Benvenuto Ospite

Forum Entomologi Italiani

www.entomologiitaliani.net/forum
 
Oggi è 14/04/2026, 22:49

Tutti gli orari sono UTC + 1 ora [ ora legale ]


92% 
2928 taxa correttamente determinati su 3182 presenti in archivio

Cerambycidae


[ AFROTROPICALE ] [ ANTARTICO ] [ AUSTRALASIANO ] [ NEARTICO ] [ NEOTROPICALE ] [ ORIENTALE ] [ PALEARTICO ]


nuovo argomento
Vai alla pagina Precedente  1 ... 63, 64, 65, 66, 67, 68, 69 ... 94  Prossimo
Pagina 66 di 94 [ 4653 argomenti ]
 Argomenti   Ordine   Autore   Risposte   Visite    Ultimo messaggio 
Annunci
Nessun messaggio da leggere
Allegato(i)
Incontri entomologici della Società Entomologica Italiana 2025-2026
 

Velvet Ant

0

46430

17/11/2025, 19:41

Velvet Ant Vedi ultimo messaggio

Nessun messaggio da leggere
Allegato(i)
Incontri entomologici telematici organizzati dalla Società Entomologica Italiana nel 2022 e nel 2023

[ Vai alla paginaVai alla pagina: 1, 2, 3 ]

 

Velvet Ant

44

1996910

03/03/2023, 15:55

Velvet Ant Vedi ultimo messaggio

Nessun messaggio da leggere  
Allegato(i)
Sondaggio sul declino dell'entomofauna in Italia

[ Vai alla paginaVai alla pagina: 1, 2, 3, 4 ]

 

Velvet Ant

52

2668091

22/10/2022, 19:18

Acquarius Vedi ultimo messaggio

Nessun messaggio da leggere  
Allegato(i)
Progetto: Bibliografia ragionata dei lavori entomologici nei quali sono citati reperti apparsi su FEI

[ Vai alla paginaVai alla pagina: 1, 2, 3 ]

 

Velvet Ant

33

1602672

06/07/2023, 18:31

Orotrechus Vedi ultimo messaggio

Nessun messaggio da leggere
Allegato(i)
Mimesi, il primo documentario cinematografico sull’entomologia in Italia: casting
 

mazzeip

1

1136315

28/02/2019, 20:26

mazzeip Vedi ultimo messaggio

Questo argomento è bloccato, non puoi modificare o inviare ulteriori messaggi.
Allegato(i)
ISTRUZIONI PUBBLICAZIONE NUOVI ARGOMENTI E FOTO

 
Altri Ordini di Insetti

Julodis

4

2953008

13/05/2015, 19:37

Julodis Vedi ultimo messaggio

Nessun messaggio da leggere
Allegato(i)
Limitatore giornaliero di messaggi, uno strumento utile e ormai indispensabile

[ Vai alla paginaVai alla pagina: 1 ... 14, 15, 16 ]

 

Velvet Ant

233

13756174

25/09/2014, 14:31

Inachis Vedi ultimo messaggio

Nessun messaggio da leggere  
NORME PER I COLLABORATORI DEL FORUM

 
 

Velvet Ant

0

669382

02/06/2011, 12:05

Velvet Ant Vedi ultimo messaggio

Nessun messaggio da leggere
Allegato(i)
NORME PER GLI UTENTI DEL FORUM

[ Vai alla paginaVai alla pagina: 1, 2, 3 ]



 
 

Velvet Ant

30

3720169

23/09/2014, 23:54

Maurizio Bollino Vedi ultimo messaggio

Questo argomento è bloccato, non puoi modificare o inviare ulteriori messaggi.  
Elenco delle specie italiane di Cerambycidae presenti sul forum
Cerambycidae


 
Coleoptera

Plagionotus

0

6416

22/11/2010, 22:28

Plagionotus Vedi ultimo messaggio

Nessun messaggio da leggere  
Lista degli utenti del "Forum entomologi italiani" per campi di interesse e specializzazione

 
Altri Ordini di Insetti

Velvet Ant

13

1121832

07/09/2023, 17:14

Roberto-07 Vedi ultimo messaggio

Argomenti
Nessun messaggio da leggere
Parmena algirica Laporte, 1840 - Cerambycidae
22.VI.2011 - ITALIA - Sardegna - CA
Allegato(i) Dettagli della specie
Parmena algirica Laporte, 1840
Cerambycidae


22.VI.2011 - ITALIA - Sardegna - CA
Coleoptera

Fumea crassiorella

1

994

23/06/2011, 14:22

Plagionotus Vedi ultimo messaggio

Nessun messaggio da leggere
Allegato(i) Dettagli della specie
Opsilia coerulescens (Scopoli, 1763)
Cerambycidae


16.VI.2011 - ROMANIA - EE
Coleoptera

cosmln

0

850

23/06/2011, 10:22

cosmln Vedi ultimo messaggio

Nessun messaggio da leggere
Allegato(i) Dettagli della specie
Exocentrus lusitanus (Linnaeus, 1767)
Cerambycidae


18.VI.2011 - ROMANIA - EE
Coleoptera

cosmln

2

1106

23/06/2011, 9:17

cosmln Vedi ultimo messaggio

Nessun messaggio da leggere
Cerambyx scopolii scopolii Fuessly, 1775 - Cerambycidae
19.VI.2011 - ITALIA - Abruzzo - AQ
Allegato(i) Dettagli della specie
Cerambyx scopolii scopolii Fuessly, 1775
Cerambycidae


19.VI.2011 - ITALIA - Abruzzo - AQ
Coleoptera

Claude54

2

1049

22/06/2011, 22:53

conan Vedi ultimo messaggio

Nessun messaggio da leggere
Morimus asper asper (Sulzer, 1776) - Cerambycidae
19.VI.2011 - ITALIA - Emilia-Romagna - PC
Allegato(i) Dettagli della specie
Morimus asper asper (Sulzer, 1776)
Cerambycidae


19.VI.2011 - ITALIA - Emilia-Romagna - PC
Coleoptera

PjofDoom

3

1207

22/06/2011, 17:37

Isotomus Vedi ultimo messaggio

Nessun messaggio da leggere
Allegato(i)
Isotomus syriacus Pic, 1902 - Spedizione italo turca - Turchia, 2011

25.V.2011 - TURCHIA - EE
Coleoptera

Isotomus

13

3359

22/06/2011, 15:04

Julodis Vedi ultimo messaggio

Nessun messaggio da leggere
Allegato(i) Dettagli della specie
Exocentrus adspersus Mulsant, 1846
Cerambycidae


18.VI.2011 - ROMANIA - EE
Coleoptera

cosmln

0

950

22/06/2011, 14:18

cosmln Vedi ultimo messaggio

Nessun messaggio da leggere
Rhamnusium bicolor demaggii Tippmann, 1956 - Cerambycidae
14.V.2011 - ITALIA - Lazio - RM
Allegato(i) Dettagli della specie
Rhamnusium bicolor demaggii Tippmann, 1956
Cerambycidae


14.V.2011 - ITALIA - Lazio - RM
Coleoptera

Fabio Turchetti

10

2516

22/06/2011, 13:35

Entomarci Vedi ultimo messaggio

Nessun messaggio da leggere
Allegato(i)
Dorcadion (Pedestredorcadion) infernale Mulsant & Rey, 1863 - spedizione italo turca - Turchia 2011

9.V.2011 - TURCHIA - EE
Coleoptera

Isotomus

9

1917

22/06/2011, 10:35

Plagionotus Vedi ultimo messaggio

Nessun messaggio da leggere
Agapanthia (Epoptes) sicula malmerendii Sama, 1981 - Cerambycidae
11.VI.2011 - ITALIA - Emilia-Romagna - FC
Allegato(i) Dettagli della specie
Agapanthia (Epoptes) sicula malmerendii Sama, 1981
Cerambycidae


11.VI.2011 - ITALIA - Emilia-Romagna - FC
Coleoptera

Loriscola

4

2141

22/06/2011, 8:20

Loriscola Vedi ultimo messaggio

Nessun messaggio da leggere
Allegato(i)
Purpuricenus dalmatinus Sturm, 1843 - Spedizione italo turca - Turchia 2011

25.V.2011 - TURCHIA - EE
Coleoptera

Isotomus

3

1188

21/06/2011, 15:01

Isotomus Vedi ultimo messaggio

Nessun messaggio da leggere
Clytus rhamni Germar, 1817 - Cerambycidae
10.VI.2011 - ITALIA - Toscana - LI
Allegato(i) Dettagli della specie
Clytus rhamni Germar, 1817
Cerambycidae


10.VI.2011 - ITALIA - Toscana - LI
Coleoptera

FORBIX

11

2443

21/06/2011, 14:23

FORBIX Vedi ultimo messaggio

Nessun messaggio da leggere
Pachytodes erraticus erraticus (Dalman, 1817) - Cerambycidae
18.VI.2011 - ITALIA - Abruzzo - AQ
Allegato(i) Dettagli della specie
Pachytodes erraticus erraticus (Dalman, 1817)
Cerambycidae


18.VI.2011 - ITALIA - Abruzzo - AQ
Coleoptera

Claude54

1

911

21/06/2011, 13:28

Isotomus Vedi ultimo messaggio

Nessun messaggio da leggere
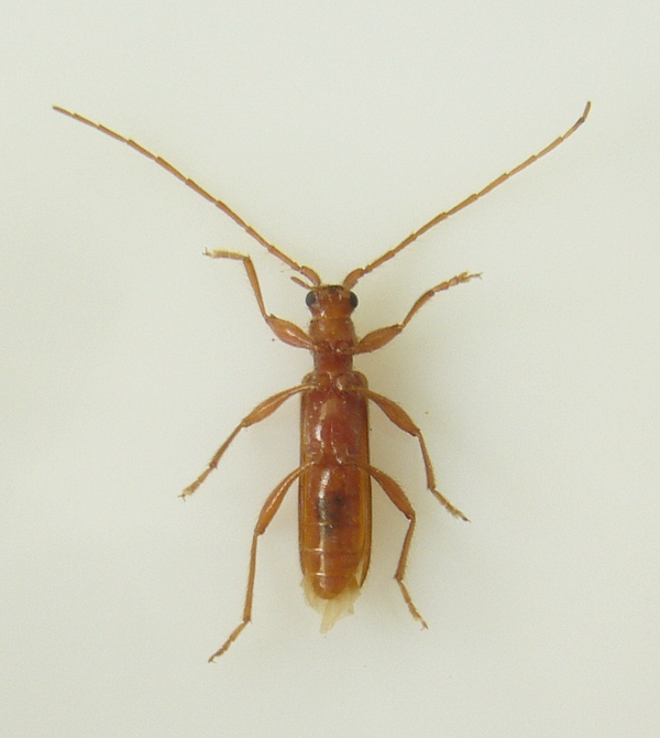
Deilus fugax (Olivier, 1790) - Cerambycidae
18.VI.2011 - ITALIA - Abruzzo - AQ
Allegato(i) Dettagli della specie
Deilus fugax (Olivier, 1790)
Cerambycidae


18.VI.2011 - ITALIA - Abruzzo - AQ
Coleoptera

Claude54

1

863

21/06/2011, 13:25

StagBeetle Vedi ultimo messaggio

Nessun messaggio da leggere
Allegato(i) Dettagli della specie
Paracorymbia maculicornis (De Geer, 1775)
Cerambycidae


9.VI.2011 - ROMANIA - EE
Coleoptera

cosmln

1

1000

21/06/2011, 12:53

Plagionotus Vedi ultimo messaggio

Nessun messaggio da leggere
Allegato(i)
Pilemia hirsutula (Frölich, 1793) (cf.) - Cerambycidae

3.VI.2011 - GRECIA - EE
Coleoptera

Maurizio Bollino

6

1302

21/06/2011, 12:46

Plagionotus Vedi ultimo messaggio

Nessun messaggio da leggere
Allegato(i)
Anastrangalia montana montana (Mulsant & Rey, 1863) -

21.V.2011 - TURCHIA - EE
Coleoptera

Isotomus

1

787

21/06/2011, 9:28

Isotomus Vedi ultimo messaggio

Nessun messaggio da leggere
Clytus clavicornis Reiche, 1860 - Cerambycidae
17.VI.2011 - ITALIA - Sicilia - PA
Allegato(i) Dettagli della specie
Clytus clavicornis Reiche, 1860
Cerambycidae


17.VI.2011 - ITALIA - Sicilia - PA
Coleoptera

carabus

8

2259

21/06/2011, 9:25

FORBIX Vedi ultimo messaggio

Nessun messaggio da leggere
Callimus abdominalis (Olivier, 1795) - Cerambycidae
17.VI.2011 - ITALIA - Sicilia - PA
Allegato(i) Dettagli della specie
Callimus abdominalis (Olivier, 1795)
Cerambycidae


17.VI.2011 - ITALIA - Sicilia - PA
Coleoptera

carabus

4

1569

21/06/2011, 9:22

Isotomus Vedi ultimo messaggio

Nessun messaggio da leggere
Parmena subpubescens Hellrigl, 1971 - Cerambycidae
10.IV.2011 - ITALIA - Lazio - LT
Allegato(i) Dettagli della specie
Parmena subpubescens Hellrigl, 1971
Cerambycidae


10.IV.2011 - ITALIA - Lazio - LT
Coleoptera

ruzzpa

8

2241

21/06/2011, 9:04

Isotomus Vedi ultimo messaggio

Nessun messaggio da leggere
Plagionotus floralis (Pallas, 1773) - Cerambycidae
19.VI.2011 - ITALIA - Lazio - RM
Allegato(i) Dettagli della specie
Plagionotus floralis (Pallas, 1773)
Cerambycidae


19.VI.2011 - ITALIA - Lazio - RM
Coleoptera

Broc

4

1382

21/06/2011, 0:17

Julodis Vedi ultimo messaggio

Nessun messaggio da leggere
Allegato(i) Dettagli della specie
Agapanthia (Epoptes) sicula sicula Ganglbauer, 1884
Cerambycidae


17.VI.2011 - ITALIA - Sicilia - PA
Coleoptera

carabus

1

903

20/06/2011, 20:23

Plagionotus Vedi ultimo messaggio

Nessun messaggio da leggere
Allegato(i) Dettagli della specie
Dorcadion (Pedestredorcadion) etruscum (Rossi, 1790)
Cerambycidae


18.VI.2011 - ITALIA - Umbria - PG
Coleoptera

ilio

7

1562

20/06/2011, 20:15

Plagionotus Vedi ultimo messaggio

Nessun messaggio da leggere
Musaria tirellii (Luigioni, 1913) - Cerambycidae
18.VI.2011 - ITALIA - Marche - PU
Allegato(i) Dettagli della specie
Musaria tirellii (Luigioni, 1913)
Cerambycidae

[ Vai alla paginaVai alla pagina: 1, 2 ]



18.VI.2011 - ITALIA - Marche - PU
Coleoptera

conan

26

4350

20/06/2011, 16:46

Plagionotus Vedi ultimo messaggio

Nessun messaggio da leggere
Callimus abdominalis (Olivier, 1795) - Cerambycidae
17.VI.2011 - ITALIA - Sicilia - PA
Allegato(i) Dettagli della specie
Callimus abdominalis (Olivier, 1795)
Cerambycidae


17.VI.2011 - ITALIA - Sicilia - PA
Coleoptera

carabus

2

1085

20/06/2011, 16:08

carabus Vedi ultimo messaggio

Nessun messaggio da leggere
Phymatodes testaceus (Linnaeus, 1758) - Cerambycidae
15.V.2011 - ITALIA - Veneto - RO
Allegato(i) Dettagli della specie
Phymatodes testaceus (Linnaeus, 1758)
Cerambycidae


15.V.2011 - ITALIA - Veneto - RO
Coleoptera

Umbro

2

1018

19/06/2011, 23:01

Umbro Vedi ultimo messaggio

Nessun messaggio da leggere
Allegato(i) Dettagli della specie
Rutpela maculata maculata (Poda, 1761)
Cerambycidae


21.V.2011 - TURCHIA - EE
Coleoptera

Isotomus

0

690

19/06/2011, 21:44

Isotomus Vedi ultimo messaggio

Nessun messaggio da leggere
Herophila tristis tristis (Linnaeus, 1767) - Cerambycidae
19.VI.2011 - ITALIA - Emilia-Romagna - PR
Allegato(i) Dettagli della specie
Herophila tristis tristis (Linnaeus, 1767)
Cerambycidae


19.VI.2011 - ITALIA - Emilia-Romagna - PR
Coleoptera

antoEandrea

2

843

19/06/2011, 21:22

antoEandrea Vedi ultimo messaggio

Nessun messaggio da leggere
Allegato(i)
Herophila fairmairei (Thomson, 1857) - Cerambycidae

1.VI.2010 - GRECIA - EE
Coleoptera

karia

3

1011

19/06/2011, 21:07

karia Vedi ultimo messaggio

Nessun messaggio da leggere
Allegato(i) Dettagli della specie
Dorcadion (Pedestredorcadion) etruscum (Rossi, 1790)
Cerambycidae


5.VI.2011 - ITALIA - Campania - SA
Coleoptera

clido

4

1211

19/06/2011, 20:55

Plagionotus Vedi ultimo messaggio

Nessun messaggio da leggere
Allegato(i)
Dorcadion (Pedestredorcadion) nigrostriatum Adlbauer, 1982 - spedizione italo turca - Turchia 2011

11.V.2011 - TURCHIA - EE
Coleoptera

Isotomus

2

847

19/06/2011, 19:43

Isotomus Vedi ultimo messaggio

Nessun messaggio da leggere
Allegato(i) Dettagli della specie
Exocentrus adspersus Mulsant, 1846
Cerambycidae


18.VI.2011 - ROMANIA - EE
Coleoptera

alexaandru

2

885

19/06/2011, 16:37

alexaandru Vedi ultimo messaggio

Nessun messaggio da leggere
Allegato(i) Dettagli della specie
Axinopalpis gracilis gracilis (Krynicki, 1832)
Cerambycidae


18.VI.2011 - ROMANIA - EE
Coleoptera

alexaandru

2

1023

19/06/2011, 16:36

alexaandru Vedi ultimo messaggio

Nessun messaggio da leggere
Allegato(i)
Pedostrangalia emmipoda (Mulsant, 1863) - Cerambycidae

21.V.2011 - TURCHIA - EE
Coleoptera

Fumea crassiorella

3

901

19/06/2011, 12:31

Fumea crassiorella Vedi ultimo messaggio

Nessun messaggio da leggere
Allegato(i) Dettagli della specie
Saperda scalaris scalaris (Linnaeus, 1758)
Cerambycidae


19.V.2011 - TURCHIA - EE
Coleoptera

Isotomus

2

880

17/06/2011, 19:21

Alessio89 Vedi ultimo messaggio

Nessun messaggio da leggere
Allegato(i) Dettagli della specie
Agapanthia (Epoptes) sicula malmerendii Sama, 1981
Cerambycidae


5.VI.2011 - ITALIA - Campania - SA
Coleoptera

clido

2

1397

17/06/2011, 19:14

clido Vedi ultimo messaggio

Nessun messaggio da leggere
Allegato(i)
Callidium syriacum Pic, 1893 - Spedizione italo turca - Turchia 2011

25.V.2011 - TURCHIA - EE
Coleoptera

Isotomus

4

1031

17/06/2011, 18:46

Plagionotus Vedi ultimo messaggio

Nessun messaggio da leggere
Allegato(i)
Pedostrangalia (Neosphenalia) emmipoda (Mulsant, 1863) - Spedizione italo - turca : Turchia 2011

25.V.2011 - TURCHIA - EE
Coleoptera

Isotomus

0

648

17/06/2011, 18:20

Isotomus Vedi ultimo messaggio

Nessun messaggio da leggere
Allegato(i) Dettagli della specie
Agapanthia (Agapanthia) maculicornis davidi Sláma, 1986
Cerambycidae


9.IX.2009 - ITALIA - Puglia - TA
Coleoptera

Ugo Ferrero

13

3661

17/06/2011, 18:02

conan Vedi ultimo messaggio

Nessun messaggio da leggere
Plagionotus floralis (Pallas, 1773) - Cerambycidae
4.VI.2011 - ITALIA - Campania - SA
Allegato(i) Dettagli della specie
Plagionotus floralis (Pallas, 1773)
Cerambycidae


4.VI.2011 - ITALIA - Campania - SA
Coleoptera

clido

2

1556

17/06/2011, 15:57

clido Vedi ultimo messaggio

Nessun messaggio da leggere
Rutpela maculata maculata (Poda, 1761) - Cerambycidae
7.VI.2011 - ITALIA - Umbria - PG
Allegato(i) Dettagli della specie
Rutpela maculata maculata (Poda, 1761)
Cerambycidae


7.VI.2011 - ITALIA - Umbria - PG
Coleoptera

giaul

7

1628

17/06/2011, 15:17

Isotomus Vedi ultimo messaggio

Nessun messaggio da leggere
Musaria tirellii (Luigioni, 1913) - Cerambycidae
V.2011 - ITALIA - Marche - AN
Allegato(i) Dettagli della specie
Musaria tirellii (Luigioni, 1913)
Cerambycidae


V.2011 - ITALIA - Marche - AN
Coleoptera

StagBeetle

5

1443

17/06/2011, 14:07

StagBeetle Vedi ultimo messaggio

Nessun messaggio da leggere
Calamobius filum (Rossi, 1790) - Cerambycidae
15.VI.2011 - ITALIA - Sardegna - NU
Allegato(i) Dettagli della specie
Calamobius filum (Rossi, 1790)
Cerambycidae


15.VI.2011 - ITALIA - Sardegna - NU
Coleoptera

Fumea crassiorella

2

1075

17/06/2011, 12:23

conan Vedi ultimo messaggio

Nessun messaggio da leggere
Allegato(i)
Aegomorphus krueperi Kraatz, 1859 - Cerambycidae

8.VI.2011 - GRECIA - EE
Coleoptera

Maurizio Bollino

13

2743

17/06/2011, 10:16

Plagionotus Vedi ultimo messaggio

Nessun messaggio da leggere
Parmena pubescens pubescens (Dalman, 1817) - Cerambycidae
18.V.2011 - ITALIA - Marche - AN
Allegato(i) Dettagli della specie
Parmena pubescens pubescens (Dalman, 1817)
Cerambycidae


18.V.2011 - ITALIA - Marche - AN
Coleoptera

StagBeetle

3

1054

17/06/2011, 8:15

Entomarci Vedi ultimo messaggio

Nessun messaggio da leggere
Gracilia minuta (Fabricius, 1781) - Cerambycidae
15.VI.2011 - ITALIA - Marche - PU
Allegato(i) Dettagli della specie
Gracilia minuta (Fabricius, 1781)
Cerambycidae


15.VI.2011 - ITALIA - Marche - PU
Coleoptera

marco paglialunga

3

1177

16/06/2011, 20:13

marco paglialunga Vedi ultimo messaggio

Nessun messaggio da leggere
Aegosoma scabricorne (Scopoli, 1763) - Cerambycidae
12.VI.2011 - ITALIA - Marche - AN
Allegato(i) Dettagli della specie
Aegosoma scabricorne (Scopoli, 1763)
Cerambycidae


12.VI.2011 - ITALIA - Marche - AN
Coleoptera

StagBeetle

12

2792

16/06/2011, 11:24

Lucanus tetraodon Vedi ultimo messaggio

Nessun messaggio da leggere
Allegato(i)
Dorcadion ( Pedestredorcadion) parnassi Kraatz, 1873 - Cerambycidae

4.VI.2011 - GRECIA - EE
Coleoptera

zdeno

4

1383

15/06/2011, 20:33

zdeno Vedi ultimo messaggio

Nessun messaggio da leggere
Allegato(i)
Dorcadion (Pedestredorcadion) vincenzae Pesarini & Sabb., 2007 - Cerambycidae

2.V.2011 - GRECIA - EE
Coleoptera

zdeno

3

1217

15/06/2011, 19:09

zdeno Vedi ultimo messaggio

Nessun messaggio da leggere
Allegato(i) Dettagli della specie
Pseudovadonia livida livida (Fabricius, 1777)
Cerambycidae


4.VI.2011 - ITALIA - Puglia - BA
Coleoptera

Mimmo011

2

863

15/06/2011, 18:05

Mimmo011 Vedi ultimo messaggio

Visualizza ultimi argomenti:  Ordina per  Ordine:  
nuovo argomento
Vai alla pagina Precedente  1 ... 63, 64, 65, 66, 67, 68, 69 ... 94  Prossimo
Pagina 66 di 94 [ 4653 argomenti ]

Tutti gli orari sono UTC + 1 ora [ ora legale ]


Chi c’è in linea

Visitano il forum: Nessuno e 3 ospiti


Legenda
Messaggi da leggere Messaggi da leggere Nessun messaggio da leggere Nessun messaggio da leggere Annuncio Annuncio
 
Specie indeterminata / discussione generica
Messaggi non letti [ Popolari ] Messaggi non letti [ Popolari ] Nessun messaggio da leggere [ Popolare ] Nessun messaggio da leggere [ Popolare ] Importante Importante
 
Specie determinata fino al genere o cf.
Messaggi non letti [ Bloccati ] Messaggi non letti [ Bloccati ] No messaggi non letti [ Bloccati ] No messaggi non letti [ Bloccati ] Argomento spostato Argomento spostato
 
Specie correttamente determinata
Permessi
Non puoi aprire nuovi argomenti
Non puoi rispondere negli argomenti
Non puoi modificare i tuoi messaggi
Non puoi cancellare i tuoi messaggi
Non puoi inviare allegati

Cerca per:
Vai a: