|
|
| Argomenti |
Ordine |
Autore |
Risposte |
Visite |
Ultimo messaggio |
| Annunci |
 |
|
Incontri entomologici della Società Entomologica Italiana 2025-2026
|
|
Velvet Ant |
0 |
55637 |
17/11/2025, 19:41
Velvet Ant
|
 |
|
Incontri entomologici telematici organizzati dalla Società Entomologica Italiana nel 2022 e nel 2023
[ Vai alla pagina: 1, 2, 3 ]
|
|
Velvet Ant |
44 |
2071864 |
03/03/2023, 15:55
Velvet Ant
|
 |
|
Sondaggio sul declino dell'entomofauna in Italia
[ Vai alla pagina: 1, 2, 3, 4 ]
|
|
Velvet Ant |
52 |
2749969 |
22/10/2022, 19:18
Acquarius
|
 |
|
Progetto: Bibliografia ragionata dei lavori entomologici nei quali sono citati reperti apparsi su FEI
[ Vai alla pagina: 1, 2, 3 ]
|
|
Velvet Ant |
33 |
1661268 |
06/07/2023, 18:31
Orotrechus
|
 |
|
Mimesi, il primo documentario cinematografico sull’entomologia in Italia: casting
|
|
mazzeip |
1 |
1147042 |
28/02/2019, 20:26
mazzeip
|
 |
|
ISTRUZIONI PUBBLICAZIONE NUOVI ARGOMENTI E FOTO
|
Altri Ordini di Insetti |
Julodis |
4 |
2968320 |
13/05/2015, 19:37
Julodis
|
 |
|
Limitatore giornaliero di messaggi, uno strumento utile e ormai indispensabile
[ Vai alla pagina: 1 ... 14, 15, 16 ]
|
|
Velvet Ant |
233 |
14101633 |
25/09/2014, 14:31
Inachis
|
 |
|
NORME PER I COLLABORATORI DEL FORUM
|
|
Velvet Ant |
0 |
677730 |
02/06/2011, 12:05
Velvet Ant
|
 |
|
NORME PER GLI UTENTI DEL FORUM
[ Vai alla pagina: 1, 2, 3 ]
|
|
Velvet Ant |
30 |
3774593 |
23/09/2014, 23:54
Maurizio Bollino
|
 |
|
Lista degli utenti del "Forum entomologi italiani" per campi di interesse e specializzazione
|
Altri Ordini di Insetti |
Velvet Ant |
13 |
1149573 |
07/09/2023, 17:14
Roberto-07
|
| Argomenti |
 |
|
Phymatocera aterrima (Klug, 1816) ♀ (Typus & var.) - Tenthredinidae Blennocampinae
FRANCIA - EE
|
Hymenoptera |
D & JP Balmer |
0 |
787 |
30/08/2015, 13:15
D & JP Balmer
|
 |
|
Eutomostethus luteiventris (Klug 1816) ♀ - Tenthredinidae - Blennocampinae
23.V.2011 - FRANCIA - EE
|
Hymenoptera |
D & JP Balmer |
0 |
688 |
28/08/2015, 6:17
D & JP Balmer
|
 |
|
Monophadnoides ruficruris (Brullé 1832) var. ♂ - Tenthredinidae - Blennocampinae
24.VII.1994 - FRANCIA - EE
|
Hymenoptera |
D & JP Balmer |
0 |
642 |
27/08/2015, 8:29
D & JP Balmer
|
 |
|
Monophadnus spinolae (Klug 1816) ♀ - Tenthredinidae - Blennocampinae
1.VI.2011 - FRANCIA - EE
|
Hymenoptera |
D & JP Balmer |
0 |
712 |
24/08/2015, 16:20
D & JP Balmer
|
 |
|
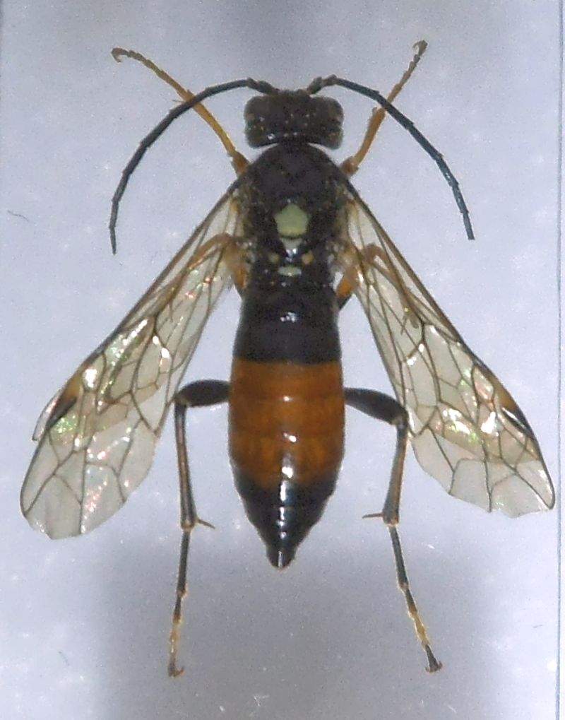
Aneugmenus padi (Linnaeus, 1761) ♀ - Tenthredinidae Selandriinae
10.V.2014 - ITALIA - Sardegna - CA
|
Hymenoptera |
Fumea crassiorella |
4 |
1751 |
21/08/2015, 15:30
Fumea crassiorella
|
 |
|
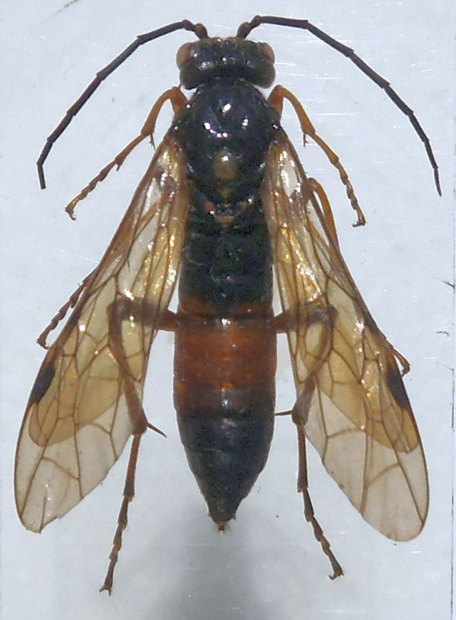
Athalia rosae (Linnaeus, 1758) - Tenthredinidae - Allantinae
18.VIII.2015 - ITALIA - Veneto - VE
|
Hymenoptera |
ghebo |
2 |
1109 |
19/08/2015, 16:27
ghebo
|
 |
|
Hoplocampa crataegi (Klug 1816) ♀ - Tenthrediniae - Nematinae
5.VI.2004 - FRANCIA - EE
|
Hymenoptera |
D & JP Balmer |
1 |
813 |
18/08/2015, 12:25
D & JP Balmer
|
 |
|
Dolerus bajulus Serville 1823 ♂ & ♀ - Tenthredinidae - Selandriinae (sensu FE)
15.VI.2002 - FRANCIA - EE
|
Hymenoptera |
D & JP Balmer |
0 |
879 |
15/08/2015, 12:18
D & JP Balmer
|
 |
|
Dulophanes morio (Fabricius 1781) ♂ - Tenthredinidae - Selandriinae
16.VI.2012 - FRANCIA - EE
|
Hymenoptera |
D & JP Balmer |
0 |
588 |
11/08/2015, 12:12
D & JP Balmer
|
 |
|
Pachyprotasis variegata (Fallen 1808) ♀ - Tenthredinidae - Tenthredininae - Macrophyini
23.VII.2013 - FRANCIA - EE
|
Hymenoptera |
D & JP Balmer |
0 |
637 |
06/08/2015, 16:48
D & JP Balmer
|
 |
|
Stethomostus fuliginosus (Schrank 1781) ♂ - Tenthredinidae - Blennocampinae
7.VI.1995 - FRANCIA - EE
|
Hymenoptera |
D & JP Balmer |
0 |
581 |
02/08/2015, 23:27
D & JP Balmer
|
 |
|
Strongylogaster xanthocera (Stephens 1835) ♀ - Tenthredinidae - Selandriinae
18.V.2008 - FRANCIA - EE
|
Hymenoptera |
D & JP Balmer |
0 |
739 |
02/08/2015, 1:30
D & JP Balmer
|
 |
|
Aneugmenus fürstenbergensis (Konow 1885) ♀ – Tenthredinidae – Selandriinae (sensu FE)
10.VII.2009 - FRANCIA - EE
|
Hymenoptera |
D & JP Balmer |
0 |
744 |
31/07/2015, 17:04
D & JP Balmer
|
 |
|
Dolerus niger (L. 1767) ♀ - Tenthredinidae - Selandriinae (sensu FE)
24.V.2012 - FRANCIA - EE
|
Hymenoptera |
D & JP Balmer |
0 |
766 |
30/07/2015, 12:32
D & JP Balmer
|
 |
|
Allantus sp. - Tenthredinidae
22.IV.2012 - ITALIA - Sardegna - SS
|
Hymenoptera |
Pietro Niolu |
4 |
1592 |
29/07/2015, 17:51
TheWings
|
 |
|
Larva di Allantus cinctus - Tenthredinidae
22.VII.2015 - ITALIA - Lombardia - BG
|
Hymenoptera |
Giuseppe Zanetti |
2 |
1193 |
26/07/2015, 23:31
TheWings
|
 |
|
Tenthredinidae sp.
27.V.2015 - ITALIA - Veneto - VE
|
Hymenoptera |
ghebo |
3 |
1282 |
05/06/2015, 16:21
ghebo
|
 |
|
Tenthredo (Cephaledo) bifasciata O. F. Muller 1766 (cf.) - Tenthredinidae
5.IV.2015 - ITALIA - Sicilia - SR
|
Hymenoptera |
vicente |
6 |
1729 |
31/05/2015, 14:03
vicente
|
 |
|
Tenthredopsis sp. - Tenthredinidae
1.VI.2014 - ITALIA - Friuli-Venezia Giulia - TS
|
Hymenoptera |
Chalybion |
0 |
748 |
28/05/2015, 11:31
Chalybion
|
 |
|
Tenthredopsis sp. - Tenthredinidae
18.V.2015 - ITALIA - Friuli-Venezia Giulia - TS
|
Hymenoptera |
Chalybion |
0 |
846 |
28/05/2015, 11:22
Chalybion
|
 |
|
Dolerus (Dolerus) cothurnatus Serville, 1823 (cf.) - Tenthredinidae
3.V.2015 - ITALIA - Emilia-Romagna - RA
|
Hymenoptera |
Chalybion |
2 |
1077 |
28/05/2015, 10:51
Chalybion
|
 |
|
Macrophya (Macrophya) annulata (Geoffroy, 1785) - Tenthredinidae
17.V.2015 - ITALIA - Lazio - RM
|
Hymenoptera |
giuseppe55 |
2 |
894 |
23/05/2015, 17:27
giuseppe55
|
 |
|
Macrophya sp. - Tenthredinidae
28.IV.2015 - ITALIA - Campania - SA
|
Hymenoptera |
XylellaFastidiosa |
1 |
885 |
17/05/2015, 21:34
gomphus
|
 |
|
Tenthredopsis sp. - Tenthredinidae
25.IV.2015 - ITALIA - Marche - AN
|
Hymenoptera |
Chalybion |
2 |
924 |
16/05/2015, 16:18
Chalybion
|
 |
|
Halidamia affinis (Fallen, 1807) - Tenthredinidae Blennocampinae
10.V.2015 - ITALIA - Sardegna - SS
|
Hymenoptera |
Pietro Niolu |
3 |
1132 |
15/05/2015, 19:03
giuseppe55
|
 |
|
Tenthredopsis sp. - Tenthredinidae
25.IV.2015 - ITALIA - Lazio - RM
|
Hymenoptera |
giuseppe55 |
0 |
630 |
14/05/2015, 20:18
giuseppe55
|
 |
|
Tenthredo (Tenthredella) moniliata Klug, 1817 - Tenthredinidae
23.VI.1996 - ITALIA - Abruzzo - AQ
|
Hymenoptera |
aesalus37 |
3 |
1115 |
10/05/2015, 20:57
aesalus37
|
 |
|
Athalia bicolor Serville, 1823 ♂ - Tenthredinidae
25.IV.2015 - ITALIA - Lazio - RM
|
Hymenoptera |
giuseppe55 |
6 |
2255 |
05/05/2015, 21:57
giuseppe55
|
 |
|
Hoplocampa minuta (Christ, 1791) (cf.) - Tenthredinidae
14.IV.2015 - ITALIA - Emilia-Romagna - RE
|
Hymenoptera |
Mikiphasmide |
10 |
2763 |
04/05/2015, 20:53
D & JP Balmer
|
 |
|
Tenthredo (T.) arcuata Forster 1771 ♀ - Symphyta - Tenthredinidae - Tenthredininae
23.VI.1996 - ITALIA - Abruzzo - AQ
|
Hymenoptera |
aesalus37 |
2 |
1229 |
01/05/2015, 6:57
aesalus37
|
 |
|
Allantus (Emphytus) "A" rufocinctus (Retzius 1783) var. ♀ + Key of Allantus (Emphytus) “A” of France & Italy - Tenthredinidae - Allantinae
29.VI.2008 - FRANCIA - EE
|
Hymenoptera |
D & JP Balmer |
0 |
782 |
24/04/2015, 14:51
D & JP Balmer
|
 |
|
Allantus (Emphytus) “B” didymus (Klug 1818) ♀ - Tenthredinidae - Allantinae
23.VI.1993 - FRANCIA - EE
|
Hymenoptera |
D & JP Balmer |
0 |
902 |
24/04/2015, 5:18
D & JP Balmer
|
 |
|
Dolerus (Achaetoprion) triplicatus (Klug, 1818) - Tenthredinidae
28.III.1996 - ITALIA - Lazio - RM
|
Hymenoptera |
aesalus37 |
2 |
846 |
22/04/2015, 6:38
aesalus37
|
 |
|
Tenthredo (Tenthredella) campestris Linnaeus 1758 ♂ - Tenthredinidae
14.IV.2015 - ITALIA - Lombardia - BG
|
Hymenoptera |
Giuseppe Zanetti |
3 |
1026 |
21/04/2015, 19:01
Giuseppe Zanetti
|
 |
|
Empria sexpunctata (Serville 1823) [melanic form] ♀ - Tenthredinidae - Allantinae
23.V.2011 - FRANCIA - EE
|
Hymenoptera |
D & JP Balmer |
0 |
758 |
20/04/2015, 16:25
D & JP Balmer
|
 |
|
Athalia sp. ♀ - Tenthredinidae
13.X.1995 - ITALIA - Lazio - RM
|
Hymenoptera |
aesalus37 |
2 |
929 |
17/04/2015, 6:33
aesalus37
|
 |
|
Selandria serva (Fabricius, 1793) ♂ - Tenthredinidae - Allantinae
1.V.2014 - ITALIA - Lazio - RM
|
Hymenoptera |
giuseppe55 |
2 |
1030 |
16/04/2015, 18:44
giuseppe55
|
 |
|
Empria tridens (Konow 1896) ♀ - Tenthredinidae - Allantinae
20.IV.2011 - FRANCIA - EE
|
Hymenoptera |
D & JP Balmer |
0 |
663 |
16/04/2015, 17:10
D & JP Balmer
|
 |
|
Allantus (Emphytus) "A" coxalis (Klug 1818) ♂ + Key of Allantus (Emphytus) “A” of France & Italy - Tenthredinidae - Allantinae
20.V.2004 - FRANCIA - EE
|
Hymenoptera |
D & JP Balmer |
0 |
1095 |
15/04/2015, 15:43
D & JP Balmer
|
 |
|
Allantus (Emphytus) “B” truncatus (Klug. 1818) ♀ - Tenthredinidae - Allantinae
16.VI.1995 - FRANCIA - EE
|
Hymenoptera |
D & JP Balmer |
0 |
721 |
14/04/2015, 2:28
D & JP Balmer
|
 |
|
Allantus (Emphytus) “B” cinctus (L. 1758) ♀ - Tenthredinidae - Allantinae
13.IX.2007 - FRANCIA - EE
|
Hymenoptera |
D & JP Balmer |
0 |
993 |
13/04/2015, 2:39
D & JP Balmer
|
 |
|
Allantus (Emphytus) “B” cingulatus (Scopoli 1763) ♀ - Tenthredinidae - Allantinae
30.V.1992 - FRANCIA - EE
|
Hymenoptera |
D & JP Balmer |
0 |
971 |
13/04/2015, 2:28
D & JP Balmer
|
 |
|
Allantus (Emphytus) “B” melanarius (Klug 1818) ♀ - Tenthredinidae - Allantinae
14.VIII.1995 - FRANCIA - EE
|
Hymenoptera |
D & JP Balmer |
0 |
788 |
11/04/2015, 7:35
D & JP Balmer
|
 |
|
Ametastegia (Protemphytus) "B" sp. pallipes (Spinola 1808) ♀ - Tenthredinidae - Allantinae
16.VII.2013 - FRANCIA - EE
|
Hymenoptera |
D & JP Balmer |
0 |
781 |
11/04/2015, 1:09
D & JP Balmer
|
 |
|
Empria baltica Conde 1938 ♀ - Tenthredinidae - Allantinae
10.VI.1993 - FRANCIA - EE
|
Hymenoptera |
D & JP Balmer |
0 |
787 |
06/04/2015, 15:25
D & JP Balmer
|
 |
|
Taxonus agrorum (Fallen 1808) ♀ - Tenthredinidae - Allantinae
1.V.2011 - FRANCIA - EE
|
Hymenoptera |
D & JP Balmer |
0 |
805 |
01/04/2015, 12:40
D & JP Balmer
|
 |
|
Allantus (Emphytus) "A" calceatus (Klug 1818) ♀ + Key of Allantus (Emphytus) “A” of France & Italy - Tenthredinidae - Allantinae
2.VII.2002 - FRANCIA - EE
|
Hymenoptera |
D & JP Balmer |
0 |
861 |
01/04/2015, 11:02
D & JP Balmer
|
 |
|
Aneugmenus padi (L.) ♀ – Tenthredinidae – Selandriinae
25.V.2011 - FRANCIA - EE
|
Hymenoptera |
D & JP Balmer |
0 |
995 |
31/03/2015, 10:21
D & JP Balmer
|
 |
|
Allantus (A.) viennensis (Schrank 1781) ♂ - Tenthredinidae – Allantinae
21.V.2005 - FRANCIA - EE
|
Hymenoptera |
D & JP Balmer |
0 |
946 |
29/03/2015, 0:27
D & JP Balmer
|
 |
|
Tenthredo (Maculedo) maculata Geoffroy, 1785 (cf.) - Tenthredinidae
12.VI.2013 - GERMANIA - EE
|
Hymenoptera |
gstalker |
2 |
968 |
21/03/2015, 20:05
gstalker
|
|
|