Benvenuto Ospite

Forum Entomologi Italiani

www.entomologiitaliani.net/forum
 
Oggi è 18/02/2026, 21:48

Tutti gli orari sono UTC + 1 ora [ ora legale ]


92% 
2927 taxa correttamente determinati su 3181 presenti in archivio

Cerambycidae


[ AFROTROPICALE ] [ ANTARTICO ] [ AUSTRALASIANO ] [ NEARTICO ] [ NEOTROPICALE ] [ ORIENTALE ] [ PALEARTICO ]


nuovo argomento
Vai alla pagina Precedente  1 ... 27, 28, 29, 30, 31, 32, 33 ... 93  Prossimo
Pagina 30 di 93 [ 4651 argomenti ]
 Argomenti   Ordine   Autore   Risposte   Visite    Ultimo messaggio 
Annunci
Nessun messaggio da leggere
Allegato(i)
Incontri entomologici della Società Entomologica Italiana 2025-2026
 

Velvet Ant

0

27410

17/11/2025, 19:41

Velvet Ant Vedi ultimo messaggio

Nessun messaggio da leggere
Allegato(i)
Incontri entomologici telematici organizzati dalla Società Entomologica Italiana nel 2022 e nel 2023

[ Vai alla paginaVai alla pagina: 1, 2, 3 ]

 

Velvet Ant

44

1823946

03/03/2023, 15:55

Velvet Ant Vedi ultimo messaggio

Nessun messaggio da leggere  
Allegato(i)
Sondaggio sul declino dell'entomofauna in Italia

[ Vai alla paginaVai alla pagina: 1, 2, 3, 4 ]

 

Velvet Ant

52

2464456

22/10/2022, 19:18

Acquarius Vedi ultimo messaggio

Nessun messaggio da leggere  
Allegato(i)
Progetto: Bibliografia ragionata dei lavori entomologici nei quali sono citati reperti apparsi su FEI

[ Vai alla paginaVai alla pagina: 1, 2, 3 ]

 

Velvet Ant

33

1464463

06/07/2023, 18:31

Orotrechus Vedi ultimo messaggio

Nessun messaggio da leggere
Allegato(i)
Mimesi, il primo documentario cinematografico sull’entomologia in Italia: casting
 

mazzeip

1

1108404

28/02/2019, 20:26

mazzeip Vedi ultimo messaggio

Questo argomento è bloccato, non puoi modificare o inviare ulteriori messaggi.
Allegato(i)
ISTRUZIONI PUBBLICAZIONE NUOVI ARGOMENTI E FOTO

 
Altri Ordini di Insetti

Julodis

4

2914700

13/05/2015, 19:37

Julodis Vedi ultimo messaggio

Nessun messaggio da leggere
Allegato(i)
Limitatore giornaliero di messaggi, uno strumento utile e ormai indispensabile

[ Vai alla paginaVai alla pagina: 1 ... 14, 15, 16 ]

 

Velvet Ant

233

12987675

25/09/2014, 14:31

Inachis Vedi ultimo messaggio

Nessun messaggio da leggere  
NORME PER I COLLABORATORI DEL FORUM

 
 

Velvet Ant

0

648517

02/06/2011, 12:05

Velvet Ant Vedi ultimo messaggio

Nessun messaggio da leggere
Allegato(i)
NORME PER GLI UTENTI DEL FORUM

[ Vai alla paginaVai alla pagina: 1, 2, 3 ]



 
 

Velvet Ant

30

3580598

23/09/2014, 23:54

Maurizio Bollino Vedi ultimo messaggio

Questo argomento è bloccato, non puoi modificare o inviare ulteriori messaggi.  
Elenco delle specie italiane di Cerambycidae presenti sul forum
Cerambycidae


 
Coleoptera

Plagionotus

0

6269

22/11/2010, 22:28

Plagionotus Vedi ultimo messaggio

Nessun messaggio da leggere  
Lista degli utenti del "Forum entomologi italiani" per campi di interesse e specializzazione

 
Altri Ordini di Insetti

Velvet Ant

13

1057728

07/09/2023, 17:14

Roberto-07 Vedi ultimo messaggio

Argomenti
Nessun messaggio da leggere
Ropalopus (Ropalopus) clavipes (Fabricius, 1775) - Cerambycidae
VIII.2014 - ITALIA - Friuli-Venezia Giulia - PN
Allegato(i) Dettagli della specie
Ropalopus (Ropalopus) clavipes (Fabricius, 1775)
Cerambycidae


VIII.2014 - ITALIA - Friuli-Venezia Giulia - PN
Coleoptera

Pisturo

2

1321

03/04/2015, 10:27

Pisturo Vedi ultimo messaggio

Nessun messaggio da leggere
Allegato(i) Dettagli della specie
Dorcadion (Pedestredorcadion) etruscum (Rossi, 1790)
Cerambycidae


31.III.2015 - ITALIA - Campania - SA
Coleoptera

Enzo.C

6

2080

02/04/2015, 17:49

Enzo.C Vedi ultimo messaggio

Nessun messaggio da leggere
Ropalopus macropus (Germar, 1824) - Cerambycidae
24.III.2015 - POLONIA - EE
Allegato(i)
Ropalopus macropus (Germar, 1824) - Cerambycidae
Cerambycidae


24.III.2015 - POLONIA - EE
Coleoptera

Uncle Adam

2

1354

29/03/2015, 21:56

AleP Vedi ultimo messaggio

Nessun messaggio da leggere
Allegato(i) Dettagli della specie
Saperda perforata (Pallas, 1773)
Cerambycidae


3.XI.2006 - POLONIA - EE
Coleoptera

Uncle Adam

3

1543

27/03/2015, 10:50

Daniele Sechi Vedi ultimo messaggio

Nessun messaggio da leggere
Allegato(i)
Dorcadion lineatocolle Breuning, 1962 - Cerambycidae - Albania

10.IV.2014 - ALBANIA - EE
Coleoptera

Tamás Németh

7

2325

26/03/2015, 16:39

Tamás Németh Vedi ultimo messaggio

Nessun messaggio da leggere
Chlorophorus glabromaculatus (Goeze, 1777) - Cerambycidae
14.VI.2006 - ITALIA - Emilia-Romagna - BO
Allegato(i) Dettagli della specie
Chlorophorus glabromaculatus (Goeze, 1777)
Cerambycidae


14.VI.2006 - ITALIA - Emilia-Romagna - BO
Coleoptera

Andream

5

1508

26/03/2015, 3:43

eurinomio Vedi ultimo messaggio

Nessun messaggio da leggere
Clytus arietis arietis (Linnaeus, 1758) - Cerambycidae
26.VI.1996 - ITALIA - Toscana - PO
Allegato(i) Dettagli della specie
Clytus arietis arietis (Linnaeus, 1758)
Cerambycidae


26.VI.1996 - ITALIA - Toscana - PO
Coleoptera

Andream

2

986

24/03/2015, 23:31

Andream Vedi ultimo messaggio

Nessun messaggio da leggere
Pachytodes erraticus erraticus (Dalman, 1817) - Cerambycidae
22.VI.1997 - ITALIA - Toscana - PO
Allegato(i) Dettagli della specie
Pachytodes erraticus erraticus (Dalman, 1817)
Cerambycidae


22.VI.1997 - ITALIA - Toscana - PO
Coleoptera

Andream

3

1157

24/03/2015, 23:30

Andream Vedi ultimo messaggio

Nessun messaggio da leggere
Clytus arietis arietis (Linnaeus, 1758) - Cerambycidae
2.VII.1993 - ITALIA - Toscana - PO
Allegato(i) Dettagli della specie
Clytus arietis arietis (Linnaeus, 1758)
Cerambycidae


2.VII.1993 - ITALIA - Toscana - PO
Coleoptera

Andream

3

1118

24/03/2015, 12:46

Andream Vedi ultimo messaggio

Nessun messaggio da leggere
Clytus rhamni Germar, 1817 - Cerambycidae
26.VI.1997 - ITALIA - Toscana - PO
Allegato(i) Dettagli della specie
Clytus rhamni Germar, 1817
Cerambycidae


26.VI.1997 - ITALIA - Toscana - PO
Coleoptera

Andream

3

1273

24/03/2015, 12:46

Andream Vedi ultimo messaggio

Nessun messaggio da leggere
Chlorophorus trifasciatus (Fabricius, 1781) - Cerambycidae
20.VI.2006 - ITALIA - Emilia-Romagna - BO
Allegato(i) Dettagli della specie
Chlorophorus trifasciatus (Fabricius, 1781)
Cerambycidae


20.VI.2006 - ITALIA - Emilia-Romagna - BO
Coleoptera

Andream

2

920

23/03/2015, 23:54

Andream Vedi ultimo messaggio

Nessun messaggio da leggere
Allegato(i) Dettagli della specie
Certallum ebulinum (Linnaeus, 1767)
Cerambycidae


22.III.2015 - MALTA - EE
Coleoptera

Fumea crassiorella

0

822

23/03/2015, 8:41

Fumea crassiorella Vedi ultimo messaggio

Nessun messaggio da leggere
Xylotrechus (Xylotrechus) stebbingi Gahan, 1906 - Cerambycidae
25.VII.1994 - ITALIA - Toscana - PO
Allegato(i) Dettagli della specie
Xylotrechus (Xylotrechus) stebbingi Gahan, 1906
Cerambycidae


25.VII.1994 - ITALIA - Toscana - PO
Coleoptera

Andream

3

1137

23/03/2015, 0:29

Andream Vedi ultimo messaggio

Nessun messaggio da leggere
Agapanthia (Agapanthia) cardui (Linnaeus, 1767) - Cerambycidae
10.VI.1998 - ITALIA - Emilia-Romagna - BO
Allegato(i) Dettagli della specie
Agapanthia (Agapanthia) cardui (Linnaeus, 1767)
Cerambycidae


10.VI.1998 - ITALIA - Emilia-Romagna - BO
Coleoptera

Andream

2

1045

22/03/2015, 0:34

Andream Vedi ultimo messaggio

Nessun messaggio da leggere
Allegato(i) Dettagli della specie
Exocentrus punctipennis Mulsant & Guillebeau, 1856 cf.
Cerambycidae


6.X.2000 - ITALIA - Emilia-Romagna - BO
Coleoptera

Andream

9

1966

22/03/2015, 0:33

Andream Vedi ultimo messaggio

Nessun messaggio da leggere
Allegato(i) Dettagli della specie
Xylotrechus (Xylotrechus) antilope antilope (Schöenherr, 1817)
Cerambycidae


25.VII.1998 - ITALIA - Toscana - PO
Coleoptera

Andream

3

1073

21/03/2015, 23:30

Plagionotus Vedi ultimo messaggio

Nessun messaggio da leggere
Rhagium (Rhagium) inquisitor inquisitor (Linnaeus, 1758) - Cerambycidae
18.III.2015 - ITALIA - Trentino-Alto Adige - TN
Allegato(i) Dettagli della specie
Rhagium (Rhagium) inquisitor inquisitor (Linnaeus, 1758)
Cerambycidae


18.III.2015 - ITALIA - Trentino-Alto Adige - TN
Coleoptera

gigilmozzi

4

1165

19/03/2015, 20:56

gigilmozzi Vedi ultimo messaggio

Nessun messaggio da leggere
Allegato(i) Dettagli della specie
Penichroa fasciata (Stephens, 1831)
Cerambycidae


15.III.2015 - MALTA - EE
Coleoptera

Fumea crassiorella

3

1153

18/03/2015, 21:16

f.izzillo Vedi ultimo messaggio

Nessun messaggio da leggere
Allegato(i)
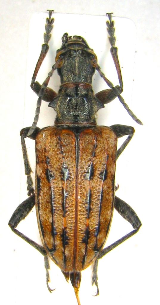
Saphanus piceus bartolonii (Sama & Rapuzzi, 1993) - Cerambycidae

[ Vai alla paginaVai alla pagina: 1, 2 ]



4.VI.2014 - GRECIA - EE
Coleoptera

Entomarci

17

6028

18/03/2015, 9:15

Entomarci Vedi ultimo messaggio

Nessun messaggio da leggere
Allegato(i) Dettagli della specie
Niphona picticornis Mulsant, 1839
Cerambycidae


14.III.2015 - MALTA - EE
Coleoptera

Fumea crassiorella

0

911

14/03/2015, 20:06

Fumea crassiorella Vedi ultimo messaggio

Nessun messaggio da leggere
Saperda scalaris scalaris (Linnaeus, 1758) - Cerambycidae
2.IX.2014 - ITALIA - Friuli-Venezia Giulia - PN
Allegato(i) Dettagli della specie
Saperda scalaris scalaris (Linnaeus, 1758)
Cerambycidae


2.IX.2014 - ITALIA - Friuli-Venezia Giulia - PN
Coleoptera

andreah

2

1019

13/03/2015, 20:11

andreah Vedi ultimo messaggio

Nessun messaggio da leggere
Allegato(i) Dettagli della specie
Parmena pubescens pubescens (Dalman, 1817)
Cerambycidae


11.III.2015 - MALTA - EE
Coleoptera

Fumea crassiorella

9

2064

13/03/2015, 20:09

Plagionotus Vedi ultimo messaggio

Nessun messaggio da leggere
Parmena pubescens pubescens (Dalman, 1817) - Cerambycidae
22.VIII.2014 - ITALIA - Sicilia - RG
Allegato(i) Dettagli della specie
Parmena pubescens pubescens (Dalman, 1817)
Cerambycidae


22.VIII.2014 - ITALIA - Sicilia - RG
Coleoptera

salvo

13

2846

12/03/2015, 23:27

salvo Vedi ultimo messaggio

Nessun messaggio da leggere
Allegato(i)
Mesoprionus besicanus Fairmaire, 1855 - Cerambycidae

11.VI.2012 - GRECIA - EE
Coleoptera

Uncle Adam

1

1085

10/03/2015, 22:44

michele.carraretto Vedi ultimo messaggio

Nessun messaggio da leggere
Allegato(i) Dettagli della specie
Agapanthia (Epoptes) asphodeli (Latreille, 1804)
Cerambycidae


5.III.2015 - MALTA - EE
Coleoptera

Fumea crassiorella

4

1859

10/03/2015, 19:43

Plagionotus Vedi ultimo messaggio

Nessun messaggio da leggere
Allegato(i) Dettagli della specie
Stromatium unicolor (Olivier, 1795)
Cerambycidae


5.III.2015 - MALTA - EE
Coleoptera

Fumea crassiorella

8

2713

10/03/2015, 17:58

Alessio89 Vedi ultimo messaggio

Nessun messaggio da leggere
Allegato(i) Dettagli della specie
Agapanthia (Agapanthia) cardui (Linnaeus, 1767)
Cerambycidae


7.III.2015 - MALTA - EE
Coleoptera

Fumea crassiorella

3

1752

08/03/2015, 20:28

cosmln Vedi ultimo messaggio

Nessun messaggio da leggere
Vesperus strepens (Fabricius, 1792) - Cerambycidae
25.II.2015 - ITALIA - Liguria - SV
Allegato(i) Dettagli della specie
Vesperus strepens (Fabricius, 1792)
Cerambycidae


25.II.2015 - ITALIA - Liguria - SV
Coleoptera

Helix

14

4422

02/03/2015, 9:47

Plagionotus Vedi ultimo messaggio

Nessun messaggio da leggere
Rutpela maculata maculata (Poda, 1761) - Cerambycidae
4.VII.1999 - ITALIA - Toscana - PO
Allegato(i) Dettagli della specie
Rutpela maculata maculata (Poda, 1761)
Cerambycidae


4.VII.1999 - ITALIA - Toscana - PO
Coleoptera

Andream

5

1289

10/02/2015, 19:35

Andream Vedi ultimo messaggio

Nessun messaggio da leggere
Allegato(i) Dettagli della specie
Stictoleptura cordigera cordigera (Fuessly, 1775)
Cerambycidae


14.VI.2001 - ITALIA - Umbria - PG
Coleoptera

Andream

2

974

10/02/2015, 14:05

Andream Vedi ultimo messaggio

Nessun messaggio da leggere
Allegato(i)
Dorcadion bilineatum Germar, 1839 - Cerambycidae
Cerambycidae


4.VI.2011 - TURCHIA - EE
Coleoptera

Baris99

3

1135

10/02/2015, 5:55

Baris99 Vedi ultimo messaggio

Nessun messaggio da leggere
Allegato(i) Dettagli della specie
Trichoferus fasciculatus fasciculatus (Faldermann, 1837)
Cerambycidae


19.VI.2013 - ITALIA - Marche - MC
Coleoptera

Andream

4

1106

10/02/2015, 0:33

Andream Vedi ultimo messaggio

Nessun messaggio da leggere
Allegato(i) Dettagli della specie
Xylotrechus (Xylotrechus) arvicola (Olivier, 1795)
Cerambycidae


10.VII.2014 - FRANCIA - EE
Coleoptera

Andream

4

1141

08/02/2015, 14:52

Andream Vedi ultimo messaggio

Nessun messaggio da leggere
Agapanthia sp.
VI.2012 - GRECIA - EE
Allegato(i)
Agapanthia sp.
Cerambycidae


VI.2012 - GRECIA - EE
Coleoptera

claudio sola

6

1506

25/01/2015, 20:57

Plagionotus Vedi ultimo messaggio

Nessun messaggio da leggere
Callidium coriaceum Paykull, 1800 - Cerambycidae
14.VI.2003 - POLONIA - EE
Allegato(i) Dettagli della specie
Callidium coriaceum Paykull, 1800
Cerambycidae


14.VI.2003 - POLONIA - EE
Coleoptera

Uncle Adam

2

1509

25/01/2015, 20:10

Uncle Adam Vedi ultimo messaggio

Nessun messaggio da leggere
Callidium aeneum (De Geer, 1775) - Cerambycidae
23.I.2015 - ITALIA - Trentino-Alto Adige - TN
Allegato(i) Dettagli della specie
Callidium aeneum (De Geer, 1775)
Cerambycidae


23.I.2015 - ITALIA - Trentino-Alto Adige - TN
Coleoptera

gigilmozzi

6

2318

25/01/2015, 15:23

gigilmozzi Vedi ultimo messaggio

Nessun messaggio da leggere
Allegato(i) Dettagli della specie
Cortodera humeralis aspromontana G. Müller, 1948
Cerambycidae


VI.2012 - GRECIA - EE
Coleoptera

claudio sola

9

3370

16/01/2015, 12:14

alebisca Vedi ultimo messaggio

Nessun messaggio da leggere
Semnosia herminae (Reitter, 1890) - Cerambycidae
4.VIII.2014 - TURCHIA - EE
Allegato(i)
Semnosia herminae (Reitter, 1890) - Cerambycidae

4.VIII.2014 - TURCHIA - EE
Coleoptera

Broc

8

2835

15/01/2015, 21:51

Broc Vedi ultimo messaggio

Nessun messaggio da leggere
Allegato(i) Dettagli della specie
Anaglyptus gibbosus (Fabricius, 1787)
Cerambycidae


VI.2012 - GRECIA - EE
Coleoptera

claudio sola

14

4043

15/01/2015, 20:22

Julodis Vedi ultimo messaggio

Nessun messaggio da leggere
Allegato(i) Dettagli della specie
Stenhomalus (Obriopsis) bicolor (Kraatz, 1862)
Cerambycidae


VI.2012 - GRECIA - EE
Coleoptera

claudio sola

1

1117

12/01/2015, 19:22

Entomarci Vedi ultimo messaggio

Nessun messaggio da leggere
Allegato(i)
Stenurella bifasciata (Muller, 1776) (cf.) - Cerambycidae
Cerambycidae


VI.2012 - GRECIA - EE
Coleoptera

claudio sola

1

876

10/01/2015, 21:00

Plagionotus Vedi ultimo messaggio

Nessun messaggio da leggere
Allegato(i) Dettagli della specie
Molorchus minor minor (Linnaeus, 1758)
Cerambycidae


VI.2012 - GRECIA - EE
Coleoptera

claudio sola

1

946

10/01/2015, 19:33

michele.carraretto Vedi ultimo messaggio

Nessun messaggio da leggere
Allegato(i) Dettagli della specie
Obrium brunneum (Fabricius, 1792)
Cerambycidae


VI.2012 - GRECIA - EE
Coleoptera

claudio sola

2

1359

10/01/2015, 0:43

claudio sola Vedi ultimo messaggio

Nessun messaggio da leggere
Allegato(i)
Molorchus minor (Linnaeus, 1758) (cf.) - Cerambycidae

VI.2012 - GRECIA - EE
Coleoptera

claudio sola

2

1222

09/01/2015, 9:08

Entomarci Vedi ultimo messaggio

Nessun messaggio da leggere
Allegato(i) Dettagli della specie
Molorchus minor minor (Linnaeus, 1758)
Cerambycidae


VI.2012 - GRECIA - EE
Coleoptera

claudio sola

2

1200

09/01/2015, 0:12

Entomarci Vedi ultimo messaggio

Nessun messaggio da leggere
Allegato(i)
Grammoptera auricollis bipustulata Steiner, 1975
Cerambycidae


VI.2012 - GRECIA - EE
Coleoptera

claudio sola

1

955

07/01/2015, 20:22

Uncle Adam Vedi ultimo messaggio

Nessun messaggio da leggere
Allegato(i) Dettagli della specie
Rhagium (Rhagium) inquisitor inquisitor (Linnaeus, 1758) cf.
Cerambycidae


VI.2012 - GRECIA - EE
Coleoptera

claudio sola

6

2202

31/12/2014, 17:12

Entomarci Vedi ultimo messaggio

Nessun messaggio da leggere
Allegato(i) Dettagli della specie
Rhagium (Rhagium) inquisitor inquisitor (Linnaeus, 1758) cf.
Cerambycidae


VI.2012 - GRECIA - EE
Coleoptera

claudio sola

4

1670

31/12/2014, 10:21

michele.carraretto Vedi ultimo messaggio

Nessun messaggio da leggere
Callidium aeneum (De Geer, 1775) - Cerambycidae
29.XII.2014 - ITALIA - Trentino-Alto Adige - TN
Allegato(i) Dettagli della specie
Callidium aeneum (De Geer, 1775)
Cerambycidae


29.XII.2014 - ITALIA - Trentino-Alto Adige - TN
Coleoptera

gigilmozzi

6

2014

29/12/2014, 22:44

Entomarci Vedi ultimo messaggio

Nessun messaggio da leggere
Allegato(i)
Akimerus schaefferi ariannae Pesarini & Sabbadini, 2007
Cerambycidae


12.VI.2013 - GRECIA - EE
Coleoptera

Drymochares

5

1334

29/12/2014, 12:30

Drymochares Vedi ultimo messaggio

Visualizza ultimi argomenti:  Ordina per  Ordine:  
nuovo argomento
Vai alla pagina Precedente  1 ... 27, 28, 29, 30, 31, 32, 33 ... 93  Prossimo
Pagina 30 di 93 [ 4651 argomenti ]

Tutti gli orari sono UTC + 1 ora [ ora legale ]


Chi c’è in linea

Visitano il forum: Nessuno e 1 ospite


Legenda
Messaggi da leggere Messaggi da leggere Nessun messaggio da leggere Nessun messaggio da leggere Annuncio Annuncio
 
Specie indeterminata / discussione generica
Messaggi non letti [ Popolari ] Messaggi non letti [ Popolari ] Nessun messaggio da leggere [ Popolare ] Nessun messaggio da leggere [ Popolare ] Importante Importante
 
Specie determinata fino al genere o cf.
Messaggi non letti [ Bloccati ] Messaggi non letti [ Bloccati ] No messaggi non letti [ Bloccati ] No messaggi non letti [ Bloccati ] Argomento spostato Argomento spostato
 
Specie correttamente determinata
Permessi
Non puoi aprire nuovi argomenti
Non puoi rispondere negli argomenti
Non puoi modificare i tuoi messaggi
Non puoi cancellare i tuoi messaggi
Non puoi inviare allegati

Cerca per:
Vai a: