Benvenuto Ospite

Forum Entomologi Italiani

www.entomologiitaliani.net/forum
 
Oggi è 19/12/2025, 19:45

Tutti gli orari sono UTC + 1 ora [ ora legale ]

Malachiidae


[ AFROTROPICALE ] [ ANTARTICO ] [ AUSTRALASIANO ] [ NEARTICO ] [ NEOTROPICALE ] [ ORIENTALE ] [ PALEARTICO ]


nuovo argomento
Vai alla pagina Precedente  1, 2, 3, 4, 5 ... 8  Prossimo
Pagina 2 di 8 [ 365 argomenti ]
 Argomenti   Ordine   Autore   Risposte   Visite    Ultimo messaggio 
Annunci
Nessun messaggio da leggere
Allegato(i)
Incontri entomologici della Società Entomologica Italiana 2025-2026
 

Velvet Ant

0

12679

17/11/2025, 19:41

Velvet Ant Vedi ultimo messaggio

Nessun messaggio da leggere
Allegato(i)
Incontri entomologici telematici organizzati dalla Società Entomologica Italiana nel 2022 e nel 2023

[ Vai alla paginaVai alla pagina: 1, 2, 3 ]

 

Velvet Ant

44

1664093

03/03/2023, 15:55

Velvet Ant Vedi ultimo messaggio

Nessun messaggio da leggere  
Allegato(i)
Sondaggio sul declino dell'entomofauna in Italia

[ Vai alla paginaVai alla pagina: 1, 2, 3, 4 ]

 

Velvet Ant

52

2281562

22/10/2022, 19:18

Acquarius Vedi ultimo messaggio

Nessun messaggio da leggere  
Allegato(i)
Progetto: Bibliografia ragionata dei lavori entomologici nei quali sono citati reperti apparsi su FEI

[ Vai alla paginaVai alla pagina: 1, 2, 3 ]

 

Velvet Ant

33

1338635

06/07/2023, 18:31

Orotrechus Vedi ultimo messaggio

Nessun messaggio da leggere
Allegato(i)
Mimesi, il primo documentario cinematografico sull’entomologia in Italia: casting
 

mazzeip

1

1085261

28/02/2019, 20:26

mazzeip Vedi ultimo messaggio

Questo argomento è bloccato, non puoi modificare o inviare ulteriori messaggi.
Allegato(i)
ISTRUZIONI PUBBLICAZIONE NUOVI ARGOMENTI E FOTO

 
Altri Ordini di Insetti

Julodis

4

2882021

13/05/2015, 19:37

Julodis Vedi ultimo messaggio

Nessun messaggio da leggere
Allegato(i)
Limitatore giornaliero di messaggi, uno strumento utile e ormai indispensabile

[ Vai alla paginaVai alla pagina: 1 ... 14, 15, 16 ]

 

Velvet Ant

233

12243284

25/09/2014, 14:31

Inachis Vedi ultimo messaggio

Nessun messaggio da leggere  
NORME PER I COLLABORATORI DEL FORUM

 
 

Velvet Ant

0

631089

02/06/2011, 12:05

Velvet Ant Vedi ultimo messaggio

Nessun messaggio da leggere
Allegato(i)
NORME PER GLI UTENTI DEL FORUM

[ Vai alla paginaVai alla pagina: 1, 2, 3 ]



 
 

Velvet Ant

30

3458322

23/09/2014, 23:54

Maurizio Bollino Vedi ultimo messaggio

Nessun messaggio da leggere  
Lista degli utenti del "Forum entomologi italiani" per campi di interesse e specializzazione

 
Altri Ordini di Insetti

Velvet Ant

13

1000545

07/09/2023, 17:14

Roberto-07 Vedi ultimo messaggio

Argomenti
Nessun messaggio da leggere
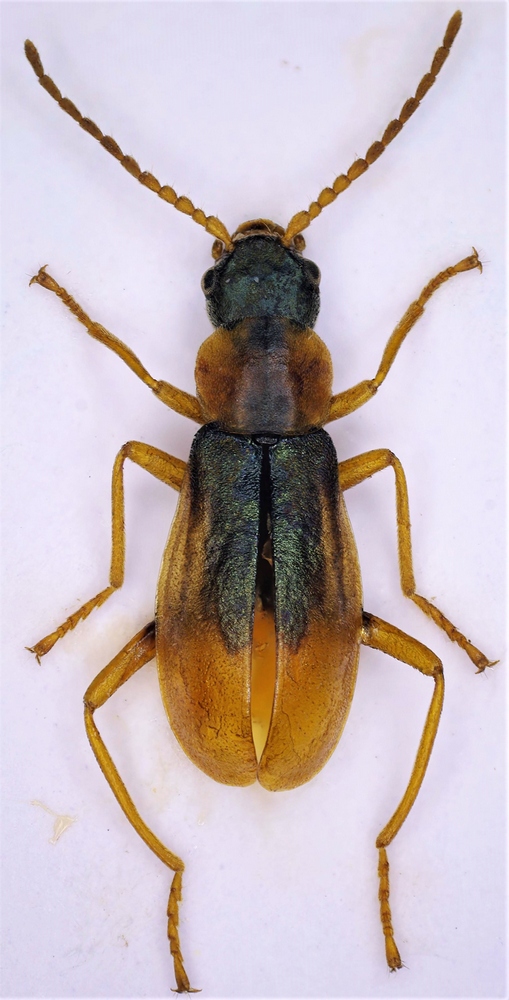
Attalus (Attalus) sicanus Erichson, 1840 - Malachiidae
27.V.2022 - ITALIA - Sicilia - PA
Allegato(i)
Attalus (Attalus) sicanus Erichson, 1840 - Malachiidae

27.V.2022 - ITALIA - Sicilia - PA
Coleoptera

Michael Becker

2

401

14/06/2022, 5:42

Michael Becker Vedi ultimo messaggio

Nessun messaggio da leggere
Allegato(i)
Clanoptilus affinis (Ménétriés, 1832) - Malachiidae

4.VI.2022 - BULGARIA - EE
Coleoptera

Joro

3

480

08/06/2022, 14:51

gabrif Vedi ultimo messaggio

Nessun messaggio da leggere
Charopus varipes Baudi di Selve 1872 - Malachiidae
4.VI.2015 - ITALIA - Sardegna - NU
Allegato(i)
Charopus varipes Baudi di Selve 1872 - Malachiidae

4.VI.2015 - ITALIA - Sardegna - NU
Coleoptera

gabrif

1

584

07/06/2022, 10:18

gabrif Vedi ultimo messaggio

Nessun messaggio da leggere
Allegato(i)
Hypebaeus flavipes (Fabricius, 1797) - Malachiidae

4.VI.2022 - BULGARIA - EE
Coleoptera

Joro

1

354

06/06/2022, 14:09

gabrif Vedi ultimo messaggio

Nessun messaggio da leggere
Malachius australis Mulsant & Rey, 1867 - Malachiidae
22.V.2022 - ITALIA - Sicilia - TP
Allegato(i)
Malachius australis Mulsant & Rey, 1867 - Malachiidae

22.V.2022 - ITALIA - Sicilia - TP
Coleoptera

angelo.ditta

5

474

30/05/2022, 20:02

angelo.ditta Vedi ultimo messaggio

Nessun messaggio da leggere
Allegato(i)
Clanoptilus (Clanoptilus) spinipennis (Germar, 1824) (cf.) - Malachiidae

3.V.2022 - ITALIA - Lazio - RM
Coleoptera

soken

4

488

22/05/2022, 20:00

soken Vedi ultimo messaggio

Nessun messaggio da leggere
Malachius australis Mulsant & Rey, 1867 - Malachiidae
3.V.2022 - ITALIA - Lazio - RM
Allegato(i)
Malachius australis Mulsant & Rey, 1867 - Malachiidae

3.V.2022 - ITALIA - Lazio - RM
Coleoptera

soken

2

415

22/05/2022, 18:23

soken Vedi ultimo messaggio

Nessun messaggio da leggere
Allegato(i)
Anthocomus (Omphalius) thalassinus (Abeille de Perrin, 1883) - Malachiidae

8.V.2022 - BULGARIA - EE
Coleoptera

Joro

7

839

13/05/2022, 16:41

strepens Vedi ultimo messaggio

Nessun messaggio da leggere
Allegato(i)
Cephaloncus rhinoceros Marseul, 1868 - Malachiidae

11.V.2013 - GRECIA - EE
Coleoptera

strepens

0

339

06/05/2022, 19:46

strepens Vedi ultimo messaggio

Nessun messaggio da leggere
Attalus minimus (Rossi, 1790) - Malachiidae
25.IV.2022 - ITALIA - Lombardia - MI
Allegato(i)
Attalus minimus (Rossi, 1790) - Malachiidae

25.IV.2022 - ITALIA - Lombardia - MI
Coleoptera

fasmidi

3

530

27/04/2022, 8:01

fasmidi Vedi ultimo messaggio

Nessun messaggio da leggere
Cerapheles lateplagiatus (Fairmaire, 1862) ♀ - Malachiidae
1.V.2021 - ITALIA - Emilia-Romagna - RA
Allegato(i)
Cerapheles lateplagiatus (Fairmaire, 1862) ♀ - Malachiidae

1.V.2021 - ITALIA - Emilia-Romagna - RA
Coleoptera

Notoxus59

2

509

10/02/2022, 16:19

Notoxus59 Vedi ultimo messaggio

Nessun messaggio da leggere
Ebaeus battonii Pardo Alcaide 1962 - Malachiidae
17.X.2021 - ITALIA - Trentino-Alto Adige - TN
Allegato(i)
Ebaeus battonii Pardo Alcaide 1962 - Malachiidae

17.X.2021 - ITALIA - Trentino-Alto Adige - TN
Coleoptera

Andrea Pergine

8

771

14/01/2022, 17:43

gabrif Vedi ultimo messaggio

Nessun messaggio da leggere
Allegato(i)
Attalus dasytiformis Abeille de Perrin 1885 - Malachiidae

2.VI.2013 - MAROCCO - EE
Coleoptera

gabrif

0

385

30/12/2021, 16:19

gabrif Vedi ultimo messaggio

Nessun messaggio da leggere
Allegato(i)
Anthocomus humeralis Morawitz, 1861 - Malachiidae

VI.1936 - AUSTRIA - EE
Coleoptera

gabrif

2

565

20/12/2021, 13:33

strepens Vedi ultimo messaggio

Nessun messaggio da leggere
Allegato(i)
Attalus (Antholinus) minimus (P. Rossi, 1790) (cf.) - Malachiidae

30.V.2021 - ITALIA - Umbria - PG
Coleoptera

wgliinsetti

2

404

04/12/2021, 16:32

wgliinsetti Vedi ultimo messaggio

Nessun messaggio da leggere
Allegato(i)
Attalus (Antholinus) minimus (P. Rossi, 1790) ♀ - Malachiidae

31.III.2021 - SPAGNA - EE
Coleoptera

Miguel Ángel

6

607

25/11/2021, 11:13

Miguel Ángel Vedi ultimo messaggio

Nessun messaggio da leggere
Attalus (Attalus) sicanus Erichson, 1840 - Malachiidae
30.IV.1998 - ITALIA - Sicilia - ME
Allegato(i)
Attalus (Attalus) sicanus Erichson, 1840 - Malachiidae

30.IV.1998 - ITALIA - Sicilia - ME
Coleoptera

marco paglialunga

3

701

11/11/2021, 17:55

gabrif Vedi ultimo messaggio

Nessun messaggio da leggere
Attalus (Antholinus) varitarsis (Kraatz, 1862) - Malachiidae
23.VI.2007 - ITALIA - Sicilia - PA
Allegato(i)
Attalus (Antholinus) varitarsis (Kraatz, 1862) - Malachiidae

23.VI.2007 - ITALIA - Sicilia - PA
Coleoptera

gabrif

0

399

11/11/2021, 17:15

gabrif Vedi ultimo messaggio

Nessun messaggio da leggere
Allegato(i)
Haplomalachius (Haplomalachius) cerapheloides (Wittmer, 1971) - Malachiidae

20.V.1999 - JORDAN - EE
Coleoptera

gabrif

0

379

04/11/2021, 18:29

gabrif Vedi ultimo messaggio

Nessun messaggio da leggere
Attalus cyaneus (Fabricius, 1792) - Malachiidae
IV.1998 - ITALIA - Calabria - RC
Allegato(i)
Attalus cyaneus (Fabricius, 1792) - Malachiidae

IV.1998 - ITALIA - Calabria - RC
Coleoptera

marco paglialunga

6

1809

04/11/2021, 15:44

marco paglialunga Vedi ultimo messaggio

Nessun messaggio da leggere
Anthocomus rufus (Herbst, 1784) - Malachiidae
26.X.2021 - ITALIA - Sicilia - TP
Allegato(i)
Anthocomus rufus (Herbst, 1784) - Malachiidae

26.X.2021 - ITALIA - Sicilia - TP
Coleoptera

angelo.ditta

2

649

29/10/2021, 10:05

angelo.ditta Vedi ultimo messaggio

Nessun messaggio da leggere
Attalus (Maurattalus) bayonnei Chobaut, 1898
15.IV.1988 - ALGERIA - EE
Allegato(i)
Attalus (Maurattalus) bayonnei Chobaut, 1898

15.IV.1988 - ALGERIA - EE
Coleoptera

gabrif

0

491

26/10/2021, 18:32

gabrif Vedi ultimo messaggio

Nessun messaggio da leggere
Malachius fucatus Peyron, 1877 - Malachiidae
26.VI.2021 - BULGARIA - EE
Allegato(i)
Malachius fucatus Peyron, 1877 - Malachiidae

26.VI.2021 - BULGARIA - EE
Coleoptera

Joro

3

730

02/10/2021, 22:06

Joro Vedi ultimo messaggio

Nessun messaggio da leggere
Clanoptilus (Hypoptilus) sardous (Erichson, 1840) - Malachiidae
22.IV.2014 - ITALIA - Sardegna - SS
Allegato(i)
Clanoptilus (Hypoptilus) sardous (Erichson, 1840) - Malachiidae

22.IV.2014 - ITALIA - Sardegna - SS
Coleoptera

micromondo1966

3

701

29/09/2021, 17:27

micromondo1966 Vedi ultimo messaggio

Nessun messaggio da leggere
Colotes maculatus Laporte de Castelnau 1838 - Malachiidae
18.IX.2021 - ITALIA - Sicilia - TP
Allegato(i)
Colotes maculatus Laporte de Castelnau 1838 - Malachiidae

18.IX.2021 - ITALIA - Sicilia - TP
Coleoptera

angelo.ditta

4

635

19/09/2021, 18:06

angelo.ditta Vedi ultimo messaggio

Nessun messaggio da leggere
Attalus (Antholinus) minimus (Rossi, 1790) - Malachiidae
14.V.2021 - ITALIA - Friuli-Venezia Giulia - UD
Allegato(i)
Attalus (Antholinus) minimus (Rossi, 1790) - Malachiidae

14.V.2021 - ITALIA - Friuli-Venezia Giulia - UD
Coleoptera

Michele A

2

590

15/06/2021, 14:07

Michele A Vedi ultimo messaggio

Nessun messaggio da leggere
Ebaeus ruffoi Pardo Alcaide, 1962 - Malachiidae
30.V.2011 - ITALIA - Sicilia - TP
Allegato(i)
Ebaeus ruffoi Pardo Alcaide, 1962 - Malachiidae

30.V.2011 - ITALIA - Sicilia - TP
Coleoptera

gigi58

5

1169

05/06/2021, 19:19

gigi58 Vedi ultimo messaggio

Nessun messaggio da leggere
Clanoptilus (Clanoptilus) geniculatus (Germar, 1824) - Malachiidae
4.VI.2021 - ITALIA - Trentino-Alto Adige - TN
Allegato(i)
Clanoptilus (Clanoptilus) geniculatus (Germar, 1824) - Malachiidae

4.VI.2021 - ITALIA - Trentino-Alto Adige - TN
Coleoptera

Syrio

3

693

05/06/2021, 17:30

gabrif Vedi ultimo messaggio

Nessun messaggio da leggere
Attalus (Antholinus) minimus (Rossi, 1790) - Malachiidae
6.V.2021 - ITALIA - Friuli-Venezia Giulia - UD
Allegato(i)
Attalus (Antholinus) minimus (Rossi, 1790) - Malachiidae

6.V.2021 - ITALIA - Friuli-Venezia Giulia - UD
Coleoptera

Michele A

3

645

03/06/2021, 10:58

Michele A Vedi ultimo messaggio

Nessun messaggio da leggere
Hypebaeus flavicollis (Erichson 1840) ♀ - Malachiidae
3.V.2021 - ITALIA - Lazio - RI
Allegato(i)
Hypebaeus flavicollis (Erichson 1840) ♀ - Malachiidae

3.V.2021 - ITALIA - Lazio - RI
Coleoptera

wgliinsetti

3

598

24/05/2021, 19:00

gabrif Vedi ultimo messaggio

Nessun messaggio da leggere
Allegato(i)
Clanoptilus (Hypoptilus) sardous (Erichson 1840) - Malachiidae

9.V.2021 - ITALIA - Sardegna - CA
Coleoptera

Daniele Sechi

3

631

17/05/2021, 23:00

Daniele Sechi Vedi ultimo messaggio

Nessun messaggio da leggere
Charopus rotundatus Erichson, 1840 - Malachiidae
9.V.2021 - ITALIA - Sardegna - CA
Allegato(i)
Charopus rotundatus Erichson, 1840 - Malachiidae

9.V.2021 - ITALIA - Sardegna - CA
Coleoptera

Daniele Sechi

2

526

17/05/2021, 23:00

Daniele Sechi Vedi ultimo messaggio

Nessun messaggio da leggere
Allegato(i)
Attalus (Abrinus) pictus (Kiesenwetter, 1850) - Malachiidae

7.V.2021 - SPAGNA - EE
Coleoptera

Dicomed

2

514

17/05/2021, 21:05

Dicomed Vedi ultimo messaggio

Nessun messaggio da leggere
Hypebaeus flavicollis (Erichson 1840) - Malachiidae
3.V.2021 - ITALIA - Calabria - CS
Allegato(i)
Hypebaeus flavicollis (Erichson 1840) - Malachiidae

3.V.2021 - ITALIA - Calabria - CS
Coleoptera

golfopolikayak

2

701

09/05/2021, 21:49

golfopolikayak Vedi ultimo messaggio

Nessun messaggio da leggere
Allegato(i)
Clanoptilus geniculatus (Germar, 1824) - Malachiidae

2.V.2021 - BULGARIA - EE
Coleoptera

Joro

2

523

06/05/2021, 15:29

Joro Vedi ultimo messaggio

Nessun messaggio da leggere
Hypebaeus flavicollis (Erichson 1840) - Malachiidae
5.IV.2021 - ITALIA - Lazio - RM
Allegato(i)
Hypebaeus flavicollis (Erichson 1840) - Malachiidae

5.IV.2021 - ITALIA - Lazio - RM
Coleoptera

wgliinsetti

2

607

29/04/2021, 14:28

wgliinsetti Vedi ultimo messaggio

Nessun messaggio da leggere
Attalus minimus (Rossi, 1790) - Malachiidae
18.IV.2021 - ITALIA - Sicilia - TP
Allegato(i)
Attalus minimus (Rossi, 1790) - Malachiidae

18.IV.2021 - ITALIA - Sicilia - TP
Coleoptera

angelo.ditta

2

604

24/04/2021, 15:40

angelo.ditta Vedi ultimo messaggio

Nessun messaggio da leggere
Allegato(i)
Clanoptilus spinipennis ssp. brevispina (Kiesenwetter, 1871) - Malachiidae

18.IV.2021 - ITALIA - Lazio - RM
Coleoptera

wgliinsetti

2

486

23/04/2021, 16:35

wgliinsetti Vedi ultimo messaggio

Nessun messaggio da leggere
Allegato(i)
Clanoptilus spinipennis ssp. brevispina (Kiesenwetter, 1871) - Malachiidae

28.III.2021 - ITALIA - Lazio - RM
Coleoptera

wgliinsetti

5

747

22/04/2021, 10:01

wgliinsetti Vedi ultimo messaggio

Nessun messaggio da leggere
Clanoptilus bellieri (Peyron, 1877) (cf.) - Malachiidae
10.IV.2021 - ITALIA - Sicilia - TP
Allegato(i)
Clanoptilus bellieri (Peyron, 1877) (cf.) - Malachiidae

10.IV.2021 - ITALIA - Sicilia - TP
Coleoptera

angelo.ditta

4

893

17/04/2021, 15:06

angelo.ditta Vedi ultimo messaggio

Nessun messaggio da leggere
Anthomalachius spinosus (Erichson, 1840) - Malachiidae
29.II.2008 - ITALIA - Molise - CB
Allegato(i)
Anthomalachius spinosus (Erichson, 1840) - Malachiidae

29.II.2008 - ITALIA - Molise - CB
Coleoptera

Franco ROSSI

2

565

28/12/2020, 20:17

Franco ROSSI Vedi ultimo messaggio

Nessun messaggio da leggere
Allegato(i)
Colotes (Psauter) obsoletus Erichson, 1840 - Malachiidae - Turkey

9.V.2018 - TURCHIA - EE
Coleoptera

Maxim Smirnov

3

731

23/12/2020, 16:31

Maxim Smirnov Vedi ultimo messaggio

Nessun messaggio da leggere
Allegato(i)
Protocollops bicoloripennis (Pic, 1920) cf. - Malachiidae

28.V.2019 - KAZAKHSTAN - EE
Coleoptera

Maxim Smirnov

3

534

30/11/2020, 18:56

Maxim Smirnov Vedi ultimo messaggio

Nessun messaggio da leggere
Allegato(i)
Cyrtosus cyanipennis (Erichson, 1840) - Malachiidae

10.IV.2020 - SPAGNA - EE
Coleoptera

Dicomed

2

520

15/11/2020, 11:59

Dicomed Vedi ultimo messaggio

Nessun messaggio da leggere
Attalus minimus (Rossi, 1790) - Malachiidae
21.VI.2020 - SPAGNA - EE
Allegato(i)
Attalus minimus (Rossi, 1790) - Malachiidae

21.VI.2020 - SPAGNA - EE
Coleoptera

Dicomed

2

568

15/11/2020, 11:59

Dicomed Vedi ultimo messaggio

Nessun messaggio da leggere
Attalus analis (Panzer, 1798) - Malachiidae
VIII.2020 - ITALIA - Toscana - PI
Allegato(i)
Attalus analis (Panzer, 1798) - Malachiidae

VIII.2020 - ITALIA - Toscana - PI
Coleoptera

Stefano79

2

709

30/10/2020, 16:49

Stefano79 Vedi ultimo messaggio

Nessun messaggio da leggere
Charopus concolor (Fabricius, 1801) - Malachiidae
17.IV.2020 - ITALIA - Friuli-Venezia Giulia - UD
Allegato(i)
Charopus concolor (Fabricius, 1801) - Malachiidae

17.IV.2020 - ITALIA - Friuli-Venezia Giulia - UD
Coleoptera

Simox

2

763

14/08/2020, 12:25

Simox Vedi ultimo messaggio

Nessun messaggio da leggere
Sphinginus constrictus (Erichson, 1840) - Malachiidae
12.VI.2020 - ITALIA - Sardegna - OT
Allegato(i)
Sphinginus constrictus (Erichson, 1840) - Malachiidae

12.VI.2020 - ITALIA - Sardegna - OT
Coleoptera

Mauro

5

1387

16/07/2020, 10:54

gabrif Vedi ultimo messaggio

Nessun messaggio da leggere
Malachius australis Mulsant & Rey, 1867 - Malachiidae
29.IV.2018 - ITALIA - Lazio - VT
Allegato(i)
Malachius australis Mulsant & Rey, 1867 - Malachiidae

29.IV.2018 - ITALIA - Lazio - VT
Coleoptera

Andricus

2

1134

24/06/2020, 13:11

Andricus Vedi ultimo messaggio

Nessun messaggio da leggere
Ebaeus flavicornis Erichson, 1840 - Malachiidae
19.VIII.2019 - ITALIA - Veneto - BL
Allegato(i)
Ebaeus flavicornis Erichson, 1840 - Malachiidae

19.VIII.2019 - ITALIA - Veneto - BL
Coleoptera

Andricus

1

917

19/06/2020, 11:27

gabrif Vedi ultimo messaggio

Visualizza ultimi argomenti:  Ordina per  Ordine:  
nuovo argomento
Vai alla pagina Precedente  1, 2, 3, 4, 5 ... 8  Prossimo
Pagina 2 di 8 [ 365 argomenti ]

Tutti gli orari sono UTC + 1 ora [ ora legale ]


Chi c’è in linea

Visitano il forum: Nessuno e 1 ospite


Legenda
Messaggi da leggere Messaggi da leggere Nessun messaggio da leggere Nessun messaggio da leggere Annuncio Annuncio
 
Specie indeterminata / discussione generica
Messaggi non letti [ Popolari ] Messaggi non letti [ Popolari ] Nessun messaggio da leggere [ Popolare ] Nessun messaggio da leggere [ Popolare ] Importante Importante
 
Specie determinata fino al genere o cf.
Messaggi non letti [ Bloccati ] Messaggi non letti [ Bloccati ] No messaggi non letti [ Bloccati ] No messaggi non letti [ Bloccati ] Argomento spostato Argomento spostato
 
Specie correttamente determinata
Permessi
Non puoi aprire nuovi argomenti
Non puoi rispondere negli argomenti
Non puoi modificare i tuoi messaggi
Non puoi cancellare i tuoi messaggi
Non puoi inviare allegati

Cerca per:
Vai a: