Benvenuto Ospite

Forum Entomologi Italiani

www.entomologiitaliani.net/forum
 
Oggi è 30/04/2026, 14:23

Tutti gli orari sono UTC + 1 ora [ ora legale ]

Messaggi che non hanno avuto alcuna risposta


[ AFROTROPICALE ] [ ANTARTICO ] [ AUSTRALASIANO ] [ NEARTICO ] [ NEOTROPICALE ] [ ORIENTALE ] [ PALEARTICO ]


nuovo argomento
Vai alla pagina Precedente  1 ... 14, 15, 16, 17, 18, 19, 20 ... 63  Prossimo
Pagina 17 di 63 [ 3125 argomenti ]
 Argomenti   Ordine   Autore   Risposte   Visite    Ultimo messaggio 
Annunci
Nessun messaggio da leggere
Allegato(i)
Incontri entomologici della Società Entomologica Italiana 2025-2026
 

Velvet Ant

0

55208

17/11/2025, 19:41

Velvet Ant Vedi ultimo messaggio

Nessun messaggio da leggere
Allegato(i)
Incontri entomologici telematici organizzati dalla Società Entomologica Italiana nel 2022 e nel 2023

[ Vai alla paginaVai alla pagina: 1, 2, 3 ]

 

Velvet Ant

44

2067270

03/03/2023, 15:55

Velvet Ant Vedi ultimo messaggio

Nessun messaggio da leggere  
Allegato(i)
Sondaggio sul declino dell'entomofauna in Italia

[ Vai alla paginaVai alla pagina: 1, 2, 3, 4 ]

 

Velvet Ant

52

2744287

22/10/2022, 19:18

Acquarius Vedi ultimo messaggio

Nessun messaggio da leggere  
Allegato(i)
Progetto: Bibliografia ragionata dei lavori entomologici nei quali sono citati reperti apparsi su FEI

[ Vai alla paginaVai alla pagina: 1, 2, 3 ]

 

Velvet Ant

33

1656981

06/07/2023, 18:31

Orotrechus Vedi ultimo messaggio

Nessun messaggio da leggere
Allegato(i)
Mimesi, il primo documentario cinematografico sull’entomologia in Italia: casting
 

mazzeip

1

1146243

28/02/2019, 20:26

mazzeip Vedi ultimo messaggio

Questo argomento è bloccato, non puoi modificare o inviare ulteriori messaggi.
Allegato(i)
ISTRUZIONI PUBBLICAZIONE NUOVI ARGOMENTI E FOTO

 
Altri Ordini di Insetti

Julodis

4

2967185

13/05/2015, 19:37

Julodis Vedi ultimo messaggio

Nessun messaggio da leggere
Allegato(i)
Limitatore giornaliero di messaggi, uno strumento utile e ormai indispensabile

[ Vai alla paginaVai alla pagina: 1 ... 14, 15, 16 ]

 

Velvet Ant

233

13999802

25/09/2014, 14:31

Inachis Vedi ultimo messaggio

Nessun messaggio da leggere  
NORME PER I COLLABORATORI DEL FORUM

 
 

Velvet Ant

0

677068

02/06/2011, 12:05

Velvet Ant Vedi ultimo messaggio

Nessun messaggio da leggere
Allegato(i)
NORME PER GLI UTENTI DEL FORUM

[ Vai alla paginaVai alla pagina: 1, 2, 3 ]



 
 

Velvet Ant

30

3770585

23/09/2014, 23:54

Maurizio Bollino Vedi ultimo messaggio

Nessun messaggio da leggere  
Lista degli utenti del "Forum entomologi italiani" per campi di interesse e specializzazione

 
Altri Ordini di Insetti

Velvet Ant

13

1147933

07/09/2023, 17:14

Roberto-07 Vedi ultimo messaggio

Argomenti
Nessun messaggio da leggere
Curculionidae da identificare
16.VII.2020 - ITALIA - Marche - AN
Allegato(i)
Curculionidae da identificare

16.VII.2020 - ITALIA - Marche - AN
Coleoptera

mbondini

0

523

07/08/2022, 14:15

mbondini Vedi ultimo messaggio

Nessun messaggio da leggere
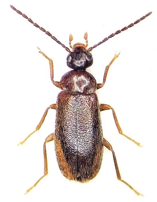
Haplocnemus da ID
16.V.2022 - ITALIA - Sardegna - VS
Allegato(i)
Haplocnemus da ID

16.V.2022 - ITALIA - Sardegna - VS
Coleoptera

Chalybion

0

407

06/08/2022, 19:55

Chalybion Vedi ultimo messaggio

Nessun messaggio da leggere
Zonitis?
17.VI.2022 - ITALIA - Campania - SA
Allegato(i)
Zonitis?

17.VI.2022 - ITALIA - Campania - SA
Coleoptera

Enzo.C

2

525

04/08/2022, 8:40

Enzo.C Vedi ultimo messaggio

Nessun messaggio da leggere
Exuvia da identificare
28.VII.2022 - ITALIA - Molise - CB
Allegato(i)
Exuvia da identificare

28.VII.2022 - ITALIA - Molise - CB
Coleoptera

Franco ROSSI

0

404

02/08/2022, 14:22

Franco ROSSI Vedi ultimo messaggio

Nessun messaggio da leggere
Calliptamus sp. ?
3.VII.2022 - ITALIA - Friuli-Venezia Giulia - UD
Allegato(i)
Calliptamus sp. ?

3.VII.2022 - ITALIA - Friuli-Venezia Giulia - UD
Orthoptera

Michele A

0

412

02/08/2022, 9:56

Michele A Vedi ultimo messaggio

Nessun messaggio da leggere
Chrysolina purpurascens?
1.V.2022 - ITALIA - Lombardia - LC
Allegato(i)
Chrysolina purpurascens?

1.V.2022 - ITALIA - Lombardia - LC
Coleoptera

Davide Ambrosioni

2

695

01/08/2022, 23:15

Davide Ambrosioni Vedi ultimo messaggio

Nessun messaggio da leggere
odonata, libellula grande
VII.2022 - ITALIA - Piemonte - VB
Allegato(i)
odonata, libellula grande

VII.2022 - ITALIA - Piemonte - VB
Odonata

marco_a

0

429

31/07/2022, 19:48

marco_a Vedi ultimo messaggio

Nessun messaggio da leggere
Cavalletta
30.VII.2022 - ITALIA - Trentino-Alto Adige - TN
Allegato(i)
Cavalletta

30.VII.2022 - ITALIA - Trentino-Alto Adige - TN
Orthoptera

Syrio

0

363

31/07/2022, 11:09

Syrio Vedi ultimo messaggio

Nessun messaggio da leggere
Cosmopterigidae da ID
3.VI.2013 - ITALIA - Emilia-Romagna - PR
Allegato(i)
Cosmopterigidae da ID

3.VI.2013 - ITALIA - Emilia-Romagna - PR
Lepidoptera

picollo

0

382

29/07/2022, 23:33

picollo Vedi ultimo messaggio

Nessun messaggio da leggere
Miridae (Madeira)
8.VII.2022 - PORTOGALLO - EE
Allegato(i)
Miridae (Madeira)

8.VII.2022 - PORTOGALLO - EE
Hemiptera

Michael Becker

0

431

29/07/2022, 20:56

Michael Becker Vedi ultimo messaggio

Nessun messaggio da leggere
Hemiptera: Homoptera: Cicadellidae (?!) ID?
28.VII.2022 - ITALIA - Piemonte - TO
Allegato(i)
Hemiptera: Homoptera: Cicadellidae (?!) ID?

28.VII.2022 - ITALIA - Piemonte - TO
Hemiptera

gianpaolo.geri

0

392

29/07/2022, 17:20

gianpaolo.geri Vedi ultimo messaggio

Nessun messaggio da leggere
Aiuto identificazione
29.VII.2022 - ITALIA - Veneto - VI
Allegato(i)
Aiuto identificazione

29.VII.2022 - ITALIA - Veneto - VI
Coleoptera

GiacomoGas

0

437

29/07/2022, 15:04

GiacomoGas Vedi ultimo messaggio

Nessun messaggio da leggere
Sesiidae da ID
2.VII.2022 - ITALIA - Emilia-Romagna - PR
Allegato(i)
Sesiidae da ID

2.VII.2022 - ITALIA - Emilia-Romagna - PR
Lepidoptera

picollo

0

347

28/07/2022, 19:41

picollo Vedi ultimo messaggio

Nessun messaggio da leggere
Megalodontes sp. ?
25.VI.2022 - ITALIA - Friuli-Venezia Giulia - UD
Allegato(i)
Megalodontes sp. ?

25.VI.2022 - ITALIA - Friuli-Venezia Giulia - UD
Hymenoptera

Michele A

0

305

23/07/2022, 17:21

Michele A Vedi ultimo messaggio

Nessun messaggio da leggere
Tettigonia cantans
22.VII.2022 - ITALIA - Emilia-Romagna - RE
Allegato(i)
Tettigonia cantans

22.VII.2022 - ITALIA - Emilia-Romagna - RE
Orthoptera

Gig

0

313

23/07/2022, 15:16

Gig Vedi ultimo messaggio

Nessun messaggio da leggere
Celypha sp. ?
7.VII.2022 - ITALIA - Lombardia - SO
Allegato(i)
Celypha sp. ?

7.VII.2022 - ITALIA - Lombardia - SO
Lepidoptera

soken

1

407

23/07/2022, 11:47

soken Vedi ultimo messaggio

Nessun messaggio da leggere
Bombus soroeensis da confermare
17.VIII.2021 - ITALIA - Lombardia - SO
Allegato(i)
Bombus soroeensis da confermare

17.VIII.2021 - ITALIA - Lombardia - SO
Hymenoptera

RicPan

1

627

22/07/2022, 15:54

RicPan Vedi ultimo messaggio

Nessun messaggio da leggere
Protaetia-Turkey
1.VI.2005 - TURCHIA - EE
Allegato(i)
Protaetia-Turkey

1.VI.2005 - TURCHIA - EE
Coleoptera

ivo

0

375

22/07/2022, 14:31

ivo Vedi ultimo messaggio

Nessun messaggio da leggere
Phyllobius sp.?
25.VI.2022 - ITALIA - Friuli-Venezia Giulia - UD
Allegato(i)
Phyllobius sp.?

25.VI.2022 - ITALIA - Friuli-Venezia Giulia - UD
Coleoptera

Michele A

0

326

21/07/2022, 17:21

Michele A Vedi ultimo messaggio

Nessun messaggio da leggere
Cryptocephalus sp. ?
25.VI.2022 - ITALIA - Friuli-Venezia Giulia - UD
Allegato(i)
Cryptocephalus sp. ?

25.VI.2022 - ITALIA - Friuli-Venezia Giulia - UD
Coleoptera

Michele A

0

304

20/07/2022, 17:21

Michele A Vedi ultimo messaggio

Nessun messaggio da leggere
Brachinus da ID
13.VIII.2021 - ITALIA - Toscana - LI
Allegato(i)
Brachinus da ID

13.VIII.2021 - ITALIA - Toscana - LI
Coleoptera

Stefano79

1

548

18/07/2022, 18:27

Stefano79 Vedi ultimo messaggio

Nessun messaggio da leggere
Cicindelidae: Cylindera trisignata siciliensis?
15.VII.2022 - ITALIA - Sicilia - RG
Allegato(i)
Cicindelidae: Cylindera trisignata siciliensis?

15.VII.2022 - ITALIA - Sicilia - RG
Coleoptera

Brachytron84

0

365

15/07/2022, 17:40

Brachytron84 Vedi ultimo messaggio

Nessun messaggio da leggere
Megachilidae ?
17.VI.2022 - ITALIA - Friuli-Venezia Giulia - UD
Allegato(i)
Megachilidae ?

17.VI.2022 - ITALIA - Friuli-Venezia Giulia - UD
Hymenoptera

Michele A

0

298

14/07/2022, 11:56

Michele A Vedi ultimo messaggio

Nessun messaggio da leggere
Vespidae Eumeninae da id.
11.IX.2021 - ITALIA - Emilia-Romagna - BO
Allegato(i)
Vespidae Eumeninae da id.

11.IX.2021 - ITALIA - Emilia-Romagna - BO
Hymenoptera

Mammut

2

641

10/07/2022, 22:52

Mammut Vedi ultimo messaggio

Nessun messaggio da leggere
Machilidae
10.VII.2022 - ITALIA - Trentino-Alto Adige - TN
Allegato(i)
Machilidae

10.VII.2022 - ITALIA - Trentino-Alto Adige - TN
Altri Ordini di Insetti

Syrio

0

327

10/07/2022, 18:30

Syrio Vedi ultimo messaggio

Nessun messaggio da leggere
Larva
19.VI.2022 - ITALIA - Trentino-Alto Adige - TN
Allegato(i)
Larva

19.VI.2022 - ITALIA - Trentino-Alto Adige - TN
Coleoptera

Syrio

1

472

07/07/2022, 19:31

Syrio Vedi ultimo messaggio

Nessun messaggio da leggere
Bombus sp. ?
11.VI.2022 - ITALIA - Friuli-Venezia Giulia - UD
Allegato(i)
Bombus sp. ?

11.VI.2022 - ITALIA - Friuli-Venezia Giulia - UD
Hymenoptera

Michele A

0

345

06/07/2022, 12:17

Michele A Vedi ultimo messaggio

Nessun messaggio da leggere
lepidottero da identificare
25.V.2019 - ITALIA - Emilia-Romagna - BO
Allegato(i)
lepidottero da identificare

25.V.2019 - ITALIA - Emilia-Romagna - BO
Lepidoptera

emmebix

0

300

05/07/2022, 18:08

emmebix Vedi ultimo messaggio

Nessun messaggio da leggere
Braconidae - Braconinae
20.VI.2022 - ITALIA - Lazio - RM
Allegato(i)
Braconidae - Braconinae

20.VI.2022 - ITALIA - Lazio - RM
Hymenoptera

soken

0

417

04/07/2022, 18:13

soken Vedi ultimo messaggio

Nessun messaggio da leggere
Orthoptera da identificare
22.V.2022 - ITALIA - Lombardia - CR
Allegato(i)
Orthoptera da identificare

22.V.2022 - ITALIA - Lombardia - CR
Orthoptera

Lolapip

0

327

04/07/2022, 11:05

Lolapip Vedi ultimo messaggio

Nessun messaggio da leggere
Phalangiidae da identificare
22.V.2022 - ITALIA - Lombardia - CR
Allegato(i)
Phalangiidae da identificare

22.V.2022 - ITALIA - Lombardia - CR
Altri Artropodi

Lolapip

0

312

04/07/2022, 11:05

Lolapip Vedi ultimo messaggio

Nessun messaggio da leggere
Cocciniglia
24.VI.2022 - ITALIA - Trentino-Alto Adige - TN
Allegato(i)
Cocciniglia

24.VI.2022 - ITALIA - Trentino-Alto Adige - TN
Hemiptera

Syrio

0

451

02/07/2022, 20:51

Syrio Vedi ultimo messaggio

Nessun messaggio da leggere
Efemerottero ?
9.VI.2022 - ITALIA - Friuli-Venezia Giulia - UD
Allegato(i)
Efemerottero ?

9.VI.2022 - ITALIA - Friuli-Venezia Giulia - UD
Altri Ordini di Insetti

Michele A

0

301

02/07/2022, 12:05

Michele A Vedi ultimo messaggio

Nessun messaggio da leggere
Pediasia sp. ?
10.VI.2022 - ITALIA - Friuli-Venezia Giulia - UD
Allegato(i)
Pediasia sp. ?

10.VI.2022 - ITALIA - Friuli-Venezia Giulia - UD
Lepidoptera

Michele A

0

343

02/07/2022, 12:05

Michele A Vedi ultimo messaggio

Nessun messaggio da leggere
Carabidae da identificare
3.VI.2022 - ITALIA - Piemonte - CN
Allegato(i)
Carabidae da identificare

3.VI.2022 - ITALIA - Piemonte - CN
Coleoptera

checcapitipiti

0

472

02/07/2022, 11:44

checcapitipiti Vedi ultimo messaggio

Nessun messaggio da leggere
Ophonus sardo da confermare
22.VI.2022 - ITALIA - Sardegna - OG
Allegato(i)
Ophonus sardo da confermare

22.VI.2022 - ITALIA - Sardegna - OG
Coleoptera

Andrea Pergine

0

492

29/06/2022, 11:38

Andrea Pergine Vedi ultimo messaggio

Nessun messaggio da leggere
Mononychus?
11.VI.2022 - SPAGNA - EE
Allegato(i)
Mononychus?

11.VI.2022 - SPAGNA - EE
Coleoptera

Isidro

3

588

29/06/2022, 7:36

Isidro Vedi ultimo messaggio

Nessun messaggio da leggere
Bombo no. 1
22.VI.2022 - GERMANIA - EE
Allegato(i)
Bombo no. 1

22.VI.2022 - GERMANIA - EE
Hymenoptera

Marco Ferrante

0

301

27/06/2022, 18:27

Marco Ferrante Vedi ultimo messaggio

Nessun messaggio da leggere
Bombo no. 2
22.VI.2022 - GERMANIA - EE
Allegato(i)
Bombo no. 2

22.VI.2022 - GERMANIA - EE
Hymenoptera

Marco Ferrante

0

288

27/06/2022, 18:27

Marco Ferrante Vedi ultimo messaggio

Nessun messaggio da leggere
Acupalpus
VI.2022 - ITALIA - Lombardia - PV
Allegato(i)
Acupalpus
Carabidae


VI.2022 - ITALIA - Lombardia - PV
Coleoptera

marco paglialunga

0

461

27/06/2022, 18:02

marco paglialunga Vedi ultimo messaggio

Nessun messaggio da leggere
Raphidiidae da identificare
18.V.2022 - ITALIA - Marche - AN
Allegato(i)
Raphidiidae da identificare

18.V.2022 - ITALIA - Marche - AN
Altri Ordini di Insetti

mbondini

0

361

27/06/2022, 12:42

mbondini Vedi ultimo messaggio

Nessun messaggio da leggere
Danacea sp.
27.V.2022 - ITALIA - Sicilia - PA
Allegato(i)
Danacea sp.

27.V.2022 - ITALIA - Sicilia - PA
Coleoptera

Michael Becker

0

407

27/06/2022, 7:42

Michael Becker Vedi ultimo messaggio

Nessun messaggio da leggere
Heterocoelia carcelii?
7.V.2022 - ITALIA - Marche - AN
Allegato(i)
Heterocoelia carcelii?

7.V.2022 - ITALIA - Marche - AN
Hymenoptera

mbondini

0

360

26/06/2022, 12:42

mbondini Vedi ultimo messaggio

Nessun messaggio da leggere
Carabidae da identificare
12.VI.2022 - ITALIA - Piemonte - CN
Allegato(i)
Carabidae da identificare

12.VI.2022 - ITALIA - Piemonte - CN
Coleoptera

checcapitipiti

0

378

26/06/2022, 10:36

checcapitipiti Vedi ultimo messaggio

Nessun messaggio da leggere
Staphylinidae ?
VI.2022 - ITALIA - Lombardia - PV
Allegato(i)
Staphylinidae ?

VI.2022 - ITALIA - Lombardia - PV
Coleoptera

marco paglialunga

0

402

25/06/2022, 8:37

marco paglialunga Vedi ultimo messaggio

Nessun messaggio da leggere
Salticidae da identificare....
23.VI.2022 - ITALIA - Sicilia - SR
Allegato(i)
Salticidae da identificare....

23.VI.2022 - ITALIA - Sicilia - SR
Altri Artropodi

vicente

0

396

24/06/2022, 15:51

vicente Vedi ultimo messaggio

Nessun messaggio da leggere
Aplidia
6.V.2018 - TURCHIA - EE
Allegato(i)
Aplidia

6.V.2018 - TURCHIA - EE
Coleoptera

Maxim Smirnov

0

445

22/06/2022, 23:28

Maxim Smirnov Vedi ultimo messaggio

Nessun messaggio da leggere
Dubbio su Hipparchia
30.V.1980 - SERBIA - EE
Allegato(i)
Dubbio su Hipparchia

30.V.1980 - SERBIA - EE
Lepidoptera

Arky90

2

595

22/06/2022, 23:12

Arky90 Vedi ultimo messaggio

Nessun messaggio da leggere
Rhogogaster viridis ?
3.VI.2022 - CROAZIA - EE
Allegato(i)
Rhogogaster viridis ?

3.VI.2022 - CROAZIA - EE
Hymenoptera

Michele A

0

408

22/06/2022, 17:20

Michele A Vedi ultimo messaggio

Nessun messaggio da leggere
Richiesta di conferma
20.VI.2022 - ITALIA - Calabria - CZ
Allegato(i)
Richiesta di conferma

20.VI.2022 - ITALIA - Calabria - CZ
Odonata

aiello antonio

0

354

20/06/2022, 19:16

aiello antonio Vedi ultimo messaggio

Visualizza ultimi argomenti:  Ordina per  Ordine:  
nuovo argomento
Vai alla pagina Precedente  1 ... 14, 15, 16, 17, 18, 19, 20 ... 63  Prossimo
Pagina 17 di 63 [ 3125 argomenti ]

Tutti gli orari sono UTC + 1 ora [ ora legale ]


Chi c’è in linea

Visitano il forum: Nessuno e 1 ospite


Legenda
Messaggi da leggere Messaggi da leggere Nessun messaggio da leggere Nessun messaggio da leggere Annuncio Annuncio
 
Specie indeterminata / discussione generica
Messaggi non letti [ Popolari ] Messaggi non letti [ Popolari ] Nessun messaggio da leggere [ Popolare ] Nessun messaggio da leggere [ Popolare ] Importante Importante
 
Specie determinata fino al genere o cf.
Messaggi non letti [ Bloccati ] Messaggi non letti [ Bloccati ] No messaggi non letti [ Bloccati ] No messaggi non letti [ Bloccati ] Argomento spostato Argomento spostato
 
Specie correttamente determinata
Permessi
Non puoi aprire nuovi argomenti
Non puoi rispondere negli argomenti
Non puoi modificare i tuoi messaggi
Non puoi cancellare i tuoi messaggi
Non puoi inviare allegati

Cerca per:
Vai a: