57

gigilmozzi Vedi ultimo messaggio

Nessun messaggio da leggere
Saperda punctata (Linnaeus, 1767) - Cerambycidae
7.VII.2015 - ITALIA - Emilia-Romagna - FC
Allegato(i) Dettagli della specie
Saperda punctata (Linnaeus, 1767)
Cerambycidae


7.VII.2015 - ITALIA - Emilia-Romagna - FC
Coleoptera

giuseppe cataldo

4

1330

09/07/2015, 14:09

marco villa Vedi ultimo messaggio

Nessun messaggio da leggere
Allegato(i) Dettagli della specie
Stenocorus (Stenocorus) meridianus (Linnaeus, 1758)
Cerambycidae


5.VII.2015 - ITALIA - Piemonte - VB
Coleoptera

Il Baratelli

2

1217

09/07/2015, 12:00

Entomarci Vedi ultimo messaggio

Nessun messaggio da leggere
Allegato(i) Dettagli della specie
Dorcadion (Pedestredorcadion) arenarium marsicanum Fracassi, 1905
Cerambycidae


21.VI.2015 - ITALIA - Marche - AP
Coleoptera

Andream

2

1121

08/07/2015, 11:55

Andream Vedi ultimo messaggio

Nessun messaggio da leggere
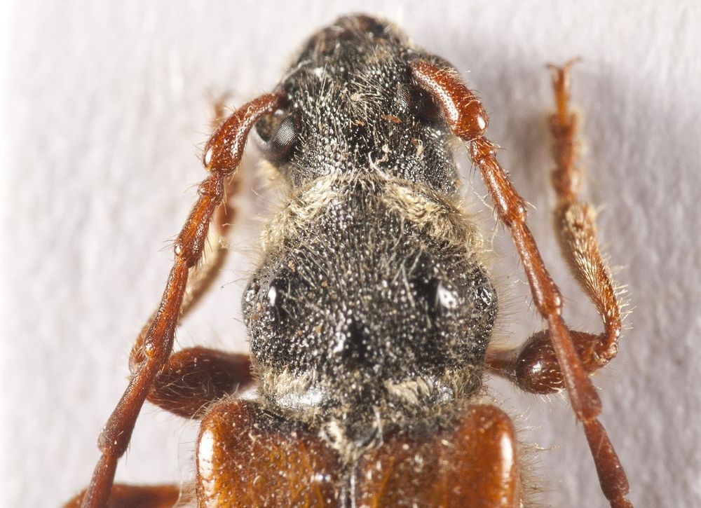
Rosalia (Rosalia) alpina alpina (Linnaeus, 1758) - Cerambycidae
11.VII.2012 - ITALIA - Abruzzo - AQ
Allegato(i) Dettagli della specie
Rosalia (Rosalia) alpina alpina (Linnaeus, 1758)
Cerambycidae

[ Vai alla paginaVai alla pagina: 1, 2 ]



11.VII.2012 - ITALIA - Abruzzo - AQ
Coleoptera

Logoste

19

3484

07/07/2015, 18:40

f.izzillo Vedi ultimo messaggio

Nessun messaggio da leggere
Allegato(i) Dettagli della specie
Rosalia (Rosalia) alpina alpina (Linnaeus, 1758)
Cerambycidae


4.VII.2015 - SLOVENIA - EE
Coleoptera

hpl

1

999

06/07/2015, 11:47

Logoste Vedi ultimo messaggio

Nessun messaggio da leggere
Parmena subpubescens Hellrigl, 1971 - Cerambycidae
5.VII.2015 - ITALIA - Sicilia - TP
Allegato(i) Dettagli della specie
Parmena subpubescens Hellrigl, 1971
Cerambycidae


5.VII.2015 - ITALIA - Sicilia - TP
Coleoptera

carabus

1

1102

06/07/2015, 10:44

Plagionotus Vedi ultimo messaggio

Nessun messaggio da leggere
Hylotrupes bajulus (Linnaeus, 1758) - Cerambycidae
5.VII.2015 - ITALIA - Trentino-Alto Adige - TN
Allegato(i) Dettagli della specie
Hylotrupes bajulus (Linnaeus, 1758)
Cerambycidae


5.VII.2015 - ITALIA - Trentino-Alto Adige - TN
Coleoptera

gigilmozzi

4

1617

05/07/2015, 20:31

gigilmozzi Vedi ultimo messaggio

Nessun messaggio da leggere
Anastrangalia dubia dubia (Scopoli, 1763) - Cerambycidae
2.VII.2015 - ITALIA - Trentino-Alto Adige - BZ
Allegato(i) Dettagli della specie
Anastrangalia dubia dubia (Scopoli, 1763)
Cerambycidae


2.VII.2015 - ITALIA - Trentino-Alto Adige - BZ
Coleoptera

gigilmozzi

5

2233

05/07/2015, 13:36

gigilmozzi Vedi ultimo messaggio

Nessun messaggio da leggere
Judolia sexmaculata (Linnaeus, 1758) - Cerambycidae
2.VII.2015 - ITALIA - Trentino-Alto Adige - BZ
Allegato(i) Dettagli della specie
Judolia sexmaculata (Linnaeus, 1758)
Cerambycidae


2.VII.2015 - ITALIA - Trentino-Alto Adige - BZ
Coleoptera

gigilmozzi

1

1186

03/07/2015, 19:19

AleP Vedi ultimo messaggio

Nessun messaggio da leggere
Opsilia coerulescens (Scopoli, 1763) - Cerambycidae
22.VI.2015 - ITALIA - Sicilia - ME
Allegato(i) Dettagli della specie
Opsilia coerulescens (Scopoli, 1763)
Cerambycidae


22.VI.2015 - ITALIA - Sicilia - ME
Coleoptera

carabus

1

825

03/07/2015, 11:15

Xylosteus Vedi ultimo messaggio

Nessun messaggio da leggere
Allegato(i) Dettagli della specie
Stenopterus rufus rufus (Linnaeus, 1767)
Cerambycidae


3.VI.2000 - CROAZIA - EE
Coleoptera

jacek mazepa

2

981

30/06/2015, 8:44

jacek mazepa Vedi ultimo messaggio

Nessun messaggio da leggere
Dinoptera (Dinoptera) collaris (Linnaeus, 1758) - Cerambycidae
15.VI.2015 - ITALIA - Trentino-Alto Adige - TN
Allegato(i) Dettagli della specie
Dinoptera (Dinoptera) collaris (Linnaeus, 1758)
Cerambycidae


15.VI.2015 - ITALIA - Trentino-Alto Adige - TN
Coleoptera

gigilmozzi

2

882

29/06/2015, 20:16

gigilmozzi Vedi ultimo messaggio

Nessun messaggio da leggere
Allegato(i) Dettagli della specie
Agapanthia (Agapanthia) violacea (Fabricius, 1775)
Cerambycidae


18.IV.2015 - GRECIA - EE
Coleoptera

zdeno

4

1260

29/06/2015, 10:58

zdeno Vedi ultimo messaggio

Nessun messaggio da leggere
Allegato(i) Dettagli della specie
Stictoleptura cordigera cordigera (Fuessly, 1775)
Cerambycidae


28.VI.2015 - ITALIA - Lazio - RM
Coleoptera

andreah

6

1585

29/06/2015, 0:17

corvus Vedi ultimo messaggio

Nessun messaggio da leggere
Allegato(i) Dettagli della specie
Trichoferus fasciculatus fasciculatus (Faldermann, 1837)
Cerambycidae


VI.2015 - ITALIA - Veneto - VR
Coleoptera

AleP

2

1278

28/06/2015, 20:10

AleP Vedi ultimo messaggio

Nessun messaggio da leggere
Allegato(i) Dettagli della specie
Agapanthia (Epoptes) villosoviridescens (De Geer, 1775)
Cerambycidae


24.VI.2015 - ITALIA - Campania - CE
Coleoptera

f.izzillo

4

2318

28/06/2015, 18:47

f.izzillo Vedi ultimo messaggio

Nessun messaggio da leggere
Allegato(i) Dettagli della specie
Purpuricenus (Purpuricenus) globulicollis Dejean, 1839
Cerambycidae


VI.2015 - ITALIA - Veneto - VR
Coleoptera

AleP

9

2801

28/06/2015, 15:50

AleP Vedi ultimo messaggio

Nessun messaggio da leggere
Cerambyx cerdo cerdo Linnaeus, 1758 - Cerambycidae
24.VI.2015 - ITALIA - Emilia-Romagna - PR
Allegato(i) Dettagli della specie
Cerambyx cerdo cerdo Linnaeus, 1758
Cerambycidae


24.VI.2015 - ITALIA - Emilia-Romagna - PR
Coleoptera

leonida

5

1952

28/06/2015, 14:17

leonida Vedi ultimo messaggio

Visualizza ultimi argomenti:  Ordina per  Ordine:  
nuovo argomento
Vai alla pagina Precedente  1 ... 24, 25, 26, 27, 28, 29, 30 ... 94  Prossimo
Pagina 27 di 94 [ 4653 argomenti ]

Tutti gli orari sono UTC + 1 ora [ ora legale ]


Chi c’è in linea

Visitano il forum: Nessuno e 6 ospiti


Legenda
Messaggi da leggere Messaggi da leggere Nessun messaggio da leggere Nessun messaggio da leggere Annuncio Annuncio
 
Specie indeterminata / discussione generica
Messaggi non letti [ Popolari ] Messaggi non letti [ Popolari ] Nessun messaggio da leggere [ Popolare ] Nessun messaggio da leggere [ Popolare ] Importante Importante
 
Specie determinata fino al genere o cf.
Messaggi non letti [ Bloccati ] Messaggi non letti [ Bloccati ] No messaggi non letti [ Bloccati ] No messaggi non letti [ Bloccati ] Argomento spostato Argomento spostato
 
Specie correttamente determinata
Permessi
Non puoi aprire nuovi argomenti
Non puoi rispondere negli argomenti
Non puoi modificare i tuoi messaggi
Non puoi cancellare i tuoi messaggi
Non puoi inviare allegati

Cerca per:
Vai a: