Benvenuto Ospite

Forum Entomologi Italiani

www.entomologiitaliani.net/forum
 
Oggi è 20/12/2025, 22:46

Tutti gli orari sono UTC + 1 ora [ ora legale ]


51% 
133 taxa correttamente determinati su 263 presenti in archivio

Anthicidae


[ AFROTROPICALE ] [ ANTARTICO ] [ AUSTRALASIANO ] [ NEARTICO ] [ NEOTROPICALE ] [ ORIENTALE ] [ PALEARTICO ]


nuovo argomento
Vai alla pagina 1, 2, 3, 4, 5 ... 8  Prossimo
Pagina 1 di 8 [ 351 argomenti ]
 Argomenti   Ordine   Autore   Risposte   Visite    Ultimo messaggio 
Annunci
Nessun messaggio da leggere
Allegato(i)
Incontri entomologici della Società Entomologica Italiana 2025-2026
 

Velvet Ant

0

13148

17/11/2025, 19:41

Velvet Ant Vedi ultimo messaggio

Nessun messaggio da leggere
Allegato(i)
Incontri entomologici telematici organizzati dalla Società Entomologica Italiana nel 2022 e nel 2023

[ Vai alla paginaVai alla pagina: 1, 2, 3 ]

 

Velvet Ant

44

1670371

03/03/2023, 15:55

Velvet Ant Vedi ultimo messaggio

Nessun messaggio da leggere  
Allegato(i)
Sondaggio sul declino dell'entomofauna in Italia

[ Vai alla paginaVai alla pagina: 1, 2, 3, 4 ]

 

Velvet Ant

52

2287900

22/10/2022, 19:18

Acquarius Vedi ultimo messaggio

Nessun messaggio da leggere  
Allegato(i)
Progetto: Bibliografia ragionata dei lavori entomologici nei quali sono citati reperti apparsi su FEI

[ Vai alla paginaVai alla pagina: 1, 2, 3 ]

 

Velvet Ant

33

1343635

06/07/2023, 18:31

Orotrechus Vedi ultimo messaggio

Nessun messaggio da leggere
Allegato(i)
Mimesi, il primo documentario cinematografico sull’entomologia in Italia: casting
 

mazzeip

1

1086407

28/02/2019, 20:26

mazzeip Vedi ultimo messaggio

Questo argomento è bloccato, non puoi modificare o inviare ulteriori messaggi.
Allegato(i)
ISTRUZIONI PUBBLICAZIONE NUOVI ARGOMENTI E FOTO

 
Altri Ordini di Insetti

Julodis

4

2883809

13/05/2015, 19:37

Julodis Vedi ultimo messaggio

Nessun messaggio da leggere
Allegato(i)
Limitatore giornaliero di messaggi, uno strumento utile e ormai indispensabile

[ Vai alla paginaVai alla pagina: 1 ... 14, 15, 16 ]

 

Velvet Ant

233

12256057

25/09/2014, 14:31

Inachis Vedi ultimo messaggio

Nessun messaggio da leggere  
NORME PER I COLLABORATORI DEL FORUM

 
 

Velvet Ant

0

631944

02/06/2011, 12:05

Velvet Ant Vedi ultimo messaggio

Nessun messaggio da leggere
Allegato(i)
NORME PER GLI UTENTI DEL FORUM

[ Vai alla paginaVai alla pagina: 1, 2, 3 ]



 
 

Velvet Ant

30

3463181

23/09/2014, 23:54

Maurizio Bollino Vedi ultimo messaggio

Nessun messaggio da leggere  
Lista degli utenti del "Forum entomologi italiani" per campi di interesse e specializzazione

 
Altri Ordini di Insetti

Velvet Ant

13

1003990

07/09/2023, 17:14

Roberto-07 Vedi ultimo messaggio

Argomenti
Nessun messaggio da leggere
Allegato(i) Dettagli della specie
Hirticomus quadriguttatus (P. Rossi, 1792)
Anthicidae


1.III.2025 - MAROCCO - EE
Coleoptera

alexaandru

3

829

29/03/2025, 18:52

alexaandru Vedi ultimo messaggio

Nessun messaggio da leggere
Microhoria akbesiana (Pic, 1896) - Anthicidae
17.VII.2023 - ITALIA - Piemonte - TO
Allegato(i)
Microhoria akbesiana (Pic, 1896) - Anthicidae
Anthicidae


17.VII.2023 - ITALIA - Piemonte - TO
Coleoptera

Dicomed

5

813

29/03/2025, 16:25

Notoxus59 Vedi ultimo messaggio

Nessun messaggio da leggere
Anthicus niger (Olivier, 1811) - Anthicidae
25.III.2025 - ITALIA - Lazio - RM
Allegato(i)
Anthicus niger (Olivier, 1811) - Anthicidae

25.III.2025 - ITALIA - Lazio - RM
Coleoptera

soken

7

845

29/03/2025, 16:16

Notoxus59 Vedi ultimo messaggio

Nessun messaggio da leggere
Anthicus cribripennis Desbrochers, 1875 - Anthicidae
3.V.1998 - ITALIA - Lazio - RM
Allegato(i)
Anthicus cribripennis Desbrochers, 1875 - Anthicidae

3.V.1998 - ITALIA - Lazio - RM
Coleoptera

giuseppe55

3

548

28/03/2025, 22:58

soken Vedi ultimo messaggio

Nessun messaggio da leggere
Allegato(i)
Cordicomus instabilis instabilis (W.L.E. Schmidt, 1842) - Anthicidae
Anthicidae


1.II.2024 - ITALIA - Lazio - RM
Coleoptera

elleelle

1

528

18/02/2024, 18:50

Notoxus59 Vedi ultimo messaggio

Nessun messaggio da leggere
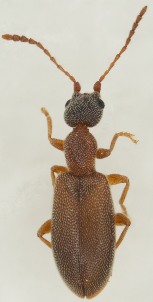
Hirticomus quadriguttatus (P. Rossi, 1792) - Anthicidae
19.IV.2023 - ITALIA - Sicilia - CT
Allegato(i) Dettagli della specie
Hirticomus quadriguttatus (P. Rossi, 1792)
Anthicidae


19.IV.2023 - ITALIA - Sicilia - CT
Coleoptera

StagBeetle

2

511

24/10/2023, 13:21

StagBeetle Vedi ultimo messaggio

Nessun messaggio da leggere
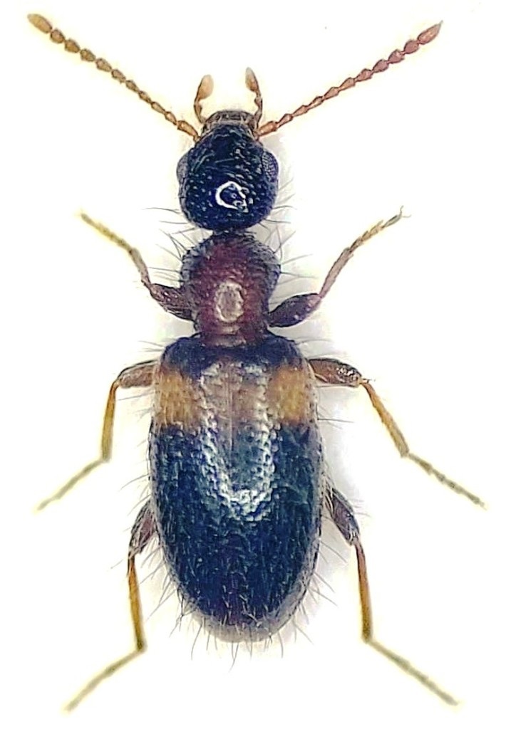
Stricticomus longicollis (W.L.E. Schmidt, 1842) - Anthicidae
20.IV.2023 - ITALIA - Sicilia - ME
Allegato(i) Dettagli della specie
Stricticomus longicollis (W.L.E. Schmidt, 1842)
Anthicidae


20.IV.2023 - ITALIA - Sicilia - ME
Coleoptera

StagBeetle

2

474

24/10/2023, 13:18

StagBeetle Vedi ultimo messaggio

Nessun messaggio da leggere
Allegato(i) Dettagli della specie
Anthicus tristis tristis W.L.E. Schmidt, 1842
Anthicidae


IX.2021 - ITALIA - Sicilia - EN
Coleoptera

Lucanus tetraodon

2

596

08/10/2023, 18:25

Lucanus tetraodon Vedi ultimo messaggio

Nessun messaggio da leggere
Microhoria terminata (W.L.E. Schmidt, 1842) - Anthicidae
31.V.2022 - ITALIA - Lazio - RM
Allegato(i)
Microhoria terminata (W.L.E. Schmidt, 1842) - Anthicidae

31.V.2022 - ITALIA - Lazio - RM
Coleoptera

soken

1

437

04/10/2023, 10:06

Notoxus59 Vedi ultimo messaggio

Nessun messaggio da leggere
Allegato(i)
Mecynotarsus bison (Olivier, 1811) - Anthicidae
Anthicidae


24.V.2023 - MAROCCO - EE
Coleoptera

Apoderus

6

691

04/10/2023, 10:06

Apoderus Vedi ultimo messaggio

Nessun messaggio da leggere
Cyclodinus coniceps (Marseul, 1879) - Anthicidae
24.VI.2019 - ITALIA - Puglia - BT
Allegato(i) Dettagli della specie
Cyclodinus coniceps (Marseul, 1879)
Anthicidae


24.VI.2019 - ITALIA - Puglia - BT
Coleoptera

Orotrechus

5

834

04/10/2023, 10:05

Notoxus59 Vedi ultimo messaggio

Nessun messaggio da leggere
Notoxus trifasciatus P. Rossi, 1792 - Anthicidae
24.VII.2023 - ITALIA - Friuli-Venezia Giulia - PN
Allegato(i) Dettagli della specie
Notoxus trifasciatus P. Rossi, 1792
Anthicidae


24.VII.2023 - ITALIA - Friuli-Venezia Giulia - PN
Coleoptera

Gabriele

3

664

04/10/2023, 10:01

Notoxus59 Vedi ultimo messaggio

Nessun messaggio da leggere
Anthelephila pedestris (P. Rossi, 1790) - Anthicidae
26.III.2022 - ITALIA - Marche - MC
Allegato(i) Dettagli della specie
Anthelephila pedestris (P. Rossi, 1790)
Anthicidae


26.III.2022 - ITALIA - Marche - MC
Coleoptera

StagBeetle

2

646

07/05/2023, 13:00

Notoxus59 Vedi ultimo messaggio

Nessun messaggio da leggere
Allegato(i)
Anthicus tristis tristis W.L.E. Schmidt, 1842 - Anthicidae

6.IV.2023 - ITALIA - Lazio - RM
Coleoptera

soken

4

677

12/04/2023, 20:39

soken Vedi ultimo messaggio

Nessun messaggio da leggere
Allegato(i) Dettagli della specie
Cordicomus instabilis instabilis (W.L.E. Schmidt, 1842)
Anthicidae


14.III.2023 - ITALIA - Sicilia - TP
Coleoptera

angelo.ditta

2

476

18/03/2023, 12:54

angelo.ditta Vedi ultimo messaggio

Nessun messaggio da leggere
Omonadus floralis (Linnaeus, 1758) - Anthicidae
9.III.2023 - ITALIA - Emilia-Romagna - BO
Allegato(i)
Omonadus floralis (Linnaeus, 1758) - Anthicidae

9.III.2023 - ITALIA - Emilia-Romagna - BO
Coleoptera

Mammut

3

594

13/03/2023, 0:57

Mammut Vedi ultimo messaggio

Nessun messaggio da leggere
Allegato(i)
Anthicus guttifer Wollaston, 1864 - Anthicidae

16.V.2016 - SPAGNA - EE
Coleoptera

curci

3

502

04/03/2023, 23:26

curci Vedi ultimo messaggio

Nessun messaggio da leggere
Allegato(i)
Anthicus guttifer Wollaston, 1864 - Anthicidae

18.V.2016 - SPAGNA - EE
Coleoptera

curci

3

535

04/03/2023, 23:24

curci Vedi ultimo messaggio

Nessun messaggio da leggere
Cyclodinus constrictus (Curtis, 1838) - Anthicidae
23.V.2018 - ITALIA - Sicilia - CT
Allegato(i) Dettagli della specie
Cyclodinus constrictus (Curtis, 1838)
Anthicidae


23.V.2018 - ITALIA - Sicilia - CT
Coleoptera

curci

2

518

20/02/2023, 8:54

curci Vedi ultimo messaggio

Nessun messaggio da leggere
Notoxus siculus La Ferté-Sénectère, 1849 - Anthicidae
23.V.2018 - ITALIA - Sicilia - CT
Allegato(i) Dettagli della specie
Notoxus siculus La Ferté-Sénectère, 1849
Anthicidae


23.V.2018 - ITALIA - Sicilia - CT
Coleoptera

curci

2

516

19/02/2023, 17:26

Notoxus59 Vedi ultimo messaggio

Nessun messaggio da leggere
Notoxus trifasciatus P. Rossi, 1792 - Anthicidae
5.VII.2022 - ROMANIA - EE
Allegato(i) Dettagli della specie
Notoxus trifasciatus P. Rossi, 1792
Anthicidae


5.VII.2022 - ROMANIA - EE
Coleoptera

alexaandru

2

535

18/02/2023, 20:03

alexaandru Vedi ultimo messaggio

Nessun messaggio da leggere
Allegato(i) Dettagli della specie
Cordicomus instabilis instabilis (W.L.E. Schmidt, 1842)
Anthicidae


20.I.2023 - ITALIA - Lazio - RM
Coleoptera

soken

0

755

06/02/2023, 13:40

soken Vedi ultimo messaggio

Nessun messaggio da leggere
Allegato(i) Dettagli della specie
Endomia tenuicollis tenuicollis (P. Rossi, 1792)
Anthicidae


17.X.2022 - ROMANIA - EE
Coleoptera

alexaandru

2

564

25/01/2023, 13:30

alexaandru Vedi ultimo messaggio

Nessun messaggio da leggere
Endomia unifasciata unifasciata (Bonelli, 1807) - Anthicidae
4.X.2022 - ITALIA - Friuli-Venezia Giulia - GO
Allegato(i) Dettagli della specie
Endomia unifasciata unifasciata (Bonelli, 1807)
Anthicidae


4.X.2022 - ITALIA - Friuli-Venezia Giulia - GO
Coleoptera

Agdistis

2

551

05/10/2022, 21:18

Agdistis Vedi ultimo messaggio

Nessun messaggio da leggere
Omonadus bifasciatus (Rossi, 1792) - Anthicidae
12.VII.2022 - PORTOGALLO - EE
Allegato(i)
Omonadus bifasciatus (Rossi, 1792) - Anthicidae

12.VII.2022 - PORTOGALLO - EE
Coleoptera

Michael Becker

2

467

25/07/2022, 9:06

Michael Becker Vedi ultimo messaggio

Nessun messaggio da leggere
Allegato(i) Dettagli della specie
Anthelephila caeruleipennis (La Ferté-Sénectère, 1847)
Anthicidae


23.IV.2022 - ITALIA - Sicilia - TP
Coleoptera

angelo.ditta

7

740

01/05/2022, 10:52

angelo.ditta Vedi ultimo messaggio

Nessun messaggio da leggere
Anthelephila pedestris (Rossi, 1790) - Anthicidae
23.IV.2022 - ITALIA - Sicilia - TP
Allegato(i)
Anthelephila pedestris (Rossi, 1790) - Anthicidae
Anthicidae


23.IV.2022 - ITALIA - Sicilia - TP
Coleoptera

angelo.ditta

2

617

27/04/2022, 18:40

angelo.ditta Vedi ultimo messaggio

Nessun messaggio da leggere
Allegato(i)
Microhoria brisouti var. nigrescens Krekich-Strassoldo 1929 - Anthicidae

28.III.2022 - SPAGNA - EE
Coleoptera

Dicomed

4

653

25/04/2022, 10:01

Notoxus59 Vedi ultimo messaggio

Nessun messaggio da leggere
Anthicus sp. - Anthicidae
19.IV.1976 - ITALIA - Marche - AN
Allegato(i)
Anthicus sp. - Anthicidae
Anthicidae


19.IV.1976 - ITALIA - Marche - AN
Coleoptera

StagBeetle

3

657

14/03/2022, 12:58

Notoxus59 Vedi ultimo messaggio

Nessun messaggio da leggere
Anthicus sp. - Anthicidae
28.V.2021 - GRECIA - EE
Allegato(i)
Anthicus sp. - Anthicidae
Anthicidae


28.V.2021 - GRECIA - EE
Coleoptera

Honza

2

585

08/03/2022, 19:40

Honza Vedi ultimo messaggio

Nessun messaggio da leggere
Allegato(i)
Endomia lefebvrei La Ferté-Sénectère, 1849 - Anthicidae
Anthicidae


23.XI.2018 - OMAN - EE
Coleoptera

Honza

2

589

06/03/2022, 13:19

Honza Vedi ultimo messaggio

Nessun messaggio da leggere
Allegato(i)
Anthicus guttifer Wollaston, 1864 - Anthicidae
Anthicidae


3.VI.2014 - SPAGNA - EE
Coleoptera

Honza

2

528

06/03/2022, 10:08

Honza Vedi ultimo messaggio

Nessun messaggio da leggere
Allegato(i) Dettagli della specie
Hirticomus hispidus (P. Rossi, 1792)
Anthicidae


3.VI.2021 - GRECIA - EE
Coleoptera

Honza

2

554

05/03/2022, 8:59

Honza Vedi ultimo messaggio

Nessun messaggio da leggere
Allegato(i) Dettagli della specie
Anthicus crinitus La Ferté-Sénectère, 1849
Anthicidae


23.XI.2018 - OMAN - EE
Coleoptera

Honza

2

637

05/03/2022, 8:59

Honza Vedi ultimo messaggio

Nessun messaggio da leggere
Allegato(i) Dettagli della specie
Anthicus tristis tristis W.L.E. Schmidt, 1842
Anthicidae


28.V.2021 - GRECIA - EE
Coleoptera

Honza

2

622

05/03/2022, 8:58

Honza Vedi ultimo messaggio

Nessun messaggio da leggere
Anthicus niger (A.G. Olivier, 1811) - Anthicidae
2.II.2022 - ITALIA - Lazio - RM
Allegato(i) Dettagli della specie
Anthicus niger (A.G. Olivier, 1811)
Anthicidae


2.II.2022 - ITALIA - Lazio - RM
Coleoptera

elleelle

2

683

05/02/2022, 20:19

Notoxus59 Vedi ultimo messaggio

Nessun messaggio da leggere
Allegato(i)
Anthicus tristis tristis W. L. E. Schmidt, 1842 - Anthicidae

IX.2021 - ITALIA - Sicilia - EN
Coleoptera

Lucanus tetraodon

3

690

26/12/2021, 18:42

Lucanus tetraodon Vedi ultimo messaggio

Nessun messaggio da leggere
Allegato(i)
Anthicus tristis W. L. E. Schmidt, 1842 (cf.) - Anthicidae

IX.2021 - ITALIA - Sicilia - EN
Coleoptera

Lucanus tetraodon

4

745

25/12/2021, 13:38

Lucanus tetraodon Vedi ultimo messaggio

Nessun messaggio da leggere
Microhoria terminata (W.L.E. Schmidt, 1842) - Anthicidae
10.VIII.2021 - ITALIA - Lazio - RM
Allegato(i) Dettagli della specie
Microhoria terminata (W.L.E. Schmidt, 1842)
Anthicidae


10.VIII.2021 - ITALIA - Lazio - RM
Coleoptera

wgliinsetti

2

624

24/11/2021, 18:31

wgliinsetti Vedi ultimo messaggio

Nessun messaggio da leggere
Stricticomus tobias (Marseul, 1879) - Anthicidae
10.VIII.2021 - ITALIA - Lazio - RM
Allegato(i) Dettagli della specie
Stricticomus tobias (Marseul, 1879)
Anthicidae


10.VIII.2021 - ITALIA - Lazio - RM
Coleoptera

wgliinsetti

3

570

17/11/2021, 16:07

Notoxus59 Vedi ultimo messaggio

Nessun messaggio da leggere
Microhoria terminata (W.L.E. Schmidt, 1842) - Anthicidae
10.VIII.2021 - ITALIA - Lazio - RM
Allegato(i) Dettagli della specie
Microhoria terminata (W.L.E. Schmidt, 1842)
Anthicidae


10.VIII.2021 - ITALIA - Lazio - RM
Coleoptera

wgliinsetti

2

627

17/11/2021, 15:33

Notoxus59 Vedi ultimo messaggio

Nessun messaggio da leggere
Endomia tenuicollis tenuicollis (P. Rossi, 1792) - Anthicidae
10.VIII.2021 - ITALIA - Lazio - RM
Allegato(i) Dettagli della specie
Endomia tenuicollis tenuicollis (P. Rossi, 1792)
Anthicidae


10.VIII.2021 - ITALIA - Lazio - RM
Coleoptera

wgliinsetti

1

519

17/11/2021, 15:32

Notoxus59 Vedi ultimo messaggio

Nessun messaggio da leggere
Microhoria balearica (Pic, 1904) - Anthicidae
4.VI.2018 - SPAGNA - EE
Allegato(i)
Microhoria balearica (Pic, 1904) - Anthicidae
Anthicidae


4.VI.2018 - SPAGNA - EE
Coleoptera

Miguel Ángel

6

1016

17/11/2021, 12:25

Miguel Ángel Vedi ultimo messaggio

Nessun messaggio da leggere
Anthicus laeviceps Baudi di Selve, 1877 - Anthicidae
26.III.2021 - ITALIA - Lazio - RM
Allegato(i) Dettagli della specie
Anthicus laeviceps Baudi di Selve, 1877
Anthicidae


26.III.2021 - ITALIA - Lazio - RM
Coleoptera

wgliinsetti

8

1425

02/08/2021, 11:06

wgliinsetti Vedi ultimo messaggio

Nessun messaggio da leggere
Hirticomus hispidus (P. Rossi, 1792) - Anthicidae
4.VII.2021 - ITALIA - Puglia - FG
Allegato(i) Dettagli della specie
Hirticomus hispidus (P. Rossi, 1792)
Anthicidae


4.VII.2021 - ITALIA - Puglia - FG
Coleoptera

wgliinsetti

4

765

01/08/2021, 19:49

wgliinsetti Vedi ultimo messaggio

Nessun messaggio da leggere
Allegato(i)
Microhoria terminata (W.L.E. Schmidt, 1842) - Anthicidae

8.VII.2021 - SPAGNA - EE
Coleoptera

Michael Becker

2

526

25/07/2021, 11:55

Michael Becker Vedi ultimo messaggio

Nessun messaggio da leggere
Allegato(i)
Microhoria terminata (W.L.E. Schmidt, 1842) - Anthicidae

8.VII.2021 - SPAGNA - EE
Coleoptera

Michael Becker

2

507

25/07/2021, 11:54

Michael Becker Vedi ultimo messaggio

Nessun messaggio da leggere
Notoxus siculus La Ferté Sénecterè, 1848 - Anthicidae
7.VI.2021 - ITALIA - Sicilia - TP
Allegato(i)
Notoxus siculus La Ferté Sénecterè, 1848 - Anthicidae

7.VI.2021 - ITALIA - Sicilia - TP
Coleoptera

angelo.ditta

4

805

10/06/2021, 14:30

angelo.ditta Vedi ultimo messaggio

Nessun messaggio da leggere
Anthelephila pedestris (P. Rossi, 1790) - Anthicidae
23.III.2021 - ITALIA - Lombardia - LC
Allegato(i) Dettagli della specie
Anthelephila pedestris (P. Rossi, 1790)
Anthicidae


23.III.2021 - ITALIA - Lombardia - LC
Coleoptera

RicPan

6

1036

25/03/2021, 21:05

RicPan Vedi ultimo messaggio

Nessun messaggio da leggere
Microhoria terminata (W.L.E. Schmidt, 1842) - Anthicidae
26.VI.2020 - ITALIA - Emilia-Romagna - RA
Allegato(i) Dettagli della specie
Microhoria terminata (W.L.E. Schmidt, 1842)
Anthicidae


26.VI.2020 - ITALIA - Emilia-Romagna - RA
Coleoptera

Chalybion

3

793

21/03/2021, 12:08

Notoxus59 Vedi ultimo messaggio

Visualizza ultimi argomenti:  Ordina per  Ordine:  
nuovo argomento
Vai alla pagina 1, 2, 3, 4, 5 ... 8  Prossimo
Pagina 1 di 8 [ 351 argomenti ]

Tutti gli orari sono UTC + 1 ora [ ora legale ]


Chi c’è in linea

Visitano il forum: Nessuno e 1 ospite


Legenda
Messaggi da leggere Messaggi da leggere Nessun messaggio da leggere Nessun messaggio da leggere Annuncio Annuncio
 
Specie indeterminata / discussione generica
Messaggi non letti [ Popolari ] Messaggi non letti [ Popolari ] Nessun messaggio da leggere [ Popolare ] Nessun messaggio da leggere [ Popolare ] Importante Importante
 
Specie determinata fino al genere o cf.
Messaggi non letti [ Bloccati ] Messaggi non letti [ Bloccati ] No messaggi non letti [ Bloccati ] No messaggi non letti [ Bloccati ] Argomento spostato Argomento spostato
 
Specie correttamente determinata
Permessi
Non puoi aprire nuovi argomenti
Non puoi rispondere negli argomenti
Non puoi modificare i tuoi messaggi
Non puoi cancellare i tuoi messaggi
Non puoi inviare allegati

Cerca per:
Vai a: