Benvenuto Ospite

Forum Entomologi Italiani

www.entomologiitaliani.net/forum
 
Oggi è 26/04/2026, 4:40

Tutti gli orari sono UTC + 1 ora [ ora legale ]

Elateridae


[ AFROTROPICALE ] [ ANTARTICO ] [ AUSTRALASIANO ] [ NEARTICO ] [ NEOTROPICALE ] [ ORIENTALE ] [ PALEARTICO ]


nuovo argomento
Vai alla pagina Precedente  1 ... 29, 30, 31, 32, 33, 34, 35, 36  Prossimo
Pagina 32 di 36 [ 1770 argomenti ]
 Argomenti   Ordine   Autore   Risposte   Visite    Ultimo messaggio 
Annunci
Nessun messaggio da leggere
Allegato(i)
Incontri entomologici della Società Entomologica Italiana 2025-2026
 

Velvet Ant

0

52341

17/11/2025, 19:41

Velvet Ant Vedi ultimo messaggio

Nessun messaggio da leggere
Allegato(i)
Incontri entomologici telematici organizzati dalla Società Entomologica Italiana nel 2022 e nel 2023

[ Vai alla paginaVai alla pagina: 1, 2, 3 ]

 

Velvet Ant

44

2030047

03/03/2023, 15:55

Velvet Ant Vedi ultimo messaggio

Nessun messaggio da leggere  
Allegato(i)
Sondaggio sul declino dell'entomofauna in Italia

[ Vai alla paginaVai alla pagina: 1, 2, 3, 4 ]

 

Velvet Ant

52

2703791

22/10/2022, 19:18

Acquarius Vedi ultimo messaggio

Nessun messaggio da leggere  
Allegato(i)
Progetto: Bibliografia ragionata dei lavori entomologici nei quali sono citati reperti apparsi su FEI

[ Vai alla paginaVai alla pagina: 1, 2, 3 ]

 

Velvet Ant

33

1628655

06/07/2023, 18:31

Orotrechus Vedi ultimo messaggio

Nessun messaggio da leggere
Allegato(i)
Mimesi, il primo documentario cinematografico sull’entomologia in Italia: casting
 

mazzeip

1

1141791

28/02/2019, 20:26

mazzeip Vedi ultimo messaggio

Questo argomento è bloccato, non puoi modificare o inviare ulteriori messaggi.
Allegato(i)
ISTRUZIONI PUBBLICAZIONE NUOVI ARGOMENTI E FOTO

 
Altri Ordini di Insetti

Julodis

4

2960506

13/05/2015, 19:37

Julodis Vedi ultimo messaggio

Nessun messaggio da leggere
Allegato(i)
Limitatore giornaliero di messaggi, uno strumento utile e ormai indispensabile

[ Vai alla paginaVai alla pagina: 1 ... 14, 15, 16 ]

 

Velvet Ant

233

13873514

25/09/2014, 14:31

Inachis Vedi ultimo messaggio

Nessun messaggio da leggere  
NORME PER I COLLABORATORI DEL FORUM

 
 

Velvet Ant

0

673968

02/06/2011, 12:05

Velvet Ant Vedi ultimo messaggio

Nessun messaggio da leggere
Allegato(i)
NORME PER GLI UTENTI DEL FORUM

[ Vai alla paginaVai alla pagina: 1, 2, 3 ]



 
 

Velvet Ant

30

3744113

23/09/2014, 23:54

Maurizio Bollino Vedi ultimo messaggio

Nessun messaggio da leggere  
Lista degli utenti del "Forum entomologi italiani" per campi di interesse e specializzazione

 
Altri Ordini di Insetti

Velvet Ant

13

1134845

07/09/2023, 17:14

Roberto-07 Vedi ultimo messaggio

Argomenti
Nessun messaggio da leggere
Allegato(i)
Cebrio dubius s.l. Rossi 1790 (cf. "ssp." nigricornis Leoni 1906) - Elateridae Cebrioninae Cebrionini

IX.1971 - ITALIA - Lazio - RM
Coleoptera

marco paglialunga

1

500

04/07/2011, 11:32

Fumea crassiorella Vedi ultimo messaggio

Nessun messaggio da leggere
Selatosomus amplicollis amplicollis (Germar, 1843) ♂ - Elateridae
30.VI.2011 - ITALIA - Emilia-Romagna - BO
Allegato(i)
Selatosomus amplicollis amplicollis (Germar, 1843) ♂ - Elateridae

30.VI.2011 - ITALIA - Emilia-Romagna - BO
Coleoptera

Loriscola

2

509

03/07/2011, 9:12

Loriscola Vedi ultimo messaggio

Nessun messaggio da leggere
Hemicrepidius hirtus (Herbst, 1784) Elateridae
25.VI.2011 - ITALIA - Marche - MC
Allegato(i)
Hemicrepidius hirtus (Herbst, 1784) Elateridae

25.VI.2011 - ITALIA - Marche - MC
Coleoptera

marco paglialunga

0

417

02/07/2011, 23:00

marco paglialunga Vedi ultimo messaggio

Nessun messaggio da leggere
Selatosomus (Selatosomus) amplicollis (Germar, 1843) - Elateridae
25.VI.2011 - ITALIA - Basilicata - PZ
Allegato(i)
Selatosomus (Selatosomus) amplicollis (Germar, 1843) - Elateridae

25.VI.2011 - ITALIA - Basilicata - PZ
Coleoptera

Mimmo011

3

698

26/06/2011, 22:26

Mimmo011 Vedi ultimo messaggio

Nessun messaggio da leggere
Ctenicera cuprea (Fabricius, 1775) - Elateridae
29.V.2011 - ITALIA - Abruzzo - AQ
Allegato(i)
Ctenicera cuprea (Fabricius, 1775) - Elateridae

29.V.2011 - ITALIA - Abruzzo - AQ
Coleoptera

Goliathus

2

527

25/06/2011, 15:17

Anostirus Vedi ultimo messaggio

Nessun messaggio da leggere
Allegato(i)
Ctenicera cuprea (Fabricius, 1775) - Elateridae

7.VI.2011 - ROMANIA - EE
Coleoptera

cosmln

5

747

23/06/2011, 15:09

Anostirus Vedi ultimo messaggio

Nessun messaggio da leggere
Allegato(i)
Synaptus filiformis (Fabricius, 1781) - Elateridae

V.2011 - TURCHIA - EE
Coleoptera

Fumea crassiorella

2

444

22/06/2011, 16:50

Fumea crassiorella Vedi ultimo messaggio

Nessun messaggio da leggere
Allegato(i)
Campylomorphus homalisinus (Illiger, 1807), femmina - Elateriadae

18.VI.2011 - ITALIA - Toscana - FI
Coleoptera

Notoxus59

2

621

20/06/2011, 20:57

Notoxus59 Vedi ultimo messaggio

Nessun messaggio da leggere
Athous (Haplathous) flavipennis Candèze, 1860 - Elateridae
18.VI.2011 - ITALIA - Toscana - FI
Allegato(i)
Athous (Haplathous) flavipennis Candèze, 1860 - Elateridae

18.VI.2011 - ITALIA - Toscana - FI
Coleoptera

Notoxus59

1

531

20/06/2011, 20:50

Anostirus Vedi ultimo messaggio

Nessun messaggio da leggere
Agriotes acuminatus (Stephens, 1830) - Elateridae
18.VI.2011 - ITALIA - Toscana - FI
Allegato(i)
Agriotes acuminatus (Stephens, 1830) - Elateridae

18.VI.2011 - ITALIA - Toscana - FI
Coleoptera

Notoxus59

1

517

20/06/2011, 20:41

Anostirus Vedi ultimo messaggio

Nessun messaggio da leggere
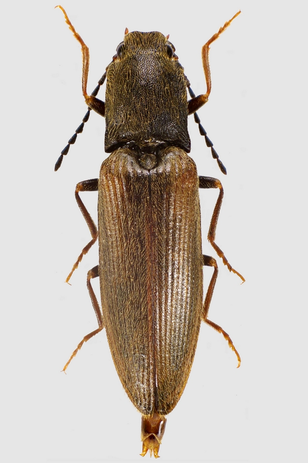
Nothodes parvulus (Panzer, 1799) - Elateridae
18.VI.2011 - ITALIA - Toscana - FI
Allegato(i)
Nothodes parvulus (Panzer, 1799) - Elateridae

18.VI.2011 - ITALIA - Toscana - FI
Coleoptera

Notoxus59

1

409

20/06/2011, 20:39

Anostirus Vedi ultimo messaggio

Nessun messaggio da leggere
Pheletes quercus (Olivier,1790) - Elateridae
18.VI.2011 - ITALIA - Toscana - FI
Allegato(i)
Pheletes quercus (Olivier,1790) - Elateridae

18.VI.2011 - ITALIA - Toscana - FI
Coleoptera

Notoxus59

2

484

20/06/2011, 20:36

Anostirus Vedi ultimo messaggio

Nessun messaggio da leggere
Athous (Athous) vittatus (Gmelin 1790) - Elateridae
18.VI.2011 - ITALIA - Toscana - FI
Allegato(i)
Athous (Athous) vittatus (Gmelin 1790) - Elateridae

18.VI.2011 - ITALIA - Toscana - FI
Coleoptera

Notoxus59

2

603

20/06/2011, 18:41

Notoxus59 Vedi ultimo messaggio

Nessun messaggio da leggere
Allegato(i)
Agriotes (Agriotes) infuscatus (Desbrochers des Loges 1870) - Elateridae

18.VI.2011 - ITALIA - Toscana - FI
Coleoptera

Notoxus59

2

677

20/06/2011, 18:41

Notoxus59 Vedi ultimo messaggio

Nessun messaggio da leggere
Allegato(i)
Athous (Haplathous) subfuscus subfuscus (O. F. Muller, 1764) - Elateridae

18.VI.2011 - ITALIA - Toscana - FI
Coleoptera

Notoxus59

2

559

20/06/2011, 18:41

Notoxus59 Vedi ultimo messaggio

Nessun messaggio da leggere
Allegato(i)
Agriotes (Agriotes) infuscatus (Desbrochers des Loges 1870) - Elateridae

18.VI.2011 - ITALIA - Toscana - FI
Coleoptera

Notoxus59

2

589

20/06/2011, 18:40

Notoxus59 Vedi ultimo messaggio

Nessun messaggio da leggere
Allegato(i)
Harminius florentinus (Desbrochers des Loges, 1870) - Elateridae

5.VI.2011 - ITALIA - Toscana - LI
Coleoptera

FORBIX

2

567

14/06/2011, 16:17

FORBIX Vedi ultimo messaggio

Nessun messaggio da leggere
Melanotus tenebrosus (Erichson, 1841) - Elateridae
10.VI.2011 - ITALIA - Toscana - LI
Allegato(i)
Melanotus tenebrosus (Erichson, 1841) - Elateridae

10.VI.2011 - ITALIA - Toscana - LI
Coleoptera

FORBIX

1

587

14/06/2011, 16:03

Anostirus Vedi ultimo messaggio

Nessun messaggio da leggere
Agriotes (Agriotes) litigiosus (Rossi, 1792) - Elateridae
10.VI.2011 - ITALIA - Toscana - LI
Allegato(i)
Agriotes (Agriotes) litigiosus (Rossi, 1792) - Elateridae

10.VI.2011 - ITALIA - Toscana - LI
Coleoptera

FORBIX

1

688

14/06/2011, 16:01

Anostirus Vedi ultimo messaggio

Nessun messaggio da leggere
Ampedus quercicola (Buysson, 1889) - Elateridae
18.V.2011 - ITALIA - Emilia-Romagna - BO
Allegato(i)
Ampedus quercicola (Buysson, 1889) - Elateridae

18.V.2011 - ITALIA - Emilia-Romagna - BO
Coleoptera

Loriscola

2

955

06/06/2011, 21:59

Anostirus Vedi ultimo messaggio

Nessun messaggio da leggere
Adrastus rachifer (Fourcroy, 1785) - Elateridae
30.V.2011 - ITALIA - Toscana - LI
Allegato(i)
Adrastus rachifer (Fourcroy, 1785) - Elateridae

30.V.2011 - ITALIA - Toscana - LI
Coleoptera

FORBIX

3

1300

06/06/2011, 15:44

Anillus Vedi ultimo messaggio

Nessun messaggio da leggere
Cidnopus pilosus (Leske, 1785) - Elateridae
2.VI.2011 - ROMANIA - EE
Allegato(i)
Cidnopus pilosus (Leske, 1785) - Elateridae

2.VI.2011 - ROMANIA - EE
Coleoptera

AdYRuicanescu

2

851

06/06/2011, 7:20

AdYRuicanescu Vedi ultimo messaggio

Nessun messaggio da leggere
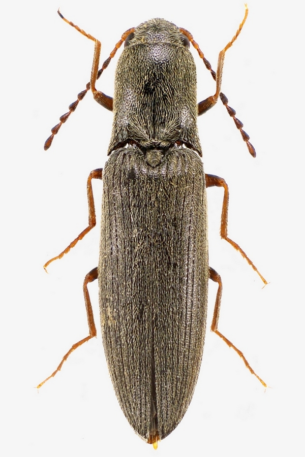
Nothodes parvulus (Panzer, 1799) - Elateridae
2.VI.2011 - ROMANIA - EE
Allegato(i)
Nothodes parvulus (Panzer, 1799) - Elateridae

2.VI.2011 - ROMANIA - EE
Coleoptera

AdYRuicanescu

2

567

06/06/2011, 7:18

AdYRuicanescu Vedi ultimo messaggio

Nessun messaggio da leggere
Allegato(i)
Melanotus villosus (Geoffroy in Fourcroy, 1785) - Elateridae

2.VI.2011 - ROMANIA - EE
Coleoptera

AdYRuicanescu

2

492

06/06/2011, 7:17

AdYRuicanescu Vedi ultimo messaggio

Nessun messaggio da leggere
Melanotus sp.
16.IV.2011 - ITALIA - Lombardia - MI
Allegato(i)
Melanotus sp.

16.IV.2011 - ITALIA - Lombardia - MI
Coleoptera

carlos

2

507

05/06/2011, 22:44

carlos Vedi ultimo messaggio

Nessun messaggio da leggere
Melanotus tenebrosus (Erichson, 1841) - Elateridae
5.V.2011 - ITALIA - Emilia-Romagna - PR
Allegato(i)
Melanotus tenebrosus (Erichson, 1841) - Elateridae

5.V.2011 - ITALIA - Emilia-Romagna - PR
Coleoptera

antoEandrea

2

496

05/06/2011, 21:24

antoEandrea Vedi ultimo messaggio

Nessun messaggio da leggere
Allegato(i)
Denticollis rubens (Piller & Mitterpacher 1783) - Elateridae

V.2011 - ITALIA - Marche - MC
Coleoptera

dorbodervus

4

644

26/05/2011, 19:39

Anostirus Vedi ultimo messaggio

Nessun messaggio da leggere
Cidnopus pilosus (Leske, 1785) - Elateridae
23.V.2011 - ITALIA - Umbria - PG
Allegato(i)
Cidnopus pilosus (Leske, 1785) - Elateridae

23.V.2011 - ITALIA - Umbria - PG
Coleoptera

ilio

2

560

25/05/2011, 13:20

ilio Vedi ultimo messaggio

Nessun messaggio da leggere
Cardiophorus sp. - Elateridae
21.V.2011 - ITALIA - Basilicata - MT
Allegato(i)
Cardiophorus sp. - Elateridae

21.V.2011 - ITALIA - Basilicata - MT
Coleoptera

Mimmo011

2

596

22/05/2011, 19:14

Mimmo011 Vedi ultimo messaggio

Nessun messaggio da leggere
Athous (Athous) vittatus (Gmelin, 1790) - Elateridae
18.V.2011 - ITALIA - Piemonte - TO
Allegato(i)
Athous (Athous) vittatus (Gmelin, 1790) - Elateridae

18.V.2011 - ITALIA - Piemonte - TO
Coleoptera

ruzzpa

2

591

19/05/2011, 10:31

ruzzpa Vedi ultimo messaggio

Nessun messaggio da leggere
Agrypnus murinus (Linneo, 1758) (cf.) - Elateridae
18.V.2011 - ITALIA - Piemonte - TO
Allegato(i)
Agrypnus murinus (Linneo, 1758) (cf.) - Elateridae

18.V.2011 - ITALIA - Piemonte - TO
Coleoptera

ruzzpa

1

621

18/05/2011, 20:52

StagBeetle Vedi ultimo messaggio

Nessun messaggio da leggere
Anostirus purpureus (Poda, 1761) - Elateridae
8.V.2011 - ITALIA - Lombardia - CO
Allegato(i)
Anostirus purpureus (Poda, 1761) - Elateridae

8.V.2011 - ITALIA - Lombardia - CO
Coleoptera

Xylotrechus

2

1004

17/05/2011, 12:22

Xylotrechus Vedi ultimo messaggio

Nessun messaggio da leggere
Agrypnus murinus (Linnaeus, 1758) - Elateridae
15.V.2011 - ITALIA - Basilicata - MT
Allegato(i)
Agrypnus murinus (Linnaeus, 1758) - Elateridae

15.V.2011 - ITALIA - Basilicata - MT
Coleoptera

Mimmo011

3

1046

16/05/2011, 15:59

Mimmo011 Vedi ultimo messaggio

Nessun messaggio da leggere
Quasimus (Quasimus) minutissimus (Germar, 1822) - Elateridae
3.V.2011 - ITALIA - Emilia-Romagna - BO
Allegato(i)
Quasimus (Quasimus) minutissimus (Germar, 1822) - Elateridae

3.V.2011 - ITALIA - Emilia-Romagna - BO
Coleoptera

Loriscola

2

742

13/05/2011, 8:31

Loriscola Vedi ultimo messaggio

Nessun messaggio da leggere
Elater ferrugineus Linnaeus, 1758 - Elateridae - larva
5.II.2011 - ITALIA - Marche - MC
Allegato(i)
Elater ferrugineus Linnaeus, 1758 - Elateridae - larva

[ Vai alla paginaVai alla pagina: 1, 2 ]



5.II.2011 - ITALIA - Marche - MC
Coleoptera

StagBeetle

23

2065

12/05/2011, 20:58

StagBeetle Vedi ultimo messaggio

Nessun messaggio da leggere
Cebrio germari Jacquelin du Val, 1860 - Elateridae
11.V.2011 - ITALIA - Sicilia - AG
Allegato(i)
Cebrio germari Jacquelin du Val, 1860 - Elateridae

11.V.2011 - ITALIA - Sicilia - AG
Coleoptera

carabus

1

696

11/05/2011, 23:40

Fumea crassiorella Vedi ultimo messaggio

Nessun messaggio da leggere
Cidnopus pilosus (Leske, 1785) - Elateridae
7.V.2011 - ITALIA - Emilia-Romagna - RE
Allegato(i)
Cidnopus pilosus (Leske, 1785) - Elateridae

7.V.2011 - ITALIA - Emilia-Romagna - RE
Coleoptera

Mikiphasmide

3

704

08/05/2011, 18:36

Mikiphasmide Vedi ultimo messaggio

Nessun messaggio da leggere
Cardiophorus ulcerosus (Gené, 1836) - Elateridae
27.IV.2011 - ITALIA - Sardegna - CA
Allegato(i)
Cardiophorus ulcerosus (Gené, 1836) - Elateridae

27.IV.2011 - ITALIA - Sardegna - CA
Coleoptera

ruzzpa

5

829

05/05/2011, 21:28

ruzzpa Vedi ultimo messaggio

Nessun messaggio da leggere
Ectinus aterrimus (Linnaeus, 1761) - Elateridae
24.IV.2011 - GERMANIA - EE
Allegato(i)
Ectinus aterrimus (Linnaeus, 1761) - Elateridae

24.IV.2011 - GERMANIA - EE
Coleoptera

matthew gandy

2

556

03/05/2011, 22:10

matthew gandy Vedi ultimo messaggio

Nessun messaggio da leggere
Lacon punctatus (Herbst, 1779) - Elateridae
28.IV.2011 - ITALIA - Lazio - VT
Allegato(i)
Lacon punctatus (Herbst, 1779) - Elateridae

28.IV.2011 - ITALIA - Lazio - VT
Coleoptera

david box

5

697

02/05/2011, 21:26

Anostirus Vedi ultimo messaggio

Nessun messaggio da leggere
Ampedus sanguineus (Linnaeus, 1758) - Elateridae
15.VI.1995 - FRANCIA - EE
Allegato(i)
Ampedus sanguineus (Linnaeus, 1758) - Elateridae

15.VI.1995 - FRANCIA - EE
Coleoptera

D & JP Balmer

2

690

01/05/2011, 13:52

D & JP Balmer Vedi ultimo messaggio

Nessun messaggio da leggere
Stenagostus rhombeus (Olivier, 1790) - Elateridae
6.VIII.1987 - FRANCIA - EE
Allegato(i)
Stenagostus rhombeus (Olivier, 1790) - Elateridae

6.VIII.1987 - FRANCIA - EE
Coleoptera

D & JP Balmer

2

564

01/05/2011, 13:46

D & JP Balmer Vedi ultimo messaggio

Nessun messaggio da leggere
Cardiophorus ulcerosus (Gené, 1836) - Elateridae
29.IV.2011 - ITALIA - Sardegna - CA
Allegato(i)
Cardiophorus ulcerosus (Gené, 1836) - Elateridae

29.IV.2011 - ITALIA - Sardegna - CA
Coleoptera

Fumea crassiorella

3

797

29/04/2011, 21:33

Fumea crassiorella Vedi ultimo messaggio

Nessun messaggio da leggere
Allegato(i)
Cebrio fuscatus Costa, 1847 (cf.) - Elateridae Cebrioninae

X.2010 - ITALIA - Puglia - BR
Coleoptera

Fumea crassiorella

7

1704

29/04/2011, 21:17

giuseppe55 Vedi ultimo messaggio

Nessun messaggio da leggere
Allegato(i)
Cebrio fabricii Leach, 1824 - Elateridae Cebrioninae

5.IX.2009 - SPAGNA - EE
Coleoptera

Fumea crassiorella

8

1316

25/04/2011, 18:20

giuseppe55 Vedi ultimo messaggio

Nessun messaggio da leggere
Agriotes sp. - Elateridae - Romania
21.IV.2011 - ROMANIA - EE
Allegato(i)
Agriotes sp. - Elateridae - Romania

21.IV.2011 - ROMANIA - EE
Coleoptera

alexaandru

2

588

22/04/2011, 20:56

alexaandru Vedi ultimo messaggio

Nessun messaggio da leggere
Agrypnus murinus (Linnaeus, 1758) - Elateridae
21.IV.2011 - ITALIA - Lombardia - BS
Allegato(i)
Agrypnus murinus (Linnaeus, 1758) - Elateridae

21.IV.2011 - ITALIA - Lombardia - BS
Coleoptera

Livio

1

525

22/04/2011, 18:20

Anostirus Vedi ultimo messaggio

Nessun messaggio da leggere
Agriotes brevis Candèze, 1863 - Elateridae - Lazio
11.IV.2011 - ITALIA - Lazio - RM
Allegato(i)
Agriotes brevis Candèze, 1863 - Elateridae - Lazio

11.IV.2011 - ITALIA - Lazio - RM
Coleoptera

Julodis

1

493

18/04/2011, 16:25

Anostirus Vedi ultimo messaggio

Nessun messaggio da leggere
Zorochros curtus (Germar, 1844) - Elateridae
13.IV.2011 - ITALIA - Sardegna - CA
Allegato(i)
Zorochros curtus (Germar, 1844) - Elateridae

13.IV.2011 - ITALIA - Sardegna - CA
Coleoptera

Fumea crassiorella

4

621

13/04/2011, 19:52

Anostirus Vedi ultimo messaggio

Nessun messaggio da leggere
Allegato(i)
Quasimus (Quasimus) minutissimus (Germar 1822) - Elateridae - Toscana

12.IV.2010 - ITALIA - Toscana - SI
Coleoptera

Anillus

4

882

12/04/2011, 0:04

Anillus Vedi ultimo messaggio

Visualizza ultimi argomenti:  Ordina per  Ordine:  
nuovo argomento
Vai alla pagina Precedente  1 ... 29, 30, 31, 32, 33, 34, 35, 36  Prossimo
Pagina 32 di 36 [ 1770 argomenti ]

Tutti gli orari sono UTC + 1 ora [ ora legale ]


Chi c’è in linea

Visitano il forum: Nessuno e 2 ospiti


Legenda
Messaggi da leggere Messaggi da leggere Nessun messaggio da leggere Nessun messaggio da leggere Annuncio Annuncio
 
Specie indeterminata / discussione generica
Messaggi non letti [ Popolari ] Messaggi non letti [ Popolari ] Nessun messaggio da leggere [ Popolare ] Nessun messaggio da leggere [ Popolare ] Importante Importante
 
Specie determinata fino al genere o cf.
Messaggi non letti [ Bloccati ] Messaggi non letti [ Bloccati ] No messaggi non letti [ Bloccati ] No messaggi non letti [ Bloccati ] Argomento spostato Argomento spostato
 
Specie correttamente determinata
Permessi
Non puoi aprire nuovi argomenti
Non puoi rispondere negli argomenti
Non puoi modificare i tuoi messaggi
Non puoi cancellare i tuoi messaggi
Non puoi inviare allegati

Cerca per:
Vai a: