Benvenuto Ospite

Forum Entomologi Italiani

www.entomologiitaliani.net/forum
 
Oggi è 02/05/2026, 14:00

Tutti gli orari sono UTC + 1 ora [ ora legale ]

Tenthredinidae


[ AFROTROPICALE ] [ ANTARTICO ] [ AUSTRALASIANO ] [ NEARTICO ] [ NEOTROPICALE ] [ ORIENTALE ] [ PALEARTICO ]


nuovo argomento
Vai alla pagina Precedente  1, 2, 3, 4, 5, 6 ... 9  Prossimo
Pagina 3 di 9 [ 419 argomenti ]
 Argomenti   Ordine   Autore   Risposte   Visite    Ultimo messaggio 
Annunci
Nessun messaggio da leggere
Allegato(i)
Incontri entomologici della Società Entomologica Italiana 2025-2026
 

Velvet Ant

0

55637

17/11/2025, 19:41

Velvet Ant Vedi ultimo messaggio

Nessun messaggio da leggere
Allegato(i)
Incontri entomologici telematici organizzati dalla Società Entomologica Italiana nel 2022 e nel 2023

[ Vai alla paginaVai alla pagina: 1, 2, 3 ]

 

Velvet Ant

44

2071864

03/03/2023, 15:55

Velvet Ant Vedi ultimo messaggio

Nessun messaggio da leggere  
Allegato(i)
Sondaggio sul declino dell'entomofauna in Italia

[ Vai alla paginaVai alla pagina: 1, 2, 3, 4 ]

 

Velvet Ant

52

2749969

22/10/2022, 19:18

Acquarius Vedi ultimo messaggio

Nessun messaggio da leggere  
Allegato(i)
Progetto: Bibliografia ragionata dei lavori entomologici nei quali sono citati reperti apparsi su FEI

[ Vai alla paginaVai alla pagina: 1, 2, 3 ]

 

Velvet Ant

33

1661268

06/07/2023, 18:31

Orotrechus Vedi ultimo messaggio

Nessun messaggio da leggere
Allegato(i)
Mimesi, il primo documentario cinematografico sull’entomologia in Italia: casting
 

mazzeip

1

1147042

28/02/2019, 20:26

mazzeip Vedi ultimo messaggio

Questo argomento è bloccato, non puoi modificare o inviare ulteriori messaggi.
Allegato(i)
ISTRUZIONI PUBBLICAZIONE NUOVI ARGOMENTI E FOTO

 
Altri Ordini di Insetti

Julodis

4

2968320

13/05/2015, 19:37

Julodis Vedi ultimo messaggio

Nessun messaggio da leggere
Allegato(i)
Limitatore giornaliero di messaggi, uno strumento utile e ormai indispensabile

[ Vai alla paginaVai alla pagina: 1 ... 14, 15, 16 ]

 

Velvet Ant

233

14101633

25/09/2014, 14:31

Inachis Vedi ultimo messaggio

Nessun messaggio da leggere  
NORME PER I COLLABORATORI DEL FORUM

 
 

Velvet Ant

0

677730

02/06/2011, 12:05

Velvet Ant Vedi ultimo messaggio

Nessun messaggio da leggere
Allegato(i)
NORME PER GLI UTENTI DEL FORUM

[ Vai alla paginaVai alla pagina: 1, 2, 3 ]



 
 

Velvet Ant

30

3774593

23/09/2014, 23:54

Maurizio Bollino Vedi ultimo messaggio

Nessun messaggio da leggere  
Lista degli utenti del "Forum entomologi italiani" per campi di interesse e specializzazione

 
Altri Ordini di Insetti

Velvet Ant

13

1149573

07/09/2023, 17:14

Roberto-07 Vedi ultimo messaggio

Argomenti
Nessun messaggio da leggere
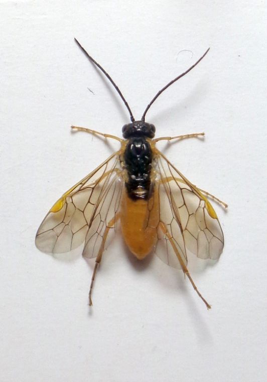
Amauronematus (Brachycoluma) sp. - Tenthredinidae Nematinae
3.IV.2019 - ITALIA - Emilia-Romagna - RA
Allegato(i)
Amauronematus (Brachycoluma) sp. - Tenthredinidae Nematinae

[ Vai alla paginaVai alla pagina: 1, 2 ]



3.IV.2019 - ITALIA - Emilia-Romagna - RA
Hymenoptera

Chalybion

17

4855

24/04/2019, 21:29

Chalybion Vedi ultimo messaggio

Nessun messaggio da leggere
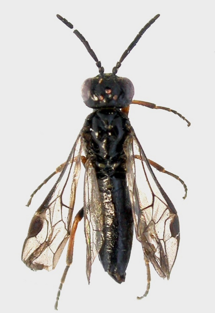
Allantus cinctus (Linnaeus 1758) - Tenthredinidae
9.X.2018 - ITALIA - Sardegna - OT
Allegato(i)
Allantus cinctus (Linnaeus 1758) - Tenthredinidae

9.X.2018 - ITALIA - Sardegna - OT
Hymenoptera

Mauro

1

1580

02/12/2018, 17:25

Mauro Vedi ultimo messaggio

Nessun messaggio da leggere
Allegato(i)
Nematus (Pteronidea) salicis (Linnaeus, 1758) (cf.) - Tenthredinidae

11.XI.2018 - ITALIA - Lombardia - MI
Lepidoptera

spadagi

2

1525

20/11/2018, 21:39

spadagi Vedi ultimo messaggio

Nessun messaggio da leggere
Allegato(i)
Tenthredo (Tenthredo) vespa Retzius, 1783 - Symphyta Tenthredinidae Tenthredininae

10.VII.2018 - ITALIA - Piemonte - AL
Hymenoptera

hectorinus

1

1252

12/10/2018, 13:51

D & JP Balmer Vedi ultimo messaggio

Nessun messaggio da leggere
Tenthredinidae sp.
15.VI.2018 - ITALIA - Valle d'Aosta - AO
Allegato(i)
Tenthredinidae sp.

15.VI.2018 - ITALIA - Valle d'Aosta - AO
Hymenoptera

hectorinus

1

1194

09/10/2018, 19:29

elleelle Vedi ultimo messaggio

Nessun messaggio da leggere
Allegato(i)
Larva di Tenthredo (Tenthredo) scrophulariae Linnaeus, 1758 (cf.) - Tenthredinidae

15.IX.2018 - ITALIA - Liguria - GE
Hymenoptera

chap

2

1445

09/10/2018, 9:56

chap Vedi ultimo messaggio

Nessun messaggio da leggere
Allegato(i)
Macrophya tenella Mocsary 1881 ♀ - Tenthredinidae Tenthredininae Tenthredinidi

26.V.2012 - FRANCIA - EE
Hymenoptera

D & JP Balmer

0

1053

28/08/2018, 2:13

D & JP Balmer Vedi ultimo messaggio

Nessun messaggio da leggere
Allegato(i)
Pristiphora (P.) conjugata (Dahlbom 1835) ♀ - Tenthredinidae Nematinae

8.VIII.2016 - FRANCIA - EE
Hymenoptera

D & JP Balmer

0

886

28/08/2018, 2:13

D & JP Balmer Vedi ultimo messaggio

Nessun messaggio da leggere
Empria longicornis (C. G. Thomson, 1871) ♂ - Tenthredinidae
19.IV.2018 - ITALIA - Sardegna - SS
Allegato(i)
Empria longicornis (C. G. Thomson, 1871) ♂ - Tenthredinidae

19.IV.2018 - ITALIA - Sardegna - SS
Hymenoptera

Pietro Niolu

6

2411

12/08/2018, 14:08

D & JP Balmer Vedi ultimo messaggio

Nessun messaggio da leggere
Tenthredinidae sp.
28.VII.2018 - SLOVACCHIA - EE
Allegato(i)
Tenthredinidae sp.

28.VII.2018 - SLOVACCHIA - EE
Hymenoptera

cilko

2

1299

01/08/2018, 16:37

cilko Vedi ultimo messaggio

Nessun messaggio da leggere
Tenthredo sp. - Tenthredinidae
19.VII.2017 - SLOVACCHIA - EE
Allegato(i)
Tenthredo sp. - Tenthredinidae

19.VII.2017 - SLOVACCHIA - EE
Hymenoptera

civi

2

1462

01/07/2018, 12:46

civi Vedi ultimo messaggio

Nessun messaggio da leggere
Allegato(i)
Tenthredopsis tarsata (Fabricius 1804) ♂ - Tenthredinidae - Tenthredininae

11.V.2018 - ITALIA - Lazio - VT
Hymenoptera

Andricus

6

2100

25/06/2018, 10:31

D & JP Balmer Vedi ultimo messaggio

Nessun messaggio da leggere
Allegato(i)
Tenthredo (Tenthredo) omissa (Forster 1844) - Tenthredinidae

8.VI.2018 - ROMANIA - EE
Hymenoptera

alexaandru

4

1789

23/06/2018, 21:25

alexaandru Vedi ultimo messaggio

Nessun messaggio da leggere
Tenthredinidae sp.
28.IV.2018 - ITALIA - Lombardia - BG
Allegato(i)
Tenthredinidae sp.

28.IV.2018 - ITALIA - Lombardia - BG
Hemiptera

Giuseppe Zanetti

3

1504

07/05/2018, 19:36

soken Vedi ultimo messaggio

Nessun messaggio da leggere
Tenthredo (Tenthredella) ferruginea Schrank, 1776 - Tenthredinidae
5.VIII.2017 - ITALIA - Lombardia - BS
Allegato(i)
Tenthredo (Tenthredella) ferruginea Schrank, 1776 - Tenthredinidae

5.VIII.2017 - ITALIA - Lombardia - BS
Hymenoptera

Adriana49

10

3228

24/03/2018, 19:49

Adriana49 Vedi ultimo messaggio

Nessun messaggio da leggere
larva di Tenthredinidae (cf.)
18.VIII.2015 - ITALIA - Emilia-Romagna - BO
Allegato(i)
larva di Tenthredinidae (cf.)

18.VIII.2015 - ITALIA - Emilia-Romagna - BO
Altri Artropodi

emmebix

1

1189

23/03/2018, 23:50

elleelle Vedi ultimo messaggio

Nessun messaggio da leggere
Tenthredopsis sp. - Tenthredinidae
16.V.2016 - ITALIA - Lombardia - CR
Allegato(i)
Tenthredopsis sp. - Tenthredinidae

16.V.2016 - ITALIA - Lombardia - CR
Hymenoptera

Adriana49

5

1939

20/03/2018, 18:20

Adriana49 Vedi ultimo messaggio

Nessun messaggio da leggere
Tenthredopsis nassata (Linnaeus, 1767) (cf.) - Tenthredinidae
10.VII.2017 - ITALIA - Sardegna - NU
Allegato(i)
Tenthredopsis nassata (Linnaeus, 1767) (cf.) - Tenthredinidae

10.VII.2017 - ITALIA - Sardegna - NU
Hymenoptera

Adriana49

5

1833

19/03/2018, 9:57

Adriana49 Vedi ultimo messaggio

Nessun messaggio da leggere
Macrophya (Macrophya) montana (Scopoli, 1763) - Tenthredinidae
19.IX.2014 - ITALIA - Lombardia - CR
Allegato(i)
Macrophya (Macrophya) montana (Scopoli, 1763) - Tenthredinidae

19.IX.2014 - ITALIA - Lombardia - CR
Hymenoptera

Adriana49

2

1380

16/03/2018, 8:40

Adriana49 Vedi ultimo messaggio

Nessun messaggio da leggere
Tenthredopsis sp. - Tenthredinidae
1.VI.2017 - SLOVACCHIA - EE
Allegato(i)
Tenthredopsis sp. - Tenthredinidae

1.VI.2017 - SLOVACCHIA - EE
Hymenoptera

Karol Ox

4

1624

11/03/2018, 15:44

Karol Ox Vedi ultimo messaggio

Nessun messaggio da leggere
Tenthredo (Temuledo) temula Scopoli, 1763 - Tenthredinidae
2.V.2016 - ITALIA - Piemonte - AL
Allegato(i)
Tenthredo (Temuledo) temula Scopoli, 1763 - Tenthredinidae

2.V.2016 - ITALIA - Piemonte - AL
Hymenoptera

hectorinus

3

1693

08/03/2018, 17:50

hectorinus Vedi ultimo messaggio

Nessun messaggio da leggere
Caliroa cerasi (L. 1758) ♀ - Tenthredinidae Heterarthrinae
19.VI.2015 - ITALIA - Sardegna - CA
Allegato(i)
Caliroa cerasi (L. 1758) ♀ - Tenthredinidae Heterarthrinae

19.VI.2015 - ITALIA - Sardegna - CA
Hymenoptera

Adriana49

6

2041

07/02/2018, 17:17

Adriana49 Vedi ultimo messaggio

Nessun messaggio da leggere
Tenthredo sp. - Tenthredinidae
6.VIII.2017 - ITALIA - Trentino-Alto Adige - TN
Allegato(i)
Tenthredo sp. - Tenthredinidae

6.VIII.2017 - ITALIA - Trentino-Alto Adige - TN
Hymenoptera

Adriana49

4

1564

02/02/2018, 18:28

Adriana49 Vedi ultimo messaggio

Nessun messaggio da leggere
Tenthredopsis sp. - Tenthredinidae
15.IV.2016 - ITALIA - Lombardia - CR
Allegato(i)
Tenthredopsis sp. - Tenthredinidae

15.IV.2016 - ITALIA - Lombardia - CR
Hymenoptera

Adriana49

3

1369

31/01/2018, 17:00

Adriana49 Vedi ultimo messaggio

Nessun messaggio da leggere
Allegato(i)
Aneugmenus padi (Linnaeus, 1761) (cf.) - Tenthredinidae Selandriinae

29.VI.2017 - ITALIA - Liguria - GE
Hymenoptera

hectorinus

4

1646

14/01/2018, 17:19

hectorinus Vedi ultimo messaggio

Nessun messaggio da leggere
Tenthredo (Olivacedo) olivacea Klug, 1817 - Tenthredinidae
31.VII.2014 - ITALIA - Trentino-Alto Adige - TN
Allegato(i)
Tenthredo (Olivacedo) olivacea Klug, 1817 - Tenthredinidae

31.VII.2014 - ITALIA - Trentino-Alto Adige - TN
Hymenoptera

Magma

3

1514

03/01/2018, 21:42

Magma Vedi ultimo messaggio

Nessun messaggio da leggere
Larva di Tenthredinidae sp.
17.XI.2017 - ITALIA - Lazio - RM
Allegato(i)
Larva di Tenthredinidae sp.

17.XI.2017 - ITALIA - Lazio - RM
Hymenoptera

soken

1

957

25/12/2017, 22:53

soken Vedi ultimo messaggio

Nessun messaggio da leggere
Allegato(i)
Tenthredopsis nassata (L.) var. unknown ♀ - Tenthredinidae - Tenthredininae

16.V.2017 - FRANCIA - EE
Hymenoptera

D & JP Balmer

2

1401

24/12/2017, 2:32

D & JP Balmer Vedi ultimo messaggio

Nessun messaggio da leggere
Allegato(i)
Elinora flaveola (Gmelin 1790) ♂ AND Elinora xanthopus (Spinola 1843) (cf.) ♀ - Tenthredinidae

12.V.2017 - MAROCCO - EE
Hymenoptera

Fumea crassiorella

11

3093

07/11/2017, 15:39

D & JP Balmer Vedi ultimo messaggio

Nessun messaggio da leggere
Pontania sp. - Tenthredinidae
19.VIII.2017 - ITALIA - Piemonte - CN
Allegato(i)
Pontania sp. - Tenthredinidae

19.VIII.2017 - ITALIA - Piemonte - CN
Hymenoptera

silviana

2

1302

01/10/2017, 11:33

silviana Vedi ultimo messaggio

Nessun messaggio da leggere
Allegato(i)
Tenthredo (Tenthredo) omissa (Forster 1844) (cf.) - Tenthredinidae

27.VIII.2017 - ROMANIA - EE
Hymenoptera

cosmln

0

898

01/09/2017, 15:53

cosmln Vedi ultimo messaggio

Nessun messaggio da leggere
Eriocampa ovata (Linnaeus, 1761) - Tenthredinidae
11.VI.2017 - ITALIA - Marche - AP
Allegato(i)
Eriocampa ovata (Linnaeus, 1761) - Tenthredinidae

11.VI.2017 - ITALIA - Marche - AP
Hymenoptera

StagBeetle

9

2745

24/08/2017, 22:21

gomphus Vedi ultimo messaggio

Nessun messaggio da leggere
Tenthredo (Endotethryx) crassa Scopoli, 1763 - Tenthredinidae
18.VII.2017 - ITALIA - Piemonte - VB
Allegato(i)
Tenthredo (Endotethryx) crassa Scopoli, 1763 - Tenthredinidae

18.VII.2017 - ITALIA - Piemonte - VB
Hymenoptera

Chalybion

2

1417

09/08/2017, 21:31

Chalybion Vedi ultimo messaggio

Nessun messaggio da leggere
Allegato(i)
Tenthredo (Tenthredo) scrophulariae Linnaeus, 1758 ♀ - Tenthredinidae Tenthredininae

25.V.2017 - TURCHIA - EE
Hymenoptera

ozgur70

2

1313

12/06/2017, 13:17

ozgur70 Vedi ultimo messaggio

Nessun messaggio da leggere
Pontania sp. (cf.) - Tenthredinidae
21.V.2017 - ITALIA - Lombardia - VA
Allegato(i)
Pontania sp. (cf.) - Tenthredinidae

21.V.2017 - ITALIA - Lombardia - VA
Hymenoptera

Lele

2

1113

24/05/2017, 14:11

Lele Vedi ultimo messaggio

Nessun messaggio da leggere
Allegato(i)
Sciapteryx consobrina (Klug, 1816) - Tenthredinidae

4.III.2017 - ROMANIA - EE
Hymenoptera

cosmln

0

1066

24/03/2017, 7:56

cosmln Vedi ultimo messaggio

Nessun messaggio da leggere
Sciapteryx soror Konow, 1890 - Tenthredinidae
22.III.2017 - ROMANIA - EE
Allegato(i)
Sciapteryx soror Konow, 1890 - Tenthredinidae

22.III.2017 - ROMANIA - EE
Hymenoptera

cosmln

7

2645

24/03/2017, 7:22

cosmln Vedi ultimo messaggio

Nessun messaggio da leggere
Allantus sp. (cf.) - Tenthredinidae
20.VI.2016 - ITALIA - Liguria - GE
Allegato(i)
Allantus sp. (cf.) - Tenthredinidae

20.VI.2016 - ITALIA - Liguria - GE
Hymenoptera

hectorinus

2

1588

14/03/2017, 22:32

gomphus Vedi ultimo messaggio

Nessun messaggio da leggere
Ametastegia sp. (cf.) - Tenthredinidae
VI.2016 - ITALIA - Sardegna - CA
Allegato(i)
Ametastegia sp. (cf.) - Tenthredinidae

VI.2016 - ITALIA - Sardegna - CA
Hymenoptera

Fumea crassiorella

1

1338

08/03/2017, 23:31

gomphus Vedi ultimo messaggio

Nessun messaggio da leggere
Allegato(i)
Tenthredo (Eurogaster) mioceras (Enslin, 1912) ♀ - Tenthredinidae - Tenthredininae

29.VII.2013 - ITALIA - Trentino-Alto Adige - TN
Hymenoptera

Olaffio

3

1651

14/02/2017, 20:11

Olaffio Vedi ultimo messaggio

Nessun messaggio da leggere
Allegato(i)
Tenthredo (Eurogaster) mioceras (Enslin 1912) ♀ - Tenthredinidae Tenthredininae

5.VI.2016 - PORTOGALLO - EE
Hymenoptera

D & JP Balmer

0

1048

14/02/2017, 11:42

D & JP Balmer Vedi ultimo messaggio

Nessun messaggio da leggere
Tenthredo sp. - Tenthredinidae
2.VIII.2016 - ITALIA - Friuli-Venezia Giulia - PN
Allegato(i)
Tenthredo sp. - Tenthredinidae

2.VIII.2016 - ITALIA - Friuli-Venezia Giulia - PN
Hymenoptera

andreah

2

1480

13/12/2016, 22:22

andreah Vedi ultimo messaggio

Nessun messaggio da leggere
Allegato(i)
Rhogogaster (Rhogogaster) viridis (Linnaeus, 1758) - Tenthredinidae

7.VII.2013 - ITALIA - Abruzzo - CH
Hymenoptera

GABRIELE FEBBO

2

1558

14/11/2016, 19:19

GABRIELE FEBBO Vedi ultimo messaggio

Nessun messaggio da leggere
Allegato(i)
Perineura rubi (Panzer 1805) ♀ - Tenthredinidae - Tenthredininae

7.V.2015 - FRANCIA - EE
Hymenoptera

D & JP Balmer

0

1707

12/11/2016, 15:00

D & JP Balmer Vedi ultimo messaggio

Nessun messaggio da leggere
Allegato(i)
Tenthredo (T.) arcuata Forster 1771 ♂ - Symphyta - Tenthredinidae - Tenthredininae

14.VII.1987 - FRANCIA - EE
Hymenoptera

D & JP Balmer

0

1601

10/11/2016, 12:33

D & JP Balmer Vedi ultimo messaggio

Nessun messaggio da leggere
Aglaostigma sp. - Tenthredinidae
8.VIII.2015 - ITALIA - Sardegna - OT
Allegato(i)
Aglaostigma sp. - Tenthredinidae

8.VIII.2015 - ITALIA - Sardegna - OT
Hymenoptera

Mauro

2

1727

01/11/2016, 0:14

Mauro Vedi ultimo messaggio

Nessun messaggio da leggere
Allegato(i)
Aglaostigma lichtwardti ♀ - Tenthredinidae - Tenthredininae

15.VI.2015 - AUSTRIA - EE
Hymenoptera

D & JP Balmer

0

2905

23/10/2016, 13:52

D & JP Balmer Vedi ultimo messaggio

Nessun messaggio da leggere
Allegato(i)
Tenthredo (T.) brevicornis (Konow 1886) ♂ - Symphyta - Tenthredinidae - Tenthredininae

15.VIII.2004 - FRANCIA - EE
Hymenoptera

D & JP Balmer

0

1237

23/10/2016, 9:02

D & JP Balmer Vedi ultimo messaggio

Nessun messaggio da leggere
Allegato(i)
Tenthredo (Elinora) koehleri Klug 1817 ♂ - Symphyta - Tenthredinidae - Tenthredininae

16.V.2009 - FRANCIA - EE
Hymenoptera

D & JP Balmer

0

1136

21/10/2016, 17:20

D & JP Balmer Vedi ultimo messaggio

Nessun messaggio da leggere
Allegato(i)
Tenthredo (Tenthredella) atra L. 1758 ♂ - Tenthedinidae - Tenthredininae

10.VII.1988 - FRANCIA - EE
Hymenoptera

D & JP Balmer

0

1339

14/10/2016, 7:44

D & JP Balmer Vedi ultimo messaggio

Visualizza ultimi argomenti:  Ordina per  Ordine:  
nuovo argomento
Vai alla pagina Precedente  1, 2, 3, 4, 5, 6 ... 9  Prossimo
Pagina 3 di 9 [ 419 argomenti ]

Tutti gli orari sono UTC + 1 ora [ ora legale ]


Chi c’è in linea

Visitano il forum: Nessuno e 1 ospite


Legenda
Messaggi da leggere Messaggi da leggere Nessun messaggio da leggere Nessun messaggio da leggere Annuncio Annuncio
 
Specie indeterminata / discussione generica
Messaggi non letti [ Popolari ] Messaggi non letti [ Popolari ] Nessun messaggio da leggere [ Popolare ] Nessun messaggio da leggere [ Popolare ] Importante Importante
 
Specie determinata fino al genere o cf.
Messaggi non letti [ Bloccati ] Messaggi non letti [ Bloccati ] No messaggi non letti [ Bloccati ] No messaggi non letti [ Bloccati ] Argomento spostato Argomento spostato
 
Specie correttamente determinata
Permessi
Non puoi aprire nuovi argomenti
Non puoi rispondere negli argomenti
Non puoi modificare i tuoi messaggi
Non puoi cancellare i tuoi messaggi
Non puoi inviare allegati

Cerca per:
Vai a: