Benvenuto Ospite

Forum Entomologi Italiani

www.entomologiitaliani.net/forum
 
Oggi è 17/02/2026, 11:08

Tutti gli orari sono UTC + 1 ora [ ora legale ]


92% 
2927 taxa correttamente determinati su 3181 presenti in archivio

Cerambycidae


[ AFROTROPICALE ] [ ANTARTICO ] [ AUSTRALASIANO ] [ NEARTICO ] [ NEOTROPICALE ] [ ORIENTALE ] [ PALEARTICO ]


nuovo argomento
Vai alla pagina Precedente  1 ... 89, 90, 91, 92, 93  Prossimo
Pagina 92 di 93 [ 4651 argomenti ]
 Argomenti   Ordine   Autore   Risposte   Visite    Ultimo messaggio 
Annunci
Nessun messaggio da leggere
Allegato(i)
Incontri entomologici della Società Entomologica Italiana 2025-2026
 

Velvet Ant

0

26838

17/11/2025, 19:41

Velvet Ant Vedi ultimo messaggio

Nessun messaggio da leggere
Allegato(i)
Incontri entomologici telematici organizzati dalla Società Entomologica Italiana nel 2022 e nel 2023

[ Vai alla paginaVai alla pagina: 1, 2, 3 ]

 

Velvet Ant

44

1816956

03/03/2023, 15:55

Velvet Ant Vedi ultimo messaggio

Nessun messaggio da leggere  
Allegato(i)
Sondaggio sul declino dell'entomofauna in Italia

[ Vai alla paginaVai alla pagina: 1, 2, 3, 4 ]

 

Velvet Ant

52

2455844

22/10/2022, 19:18

Acquarius Vedi ultimo messaggio

Nessun messaggio da leggere  
Allegato(i)
Progetto: Bibliografia ragionata dei lavori entomologici nei quali sono citati reperti apparsi su FEI

[ Vai alla paginaVai alla pagina: 1, 2, 3 ]

 

Velvet Ant

33

1458539

06/07/2023, 18:31

Orotrechus Vedi ultimo messaggio

Nessun messaggio da leggere
Allegato(i)
Mimesi, il primo documentario cinematografico sull’entomologia in Italia: casting
 

mazzeip

1

1107565

28/02/2019, 20:26

mazzeip Vedi ultimo messaggio

Questo argomento è bloccato, non puoi modificare o inviare ulteriori messaggi.
Allegato(i)
ISTRUZIONI PUBBLICAZIONE NUOVI ARGOMENTI E FOTO

 
Altri Ordini di Insetti

Julodis

4

2913450

13/05/2015, 19:37

Julodis Vedi ultimo messaggio

Nessun messaggio da leggere
Allegato(i)
Limitatore giornaliero di messaggi, uno strumento utile e ormai indispensabile

[ Vai alla paginaVai alla pagina: 1 ... 14, 15, 16 ]

 

Velvet Ant

233

12900214

25/09/2014, 14:31

Inachis Vedi ultimo messaggio

Nessun messaggio da leggere  
NORME PER I COLLABORATORI DEL FORUM

 
 

Velvet Ant

0

647906

02/06/2011, 12:05

Velvet Ant Vedi ultimo messaggio

Nessun messaggio da leggere
Allegato(i)
NORME PER GLI UTENTI DEL FORUM

[ Vai alla paginaVai alla pagina: 1, 2, 3 ]



 
 

Velvet Ant

30

3574879

23/09/2014, 23:54

Maurizio Bollino Vedi ultimo messaggio

Questo argomento è bloccato, non puoi modificare o inviare ulteriori messaggi.  
Elenco delle specie italiane di Cerambycidae presenti sul forum
Cerambycidae


 
Coleoptera

Plagionotus

0

6251

22/11/2010, 22:28

Plagionotus Vedi ultimo messaggio

Nessun messaggio da leggere  
Lista degli utenti del "Forum entomologi italiani" per campi di interesse e specializzazione

 
Altri Ordini di Insetti

Velvet Ant

13

1055414

07/09/2023, 17:14

Roberto-07 Vedi ultimo messaggio

Argomenti
Nessun messaggio da leggere
Allegato(i) Dettagli della specie
Poecilium pusillum pusillum (Fabricius, 1787)
Cerambycidae


REPUBBLICA CECA - EE
Coleoptera

Trichoferus

2

1416

20/10/2009, 20:49

Trichoferus Vedi ultimo messaggio

Nessun messaggio da leggere
Allegato(i) Dettagli della specie
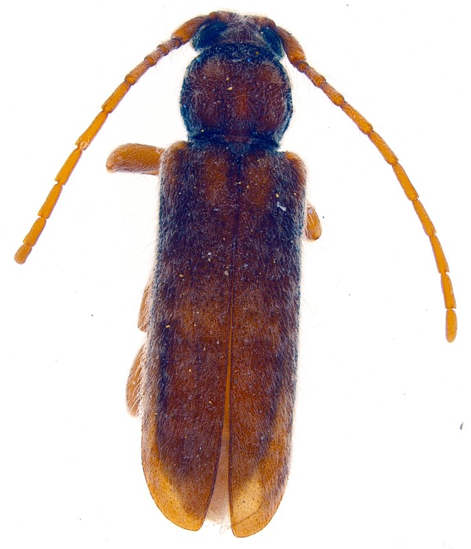
Pogonocherus marcoi Sama, 1993
Cerambycidae


ITALIA - Toscana - GR
Coleoptera

Isotomus

12

3288

20/10/2009, 20:21

Plagionotus Vedi ultimo messaggio

Nessun messaggio da leggere
Rhamnusium graecum graecum Schaufuss, 1862
12.V.2007 - GRECIA - EE
Allegato(i)
Rhamnusium graecum graecum Schaufuss, 1862

12.V.2007 - GRECIA - EE
Coleoptera

Trichoferus

1

941

20/10/2009, 14:09

Velvet Ant Vedi ultimo messaggio

Nessun messaggio da leggere
Pseudogaurotina excellens (Brancsik 1874)
11.VII.2009 - SLOVACCHIA - EE
Allegato(i)
Pseudogaurotina excellens (Brancsik 1874)

11.VII.2009 - SLOVACCHIA - EE
Coleoptera

Drymochares

2

1078

20/10/2009, 12:39

Drymochares Vedi ultimo messaggio

Nessun messaggio da leggere
Saperda similis Laicharting, 1784 - Cerambycidae
3.VI.2009 - REPUBBLICA CECA - EE
Allegato(i) Dettagli della specie
Saperda similis Laicharting, 1784
Cerambycidae


3.VI.2009 - REPUBBLICA CECA - EE
Coleoptera

Drymochares

0

906

20/10/2009, 12:00

Drymochares Vedi ultimo messaggio

Nessun messaggio da leggere
Allegato(i) Dettagli della specie
Leptura quadrifasciata quadrifasciata Linnaeus, 1758
Cerambycidae


2009 - POLONIA - EE
Coleoptera

Drymochares

4

1480

20/10/2009, 11:17

Drymochares Vedi ultimo messaggio

Nessun messaggio da leggere
Allegato(i)
Parandra (Neandra) brunnea Fabricius 1798 - Cerambycidae
Cerambycidae


13.VIII.2009 - GERMANIA - EE
Coleoptera

Drymochares

0

987

20/10/2009, 9:51

Drymochares Vedi ultimo messaggio

Nessun messaggio da leggere
Allegato(i)
Lepromoris gibba (Brullé, 1839)

SPAGNA - EE
Coleoptera

Isotomus

0

719

19/10/2009, 19:35

Isotomus Vedi ultimo messaggio

Nessun messaggio da leggere
Allegato(i) Dettagli della specie
Stenopterus ater (Linnaeus, 1767)
Cerambycidae


MAROCCO - EE
Coleoptera

Isotomus

0

899

19/10/2009, 18:43

Isotomus Vedi ultimo messaggio

Nessun messaggio da leggere
Hylotrupes bajulus (Linnaeus, 1758) - Cerambycidae
1.VII.2009 - ITALIA - Sicilia - TP
Allegato(i) Dettagli della specie
Hylotrupes bajulus (Linnaeus, 1758)
Cerambycidae


1.VII.2009 - ITALIA - Sicilia - TP
Coleoptera

gigi58

2

1297

18/10/2009, 12:22

gigi58 Vedi ultimo messaggio

Nessun messaggio da leggere
Allegato(i) Dettagli della specie
Agapanthia (Agapanthia) suturalis (Fabricius, 1787)
Cerambycidae

[ Vai alla paginaVai alla pagina: 1, 2 ]



VI.2009 - ITALIA - Sicilia - RG
Coleoptera

soken

17

6618

17/10/2009, 8:59

Isotomus Vedi ultimo messaggio

Nessun messaggio da leggere
Arhopalus ferus (Mulsant, 1839) - Cerambycidae
26.IX.2009 - ITALIA - Marche - AN
Allegato(i) Dettagli della specie
Arhopalus ferus (Mulsant, 1839)
Cerambycidae


26.IX.2009 - ITALIA - Marche - AN
Coleoptera

StagBeetle

9

2898

16/10/2009, 21:31

Entomarci Vedi ultimo messaggio

Nessun messaggio da leggere
Allegato(i) Dettagli della specie
Clytus triangulimacula Costa, 1847
Cerambycidae


ITALIA - Puglia - FG
Coleoptera

Isotomus

3

2453

16/10/2009, 10:20

Isotomus Vedi ultimo messaggio

Nessun messaggio da leggere
Allegato(i) Dettagli della specie
Hylotrupes bajulus (Linnaeus, 1758)
Cerambycidae


ITALIA - Veneto - BL
Coleoptera

Maw89

11

3173

15/10/2009, 13:55

Plagionotus Vedi ultimo messaggio

Nessun messaggio da leggere
Allegato(i) Dettagli della specie
Parmena pubescens pubescens (Dalman, 1817)
Cerambycidae


ITALIA - Sicilia - PA
Coleoptera

Trichoferus

5

2018

12/10/2009, 11:48

Mike Vedi ultimo messaggio

Nessun messaggio da leggere
Allegato(i)
Dorcadion (Pedestredorcadion) equestre reclinatum Kraatz, 1892 - Cerambycidae

MACEDONIA, REPUBBLICA JUGOSLAVA DELLA - EE
Coleoptera

ivo

4

2163

12/10/2009, 8:17

ivo Vedi ultimo messaggio

Nessun messaggio da leggere
Chlorophorus trifasciatus (Fabricius, 1781) - Cerambycidae
VI.2008 - ITALIA - Emilia-Romagna - BO
Allegato(i) Dettagli della specie
Chlorophorus trifasciatus (Fabricius, 1781)
Cerambycidae


VI.2008 - ITALIA - Emilia-Romagna - BO
Coleoptera

Loriscola

8

2726

11/10/2009, 20:54

Xylosteus Vedi ultimo messaggio

Nessun messaggio da leggere
Rhamnusium graecum graecum Schaufuss, 1862
21.V.2007 - GRECIA - EE
Allegato(i)
Rhamnusium graecum graecum Schaufuss, 1862

21.V.2007 - GRECIA - EE
Coleoptera

Trichoferus

2

1593

11/10/2009, 20:28

Xylosteus Vedi ultimo messaggio

Nessun messaggio da leggere
Cortodera femorata (Fabricius, 1787) - Cerambycidae
2.VI.2008 - ITALIA - Trentino-Alto Adige - BZ
Allegato(i) Dettagli della specie
Cortodera femorata (Fabricius, 1787)
Cerambycidae


2.VI.2008 - ITALIA - Trentino-Alto Adige - BZ
Coleoptera

Glaphyrus

1

1263

05/10/2009, 20:44

Velvet Ant Vedi ultimo messaggio

Nessun messaggio da leggere
Phytoecia caerulea caerulea (Scopoli, 1772) - Cerambycidae
17.IV.2009 - ITALIA - Sicilia - PA
Allegato(i) Dettagli della specie
Phytoecia caerulea caerulea (Scopoli, 1772)
Cerambycidae


17.IV.2009 - ITALIA - Sicilia - PA
Coleoptera

gigi58

3

1336

05/10/2009, 18:30

gigi58 Vedi ultimo messaggio

Nessun messaggio da leggere
Paracorymbia fulva (De Geer, 1775) - Cerambycidae
VII.2009 - ITALIA - Emilia-Romagna - BO
Allegato(i) Dettagli della specie
Paracorymbia fulva (De Geer, 1775)
Cerambycidae


VII.2009 - ITALIA - Emilia-Romagna - BO
Coleoptera

Loriscola

3

1182

05/10/2009, 18:02

Isotomus Vedi ultimo messaggio

Nessun messaggio da leggere
Allegato(i) Dettagli della specie
Parmena solieri Mulsant, 1839
Cerambycidae


ITALIA - Sardegna - SS
Coleoptera

ESAPODA

6

1644

03/10/2009, 22:38

Plagionotus Vedi ultimo messaggio

Nessun messaggio da leggere
Hesperophanes sericeus (Fabricius, 1787) - Cerambycidae
31.VIII.2009 - ITALIA - Toscana - LI
Allegato(i) Dettagli della specie
Hesperophanes sericeus (Fabricius, 1787)
Cerambycidae


31.VIII.2009 - ITALIA - Toscana - LI
Coleoptera

Pietro Niolu

5

1714

30/09/2009, 20:50

Mauro Vedi ultimo messaggio

Nessun messaggio da leggere
Cerambyx scopolii scopolii Fuessly, 1775 - Cerambycidae
17.V.2009 - ITALIA - Emilia-Romagna - RE
Allegato(i) Dettagli della specie
Cerambyx scopolii scopolii Fuessly, 1775
Cerambycidae


17.V.2009 - ITALIA - Emilia-Romagna - RE
Coleoptera

Plagionotus

7

3090

24/09/2009, 13:52

Plagionotus Vedi ultimo messaggio

Nessun messaggio da leggere
Allegato(i) Dettagli della specie
Pachytodes erraticus erraticus (Dalman, 1817)
Cerambycidae


18.VI.2009 - SLOVENIA - EE
Coleoptera

klosse

7

2282

23/09/2009, 20:05

Isotomus Vedi ultimo messaggio

Nessun messaggio da leggere
Allegato(i) Dettagli della specie
Chlorophorus glabromaculatus (Goeze, 1777)
Cerambycidae


ITALIA - Emilia-Romagna - BO
Coleoptera

Loriscola

1

985

22/09/2009, 8:16

Herzog Vedi ultimo messaggio

Nessun messaggio da leggere
Allegato(i) Dettagli della specie
Chlorophorus varius varius (O. F. Müller, 1766)
Cerambycidae


VIII.2009 - ITALIA - Sicilia - RG
Coleoptera

soken

3

1369

21/09/2009, 22:43

Loriscola Vedi ultimo messaggio

Nessun messaggio da leggere
Allegato(i) Dettagli della specie
Purpuricenus (Purpuricenus) kaehleri kaehleri (Linnaeus, 1758)
Cerambycidae


24.VI.2006 - ITALIA - Sicilia - PA
Coleoptera

Velvet Ant

0

660

21/09/2009, 22:24

Velvet Ant Vedi ultimo messaggio

Nessun messaggio da leggere
Allegato(i) Dettagli della specie
Purpuricenus (Purpuricenus) kaehleri kaehleri (Linnaeus, 1758)
Cerambycidae


VI.2009 - ITALIA - Emilia-Romagna - BO
Coleoptera

Loriscola

3

1280

21/09/2009, 22:24

Velvet Ant Vedi ultimo messaggio

Nessun messaggio da leggere
Allegato(i) Dettagli della specie
Pedostrangalia (Pedostrangalia) revestita (Linnaeus, 1767)
Cerambycidae


ITALIA - Emilia-Romagna - BO
Coleoptera

Loriscola

1

1048

20/09/2009, 22:20

Trichoferus Vedi ultimo messaggio

Nessun messaggio da leggere
Stenopterus ater (Linnaeus, 1767) - Cerambycidae
VI.2009 - ITALIA - Emilia-Romagna - BO
Allegato(i) Dettagli della specie
Stenopterus ater (Linnaeus, 1767)
Cerambycidae


VI.2009 - ITALIA - Emilia-Romagna - BO
Coleoptera

Loriscola

0

630

20/09/2009, 21:56

Loriscola Vedi ultimo messaggio

Nessun messaggio da leggere
Allegato(i) Dettagli della specie
Musaria cephalotes (Küster, 1846)
Cerambycidae


VII.2009 - SLOVENIA - EE
Coleoptera

Trichoferus

3

1365

20/09/2009, 10:30

Hemerobius Vedi ultimo messaggio

Nessun messaggio da leggere
Leiopus nebulosus nebulosus (Linnaeus, 1758) - Cerambycidae
22.VII.2002 - ITALIA - Piemonte - CN
Allegato(i) Dettagli della specie
Leiopus nebulosus nebulosus (Linnaeus, 1758)
Cerambycidae


22.VII.2002 - ITALIA - Piemonte - CN
Coleoptera

Hemerobius

0

705

18/09/2009, 17:38

Hemerobius Vedi ultimo messaggio

Nessun messaggio da leggere
Stenopterus ater (Linnaeus, 1767) - Cerambycidae
20.IX.2009 - ITALIA - Sardegna - SS
Allegato(i) Dettagli della specie
Stenopterus ater (Linnaeus, 1767)
Cerambycidae


20.IX.2009 - ITALIA - Sardegna - SS
Coleoptera

Hemerobius

1

862

16/09/2009, 18:54

aug Vedi ultimo messaggio

Nessun messaggio da leggere
Lamia textor (Linnaeus, 1758) - Cerambycidae
25.VI.2008 - ITALIA - Marche - AN
Allegato(i) Dettagli della specie
Lamia textor (Linnaeus, 1758)
Cerambycidae


25.VI.2008 - ITALIA - Marche - AN
Coleoptera

StagBeetle

10

3145

15/09/2009, 17:59

Entomarci Vedi ultimo messaggio

Nessun messaggio da leggere
Allegato(i)
Rhaesus serricollis (Motschulsky 1838) Cerambycidae Bulgaria

BULGARIA - EE
Coleoptera

Isotomus

1

1570

15/09/2009, 13:09

Plagionotus Vedi ultimo messaggio

Nessun messaggio da leggere
Monochamus galloprovincialis (Olivier, 1795) - Cerambycidae
13.IX.2009 - ITALIA - Sicilia - PA
Allegato(i) Dettagli della specie
Monochamus galloprovincialis (Olivier, 1795)
Cerambycidae


13.IX.2009 - ITALIA - Sicilia - PA
Coleoptera

carabus

3

1476

14/09/2009, 20:35

carabus Vedi ultimo messaggio

Nessun messaggio da leggere
Arhopalus ferus (Mulsant, 1839) - Cerambycidae
21.VIII.2009 - ITALIA - Marche - AN
Allegato(i) Dettagli della specie
Arhopalus ferus (Mulsant, 1839)
Cerambycidae


21.VIII.2009 - ITALIA - Marche - AN
Coleoptera

StagBeetle

3

1433

10/09/2009, 12:48

vitalfranz Vedi ultimo messaggio

Nessun messaggio da leggere
Ergates faber opifex Mulsant, 1851 - Cerambycidae
27.VIII.2009 - ITALIA - Sicilia - ME
Allegato(i) Dettagli della specie
Ergates faber opifex Mulsant, 1851
Cerambycidae


27.VIII.2009 - ITALIA - Sicilia - ME
Coleoptera

Salvatore Saitta

4

1789

07/09/2009, 18:25

Salvatore Saitta Vedi ultimo messaggio

Nessun messaggio da leggere
Cornumutila lineata (Letzner, 1844) - Cerambycidae
ITALIA - Trentino-Alto Adige - BZ
Allegato(i) Dettagli della specie
Cornumutila lineata (Letzner, 1844)
Cerambycidae


ITALIA - Trentino-Alto Adige - BZ
Coleoptera

andreafabbri

10

3328

01/09/2009, 10:56

Plagionotus Vedi ultimo messaggio

Nessun messaggio da leggere
Allegato(i) Dettagli della specie
Tragosoma depsarium (Linnaeus, 1767)
Cerambycidae


AUSTRIA - EE
Coleoptera

andreafabbri

10

3549

30/08/2009, 19:13

Entomarci Vedi ultimo messaggio

Nessun messaggio da leggere
Aegomorphus clavipes (Schrank, 1781) - Cerambycidae
24.VI.2009 - ITALIA - Emilia-Romagna - MO
Allegato(i) Dettagli della specie
Aegomorphus clavipes (Schrank, 1781)
Cerambycidae


24.VI.2009 - ITALIA - Emilia-Romagna - MO
Coleoptera

Plagionotus

3

2283

30/08/2009, 15:44

Entomarci Vedi ultimo messaggio

Nessun messaggio da leggere
Parmena pubescens pubescens (Dalman, 1817) - Cerambycidae
6.VIII.2009 - ITALIA - Marche - AN
Allegato(i) Dettagli della specie
Parmena pubescens pubescens (Dalman, 1817)
Cerambycidae


6.VIII.2009 - ITALIA - Marche - AN
Coleoptera

StagBeetle

9

2872

26/08/2009, 12:48

Maw89 Vedi ultimo messaggio

Nessun messaggio da leggere
Allegato(i) Dettagli della specie
Vadonia imitatrix (J. Daniel & K. Daniel, 1891)
Cerambycidae


3.VI.2009 - SLOVENIA - EE
Coleoptera

klosse

3

1593

25/08/2009, 15:38

klosse Vedi ultimo messaggio

Nessun messaggio da leggere
Allegato(i) Dettagli della specie
Xylotrechus (Xylotrechus) arvicola (Olivier, 1795)
Cerambycidae


16.VII.2009 - ITALIA - Marche - AN
Coleoptera

StagBeetle

3

1651

24/08/2009, 19:18

Plagionotus Vedi ultimo messaggio

Nessun messaggio da leggere
Allegato(i) Dettagli della specie
Xylotrechus (Xylotrechus) antilope antilope (Schöenherr, 1817)
Cerambycidae


5.VI.2009 - ITALIA - Sicilia - PA
Coleoptera

Velvet Ant

0

927

22/08/2009, 9:41

Velvet Ant Vedi ultimo messaggio

Nessun messaggio da leggere
Allegato(i) Dettagli della specie
Trichoferus fasciculatus fasciculatus (Faldermann, 1837)
Cerambycidae


30.VIII.2007 - ITALIA - Sardegna - OG
Coleoptera

Hemerobius

2

1022

21/08/2009, 21:26

vitalfranz Vedi ultimo messaggio

Nessun messaggio da leggere
Clytus arietis arietis (Linnaeus, 1758) - Cerambycidae
VI.2009 - ITALIA - Lazio - RM
Allegato(i) Dettagli della specie
Clytus arietis arietis (Linnaeus, 1758)
Cerambycidae


VI.2009 - ITALIA - Lazio - RM
Coleoptera

soken

4

1091

20/08/2009, 18:22

soken Vedi ultimo messaggio

Nessun messaggio da leggere
Allegato(i) Dettagli della specie
Stictoleptura cordigera cordigera (Fuessly, 1775)
Cerambycidae


24.VI.2006 - ITALIA - Sicilia - PA
Coleoptera

Velvet Ant

4

1193

20/08/2009, 17:46

vitalfranz Vedi ultimo messaggio

Nessun messaggio da leggere
Allegato(i) Dettagli della specie
Stenurella bifasciata bifasciata (O. F. Müller, 1776)
Cerambycidae


VI.2009 - ITALIA - Lazio - RM
Coleoptera

soken

4

1025

16/08/2009, 22:20

soken Vedi ultimo messaggio

Visualizza ultimi argomenti:  Ordina per  Ordine:  
nuovo argomento
Vai alla pagina Precedente  1 ... 89, 90, 91, 92, 93  Prossimo
Pagina 92 di 93 [ 4651 argomenti ]

Tutti gli orari sono UTC + 1 ora [ ora legale ]


Chi c’è in linea

Visitano il forum: Nessuno e 3 ospiti


Legenda
Messaggi da leggere Messaggi da leggere Nessun messaggio da leggere Nessun messaggio da leggere Annuncio Annuncio
 
Specie indeterminata / discussione generica
Messaggi non letti [ Popolari ] Messaggi non letti [ Popolari ] Nessun messaggio da leggere [ Popolare ] Nessun messaggio da leggere [ Popolare ] Importante Importante
 
Specie determinata fino al genere o cf.
Messaggi non letti [ Bloccati ] Messaggi non letti [ Bloccati ] No messaggi non letti [ Bloccati ] No messaggi non letti [ Bloccati ] Argomento spostato Argomento spostato
 
Specie correttamente determinata
Permessi
Non puoi aprire nuovi argomenti
Non puoi rispondere negli argomenti
Non puoi modificare i tuoi messaggi
Non puoi cancellare i tuoi messaggi
Non puoi inviare allegati

Cerca per:
Vai a: