Benvenuto Ospite

Forum Entomologi Italiani

www.entomologiitaliani.net/forum
 
Oggi è 12/05/2026, 23:19

Tutti gli orari sono UTC + 1 ora [ ora legale ]


70% 
186 taxa correttamente determinati su 266 presenti in archivio

Oedemeridae


[ AFROTROPICALE ] [ ANTARTICO ] [ AUSTRALASIANO ] [ NEARTICO ] [ NEOTROPICALE ] [ ORIENTALE ] [ PALEARTICO ]


nuovo argomento
Vai alla pagina Precedente  1, 2, 3, 4, 5 ... 8  Prossimo
Pagina 2 di 8 [ 352 argomenti ]
 Argomenti   Ordine   Autore   Risposte   Visite    Ultimo messaggio 
Annunci
Nessun messaggio da leggere
Allegato(i)
Incontri entomologici della Società Entomologica Italiana 2025-2026
 

Velvet Ant

0

59651

17/11/2025, 19:41

Velvet Ant Vedi ultimo messaggio

Nessun messaggio da leggere
Allegato(i)
Incontri entomologici telematici organizzati dalla Società Entomologica Italiana nel 2022 e nel 2023

[ Vai alla paginaVai alla pagina: 1, 2, 3 ]

 

Velvet Ant

44

2094833

03/03/2023, 15:55

Velvet Ant Vedi ultimo messaggio

Nessun messaggio da leggere  
Allegato(i)
Sondaggio sul declino dell'entomofauna in Italia

[ Vai alla paginaVai alla pagina: 1, 2, 3, 4 ]

 

Velvet Ant

52

2776928

22/10/2022, 19:18

Acquarius Vedi ultimo messaggio

Nessun messaggio da leggere  
Allegato(i)
Progetto: Bibliografia ragionata dei lavori entomologici nei quali sono citati reperti apparsi su FEI

[ Vai alla paginaVai alla pagina: 1, 2, 3 ]

 

Velvet Ant

33

1680930

06/07/2023, 18:31

Orotrechus Vedi ultimo messaggio

Nessun messaggio da leggere
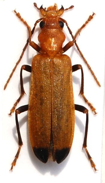
Anogcodes ruficollis (Fabricius, 1781) - Oedemeridae
27.V.2019 - ITALIA - Marche - AN
Allegato(i) Dettagli della specie
Anogcodes ruficollis (Fabricius, 1781)
Oedemeridae


27.V.2019 - ITALIA - Marche - AN
Coleoptera

StagBeetle

7

2521

12/06/2019, 14:51

Plagionotus Vedi ultimo messaggio

Nessun messaggio da leggere
Allegato(i)
Mimesi, il primo documentario cinematografico sull’entomologia in Italia: casting
 

mazzeip

1

1152005

28/02/2019, 20:26

mazzeip Vedi ultimo messaggio

Questo argomento è bloccato, non puoi modificare o inviare ulteriori messaggi.
Allegato(i)
ISTRUZIONI PUBBLICAZIONE NUOVI ARGOMENTI E FOTO

 
Altri Ordini di Insetti

Julodis

4

2974783

13/05/2015, 19:37

Julodis Vedi ultimo messaggio

Nessun messaggio da leggere
Allegato(i)
Limitatore giornaliero di messaggi, uno strumento utile e ormai indispensabile

[ Vai alla paginaVai alla pagina: 1 ... 14, 15, 16 ]

 

Velvet Ant

233

14180992

25/09/2014, 14:31

Inachis Vedi ultimo messaggio

Nessun messaggio da leggere  
NORME PER I COLLABORATORI DEL FORUM

 
 

Velvet Ant

0

682363

02/06/2011, 12:05

Velvet Ant Vedi ultimo messaggio

Nessun messaggio da leggere
Allegato(i)
NORME PER GLI UTENTI DEL FORUM

[ Vai alla paginaVai alla pagina: 1, 2, 3 ]



 
 

Velvet Ant

30

3794039

23/09/2014, 23:54

Maurizio Bollino Vedi ultimo messaggio

Nessun messaggio da leggere  
Lista degli utenti del "Forum entomologi italiani" per campi di interesse e specializzazione

 
Altri Ordini di Insetti

Velvet Ant

13

1158650

07/09/2023, 17:14

Roberto-07 Vedi ultimo messaggio

Argomenti
Nessun messaggio da leggere
Allegato(i) Dettagli della specie
Oedemera (Oedemera) podagrariae podagrariae (Linnaeus, 1767)
Oedemeridae


20.VI.2021 - ITALIA - Toscana - LU
Coleoptera

Stefano79

2

904

28/06/2021, 16:37

Stefano79 Vedi ultimo messaggio

Nessun messaggio da leggere
Chrysanthia viridissima (Linnaeus, 1758) - Oedemeridae
6.VI.2021 - ITALIA - Toscana - PI
Allegato(i)
Chrysanthia viridissima (Linnaeus, 1758) - Oedemeridae

6.VI.2021 - ITALIA - Toscana - PI
Coleoptera

Stefano79

10

1390

25/06/2021, 23:45

Clickie Vedi ultimo messaggio

Nessun messaggio da leggere
Oedemera (Stenaxis) annulata Germar, 1824 - Oedemeridae
12.VI.2021 - ITALIA - Trentino-Alto Adige - TN
Allegato(i)
Oedemera (Stenaxis) annulata Germar, 1824 - Oedemeridae

12.VI.2021 - ITALIA - Trentino-Alto Adige - TN
Coleoptera

Syrio

4

736

18/06/2021, 20:08

Chalybion Vedi ultimo messaggio

Nessun messaggio da leggere
Allegato(i)
Oedemera (Oncomera) murinipennis Kiesenwetter, 1859 - Oedemeridae

28.V.2021 - GRECIA - EE
Coleoptera

Honza

5

946

15/06/2021, 10:47

Honza Vedi ultimo messaggio

Nessun messaggio da leggere
Allegato(i)
Nacerdes melanura (Linnaeus, 1758) - Oedemeridae

28.V.2021 - GRECIA - EE
Coleoptera

Honza

0

544

12/06/2021, 13:12

Honza Vedi ultimo messaggio

Nessun messaggio da leggere
Anogcodes ruficollis (Fabricius, 1781) - Oedemeridae
1.VI.2021 - ITALIA - Emilia-Romagna - PR
Allegato(i) Dettagli della specie
Anogcodes ruficollis (Fabricius, 1781)
Oedemeridae


1.VI.2021 - ITALIA - Emilia-Romagna - PR
Coleoptera

picollo

6

1328

04/06/2021, 0:14

Clickie Vedi ultimo messaggio

Nessun messaggio da leggere
Oedemera sp. - Oedemeridae
12.V.2018 - FRANCIA - EE
Allegato(i)
Oedemera sp. - Oedemeridae

12.V.2018 - FRANCIA - EE
Coleoptera

zanskar

6

972

30/05/2021, 18:53

zanskar Vedi ultimo messaggio

Nessun messaggio da leggere
Oedemera (Oedemera) atrata W. Schmidt, 1846 - Oedemeridae
10.V.2021 - ITALIA - Lazio - RM
Allegato(i)
Oedemera (Oedemera) atrata W. Schmidt, 1846 - Oedemeridae

10.V.2021 - ITALIA - Lazio - RM
Coleoptera

soken

9

1524

25/05/2021, 12:30

Plagionotus Vedi ultimo messaggio

Nessun messaggio da leggere
Allegato(i) Dettagli della specie
Oedemera (Oedemera) podagrariae podagrariae (Linnaeus, 1767)
Oedemeridae


26.V.2020 - ITALIA - Lombardia - LC
Coleoptera

RicPan

13

2273

09/03/2021, 22:56

elleelle Vedi ultimo messaggio

Nessun messaggio da leggere
Chrysanthia viridissima (Linnaeus, 1758) - Oedemeridae
29.VIII.2018 - ITALIA - Trentino-Alto Adige - TN
Allegato(i) Dettagli della specie
Chrysanthia viridissima (Linnaeus, 1758)
Oedemeridae


29.VIII.2018 - ITALIA - Trentino-Alto Adige - TN
Coleoptera

Andrea Pergine

3

908

13/12/2020, 23:13

Andrea Pergine Vedi ultimo messaggio

Nessun messaggio da leggere
Schellia sitaroides Reitter, 1914 - Oedemeridae Asclerini
6.VIII.1987 - TURKMENISTAN - EE
Allegato(i)
Schellia sitaroides Reitter, 1914 - Oedemeridae Asclerini
Oedemeridae


6.VIII.1987 - TURKMENISTAN - EE
Coleoptera

Plagionotus

5

1260

11/10/2020, 18:18

Plagionotus Vedi ultimo messaggio

Nessun messaggio da leggere
Oedemera (Oedemera) flavipes (Fabricius, 1792) - Oedemeridae
2.VIII.2020 - ITALIA - Toscana - FI
Allegato(i) Dettagli della specie
Oedemera (Oedemera) flavipes (Fabricius, 1792)
Oedemeridae


2.VIII.2020 - ITALIA - Toscana - FI
Coleoptera

Stefano79

2

857

07/10/2020, 19:33

Stefano79 Vedi ultimo messaggio

Nessun messaggio da leggere
Allegato(i) Dettagli della specie
Oedemera (Oedemera) podagrariae podagrariae (Linnaeus, 1767)
Oedemeridae


1.VIII.2020 - ITALIA - Toscana - FI
Coleoptera

Stefano79

2

875

05/10/2020, 21:45

Stefano79 Vedi ultimo messaggio

Nessun messaggio da leggere
Allegato(i) Dettagli della specie
Nacerdes (Xanthochroa) carniolica carniolica (Gistl, 1834)
Oedemeridae


1.VIII.2020 - ITALIA - Toscana - FI
Coleoptera

Stefano79

3

967

05/10/2020, 9:28

Plagionotus Vedi ultimo messaggio

Nessun messaggio da leggere
Oedemera (Oedemera) pthysica (Scopoli, 1763) - Oedemeridae
13.VI.2020 - ITALIA - Friuli-Venezia Giulia - UD
Allegato(i) Dettagli della specie
Oedemera (Oedemera) pthysica (Scopoli, 1763)
Oedemeridae


13.VI.2020 - ITALIA - Friuli-Venezia Giulia - UD
Coleoptera

Agdistis

3

1085

26/08/2020, 11:00

Chalybion Vedi ultimo messaggio

Nessun messaggio da leggere
Anogcodes ustulatus (Scopoli, 1763) - Oedemeridae
2.VII.2020 - ITALIA - Friuli-Venezia Giulia - UD
Allegato(i) Dettagli della specie
Anogcodes ustulatus (Scopoli, 1763)
Oedemeridae


2.VII.2020 - ITALIA - Friuli-Venezia Giulia - UD
Coleoptera

Agdistis

3

1088

26/08/2020, 10:52

Chalybion Vedi ultimo messaggio

Nessun messaggio da leggere
Sparedrus orsinii A.Costa, 1852 - Oedemeridae
10.VII.2020 - ITALIA - Toscana - SI
Allegato(i) Dettagli della specie
Sparedrus orsinii A.Costa, 1852
Oedemeridae

[ Vai alla paginaVai alla pagina: 1, 2 ]



10.VII.2020 - ITALIA - Toscana - SI
Coleoptera

Gabriele

24

3950

31/07/2020, 22:01

Clickie Vedi ultimo messaggio

Nessun messaggio da leggere  
Allegato(i) Dettagli della specie
Sparedrus orsinii A.Costa, 1852
Oedemeridae


11.VII.2020 - ITALIA - Sicilia - PA
Coleoptera

Caliddo

6

1468

14/07/2020, 23:06

Clickie Vedi ultimo messaggio

Nessun messaggio da leggere
Oedemera (Oedemera) femorata (Scopoli, 1763) - Oedemeridae
26.VI.2020 - ITALIA - Trentino-Alto Adige - TN
Allegato(i) Dettagli della specie
Oedemera (Oedemera) femorata (Scopoli, 1763)
Oedemeridae


26.VI.2020 - ITALIA - Trentino-Alto Adige - TN
Coleoptera

Syrio

2

1050

26/06/2020, 17:34

Syrio Vedi ultimo messaggio

Nessun messaggio da leggere
Oedemera (Oedemera) nobilis (Scopoli, 1763) - Oedemeridae
5.VI.2020 - ITALIA - Marche - AN
Allegato(i) Dettagli della specie
Oedemera (Oedemera) nobilis (Scopoli, 1763)
Oedemeridae


5.VI.2020 - ITALIA - Marche - AN
Coleoptera

Gintor

5

1719

22/06/2020, 22:03

Gintor Vedi ultimo messaggio

Nessun messaggio da leggere
Anogcodes seladonius alpinus (W.Schmidt, 1846) - Oedemeridae
5.VI.2020 - ITALIA - Friuli-Venezia Giulia - GO
Allegato(i) Dettagli della specie
Anogcodes seladonius alpinus (W.Schmidt, 1846)
Oedemeridae


5.VI.2020 - ITALIA - Friuli-Venezia Giulia - GO
Coleoptera

Agdistis

4

1837

09/06/2020, 15:40

Plagionotus Vedi ultimo messaggio

Nessun messaggio da leggere
Oedemera (Oedemera) nobilis (Scopoli, 1763) - Oedemeridae
2.VI.2020 - ITALIA - Lombardia - MI
Allegato(i) Dettagli della specie
Oedemera (Oedemera) nobilis (Scopoli, 1763)
Oedemeridae


2.VI.2020 - ITALIA - Lombardia - MI
Coleoptera

carlos

1

1183

06/06/2020, 19:25

Chalybion Vedi ultimo messaggio

Nessun messaggio da leggere
Oedemera crassipes Ganglbauer, 1881(cf.) - Oedemeridae
18.V.2013 - ITALIA - Molise - IS
Allegato(i)
Oedemera crassipes Ganglbauer, 1881(cf.) - Oedemeridae

18.V.2013 - ITALIA - Molise - IS
Coleoptera

Franco ROSSI

4

1770

25/05/2020, 22:40

Clickie Vedi ultimo messaggio

Nessun messaggio da leggere
Ischnomera cyanea (Fabricius, 1792) cf. - Oedemeridae
30.IV.2020 - ITALIA - Friuli-Venezia Giulia - GO
Allegato(i) Dettagli della specie
Ischnomera cyanea (Fabricius, 1792) cf.
Oedemeridae


30.IV.2020 - ITALIA - Friuli-Venezia Giulia - GO
Coleoptera

Agdistis

6

2043

02/05/2020, 23:34

Plagionotus Vedi ultimo messaggio

Nessun messaggio da leggere
Allegato(i) Dettagli della specie
Nacerdes (Xanthochroa) gracilis gracilis (W.Schmidt, 1846)
Oedemeridae

[ Vai alla paginaVai alla pagina: 1, 2, 3, 4 ]



30.VIII.2019 - ITALIA - Toscana - GR
Coleoptera

hypotyphlus

48

8936

23/04/2020, 0:54

Clickie Vedi ultimo messaggio

Nessun messaggio da leggere
Oedemera sp. - Oedemeridae
20.VII.2016 - ITALIA - Marche - PU
Allegato(i)
Oedemera sp. - Oedemeridae

20.VII.2016 - ITALIA - Marche - PU
Coleoptera

coneshell

8

2307

20/04/2020, 21:33

Clickie Vedi ultimo messaggio

Nessun messaggio da leggere
Chrysanthia geniculata geniculata (W.Schmidt, 1846) - Oedemeridae
20.VII.2016 - ITALIA - Trentino-Alto Adige - BZ
Allegato(i) Dettagli della specie
Chrysanthia geniculata geniculata (W.Schmidt, 1846)
Oedemeridae


20.VII.2016 - ITALIA - Trentino-Alto Adige - BZ
Coleoptera

coneshell

1

1334

15/04/2020, 20:47

Chalybion Vedi ultimo messaggio

Nessun messaggio da leggere
Allegato(i)
Nacerdes (Xanthochroa) carniolica (Gistl, 1834) - Oedemeridae

3.V.2019 - ITALIA - Toscana - MS
Coleoptera

Francesco92

6

2309

19/03/2020, 22:45

Clickie Vedi ultimo messaggio

Nessun messaggio da leggere
Allegato(i)
Oedemera (Oncomera) antoinei (Pic, 1932) - Oedemeridae

27.VI.2019 - MAROCCO - EE
Coleoptera

Fumea crassiorella

6

4081

18/03/2020, 16:07

Plagionotus Vedi ultimo messaggio

Nessun messaggio da leggere
Oedemera (Oedemera) atrata W. Schmidt, 1846 - Oedemeridae
15.VI.2013 - ITALIA - Abruzzo - AQ
Allegato(i)
Oedemera (Oedemera) atrata W. Schmidt, 1846 - Oedemeridae
Oedemeridae


15.VI.2013 - ITALIA - Abruzzo - AQ
Coleoptera

venturini

5

1824

04/12/2019, 11:57

Plagionotus Vedi ultimo messaggio

Nessun messaggio da leggere
Chrysantia viridissima (Linnaeus, 1758) - Oedemeridae
2.VII.2011 - ITALIA - Emilia-Romagna - BO
Allegato(i)
Chrysantia viridissima (Linnaeus, 1758) - Oedemeridae

2.VII.2011 - ITALIA - Emilia-Romagna - BO
Coleoptera

Olaffio

7

2429

03/12/2019, 12:17

Plagionotus Vedi ultimo messaggio

Nessun messaggio da leggere
Allegato(i)
Oedemera (Oncomera) natolica (Reiche, 1862) - Oedemeridae
Oedemeridae


23.VI.2019 - GRECIA - EE
Coleoptera

Honza

3

1511

08/11/2019, 14:16

Honza Vedi ultimo messaggio

Nessun messaggio da leggere
Allegato(i)
Ischnomera sicula Vázquez, Bologna & Poloni, 2019 - Oedemeridae
Oedemeridae


22.VI.2012 - ITALIA - Sicilia - PA
Coleoptera

Velvet Ant

8

3005

03/10/2019, 23:30

Plagionotus Vedi ultimo messaggio

Nessun messaggio da leggere
Allegato(i)
Nacerdes (Xanthochroa) carniolica peloponesiaca Švihla, 1991 - Oedemeridae
Oedemeridae


22.VII.2017 - ITALIA - Calabria - RC
Coleoptera

Limonium calabrum

4

2139

03/10/2019, 23:26

Plagionotus Vedi ultimo messaggio

Nessun messaggio da leggere
Allegato(i)
Ischnomera sicula Bologna, Poloni & Vázquez, 2019 - Oedemeridae
Oedemeridae


25.V.2013 - ITALIA - Sicilia - PA
Coleoptera

carabus

5

1956

28/09/2019, 9:10

Plagionotus Vedi ultimo messaggio

Nessun messaggio da leggere
Allegato(i) Dettagli della specie
Oedemera (Oedemera) podagrariae podagrariae (Linnaeus, 1767)
Oedemeridae


2.VIII.2018 - SVIZZERA - EE
Coleoptera

Adriana49

3

1605

20/09/2019, 8:18

Adriana49 Vedi ultimo messaggio

Nessun messaggio da leggere
Sparedrus testaceus (Andersch in Hope, 1797) - Oedemeridae
30.V.2019 - ITALIA - Friuli-Venezia Giulia - TS
Allegato(i) Dettagli della specie
Sparedrus testaceus (Andersch in Hope, 1797)
Oedemeridae

[ Vai alla paginaVai alla pagina: 1, 2 ]



30.V.2019 - ITALIA - Friuli-Venezia Giulia - TS
Coleoptera

Agdistis

27

7088

10/09/2019, 23:27

Clickie Vedi ultimo messaggio

Nessun messaggio da leggere
Oedemera (Oedemera) nobilis (Scopoli, 1763) - Oedemeridae
3.VI.2018 - ITALIA - Emilia-Romagna - BO
Allegato(i) Dettagli della specie
Oedemera (Oedemera) nobilis (Scopoli, 1763)
Oedemeridae


3.VI.2018 - ITALIA - Emilia-Romagna - BO
Coleoptera

emmebix

9

2632

24/08/2019, 21:24

Clickie Vedi ultimo messaggio

Nessun messaggio da leggere
Anogcodes rufiventris (Scopoli, 1763) - Oedemeridae
12.VII.2019 - ITALIA - Friuli-Venezia Giulia - UD
Allegato(i) Dettagli della specie
Anogcodes rufiventris (Scopoli, 1763)
Oedemeridae


12.VII.2019 - ITALIA - Friuli-Venezia Giulia - UD
Coleoptera

Agdistis

2

1418

14/08/2019, 15:31

Agdistis Vedi ultimo messaggio

Nessun messaggio da leggere
Oedemere sp. - Oedemeridae
2.VI.2019 - ITALIA - Friuli-Venezia Giulia - UD
Allegato(i)
Oedemere sp. - Oedemeridae

2.VI.2019 - ITALIA - Friuli-Venezia Giulia - UD
Coleoptera

Agdistis

6

1727

11/08/2019, 19:20

Chalybion Vedi ultimo messaggio

Nessun messaggio da leggere
Oedemera (Oedemera) croceicollis Gyllenhall, 1827 - Oedemeridae
17.V.2019 - ITALIA - Friuli-Venezia Giulia - GO
Allegato(i) Dettagli della specie
Oedemera (Oedemera) croceicollis Gyllenhall, 1827
Oedemeridae


17.V.2019 - ITALIA - Friuli-Venezia Giulia - GO
Coleoptera

Agdistis

2

1217

09/08/2019, 6:51

Agdistis Vedi ultimo messaggio

Nessun messaggio da leggere
Oedemera (Oedemera) podagrariae (Linnaeus, 1767) - Oedemeridae
18.VI.2019 - ITALIA - Friuli-Venezia Giulia - TS
Allegato(i)
Oedemera (Oedemera) podagrariae (Linnaeus, 1767) - Oedemeridae

18.VI.2019 - ITALIA - Friuli-Venezia Giulia - TS
Coleoptera

Agdistis

3

1409

09/08/2019, 6:50

Agdistis Vedi ultimo messaggio

Nessun messaggio da leggere
Allegato(i) Dettagli della specie
Oedemera (Oncomera) femoralis femoralis Olivier, 1803
Oedemeridae


19.V.2019 - ITALIA - Toscana - GR
Coleoptera

Chalybion

6

2097

13/07/2019, 22:03

Clickie Vedi ultimo messaggio

Nessun messaggio da leggere
Nacerdes (Nacerdes) melanura (Linnaeus, 1758) - Oedemeridae
17.VI.2019 - ITALIA - Sardegna - OT
Allegato(i) Dettagli della specie
Nacerdes (Nacerdes) melanura (Linnaeus, 1758)
Oedemeridae


17.VI.2019 - ITALIA - Sardegna - OT
Coleoptera

elleelle

1

1223

21/06/2019, 14:01

Plagionotus Vedi ultimo messaggio

Nessun messaggio da leggere
Allegato(i) Dettagli della specie
Nacerdes (Nacerdes) melanura (Linnaeus, 1758)
Oedemeridae


3.VI.2019 - ITALIA - Veneto - VE
Coleoptera

ghebo

2

1406

03/06/2019, 17:10

ghebo Vedi ultimo messaggio

Nessun messaggio da leggere
Allegato(i) Dettagli della specie
Nacerdes (Xanthochroa) carniolica carniolica (Gistl, 1834)
Oedemeridae


24.VII.2018 - ITALIA - Toscana - FI
Coleoptera

Lorenzo Tagliaferri

7

2127

31/05/2019, 22:21

Fumea crassiorella Vedi ultimo messaggio

Nessun messaggio da leggere
Allegato(i)
Ischnomera partitipennis Fairmaire, 1892 - Oedemeridae
Oedemeridae


1.V.2000 - TURCHIA - EE
Coleoptera

gabrif

13

2904

14/05/2019, 14:22

Plagionotus Vedi ultimo messaggio

Nessun messaggio da leggere
Anogcodes ustulatus (Scopoli, 1763) - Oedemeridae
29.V.2012 - ITALIA - Friuli-Venezia Giulia - PN
Allegato(i) Dettagli della specie
Anogcodes ustulatus (Scopoli, 1763)
Oedemeridae


29.V.2012 - ITALIA - Friuli-Venezia Giulia - PN
Coleoptera

Gabriele

4

1654

07/05/2019, 14:05

Gabriele Vedi ultimo messaggio

Nessun messaggio da leggere
Allegato(i)
Oedemera (Oedemera) crassipes Ganglbauer, 1881 (cf.) - Oedemeridae

25.IV.2019 - ITALIA - Sardegna - SS
Coleoptera

Mauro

3

1452

26/04/2019, 22:35

Plagionotus Vedi ultimo messaggio

Nessun messaggio da leggere
Allegato(i) Dettagli della specie
Nacerdes (Nacerdes) melanura (Linnaeus, 1758)
Oedemeridae


17.V.2013 - ALBANIA - EE
Coleoptera

tala

5

1835

06/04/2019, 20:05

tala Vedi ultimo messaggio

Visualizza ultimi argomenti:  Ordina per  Ordine:  
nuovo argomento
Vai alla pagina Precedente  1, 2, 3, 4, 5 ... 8  Prossimo
Pagina 2 di 8 [ 352 argomenti ]

Tutti gli orari sono UTC + 1 ora [ ora legale ]


Chi c’è in linea

Visitano il forum: Nessuno e 1 ospite


Legenda
Messaggi da leggere Messaggi da leggere Nessun messaggio da leggere Nessun messaggio da leggere Annuncio Annuncio
 
Specie indeterminata / discussione generica
Messaggi non letti [ Popolari ] Messaggi non letti [ Popolari ] Nessun messaggio da leggere [ Popolare ] Nessun messaggio da leggere [ Popolare ] Importante Importante
 
Specie determinata fino al genere o cf.
Messaggi non letti [ Bloccati ] Messaggi non letti [ Bloccati ] No messaggi non letti [ Bloccati ] No messaggi non letti [ Bloccati ] Argomento spostato Argomento spostato
 
Specie correttamente determinata
Permessi
Non puoi aprire nuovi argomenti
Non puoi rispondere negli argomenti
Non puoi modificare i tuoi messaggi
Non puoi cancellare i tuoi messaggi
Non puoi inviare allegati

Cerca per:
Vai a: