|
|
| Argomenti |
Ordine |
Autore |
Risposte |
Visite |
Ultimo messaggio |
| Annunci |
 |
|
|
Incontri entomologici della Società Entomologica Italiana 2025-2026
|
|
Velvet Ant |
0 |
54512 |
17/11/2025, 19:41
Velvet Ant
|
 |
|
|
Incontri entomologici telematici organizzati dalla Società Entomologica Italiana nel 2022 e nel 2023
[ Vai alla pagina: 1, 2, 3 ]
|
|
Velvet Ant |
44 |
2058617 |
03/03/2023, 15:55
Velvet Ant
|
 |
 |
|
Sondaggio sul declino dell'entomofauna in Italia
[ Vai alla pagina: 1, 2, 3, 4 ]
|
|
Velvet Ant |
52 |
2733962 |
22/10/2022, 19:18
Acquarius
|
 |
|
|
Progetto: Bibliografia ragionata dei lavori entomologici nei quali sono citati reperti apparsi su FEI
[ Vai alla pagina: 1, 2, 3 ]
|
|
Velvet Ant |
33 |
1649770 |
06/07/2023, 18:31
Orotrechus
|
 |
|
|
Mimesi, il primo documentario cinematografico sull’entomologia in Italia: casting
|
|
mazzeip |
1 |
1144955 |
28/02/2019, 20:26
mazzeip
|
 |
|
|
ISTRUZIONI PUBBLICAZIONE NUOVI ARGOMENTI E FOTO
|
Altri Ordini di Insetti |
Julodis |
4 |
2965368 |
13/05/2015, 19:37
Julodis
|
 |
|
|
Limitatore giornaliero di messaggi, uno strumento utile e ormai indispensabile
[ Vai alla pagina: 1 ... 14, 15, 16 ]
|
|
Velvet Ant |
233 |
13945903 |
25/09/2014, 14:31
Inachis
|
 |
|
|
NORME PER I COLLABORATORI DEL FORUM
|
|
Velvet Ant |
0 |
676074 |
02/06/2011, 12:05
Velvet Ant
|
 |
|
|
NORME PER GLI UTENTI DEL FORUM
[ Vai alla pagina: 1, 2, 3 ]
|
|
Velvet Ant |
30 |
3763504 |
23/09/2014, 23:54
Maurizio Bollino
|
 |
|
|
Lista degli utenti del "Forum entomologi italiani" per campi di interesse e specializzazione
|
Altri Ordini di Insetti |
Velvet Ant |
13 |
1145300 |
07/09/2023, 17:14
Roberto-07
|
| Argomenti |
 |
|
|
Stauropoctonus bombycivorus (Gravenhorst, 1829) - Ichneumonidae Ophioninae
14.IX.2010 - ITALIA - Umbria - PG
|
Hymenoptera |
Maura |
3 |
1040 |
07/03/2012, 14:25
Eopteryx
|
 |
|
|
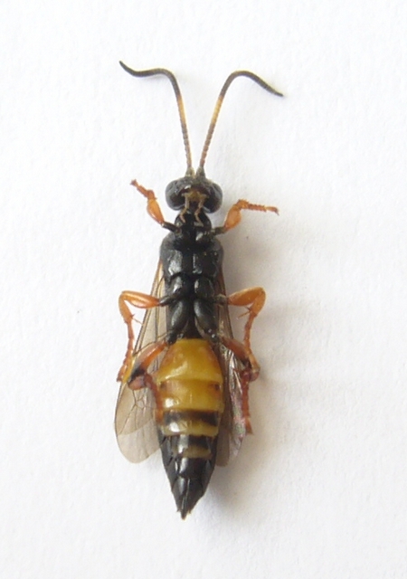
Cidaphus alarius (Gravenhorst 1829) ♂ - Ichneumonidae - Mesochorinae
16.V.2005 - FRANCIA - EE
|
Hymenoptera |
D & JP Balmer |
3 |
1516 |
22/01/2012, 13:56
D & JP Balmer
|
 |
|
|
Determination of the Genera belonging to Ophioninae & Anomalinae (pars), of France & Italy
|
Hymenoptera |
D & JP Balmer |
10 |
5815 |
19/01/2012, 4:55
D & JP Balmer
|
 |
|
|
Eurylabus tristis (Gravenhorst 1829) ♂ - Ichneumonidae - Ichneumoninae - Eurylabini
30.VI.2009 - FRANCIA - EE
|
Hymenoptera |
D & JP Balmer |
0 |
936 |
20/12/2011, 4:52
D & JP Balmer
|
 |
|
|
Eurylabus torvus Wesmael 1845 ♀ - Ichneumonidae - Ichneumoninae - Eurylabini
23.V.2009 - FRANCIA - EE
|
Hymenoptera |
D & JP Balmer |
2 |
1220 |
19/12/2011, 17:57
D & JP Balmer
|
 |
|
|
Pimpla rufipes (Miller, 1759) - Ichneumonidae Pimplinae
3.XI.2011 - ITALIA - Veneto - RO
|
Hymenoptera |
Umbro |
6 |
1548 |
12/11/2011, 16:23
Eopteryx
|
 |
|
|
Ichneumon xanthorius Forster, 1771 (cf.) ♂ - Ichneumonidae
16.VI.2011 - ITALIA - Emilia-Romagna - RE
|
Hymenoptera |
Mikiphasmide |
2 |
1177 |
28/10/2011, 9:59
Mikiphasmide
|
 |
|
|
Pimpla illecebrator (Villers, 1789) - Ichneumonidae Pimplinae Pimplini
28.VII.2011 - ITALIA - Molise - IS
|
Hymenoptera |
Franco ROSSI |
3 |
1409 |
21/10/2011, 22:04
Eopteryx
|
 |
|
|
Amblyteles armatorius (Forster, 1771) - Ichneumonidae Ichneumoninae Ichneumonini
6.X.1990 - ITALIA - Lombardia - PV
|
Hymenoptera |
giuseppe55 |
2 |
1426 |
18/10/2011, 19:09
giuseppe55
|
 |
|
|
Pristomerus sp. - Ichneumonidae Cremastinae
27.VIII.2011 - ITALIA - Marche - PU
|
Hymenoptera |
marco paglialunga |
2 |
1309 |
14/10/2011, 7:59
marco paglialunga
|
 |
|
|
Hybrizon buccatus (de Brébisson, 1825) - Paxylommatinae
22.VIII.2011 - ITALIA - Marche - PU
|
Hymenoptera |
marco paglialunga |
2 |
1044 |
08/10/2011, 18:10
marco paglialunga
|
 |
|
|
Acroricnus seductor (Scopoli, 1786), ♂ + ♀ - Ichneumonidae
3.VIII.2011 - ITALIA - Veneto - RO
|
Hymenoptera |
Umbro |
1 |
1336 |
02/10/2011, 16:11
Eopteryx
|
 |
|
|
Ctenichneumon panzeri (Wesmael 1845) - Ichneumonidae
6.VIII.2011 - ITALIA - Lombardia - MI
|
Hymenoptera |
carlos |
5 |
2652 |
01/10/2011, 7:27
Julodis
|
 |
|
|
Netelia sp. - Ichneumonidae Tryphoninae
27.VIII.1995 - ITALIA - Marche - AN
|
Hymenoptera |
dorbodervus |
3 |
1284 |
28/09/2011, 15:44
Eopteryx
|
 |
|
|
Anomalon cruentatum (Geoffroy, 1785) ♀ - Ichneumonidae Anomaloninae
30.VII.2011 - ITALIA - Abruzzo - AQ
|
Hymenoptera |
Claude54 |
1 |
1081 |
15/09/2011, 12:49
Eopteryx
|
 |
|
|
Acroricnus seductor (Scopoli, 1786), ♀ - Ichneumonidae
23.VII.2011 - ITALIA - Campania - NA
|
Hymenoptera |
clido |
3 |
2199 |
04/09/2011, 20:04
clido
|
 |
|
|
Ichneumon suspiciosus Wesmael 1845 ♂ - Ichneumonoidea - Ichneumonidae - Ichneumoninae
14.VII.1987 - FRANCIA - EE
|
Hymenoptera |
D & JP Balmer |
4 |
1181 |
28/07/2011, 8:20
Eopteryx
|
 |
|
|
Rhyssa persuasoria (Linnaeus 1758) ♂ - Ichneumonoidea - Ichneumonidae - Rhyssinae
27.IV.2007 - FRANCIA - EE
|
Hymenoptera |
D & JP Balmer |
1 |
812 |
27/07/2011, 18:05
Eopteryx
|
 |
|
|
Ichneumon bucculentus Wesmael 1845 ♂ (?) - Ichneumonoidea - Ichneumonidae - Ichneumoninae
10.VII.2004 - FRANCIA - EE
|
Hymenoptera |
D & JP Balmer |
0 |
672 |
26/07/2011, 15:46
D & JP Balmer
|
 |
|
|
Ichneumon extensorius Linnaeus 1758 ♀ - Ichneumonoidea - Ichneumonidae - Ichneumoninae
8.VIII.2003 - FRANCIA - EE
|
Hymenoptera |
D & JP Balmer |
10 |
1636 |
25/07/2011, 22:48
D & JP Balmer
|
 |
|
|
Ichneumon melanotis Holmgren 1864 ♂ - Ichneumonoidea - Ichneumonidae - Ichneumoninae
14.VI.1994 - FRANCIA - EE
|
Hymenoptera |
D & JP Balmer |
0 |
637 |
25/07/2011, 15:42
D & JP Balmer
|
 |
|
|
Ichneumon stramentor Rasnitsyn 1981 ♀ - Ichneumonoidea - Ichneumonidae - Ichneumoninae
7.VII.2002 - FRANCIA - EE
|
Hymenoptera |
D & JP Balmer |
4 |
1042 |
24/07/2011, 18:19
Eopteryx
|
 |
|
|
Ichneumon sp. ♀ (?) - Ichneumonoidea - Ichneumonidae - Ichneumoninae
13.IX.2007 - FRANCIA - EE
|
Hymenoptera |
D & JP Balmer |
1 |
940 |
24/07/2011, 14:51
D & JP Balmer
|
 |
|
|
Rhyssa amoena (Gravenhorst, 1829) - Ichneumonidae
15.VIII.2010 - ITALIA - Friuli-Venezia Giulia - PN
|
Hymenoptera |
andreah |
7 |
2172 |
21/07/2011, 20:14
andreah
|
 |
|
|
Therion circumflexum (Linnaeus 1758) - Ichneumonidae Anomaloninae
9.VII.2011 - ITALIA - Marche - PU
|
Hymenoptera |
marco paglialunga |
3 |
1085 |
20/07/2011, 16:01
Eopteryx
|
 |
|
|
Diphyus ochromelas (Gmelin, 1790) ♀ - Ichneumonidae Ichneumoninae Ichneumonini
1.VII.2011 - ITALIA - Emilia-Romagna - FC
|
Hymenoptera |
Isotomus |
5 |
1924 |
08/07/2011, 18:40
Eopteryx
|
 |
|
|
Venturia canescens (Gravenhorst, 1829) ♀ - Ichneumonidae Campopleginae
27.VI.2011 - ITALIA - Campania - NA
|
Hymenoptera |
anto18 |
5 |
2107 |
27/06/2011, 15:18
Eopteryx
|
 |
|
|
Xorides (Xorides) filiformis (Holmgren 1860) ♂♀ - Xoridinae
12.IX.2007 - FRANCIA - EE
|
Hymenoptera |
D & JP Balmer |
0 |
1280 |
10/06/2011, 11:01
D & JP Balmer
|
 |
|
|
Ichneumon xanthorius Forster, 1771 - Ichneumonidae Ichneumoninae
11.V.2011 - REGNO UNITO - Inghilterra - EE
|
Hymenoptera |
matthew gandy |
2 |
1186 |
11/05/2011, 18:49
matthew gandy
|
 |
|
|
Amblyteles armatorius (Forster, 1771) - Ichneumonidae Ichneumoninae
20.IV.2011 - ITALIA - Sardegna - CA
|
Hymenoptera |
Palaemonetes |
2 |
1236 |
29/04/2011, 14:38
Palaemonetes
|
 |
|
|
Diphyus quadripunctorius (Müller, 1776) (cf.) - Ichneumonidae - Romania
21.IV.2011 - ROMANIA - EE
|
Hymenoptera |
alexaandru |
2 |
1187 |
26/04/2011, 21:05
alexaandru
|
 |
|
|
Xorides (Xorides) praecatorius (Fabricius, 1793) ♀ - Xoridinae
13.II.2011 - ROMANIA - EE
|
Hymenoptera |
cosmln |
10 |
3392 |
03/04/2011, 14:28
Jacek Hilszczanski
|
 |
|
|
Lymantrichneumon disparis (Poda, 1761) - Ichneumonidae Ichneumoninae
20.III.2011 - ITALIA - Lombardia - CO
|
Hymenoptera |
Xylotrechus |
3 |
1365 |
24/03/2011, 15:08
Raubmilbe
|
 |
|
|
Ichneumon sarcitorius Linnaeus,1758 - Ichneumonidae, Ichneumoninae
13.II.2011 - ROMANIA - EE
|
Hymenoptera |
alexaandru |
4 |
1413 |
27/02/2011, 9:20
alexaandru
|
 |
|
|
Ophion cf. obscuratus Fabricius 1798 Hymenoptera Ichneumonidae
1.II.2011 - ITALIA - Marche - PU
|
Hymenoptera |
marco paglialunga |
10 |
2149 |
12/02/2011, 21:45
Eopteryx
|
 |
|
|
Ichneumon sarcitorius Linnaeus, 1758 - Ichneumonidae, Ichneumoninae
18.VII.2010 - ITALIA - Lazio - RM
|
Hymenoptera |
soken |
2 |
1377 |
09/02/2011, 18:34
soken
|
 |
|
|
Ctenochares bicolorus (Linnaeus, 1767) - Ichneumonidae Ichneumoninae Ichneumonini - Toscana, Isola d'Elba
|
Hymenoptera |
FORBIX |
3 |
1046 |
17/01/2011, 15:21
Eopteryx
|
 |
|
|
Anomalon cruentatum (Geoffroy, 1785) - Ichneumonidae, Anomaloninae - Molise
|
Hymenoptera |
Franco ROSSI |
5 |
1105 |
07/11/2010, 13:47
Franco ROSSI
|
 |
|
|
Ichneumon xanthorius Forster, 1771 - Ichneumonidae Ichneumoninae - Lazio
2.XI.2010 - ITALIA - Lazio - RM
|
Hymenoptera |
Julodis |
4 |
1129 |
03/11/2010, 0:39
Julodis
|
 |
|
|
Amblyteles armatorius (Forster, 1771) - Ichneumonidae Ichneumoninae Ichneumonini - Emilia Romagna, Campigna (FC)
|
Hymenoptera |
Isotomus |
2 |
1301 |
12/10/2010, 14:29
Isotomus
|
 |
|
|
Eutanyacra picta (Schrank, 1776) - Ichneumonidae Ichneumoninae - Molise (CB)
|
Hymenoptera |
Franco ROSSI |
4 |
1679 |
30/09/2010, 11:41
Eopteryx
|
 |
|
|
Rhyssa persuasoria (Linnaeus 1758) - Hymenoptera Ichneumonidae
|
Hymenoptera |
Gremu |
1 |
941 |
13/09/2010, 15:54
Andricus
|
 |
|
|
Stenarella domator (Poda, 1761) - Hymenoptera, Ichneumonidae, Cryptinae. Lazio
4.VIII.2010 - ITALIA - Lazio - VT
|
Hymenoptera |
Andricus |
4 |
1522 |
06/08/2010, 19:32
Eopteryx
|
 |
|
|
Acroricnus seductor (Scopoli, 1786) - Ichneumonidae, Cryptinae - Sicilia
|
Hymenoptera |
bernypro |
5 |
2745 |
15/07/2010, 0:29
eurinomio
|
 |
|
|
Xorides (Gonophonus) annulator (Fabricius, 1804) ♀ - Xoridinae
3.VII.2010 - ITALIA - Sardegna
|
Hymenoptera |
Fumea crassiorella |
6 |
2482 |
12/07/2010, 19:27
Eopteryx
|
 |
|
|
Stenarella domator (Poda, 1761) - Hymenoptera, Ichneumonidae, Cryptinae - (CA) Sardegna
|
Hymenoptera |
Fumea crassiorella |
6 |
1761 |
03/07/2010, 22:07
Eopteryx
|
 |
|
|
Rhyssa persuasoria (Linnaeus 1758) - Hymenoptera, Ichneumonidae, Rhyssinae - (MO) Emilia Romagna
|
Hymenoptera |
conan |
3 |
1241 |
26/06/2010, 18:48
Eopteryx
|
 |
|
|
Amblyteles armatorius (Forster, 1771) ♂ - Ichneumoninae Ichneumonini
15.V.2010 - ITALIA - Sardegna
|
Hymenoptera |
Fumea crassiorella |
1 |
1138 |
16/05/2010, 10:06
Eopteryx
|
 |
|
|
Lymantrichneumon disparis (Poda, 1761) - Ichneumoninae Heresiarchini
IV.2010 - ITALIA - Lazio - FR
|
Hymenoptera |
Notoxus59 |
6 |
2381 |
28/04/2010, 11:44
Notoxus59
|
 |
|
|
Amblyteles armatorius (Forster 1771) ♀ - Ichneumoninae Ichneumonini
II.2010 - ITALIA - Sardegna - CA
|
Hymenoptera |
Fumea crassiorella |
4 |
1588 |
11/02/2010, 10:47
Fumea crassiorella
|
|
|